Image de présentation du bien n° 295906

A propos de ce bien

Référence: 295906


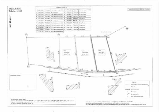
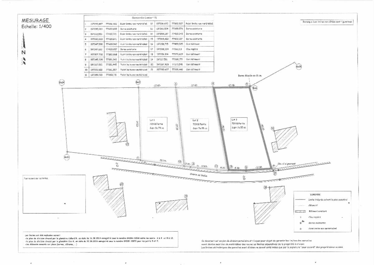
Terrain en zone d'habitat à caractère rural d'environ 20 mètres de façade et d'une superficie de 755 m² dans une rue peu fréquentée du village.
Lot 3 sur le plan de géomètre.

Informations générales

  • Libre à partir duÀ l'acte
  • Type de bienTerrains

Informations sur le jardin et terrain

  • Superficie cadastrale755m2

Informations financières

  • Revenu cadastral à définir

Vente de gré à gré

Faire offre à partir de

55 000 €

Vendu par l'étude ArdenNot

Vous avez une question sur ce bien ou souhaitez planifier une visite ? Contactez le notaire du vendeur.