Samenvatting van uw zoekopdracht

Huizen

63 Dorpstraat, 9570 Sint-Maria-Lierde

Doe een bod van
350.000 €

Presentatiebeeld van het pand n° 291160
Online openbare verkoop
  • Referentie: 291160
  • Achter de oude voorgevel ligt een binnenkoer die toegang geeft tot het (deels) gerenoveerde woongedeelte die hier en daar nog wat afwerking nodig heeft. De gelijkvloers bestaat uit een inkomhal met toilet, leefruimte met bureauruimte, keuken, berging en ruime garage. Op de eerste verdieping zijn er 3 slaapkamers, een badkamer en een zolderruimte. Achteraan de woning vind u een ruime tuin. G score: A P score: A
  • Aantal kamers: 3
  • Lopende verkoop
  • Startdatum: 18/01/2026 14:00
  • Einddatum: 26/01/2026 14:00
  • Geen bod: 1000 €
  • Kadastraal inkomen: 280 €
  • Vrij vanaf: Andere
  • Notaris Mickaël Veltmans, notarisvennootschap
  • Contactpersoon: Griet DE FREYNE
  • Tel: (055) 42.37.24
  • Email: griet.defreyne.128033@belnot.be

Huizen

20 Rue du Vigneron (RT), 6043 Ransart

Doe een bod van
50.000 €

Presentatiebeeld van het pand n° 291223
Online openbare verkoop
  • Referentie: 291223
  • Pour les visites, merci de contacter la société GIL au 071/38.84.49 (option 1). Composition : Rez-de-chaussée : salon, salle à manger, cuisine équipée, salle de douche, buanderie, remise. Petit grenier au-dessus de la buanderie et de la salle de douche. 1er étage : 3 chambres. 2ème étage : un grenier. Sous-sol : cave. - Jardin - Châssis double vitrage - Chauffage central au gaz - Raccordement à l’égout. Pour les visites, merci de contacter la société GIL au 071/38.84.49 (option 1).
  • Aantal kamers: 3
  • Oppervlakte van het woongedeelte: 167m2
  • Lopende verkoop
  • Startdatum: 03/02/2026 14:00
  • Einddatum: 11/02/2026 14:00
  • Geen bod: 1000 €
  • Kadastraal inkomen: 342 €
  • Vrij vanaf: Andere
  • Olivier GILLIEAUX, Notaire
  • Contactpersoon: Julie CORNILLIE
  • Tel: (071) 20.90.80
  • Email: julie.cornillie.131979@belnot.be
  • Bezoekgegevens
  • Pour les visites, merci de contacter la société GIL au 071/38.84.49 (option 1).

Huizen

60 Onderwijsstraat, 1070 Anderlecht

Doe een bod van
260.700 €

Presentatiebeeld van het pand n° 287998
Uit de hand
  • Referentie: 287998
  • Een woonhuis met 1 verdieping Gelegen Onderwijsstraat 60 voor een oppervlakte van 3a 40ca. Omvattende op ondergr. verd. : kelders – op gelijkvloers : inkomhal, 3 plaatsen, 2 wc’s, koer en tuin – op 1e verd.: 3 plaatsen – op 2e verd.: 2 slaapkamers waarvan 1 zolderkamer en 1 zolder. N.g.k.i. 3.914€. Vrij van gebruik. Woongebied, GCHEWS, gebied voor gemeenschapsvoorzieningen en openbaar nut.. EPC G/847. Contr. elektr. niet conform. Bezoeken na afspraak. BIEDEN VANAF 260.700€ - www.biddit.be - Ref. pand : 287998.
  • Aantal kamers: 2
  • Kadastraal inkomen: 3914 €
  • Vrij vanaf: Bij de akte
  • Heindryckx Alexis, Notaire
  • Contactpersoon: Violette GÉRARD
  • Tel: (02) 522.09.37
  • Email: violette.gerard.133439@belnot.be
  • Bezoekgegevens
  • na afspraak

Huizen

28 Rue de la Gare d'Oret, 5621 Hanzinelle

Doe een bod van
265.000 €

Presentatiebeeld van het pand n° 290833
Uit de hand
  • Referentie: 290833
  • Belle Villa 4 façades avec 2 garages et jardin comprenant : Au rez-de-chaussée : Hall d’entrée, wc, salon (avec insert), salle à manger, cuisine équipée, petite salle de bains, véranda et une chambre. -1er étage : Hall de nuit, 4 chambres (dont deux en enfilade), salle de bains. -Sous-sol : entièrement cavé avec WC. -Châssis double vitrage, chauffage central aux pellets. Pour toute visite, contacter la Société GIL : 071/38.84.49
  • Aantal kamers: 5
  • Kadastraal inkomen: 959 €
  • Vrij vanaf: Bij de akte
  • L&D Not, société notariale
  • Contactpersoon: Gontran DE MOREAU
  • Tel: (071) 68.80.48
  • Email: gontran.demoreau.109215@belnot.be
  • Bezoekgegevens
  • Société GIL : 071/38.84.49

Gronden

tussen nrs 84 en 80 Geneinde, 2260 Tongerlo

Doe een bod van
215.000 €

Presentatiebeeld van het pand n° 291214
Uit de hand
  • Referentie: 291214
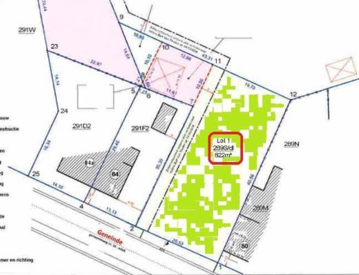
  • Voor open bebouwing te Westerlo, Tongerlo. Gelegen Geneinde (tussen huisnr. 84 en 80). Met een oppervlakte van 822m² en een breedte a/d straat van 20,53 meter. P score: B
  • Vrij vanaf: Bij de akte
  • Notaris Bieke Heyns
  • Contactpersoon: Lief WYNANTS
  • Tel: (014) 27.00.76
  • Email: lief@notarisheyns.be

Huizen

45 Huis ten Halven, 9100 Nieuwkerken-Waas

Doe een bod van
330.000 €

Presentatiebeeld van het pand n° 291215
Uit de hand
  • Referentie: 291215
  • Goed gelegen halfopen bebouwing te Nieuwkerken-Waas, Huis Ten Halven 45. Inkom, toilet, woonkamer, keuken, berging, garage en tuin. Boven: 3 slaapkamers en badkamer. G score: A P score: C
  • Aantal kamers: 3
  • Aantal badkamers: 1
  • Kadastraal inkomen: 875 €
  • Vrij vanaf: Te bepalen
  • Tack & De Moor - notarisvennootschap
  • Contactpersoon: Michaël DE BOEY
  • Tel: (03) 776.02.38
  • Email: mdb@tackdemoor.be
  • Bezoekgegevens
  • Vanaf 12/11: iedere woensdag van 14u tot 16u en iedere zaterdag van 10u tot 12u

Huizen

8 Durasweg, 3440 Zoutleeuw

Doe een bod van
155.000 €

Presentatiebeeld van het pand n° 291217
Online openbare verkoop
  • Referentie: 291217
  • Woning met tuin en garage - te renoveren - opp. 10a, kad. sectie E, nummer 221H P0000, Woongebied met landelijk karakter en landschappelijk waardevol agrarisch gebied; Vermoeden vergunning (art. 4.2.14 § 1 VCRO); 'blanco' bodemattest; geen voorkooprecht - overstromingsrapport: P- & G-score: A. Indeling: Glvl: inkom met trap, bureauruimte, woonkamer, keuken, badkamer, wc, bijkeuken, bergingen, toegang tot kelder. 1ste verdiep: drie slaapkamers, berging. Zolder. Tuin met garage en bijgebouw. NUTTIGE INFO: In gebruik door eigenaar - overdracht gebruik vanaf betaling prijs en kosten (! zie verkoopsvoorwaarden); Verwarming enkel op kachel (glvkrs); Geen opschortende voorwaarde financiering. Alle verdere inlichtingen vrij te bekomen (online) op biddit.be, immoweb.be, zimmo.be en op het kantoor notarissen Bernard Indekeu & Thomas Dedroog te Zoutleeuw. De verkoopsvoorwaarden zijn te lezen alvorens starten met bieden op www.biddit.be. Elk bod is verbindend tot max. 10 werkdagen na de sluiting v/d biedingsperiode. De uiteindelijke koper wordt verwacht op het notariskantoor te Zoutleeuw op woe 28/01/2026 om 16u ter ondertekening van de akte toewijs. De aktekosten moeten uiterlijk bij ondertekening akte toewijs worden betaald, de aankoopsom moet binnen de 6 weken worden betaald na akte toewijs worden betaald. G score: A P score: A
  • Aantal kamers: 3
  • Aantal badkamers: 1
  • Lopende verkoop
  • Startdatum: 15/01/2026 14:00
  • Einddatum: 23/01/2026 14:00
  • Geen bod: 1000 €
  • Kadastraal inkomen: 530 €
  • Vrij vanaf: Bij de akte
  • Bernard en Nicolas INDEKEU, geassocieerde notarissen
  • Contactpersoon: Thomas DEDROOG
  • Tel: (011) 78.93.10
  • Email: thomas.dedroog@belnot.be
  • Bezoekgegevens
  • Zaterdagen 3, 10 en 17 januari 2026, telkens van 10u-12u

Huizen

52 Rue Tout y Faut, 7110 Houdeng-Goegnies

Doe een bod van
160.000 €

Presentatiebeeld van het pand n° 291181
Uit de hand
  • Referentie: 291181
  • Charmante maison d’habitation se trouvant dans un quartier calme, bordée par le canal du centre disposant d’un emplacement de parking privatif. Cette maison se compose comme suit : -au rez-de-chaussée : Hall d’entrée avec WC, living, petite cuisine, terrasse couverte avec vue sur le canal ; -au 1er étage : Hall de nuit desservant une salle de bain, deux grandes chambres et une petite chambre ou bureau ; Grenier aménageable accessible par un escalier escamotable ; Immeuble relié à l’égout ; Châssis simple vitrage au rez-de-chaussée et double à l’étage ; Chauffage central au mazout (2 cuves de 1.250l), avec poêle au gaz ; Grandes caves avec accès au jardin ; Installation électrique à refaire ; Passerelle privative donnant accès au chemin de halage.
  • Aantal kamers: 3
  • Oppervlakte van het woongedeelte: 115m2
  • Kadastraal inkomen: 567 €
  • Vrij vanaf: Bij de akte
  • ROMAIN Nicolas
  • Contactpersoon: Tristan HOORELBEKE
  • Tel: (071) 52.31.31
  • Email: tristan.hoorelbeke.112664@belnot.be
  • Bezoekgegevens
  • Contacter l'Etude

Huizen

2 Rue Jean Chot, 5670 Olloy-sur-Viroin

Doe een bod van
550.000 €

Presentatiebeeld van het pand n° 291220
Uit de hand
  • Referentie: 291220
  • Restaurant familial solidement ancré dans la région depuis de nombreuses années, bénéficiant d’une excellente notoriété locale et d’un emplacement privilégié au sein d’une région touristique recherchée. Implanté au cœur du Parc naturel Viroin-Hermeton et du Parc national de l’Entre-Sambre-et-Meuse, le bien profite d’un environnement attractif, à forte fréquentation touristique. Le bâtiment, en pierre du pays, a fait l’objet d’une rénovation complète suite à un permis obtenu en 2003, garantissant un excellent niveau de confort et de fonctionnalité. *** Partie restaurant *** Environ 165 m² dédiés à l’accueil de la clientèle, comprenant : • Un bar convivial, • Une partie restaurant et une partie brasserie • Une cuisine professionnelle, fonctionnelle et entièrement équipée, • Une arrière-cuisine, • Un local de rangement, • Une réserve pour les boissons, • Deux blocs sanitaires : o un premier avec WC séparé et urinoir, o un second comprenant trois WC (dont un PMR) et deux urinoires. Une terrasse idéalement exposée à front de rue assure une excellente visibilité et attire tant la clientèle locale que touristique. *** Partie résidentielle - 3 appartements *** Les appartements, accessibles via une cour située à l’arrière du restaurant, offrent une rentabilité immédiate avec des loyers mensuels (charges comprises) d’environ 1.840 €. • Appartement 1 : bureau, deux chambres, hall d’entrée, cuisine équipée, buanderie, séjour/salon, salle de bains et WC séparé. • Appartement 2 : deux chambres, séjour/salon/salle à manger, cuisine équipée, hall d’entrée, salle de bains et WC séparé. • Appartement 3 : hall d’entrée, WC, buanderie, vaste séjour, cuisine équipée, deux chambres, salle de bains ; à l’étage, possibilité d’aménager une troisième chambre et présence d’un grand espace aménageable. *** Informations complémentaires *** L’acquisition du fonds de commerce (clientèle, outillage professionnel, stocks) fera l’objet d’une offre distincte. Besoin d’informations ou envie de visiter ? L’étude du Notaire Benoit BAJO vous renseigne Tél : 060 39 90 08 – Benoit.bajo@belnot.be PEB Appartement 1 : Catégorie E ( Numéro de certificat 20251008018943 ) PEB Appartement 2 : Catégorie E ( Numéro de certificat 20251008019153 ) PEB Appartement 3 : Catégorie G ( Numéro de certificat 20251008019293 )
  • Aantal kamers: 2
  • Kadastraal inkomen: 3218 €
  • Vrij vanaf: Bij de akte
  • Benoit BAJO, société notariale
  • Contactpersoon: Benoit BAJO
  • Tel: (060) 39.90.08
  • Email: benoit.bajo@belnot.be

Huizen

85 Sonnisstraat, 3530 Houthalen-Helchteren

Doe een bod van
120.000 €

Presentatiebeeld van het pand n° 290901
Online openbare verkoop
  • Referentie: 290901
  • Deze woning bevindt zich op een rustige locatie op een royaal stuk grond. Het huis biedt een uitzonderlijke hoeveelheid ruimte. Het pand werd volledig gestript, waardoor een iedeale basis is gelegd voor een grondige renovatie naar eigen smaak en wensen. Perfect voor wie op zoek is naar een project met veel potentieel op een aangename, stille ligging. G score: A P score: B
  • Aantal kamers: 3
  • Oppervlakte van het woongedeelte: 167m2
  • Aantal badkamers: 1
  • Lopende verkoop
  • Startdatum: 21/01/2026 11:00
  • Einddatum: 29/01/2026 11:00
  • Geen bod: 500 €
  • Kadastraal inkomen: 659 €
  • Vrij vanaf: Te bepalen
  • NOTARIS NATALIE CABES
  • Contactpersoon: Monique HAEX
  • Tel: (011) 60.88.40
  • Email: monique.haex.124123@belnot.be
  • Bezoekgegevens
  • Enkel na afspraak via het nummer 011 60 88 42, vanaf maandag 5 januari 2026 tot en met woensdag 28 januari 2026,

Handelspanden

13 Van Cromphoutstraat, 9230 Wetteren

Doe een bod van
135.000 €

Presentatiebeeld van het pand n° 291225
Uit de hand
  • Referentie: 291225
  • Handelspand gelegen nabij de Markt G score: C P score: C
  • Kadastraal inkomen: 406 €
  • Vrij vanaf: Bij de akte
  • Christiaan & Jeroen Uytterhaegen, geassocieerde notarissen
  • Contactpersoon: Kim VAN DAMME
  • Tel: (09) 369.05.64
  • Email: kim.vandamme.130534@belnot.be
  • Bezoekgegevens
  • Het pand kan bezocht worden na telefonische afspraak met mevr Rita Paeleman op nr 0494 23 11 81.

Huizen

3A Rue du Pilori, 7604 Brasménil

Doe een bod van
375.000 €

Presentatiebeeld van het pand n° 291213
Uit de hand
  • Referentie: 291213
  • Villa 4 façades en excellent état de 2002 avec 2 garages, jardin, cour et terrasse sur et avec 18 a 34 ca. Rez: hall, wc, salon, salle à manger, mezzanine, cuisine équipée, petit salon et buanderie. Etage: 3 chambres dont une avec dressing, salle de bains. Double vitrage PVC, groupe hydrophore, 2 citernes d'eau de pluie, alarme et portail électrique avec télécommande. Chauffage central mazout. Libre à la vente. R.C.: 987 €. PEB: 374 kwh/m².an (E).
  • Aantal kamers: 3
  • Aantal badkamers: 1
  • Kadastraal inkomen: 987 €
  • Vrij vanaf: Bij de akte
  • Benoit DE SMET, notaire
  • Contactpersoon: Valerie MIDI
  • Tel: (069) 77.90.50
  • Email: valerie.midi.128363@belnot.be
  • Bezoekgegevens
  • En l'Etude du notaire Benoit DE SMET au 069/77.90.50.

Huizen

132 Rue Louis Bertrand, 7100 La Louvière

Doe een bod van
145.000 €

Presentatiebeeld van het pand n° 291211
Uit de hand
  • Referentie: 291211
  • Jolie maison d'habitation comprenant un hall d'entrée, une salle à manger, un salon, une cuisine équipée, une salle de bains (uniquement douche), une cave-buanderie, terrasse, jardin avec chalet, au premier étage : 3 chambres et au second étage : une pièce à usage de dressing et un grenier, double vitrage, chauffage central au gaz, RC 457 €, 1are 43 centiares, bien actuellement loué loyer 750 € par mois, bail ayant commencé le 1/11/2024, prix indicatif et non contractuel
  • Aantal kamers: 4
  • Kadastraal inkomen: 457 €
  • Vrij vanaf: Te bepalen
  • Olivier MINON Notaire
  • Contactpersoon: Olivier MINON
  • Tel: (071) 59.00.68
  • Email: olivier.minon@belnot.be

Huizen

5 Eikenlaan, 8810 Lichtervelde

Doe een bod van
385.000 €

Presentatiebeeld van het pand n° 291212
Online openbare verkoop
  • Referentie: 291212
  • Deze recente woning bevindt zich in een aangename en verkeersarme woonwijk — ideaal voor gezinnen die op zoek zijn naar rust en comfort. Je komt binnen via een ruime inkomhal met apart gastentoilet. De lichtrijke woonkamer met grote raampartijen biedt een mooi zicht op de tuin en zorgt voor een open, aangename sfeer. De aparte, volledig uitgeruste Dovy-keuken is voorzien van alle moderne apparatuur, zoals een inductiekookplaat, ergonomische vaatwasser, oven en microgolf. Aansluitend bevindt zich een handige berging met spoelbak en aansluitingen voor wasmachine en droogkast. Op de eerste verdieping bevinden zich drie volwaardige slaapkamers, een tweede apart toilet en een moderne badkamer met dubbele wastafel en ruime inloopdouche. Via een vaste trap bereik je de ruime zolderverdieping, waar je makkelijk een vierde slaapkamer, bureau of hobbyruimte kunt inrichten. Buiten geniet je van een onderhoudsvriendelijke tuin met een praktische tuinberging en een oprit met carport, geschikt voor twee tot drie wagens. De woning is gelegen nabij enkele makkelijke invalswegen, met vlotte toegang tot de E403 richting Brugge of Kortrijk. Ook het station van Lichtervelde ligt op wandelafstand van de woning, wat pendelen richting de grote steden zeer makkelijk maakt met een rechtstreekse verbinding. Andere pluspunten zijn de centrale ligging, nabij de markt, verschillende supermarkten, scholen, crèches en vrijetijdsbestedingen. Kortom: dit huis kan in een mum van tijd uw thuis worden. G score: A P score: A
  • Aantal kamers: 3
  • Aantal badkamers: 1
  • Lopende verkoop
  • Startdatum: 29/12/2025 13:00
  • Einddatum: 06/01/2026 13:00
  • Geen bod: 1000 €
  • Kadastraal inkomen: 513 €
  • Vrij vanaf: Bij de akte
  • DECLERCK, Henry
  • Contactpersoon: Thibault DECLERCK
  • Tel: (051) 72.20.64
  • Email: henry.declerck@belnot.be
  • Bezoekgegevens
  • Een bezoeken kan op een van volgende momenten worden ingepland, na voorafgaande afspraak met de verkoper via het nummer 0479 / 84 71 71: op zaterdag 27/12/2025, op zondag 28/12/2025, op zondag 04/01/2026, telkens van 10:00 uur tot 16:00 uur.

Huizen

33 Hollebeek, 9140 Temse

Doe een bod van
330.000 €

Presentatiebeeld van het pand n° 291175
Uit de hand
  • Referentie: 291175
  • Te renoveren woning met veel potentieel, gelegen in een gezellige woonwijk. Oppervlakte 717 m². Met o.a.: 3 slaapkamers, badkamer, 2 garages en tuin. G score: A P score: A
  • Aantal kamers: 3
  • Aantal badkamers: 1
  • Kadastraal inkomen: 607 €
  • Vrij vanaf: Bij de akte
  • NOTARISSEN Els DE BLOCK en Tim VANDERSTEEN
  • Contactpersoon: Anna DE WINTER
  • Tel: (03) 711.08.27
  • Email: anna@notarissentemse.be

Appartementen

46 Rue Chavannes, 6000 Charleroi

Doe een bod van
35.000 €

Presentatiebeeld van het pand n° 252677
Uit de hand
  • Referentie: 252677
  • comprenant : un hall d'entrée, une cuisine, un living room, une chambre, une salle d'eau avec meuble évier et un wc (il y a un bain jacuzzi dans une autre pièce), un bureau, une cave, un poêle à pellet.
  • Aantal kamers: 1
  • Aantal badkamers: 1
  • Kadastraal inkomen: 813 €
  • Vrij vanaf: Bij de akte
  • Nicolas Rousseaux, Notaire
  • Contactpersoon: Jackie CARLIER
  • Tel: (071) 31.47.18
  • Email: jackie.carlier.127183@belnot.be
  • Bezoekgegevens
  • Contacter l'étude au 071/31.47.18.

Huizen

3 Rue Saint-Roch, 1360 Perwez

Doe een bod van
280.000 €

Presentatiebeeld van het pand n° 291038
Online openbare verkoop
  • Referentie: 291038
  • Maison de maître avec jardin et garage, située dans le centre de Perwez, à proximité de toutes les facilités / Description : Elle se compose : Niveau -1 : caves/Chaufferie 15/12/12/12 m2 RDC : d’un grand hall d’entrée (18 m2), un living (36 m2), une cuisine (14 m2), un bureau (13 m2), une buanderie/pièce polyvalente à l'étage : un hall de nuit, 3 chambres (17/15/15 m2) et dressing de 16 m2 (passage vers la salle de bains), salle de bains de 16 m2. Grenier : rangement pour un total de 60 m2. Garages : 4 garages sis rue Creybeck Particularités : Chauffage central mazout Châssis PVC double vitrage Deux dépendances de jardin : remise de 12/14 m2. Facilité de parking à proximité. Occupé : bail écrit daté du 16 septembre 2025 pour une durée de 9 ans (loyer : 1.400 €) PEB : Numéro 20250926025981 - Classe énergétique : E ; - Consommation théorique totale d’énergie primaire, exprimée en kWh par an : 94.665 ; - Consommation spécifique d’énergie primaire, exprimée en kWh/m par an : 389. RC : 1368 € Superficie : 10 ares 90 centiares
  • Aantal kamers: 3
  • Oppervlakte van het woongedeelte: 190m2
  • Aantal badkamers: 1
  • Lopende verkoop
  • Startdatum: 02/02/2026 12:00
  • Einddatum: 10/02/2026 12:00
  • Geen bod: 1000 €
  • Kadastraal inkomen: 1368 €
  • Vrij vanaf: Andere
  • BAIJOT Fanny - NOTAIRE
  • Contactpersoon: Emilie DESOER
  • Tel: (081) 65.44.30
  • Email: emilie.desoer.133090@belnot.be
  • Bezoekgegevens
  • Visite sur RDV au 081/65.40.30 ou par mail : info@notairebaijot.be

Huizen

36 Avil Geerincklaan, 9240 Zele

Doe een bod van
140.000 €

Presentatiebeeld van het pand n° 291178
Online openbare verkoop
  • Referentie: 291178
  • Deze verzorgde bel-étagewoning heeft een indeling als volgt: bij het binnenkomen van de woning kom je in de ruime inkomhal met toegang tot de garage en meerdere handige bergruimtes, ideaal voor wie graag alles netjes organiseert. Via de trap naar boven kom je in de hal, die doorloopt naar de ruime woonkamer. De aangrenzende veranda zorgt voor extra lichtinval en biedt een mooi uitzicht op het stadstuintje. Aansluitend is de volledig ingerichte keuken. Op de 2e verdieping bevinden zich 3 slaapkamers, uitgerust met ingemaakte kasten, en een ruime badkamer. Kortom, een comfortabele en functionele woning met een gezellig stadstuintje! G score: A P score: A
  • Aantal kamers: 3
  • Aantal badkamers: 1
  • Lopende verkoop
  • Startdatum: 28/01/2026 15:00
  • Einddatum: 05/02/2026 15:00
  • Geen bod: 1000 €
  • Kadastraal inkomen: 540 €
  • Vrij vanaf: Bij de akte
  • FLIES & DE JONGHE, GEASSOCIEERDE NOTARISSEN
  • Contactpersoon: Wendy LEBOEUF
  • Tel: (052) 33.99.00
  • Email: wendy.leboeuf.354321@belnot.be
  • Bezoekgegevens
  • donderdagavond 15, 22 en 29 januari 2026 telkens van 18u-19u; zaterdagvoormiddag 17, 24 en 31 januari 2026 telkens van 10u-11u

Huizen

4 Rue Feron Moustier, 7350 Thulin

Doe een bod van
130.000 €

Presentatiebeeld van het pand n° 290882
Uit de hand
  • Referentie: 290882
  • Maison d'habitation comprenant: Rez-de-chaussée : une grande pièce à usage de salon-séjour, avec cheminée et voussettes au plafond - une seconde pièce avec coin à manger et cuisine semi équipée (meubles, taques, hotte, four) - Une salle de bains (évier + douche) - Un WC Etage : Palier, 3 chambres Grenier de rangement Extérieur : petit espace extérieur bétonné en partie Un garage attenant Chauffage : central gaz Châssis et vitrages : double vitrage Raccordements : eau – électricité – Égout – gaz Bon état général Environnement dans le centre de Thulin, à proximité immédiate de la place communale => Commerces de proximité + école Proche de l'autoroute et de la gare
  • Aantal kamers: 3
  • Kadastraal inkomen: 210 €
  • Vrij vanaf: Bij de akte
  • Anne WUILQUOT et Emmanuel NIZET, notaires associés
  • Contactpersoon: Wuilquot et Nizet Notaires associés
  • Tel: (065) 71.81.20
  • Email: info@wuilquot.be

Huizen

71 Rue Mont de Solre, 6560 Solre-sur-Sambre

Doe een bod van
180.000 €

Presentatiebeeld van het pand n° 289943
Uit de hand
  • Referentie: 289943
  • maison d'habitation en bon état et proche de toutes commodités composée au rez de chaussé d'un salon, d'une salle à manger, cuisine équipée arrière cuisine, salle de douche, w.c., salon extérieur / au premier étage 2 chambres / grenier aménageable / caves / double vitrage / toiture en bon état / chauffage central au mazout (les chauffages à pellets ainsi qu'à bois présents ne font pas partie de la vente) / panneaux photovoltaïques (8)
  • Aantal kamers: 2
  • Kadastraal inkomen: 499 €
  • Vrij vanaf: Bij de akte
  • Alexis BRAHY, Notaire
  • Contactpersoon: Nathalie RIMBOLD
  • Tel: (071) 20.69.70
  • Email: nathalie.rimbold.128702@belnot.be
  • Bezoekgegevens
  • Renseignements en l'étude

Huizen

177 Rue Wagner, 4100 Boncelles

Doe een bod van
60.000 €

Presentatiebeeld van het pand n° 291169
Online openbare verkoop
  • Referentie: 291169
  • Maison à rénover entièrement, située à Boncelles. Vente aux enchères sur le site biddit.be du 19 au 27 janvier 2026. Le bien se compose : -Au rez-de-chaussée : un séjour et une cuisine non équipée ainsi que deux pièces en travaux commencés mais non achevés ; -A l'étage : un hall, deux chambres à coucher et une salle de douche avec WC. -A l'extérieur : A l'avant de la maison, une cour, un garage et un atelier ; A l'arrière, un grand jardin. Emplacement idéal, maison située non loin de nombreux commerces et d'arrêts de bus ! Permis d'urbanisme délivré en date du 17 mai 2019 autorisant l'agrandissement de l'habitation unifamiliale. Travaux entamés mais non achevés. Si vous souhaitez une visite ou davantage de renseignements sur le bien, je vous remercie de bien vouloir prendre contact directement avec l'Etude au 04/337.15.44 (visites possibles à partir du mercredi 7 janvier 2026). Pour votre information, l'Etude sera fermée du 20 décembre au 28 décembre 2025 ainsi que du 1er janvier au 4 janvier 2026.
  • Aantal kamers: 2
  • Lopende verkoop
  • Startdatum: 19/01/2026 11:00
  • Einddatum: 27/01/2026 11:00
  • Geen bod: 1000 €
  • Kadastraal inkomen: 466 €
  • Vrij vanaf: Bij de akte
  • AEQUALIS NOTAIRES ASSOCIES
  • Contactpersoon: Kim VERACHTERT
  • Tel: (04) 337.15.44
  • Email: kim.verachtert.460025@belnot.be
  • Bezoekgegevens
  • Visite sur rendez-vous par téléphone au 04/337.15.44 (visites à partir du mercredi 7 janvier 2026)

Gronden

662 Mechelbaan, 2580 Putte

Doe een bod van
2.282 €

Presentatiebeeld van het pand n° 291185
Online openbare verkoop
  • Referentie: 291185
  • LOT 2: Een perceel grond (kadastraal beschreven als bouwland), gelegen te Putte, ter plaatse "Den Schaepshoek", thans ten kadaster gekend onder sectie D nummer 12YP0000, voor een oppervlakte van 326 m². Blanco bodemattest - ANB Kapmachtiging Geen herstelvorderingen - Geen bouwovertredingen Geen erfgoed - Gedeeltelijk gelegen in overstromingsgevoelig gebied zie P-score Gedeeltelijk ELIA KLIM lid betrokken Vrij van gebruik en pacht. P score: D
  • Lopende verkoop
  • Startdatum: 03/02/2026 14:00
  • Einddatum: 11/02/2026 14:00
  • Geen bod: 1000 €
  • Vrij vanaf: Onmiddellijk
  • Notaris Anne Cartuyvels
  • Contactpersoon: Kantoor Not. Anne Cartuyvels
  • Tel: (03) 238.45.35
  • Email: anne.cartuyvels@notaris.be
  • Bezoekgegevens
  • vrij te bezichtigen.

Gronden

662 Mechelbaan, 2580 Putte

Doe een bod van
27.384 €

Presentatiebeeld van het pand n° 291186
Online openbare verkoop
  • Referentie: 291186
  • LOT 3: Een perceel grond (kadastraal beschreven als bouwland), gelegen te Putte, ter plaatse "Den Schaepshoek", thans ten kadaster gekend onder sectie D nummer 13EP0000, voor een oppervlakte van drieduizend negenhonderd en twaalf vierkante meter (3.912m²). Blanco bodemattest - ANB Kapmachtiging Voorkooprecht Vlaamse Waterweg Geen herstelvorderingen - Geen bouwovertredingen Geen erfgoed - Gedeeltelijk gelegen in overstromingsgevoelig gebied zie P-score Gedeeltelijk ELIA KLIM lid betrokken Vrij van gebruik en pacht. P score: D
  • Lopende verkoop
  • Startdatum: 03/02/2026 14:00
  • Einddatum: 11/02/2026 14:00
  • Geen bod: 1000 €
  • Vrij vanaf: Onmiddellijk
  • Notaris Anne Cartuyvels
  • Contactpersoon: Kantoor Not. Anne Cartuyvels
  • Tel: (03) 238.45.35
  • Email: anne.cartuyvels@notaris.be
  • Bezoekgegevens
  • vrij te bezichtigen.

Gronden

662 Mechelbaan, 2580 Putte

Doe een bod van
21.399 €

Presentatiebeeld van het pand n° 291188
Online openbare verkoop
  • Referentie: 291188
  • LOT 4: Een perceel grond (kadastraal beschreven als bouwland), gelegen te Putte, ter plaatse "Den Schaepshoek", thans ten kadaster gekend onder sectie D nummer 13GP0000, voor een oppervlakte van drieduizend zevenenvijftig vierkante meter (3.057m²). Blanco bodemattest - ANB Kapmachtiging Geen herstelvorderingen - Geen bouwovertredingen Geen erfgoed - Gedeeltelijk gelegen in overstromingsgevoelig gebied zie P-score Gedeeltelijk ELIA KLIM lid betrokken Vrij van gebruik en pacht. P score: D
  • Lopende verkoop
  • Startdatum: 03/02/2026 14:00
  • Einddatum: 11/02/2026 14:00
  • Geen bod: 1000 €
  • Vrij vanaf: Onmiddellijk
  • Notaris Anne Cartuyvels
  • Contactpersoon: Kantoor Not. Anne Cartuyvels
  • Tel: (03) 238.45.35
  • Email: anne.cartuyvels@notaris.be
  • Bezoekgegevens
  • vrij te bezichtigen.

Gronden

662 Mechelbaan, 2580 Putte

Doe een bod van
7.700 €

Presentatiebeeld van het pand n° 291190
Online openbare verkoop
  • Referentie: 291190
  • LOT 6: Een perceel grond (kadastraal beschreven als bouwland), gelegen te Putte, ter plaatse "Den Schaepshoek", thans ten kadaster gekend onder sectie D nummer 14HP0000, voor een oppervlakte van 1.100m². Blanco bodemattest - ANB Kapmachtiging Voorkooprecht Vlaamse Waterweg Geen herstelvorderingen - Geen bouwovertredingen Geen erfgoed - Gedeeltelijk gelegen in overstromingsgevoelig gebied zie P-score Gedeeltelijk ELIA KLIM lid betrokken Vrij van gebruik en pacht P score: D
  • Lopende verkoop
  • Startdatum: 03/02/2026 14:00
  • Einddatum: 11/02/2026 14:00
  • Geen bod: 1000 €
  • Vrij vanaf: Onmiddellijk
  • Notaris Anne Cartuyvels
  • Contactpersoon: Kantoor Not. Anne Cartuyvels
  • Tel: (03) 238.45.35
  • Email: anne.cartuyvels@notaris.be
  • Bezoekgegevens
  • vrij te bezichtigen.

Gronden

662 Mechelbaan, 2580 Putte

Doe een bod van
113.071 €

Presentatiebeeld van het pand n° 291191
Online openbare verkoop
  • Referentie: 291191
  • LOT 7: Dit lot omvat de loten 1 tot en met 6 samengevoegd voor een totale oppervlakte van 16153 m² Blanco bodemattest - ANB Kapmachtiging Voorkooprecht Vlaamse Waterweg Geen herstelvorderingen - Geen bouwovertredingen Geen erfgoed - Gedeeltelijk gelegen in overstromingsgevoelig gebied zie P-score Gedeeltelijk ELIA KLIM lid betrokken Vrij van gebruik en pacht P score: D
  • Lopende verkoop
  • Startdatum: 03/02/2026 14:00
  • Einddatum: 11/02/2026 14:00
  • Geen bod: 1000 €
  • Vrij vanaf: Onmiddellijk
  • Notaris Anne Cartuyvels
  • Contactpersoon: Kantoor Not. Anne Cartuyvels
  • Tel: (03) 238.45.35
  • Email: anne.cartuyvels@notaris.be
  • Bezoekgegevens
  • vrij te bezichtigen.

Appartementen

3 Avenue Albert Ier (MM), 6032 Mont-sur-Marchienne

Doe een bod van
150.000 €

Presentatiebeeld van het pand n° 291193
Uit de hand
  • Referentie: 291193
  • Un bel appartement sis à l’Avenue Albert Ier,n° 3 Boîte 11. Sur 2 ares 80 ca - RC : 847 €. Comprenant : Deux réserves (en sous - sol) 1er étage : Hall, wc, living, salle de bain, cuisine avec balcon, 2 chambres (une côté rue et une côté cour). 2 Greniers PEB : C Electricité non conforme. Chauffage central au gaz de ville Double vitrage. Pas de garage. Pas d'ascenseur. Des volets (uniquement côté cour). Libre à l’acte. Faire offre à partir de 150. 000 € Visites : sur permis de l’étude le mardi 15H - 17 H et le vendredi 15 H – 17 H.
  • Aantal kamers: 2
  • Aantal badkamers: 1
  • Kadastraal inkomen: 847 €
  • Vrij vanaf: Bij de akte
  • Notaire Léopold DERBAIX
  • Contactpersoon: Justa DOUNGMENE FOUE
  • Tel: (064) 36.68.68
  • Email: LEOPOLD.DERBAIX@BELNOT.BE

Gronden

Rue Pierre Schlosser, 1070 Anderlecht

Doe een bod van
80.800 €

Presentatiebeeld van het pand n° 290339
Online openbare verkoop
  • Referentie: 290339
  • Een perceel grond Gelegen Pierre Schlosserstraat, gekad. 8e afd. nr 0693L P0000 voor een oppervlakte van 1a 95ca. Het perceel is in het groen weergegeven op de plattegrond met het meetrapport. N.g.k.i. 1€. Vrij van gebruik. Gemengd gebied. Vrij te bezichtigen. Begin biedingen : woensdag 04.02.26 om 13u - Einde biedingen : donderdag 12.02.26 om 13u - Instelprijs : 80.800€ - Bodverhoging : 1.000€ - Ondertekening akte : donderdag 19.02.26 om 15u30 op het gemeentehuis van Anderlecht - www.biddit.be - Ref. pand : 290339.
  • Lopende verkoop
  • Startdatum: 04/02/2026 13:00
  • Einddatum: 12/02/2026 13:00
  • Geen bod: 1000 €
  • Kadastraal inkomen: 1 €
  • Vrij vanaf: Bij de akte
  • Van Halteren Notaires
  • Contactpersoon: Filip SARRE
  • Tel: (02) 227.58.29
  • Email: filip.sarre@vanhalteren.be
  • Bezoekgegevens
  • Vrij te bezichtigen.

Huizen

70 Kerkstraat, 1640 Sint-Genesius-Rode

Doe een bod van
160.000 €

Presentatiebeeld van het pand n° 291167
Online openbare verkoop
  • Referentie: 291167
  • Een woonhuis met aanhorigheden Gelegen Kerkstraat 70 voor een oppervlakte van 1a 58ca. Omvattende : kelder - Glvl.: inkomhal, ingerichte keuken, living, eetkamer, wc, tuin, terras, tuinhuis - 1e verd. : 2 slaapkamers, douchecel - 2e verd. : zolder. N.g.k.i. 369€. Vrij van gebruik. Woongebied. EPC E/402. Contr. elektr. niet conform. Bezoeken vanaf 5/1 tem 7/2 : woensdagen en zaterdagen van 14-16u. Begin biedingen : maandag 02.02.26 om 10u - Einde biedingen : dinsdag 10.02.26 om 10u - Instelprijs : 160.000€ - Bodverhoging : 1.000€ - Ondertekening akte : donderdag 12.02.26 om 16u - www.biddit.be - Ref. pand : 291167.
  • Aantal kamers: 2
  • Lopende verkoop
  • Startdatum: 02/02/2026 10:00
  • Einddatum: 10/02/2026 10:00
  • Geen bod: 1000 €
  • Kadastraal inkomen: 369 €
  • Vrij vanaf: Bij de akte
  • MEERSMAN Jan, Notaris
  • Contactpersoon: Justine GHEKIERE
  • Tel: (02) 333.84.28
  • Email: jg@notarismeersman.be
  • Bezoekgegevens
  • vanaf 5/1 tem 7/2 : woensdagen en zaterdagen van 14-16u.

Gronden

127 Smisstraat, 1840 Steenhuffel

Doe een bod van
478.000 €

Presentatiebeeld van het pand n° 291195
Uit de hand
  • Referentie: 291195
  • Ontdek deze interessante eigendom, perfect voor projectontwikkelaars, investeerders of handige kopers die op zoek zijn naar een nieuw project. De aanbieding omvat twee percelen gelegen in woongebied: één met een af te breken woning (485Y en 485V) en één aangrenzend perceel grond (488h), gelegen op de hoek van de Smisstraat en de Dorselweg. Beide percelen worden samen verkocht, maar een aparte verkoop is bespreekbaar. De ligging is rustig en toch bijzonder centraal. Bij interesse, neem gerust contact op voor meer informatie. P score: D
  • Vrij vanaf: Bij de akte
  • Van den Nieuwenhuizen, De Witte & Van Deun, geassocieerde notarissen
  • Contactpersoon: Sien VAN BOCKSTAL
  • Tel: 038971523
  • Email: sien@vdnnotarissen.be

Huizen

88 Hoogstraat, 1650 Beersel

Doe een bod van
290.000 €

Presentatiebeeld van het pand n° 290958
Online openbare verkoop
  • Referentie: 290958
  • Een woonhuis met tuin Gelegen Hoogstraat 88 met een oppervlakte van 9a 56ca 6 tma. Omvattende 3 slaapkamers. N.g.k.i. 823€. Vrij van gebruik. Woongebied, niet geklasseerd. Recht van Voorkoop krachtens de Vlaamse Wooncode. Overstromingsrapport : 23/10/2025 : Informatie voor het volledige perceel : perceelscore of P-Score : A - Gebouwenscore of G-score : A. Asbestinventarisattest code UC : 20251013-000397-000 dd 13/10/2025 : eindconclusie : Niet-asbestveilig - 2 Asbestmaterialen verwijderen - 1 asbestmateriaal zorgvuldig beheren. EPC F/598. Bezoeken (vanaf 6/1/2026) : dinsdag van 10-12u en zaterdag van 9-11u. Infosessie : donderdag 15.01.26 om 9u30 - Begin biedingen : dinsdag 27.01.26 om 11u - Einde biedingen : woensdag 04.02.26 om 11u - Instelprijs : 290.000€ - Bodverhoging : 1.000€ - Ondertekening akte : woensdag 11.02.26 om 15u op kantoor van de notaris - www.biddit.be - Ref. pand : 290958.
  • Aantal kamers: 3
  • Lopende verkoop
  • Startdatum: 27/01/2026 11:00
  • Einddatum: 04/02/2026 11:00
  • Geen bod: 1000 €
  • Kadastraal inkomen: 823 €
  • Vrij vanaf: Bij de akte
  • Véronique BONEHILL et Laurent WETS, Notaires Associés
  • Contactpersoon: Pascale REIS
  • Tel: (02) 210.56.90
  • Email: pascale.reis.106708@belnot.be
  • Bezoekgegevens
  • (vanaf 6/1/2026) : dinsdag van 10-12u en zaterdag van 9-11u.

Huizen

6-14 Zwedenstraat, 1060 Sint-Gillis

Doe een bod van
170.000 €

Presentatiebeeld van het pand n° 289400
Online openbare verkoop
  • Referentie: 289400
  • In een gebouw genaamd « residentie ZUID-ZWEDEN » gelegen Zwedenstraat 6-14 Het appartement « A.52 » op 5e verd. Omvattende inkomhal, living, keuken, wasplaats, nachthal, wc, 2 slaapkamers, badkamer, kelder nr 9, autostaanplaats nr 16 op ondergr. verd. N.g.k.i. 1.098€. Bewoond door eigenaar. Woongebied. EPC B/78. Contr. elektr. niet conform. Bezoeken : zaterdagen 17-24-31/1 van 10-12u en woensdagen 14-21-28/1 van 13-15u. Begin biedingen : zondag 25.01.26 om 12u - Einde biedingen : maandag 02.02.26 om 12u - Instelprijs : 170.000€ - Bodverhoging : 1.000€ - Ondertekening akte : woensdag 04.02.26 om 14u - www.biddit.be - Ref. pand : 289400.
  • Aantal kamers: 2
  • Aantal badkamers: 1
  • Lopende verkoop
  • Startdatum: 25/01/2026 12:00
  • Einddatum: 02/02/2026 12:00
  • Geen bod: 1000 €
  • Kadastraal inkomen: 1098 €
  • Vrij vanaf: Bij de akte
  • Guy DESCAMPS, société notariale
  • Contactpersoon: Elisabeth RUBBERS
  • Tel: (02) 537.37.01
  • Email: elisabeth.rubbers@thibaut-descamps.be
  • Bezoekgegevens
  • zaterdagen 17-24-31/1 van 10-12u en woensdagen 14-21-28/1 van 13-15u.

Huizen

60 Chemin Vert, 7100 Trivières

Doe een bod van
80.000 €

Presentatiebeeld van het pand n° 291202
Uit de hand
  • Referentie: 291202
  • Bien faisant partie du LOT 2 (comprenant la maison faisant le coin sise Rue de la Moussière 2) Bâtiment en mauvais état général Maison située en zone d'habitat
  • Aantal kamers: 1
  • Kadastraal inkomen: 209 €
  • Vrij vanaf: Te bepalen
  • DROULEZ Virginie
  • Contactpersoon: Soline VANBELLE
  • Tel: 064310516
  • Email: soline.vanbelle.126201@belnot.be
  • Bezoekgegevens
  • La prise de rendez-vous doit être faite en contactant préalablement l'Etude.

Gronden

7608 Wiers

Doe een bod van
3.040 €

Presentatiebeeld van het pand n° 291205
Online openbare verkoop
  • Referentie: 291205
  • Terre occupée à Wiers - 34 ares 40 ca
  • Lopende verkoop
  • Startdatum: 20/01/2026 13:00
  • Einddatum: 28/01/2026 13:00
  • Geen bod: 1000 €
  • Kadastraal inkomen: 17 €
  • Vrij vanaf: Andere
  • Notaire Cindy Schoone
  • Contactpersoon: Cindy SCHOONE
  • Tel: (069) 77.10.95
  • Email: cindy.schoone@belnot.be

Andere

8+ Rue de la Moussière, 7100 Trivières

Doe een bod van
75.000 €

Presentatiebeeld van het pand n° 291209
Uit de hand
  • Referentie: 291209
  • Bien cadastré en nature de lavatory sis Rue de la Moussière 8+, avec un jardin. Le bien fait partie du LOT 1, comprenant la maison sise rue de la Moussière 8 et la maison sise rue de la Moussière 10)
  • Vrij vanaf: Te bepalen
  • DROULEZ Virginie
  • Contactpersoon: Soline VANBELLE
  • Tel: 064310516
  • Email: soline.vanbelle.126201@belnot.be

Huizen

16 Sparrenlaan, 2980 Zoersel

Doe een bod van
300.000 €

Presentatiebeeld van het pand n° 291146
Online openbare verkoop
  • Referentie: 291146
  • Gelegen op een gunstige én groene locatie in Zoersel. Het perceel heeft een oppervlakte van 1.827m² met een zuid-oost oriëntatie. Mits de nodige renovatiewerken kan dit huis een thuis worden. BEZOEK: op vrijdag 2/1, 9/1, 16/1, 23/1van 14u-16u. G score: A P score: A
  • Aantal kamers: 3
  • Oppervlakte van het woongedeelte: 172m2
  • Aantal badkamers: 1
  • Lopende verkoop
  • Startdatum: 19/01/2026 13:00
  • Einddatum: 27/01/2026 13:00
  • Geen bod: 1500 €
  • Kadastraal inkomen: 1343 €
  • Vrij vanaf: Onmiddellijk
  • SCRIPTAS Notarissen
  • Contactpersoon: Maud DUCHATEAU
  • Tel: (03) 206.20.15
  • Email: md@scriptasnotarissen.be
  • Bezoekgegevens
  • op vrijdag 2/1, 9/1, 16/1, 23/1van 14u-16u.

Huizen

22 Zeveneken-Dorp, 9080 Zeveneken

Doe een bod van
95.000 €

Presentatiebeeld van het pand n° 291177
Online openbare verkoop
  • Referentie: 291177
  • Goed gelegen woning in het dorp van Zeveneken. De woning met vooraan een nachtwinkel is momenteel verhuurd aan 1.000€/maand. Het pand bestaat uit meerdere ruimten die volledig naar wens kunnen worden ingedeeld. Het pand is te renoveren naar hedendaags comfort. Alle bijzondere bepalingen zijn opgenomen in de algemene verkoopsvoorwaarden, verkrijgbaar via biddit. Elektriciteit niet conform - Energielabel F (= renovatieverplichting) - Asbestveilig. G score: A P score: A
  • Aantal kamers: 1
  • Aantal badkamers: 1
  • Lopende verkoop
  • Startdatum: 27/01/2026 09:00
  • Einddatum: 04/02/2026 09:00
  • Geen bod: 1000 €
  • Kadastraal inkomen: 332 €
  • Vrij vanaf: Te bepalen
  • NOTAS, geassocieerde notarissen
  • Contactpersoon: Aminata SOW
  • Tel: (09) 225.60.60
  • Email: aminata.sow@notas.be
  • Bezoekgegevens
  • zonder afspraak: -Zaterdag 20/12/2025 van 18:00 tot 20:00 -Dinsdag 30/12/2025 van 18:00 tot 20:00 -Dinsdag 06/01/2026 van 18:00 tot 20:00 -Dinsdag 27/01/2026 van 18:00 tot 20:00 -Donderdag 15/01/2026 van 18:00 tot 20:00

Gronden

Ballaststraat, 3900 Overpelt

Doe een bod van
350.574 €

Presentatiebeeld van het pand n° 291176
Uit de hand
  • Referentie: 291176
  • GEMEENTE PELT - eerste afdeling - Overpelt - eerste afdeling: 1. Perceel bouwland, ter plaatse gekend "Hoevenderdennebosschen", volgens titel gekend onder sectie C nr. 8A en volgens recent kadastraal uittreksel gekend onder sectie C, nr. 8A P0000, groot volgens titel en kadaster 62a 50ca. Aangeduid in donkerblauw op plan. 2. Twee percelen weiland, ter plaatse gekend "Hoevender Dennebosschen", volgens titel gekend onder sectie C nrs. 9B en 10A en volgens recent kadastraal uittreksel gekend onder sectie C, nrs. 9B P0000 en 10A P0000, samen groot volgens meting 48a 39ca en volgens kadaster 49a 50ca. Aangeduid in beige op plan. 3. Perceel bouwland, ter plaatse gekend "Hoevender Dennebosschen", volgens titel gekend onder sectie C nr. 10B en volgens recent kadastraal uittreksel gekend onder sectie C, nr. 10B P0000, groot volgens kadaster 24a 70ca. Aangeduid in roze op plan. 4. Vijf percelen bouwland, ter plaatse gekend "Hoevender Denne Bosschen", volgens titel gekend onder sectie C nrs. 16B, 21C, 21D, 20D en 20E en volgens recent kadastraal uittreksel gekend onder sectie C, nrs. 16B P0000, 20D P0000, 20E P0000, 21C P0000 en 21D P0000, samen groot volgens meting 1ha 85a 2ca en volgens kadaster 1ha 88a 34ca. Aangeduid in paars op plan. 5. Perceel weiland, ter plaatse gekend "Heesackerheide", volgens titel gekend onder sectie B nr. 1069/S/3 en volgens recent kadastraal uittreksel gekend onder sectie B, nr. 1069S3 P0000, groot volgens kadaster 40a 50ca. Aangeduid in lichtblauw op plan. 6. Perceel weiland, ter plaatse gekend "Heesacker Heide", volgens titel gekend onder sectie B nr. 1069 V2 en volgens recent kadastraal uittreksel gekend onder sectie B, nr. 1069V2 P0000, groot volgens kadaster 46a 90ca. Aangeduid in groen op plan. Bestemming van de percelen: - Perceelnrs. 21D, 21C, 16B, 20D, 9B, 20E, 10A en 10B: agrarisch gebied - Perceelnr. 8A: deels bosgebied en deels agrarisch gebied - Perceelnrs. 1069V2 en 1069S3: landschappelijk waardevol agrarisch gebied. De percelen 1069V2 en 1069S3 bevinden zich binnen een vastgesteld landschapsatlasrelict, genaamd “Valleien van Dommel en Bollisserbeek tussen Peer, Hechtel-Eksel, Overpelt en Neerpelt”. Dit gebied is beschermd bij ministerieel besluit van 5 december 2013, wat de bijzondere landschappelijke en erfgoedwaarde onderstreept (meer info via www.onroerenderfgoed.be). Integraal Waterbeleid: P-score A: percelen 8A en 1069S3; P-score B: percelen 10B, 16B, 20D, 20E, 21C en 21D; P-score D: percelen 9B, 10A en 1069V2; G-score: onbekend. De percelen 1069V2, 9B en 10A zijn aangeduid als overstromingsgevoelig. Bijzonderheden: Goederen zijn verpacht tot 31 december 2028. Meer inlichtingen via het kantoor van notarissen Seresia, Mariën & Conjaerts te Pelt, Juliaan De Vriendtstraat 23 - 011/51.02.70 - info@smcnotarissen.be - www.smcnotarissen.be
  • Vrij vanaf: Andere
  • Seresia, Mariën & Conjaerts, geassocieerde notarissen
  • Contactpersoon: Jenny VERCAMMEN
  • Tel: (011) 51.02.70
  • Email: jenny.vercammen@smcnotarissen.be

Huizen

111 Rue du Village, 4161 Villers-aux-Tours

Doe een bod van
165.000 €

Presentatiebeeld van het pand n° 290330
Uit de hand
  • Referentie: 290330
  • Nous proposons à la vente, agréable maison villageoise en pierres avec garage, cour et jardin. Composition : Rez-de-chaussée : un hall, une salle à manger, un salon, cuisine avec un coin buanderie, une arrière cuisine avec un accès au jardin, un wc. 1er étage : un hall de nuit, trois chambres, une salle de bain. 2ème étage : un grand grenier aménageable. Au sous-sol : une cave. Un garage non attenant, une cour et un jardin à l'arrière. Publicite non contractuelle.
  • Aantal kamers: 3
  • Kadastraal inkomen: 411 €
  • Vrij vanaf: Bij de akte
  • Etudes Notariales associées
  • Contactpersoon: Anne-Louise BURTON
  • Tel: (085) 25.00.55
  • Email: info@lesnotaires.be
  • Bezoekgegevens
  • Veuillez prendre contact avec Monsieur DIRICK au 04/277.18.77 (tapez 2).

Gronden

662 Mechelbaan, 2580 Putte

Doe een bod van
39.697 €

Presentatiebeeld van het pand n° 291184
Online openbare verkoop
  • Referentie: 291184
  • LOT 1: Een perceel grond (kadastraal beschreven als bouwland), gelegen te Putte, ter plaatse "Den Schaepshoek", thans ten kadaster gekend onder sectie D nummer 12TP0000, voor een oppervlakte van 5.671m². Blanco bodemattest - ANB Kapmachtiging Voorkooprecht Vlaamse Waterweg Geen herstelvorderingen - Geen bouwovertredingen Geen erfgoed - Gedeeltelijk gelegen in overstromingsgevoelig gebied zie P-score Gedeeltelijk ELIA KLIM lid betrokken Vrij van gebruik en pacht P score: D
  • Lopende verkoop
  • Startdatum: 03/02/2026 14:00
  • Einddatum: 11/02/2026 14:00
  • Geen bod: 1000 €
  • Vrij vanaf: Onmiddellijk
  • Notaris Anne Cartuyvels
  • Contactpersoon: Kantoor Not. Anne Cartuyels
  • Tel: (03) 238.45.35
  • Email: anne.cartuyvels@notaris.be
  • Bezoekgegevens
  • vrij te bezichtigen.

Gronden

662 Mechelbaan, 2580 Putte

Doe een bod van
14.609 €

Presentatiebeeld van het pand n° 291189
Online openbare verkoop
  • Referentie: 291189
  • LOT 5: Een perceel grond (kadastraal beschreven als bouwland), gelegen te Putte, ter plaatse "Den Schaepshoek", thans ten kadaster gekend onder sectie D nummer 14GP0000, voor een oppervlakte van tweeduizend zevenentachtig vierkante meter (2.087m²). Blanco bodemattest - ANB Kapmachtiging Voorkooprecht Vlaamse Waterweg Geen herstelvorderingen - Geen bouwovertredingen Geen erfgoed - Gedeeltelijk gelegen in overstromingsgevoelig gebied zie P-score Gedeeltelijk ELIA KLIM lid betrokken Vrij van gebruik en pacht. P score: D
  • Lopende verkoop
  • Startdatum: 03/02/2026 14:00
  • Einddatum: 11/02/2026 14:00
  • Geen bod: 1000 €
  • Vrij vanaf: Onmiddellijk
  • Notaris Anne Cartuyvels
  • Contactpersoon: Kantoor Not. Anne Cartuyvels
  • Tel: (03) 238.45.35
  • Email: anne.cartuyvels@notaris.be
  • Bezoekgegevens
  • vrij te bezichtigen.

Gronden

335 Adolphe Willemynsstraat, 1070 Anderlecht

Doe een bod van
136.000 €

Presentatiebeeld van het pand n° 290338
Online openbare verkoop
  • Referentie: 290338
  • Een perceel grond met berging Gelegen Adolphe Willemynsstraat 335, gekad. 2e afd. nr 0188N P0000 voor een oppervlakte van 2a 65ca. Het perceel is in het groen weergegeven op de plattegrond met het meetrapport. N.g.k.i. 143€. Vrij van gebruik. Woongebied met residentieel karakter, gebied voor gemeenschapsvoorzieningen en openbaar nut. Vrij te bezichtigen. Begin biedingen : woensdag 04.02.26 om 13u - Einde biedingen : donderdag 12.02.26 om 13u - Instelprijs : 136.000€ - Bodverhoging : 1.000€ - Ondertekening akte : donderdag 19.02.26 om 16u op het gemeentehuis van Anderlecht - www.biddit.be - Ref. pand : 290338.
  • Lopende verkoop
  • Startdatum: 04/02/2026 13:00
  • Einddatum: 12/02/2026 13:00
  • Geen bod: 1000 €
  • Kadastraal inkomen: 143 €
  • Vrij vanaf: Bij de akte
  • Van Halteren Notaires
  • Contactpersoon: Filip SARRE
  • Tel: (02) 227.58.29
  • Email: filip.sarre@vanhalteren.be
  • Bezoekgegevens
  • Vrij te bezichtigen.

Gronden

Veldstraat, 2310 Rijkevorsel

Doe een bod van
275.000 €

Presentatiebeeld van het pand n° 291192
Uit de hand
  • Referentie: 291192
  • Perceel bouwgrond van 1050 m² De grond zal tegen de akte leeggemaakt worden P score: A
  • Kadastraal inkomen: 8 €
  • Vrij vanaf: Bij de akte
  • Michoel, Bremans & Hens, notarissen
  • Contactpersoon: Veerle GRUYAERT
  • Tel: (03) 314.51.77
  • Email: veerle.gruyaert.214749@belnot.be

Gronden

2 Broekstraat, 1070 Anderlecht

Doe een bod van
382.720 €

Presentatiebeeld van het pand n° 290340
Online openbare verkoop
  • Referentie: 290340
  • Een perceel grond Gelegen op de hoek van Broeckstraat 2 en de Vanden Berghestraat 10, gekad. 1e afd. nr 0735R P0000 voor een oppervlakte van 4a 40ca, nr 0740B2 P0000 voor een oppervlakte van 1a 87ca en nr 0740A2 P0000 voor een oppervlakte van 1a 96ca. Het perceel is in het geel weergegeven op de plattegrond vmet het meetrapport. N.g.k.i. 6€. Vrij van gebruik. Woongebied GCHEWS, gebied voor gemeenschapsvoorzieningen en openbaar nut. Vrij te bezichtigen. Begin biedingen : woensdag 04.02.26 om 13u - Einde biedingen : donderdag 12.02.26 om 13u - Instelprijs : 382.720€ - Bodverhoging : 1.000€ - Ondertekening akte : donderdag 19.02.26 om 15u op het gemeentehuis van Anderlecht - www.biddit.be - Ref. pand : 290340.
  • Lopende verkoop
  • Startdatum: 04/02/2026 13:00
  • Einddatum: 12/02/2026 13:00
  • Geen bod: 1000 €
  • Kadastraal inkomen: 6 €
  • Vrij vanaf: Bij de akte
  • Van Halteren Notaires
  • Contactpersoon: Filip SARRE
  • Tel: (02) 227.58.29
  • Email: filip.sarre@vanhalteren.be
  • Bezoekgegevens
  • Vrij te bezichtigen.

Gronden

Rue des Betteraves, 1070 Anderlecht

Doe een bod van
61.280 €

Presentatiebeeld van het pand n° 290341
Online openbare verkoop
  • Referentie: 290341
  • Twee percelen grond Gelegen Bietenstraat, ter plaatse genaamd “Kleine Hoeve”, gekad. 7e afd. sect. G nr 0359D P0000 voor een oppervlakte van 38a 30ca en nr 0359C P0000 voor een oppervlakte van 38a 30ca. N.g.k.i. 36€ zijnde 18€ voor elk perceel. Vrij van gebruik. Landbouwgebied. Vrij te bezichtigen. Begin biedingen : woensdag 04.02.26 om 13u - Einde biedingen : donderdag 12.02.26 om 13u - Instelprijs : 61.280€ - Bodverhoging : 1.000€ - Ondertekening akte : donderdag 19.02.26 om 14u30 op het gemeentehuis van Anderlecht - www.biddit.be - Ref. pand : 290341.
  • Lopende verkoop
  • Startdatum: 04/02/2026 13:00
  • Einddatum: 12/02/2026 13:00
  • Geen bod: 1000 €
  • Kadastraal inkomen: 36 €
  • Vrij vanaf: Bij de akte
  • Van Halteren Notaires
  • Contactpersoon: Filip SARRE
  • Tel: (02) 227.58.29
  • Email: filip.sarre@vanhalteren.be
  • Bezoekgegevens
  • Vrij te bezichtigen.

Huizen

28 Rue Thône, 4020 Bressoux

Doe een bod van
147.500 €

Presentatiebeeld van het pand n° 290999
Uit de hand
  • Referentie: 290999
  • Le bien est composé comme suit : (le bien est actuellement loué) RDC : Hall d'entrée, grand séjour, cuisine, toilette/buanderie et accès à la cour. Sous-sol : espace chaufferie et cave. 1er étage : 2 chambres (19.72m² et 11.67m²). 2ème étage : 1 chambre (19m²) et une salle de douche.
  • Aantal kamers: 3
  • Oppervlakte van het woongedeelte: 144m2
  • Kadastraal inkomen: 411 €
  • Vrij vanaf: Te bepalen
  • Xhauflaire, Grégory
  • Contactpersoon: Noelia BOUZAS GARCIA
  • Tel: (04) 342.82.88
  • Email: noelia.bouzasgarcia.129361@belnot.be
  • Bezoekgegevens
  • Prendre contact avec l'étude pour fixer un rdv

Gronden

Boulevard Aristide Briand, 1070 Anderlecht

Doe een bod van
212.400 €

Presentatiebeeld van het pand n° 290343
Online openbare verkoop
  • Referentie: 290343
  • Een perceel bouwgrond Gelegen Aristide Briandlaan, heden gekad. 8e afd. sect. H nr 0549V P0000 voor een oppervlakte van 4a 28ca. Het perceel is in het groen weergegeven op de plattegrond met het meetrapport. N.g.k.i. 3€. Vrij van gebruik. Woongebied, structurerende ruimte. Vrij te bezichtigen. Begin biedingen : woensdag 04.02.26 om 13u - Einde biedingen : donderdag 12.02.26 om 13u - Instelprijs : 212.400€ - Bodverhoging : 1.000€ - Ondertekening akte : donderdag 19.02.26 om 13u30 op het gemeentehuis van Anderlecht - www.biddit.be - Ref. pand : 290343.
  • Lopende verkoop
  • Startdatum: 04/02/2026 13:00
  • Einddatum: 12/02/2026 13:00
  • Geen bod: 1000 €
  • Kadastraal inkomen: 3 €
  • Vrij vanaf: Bij de akte
  • Van Halteren Notaires
  • Contactpersoon: Filip SARRE
  • Tel: (02) 227.58.29
  • Email: filip.sarre@vanhalteren.be
  • Bezoekgegevens
  • Vrij te bezichtigen.

Gronden

Avenue Jean Sibélius, 1070 Anderlecht

Doe een bod van
206.080 €

Presentatiebeeld van het pand n° 290342
Online openbare verkoop
  • Referentie: 290342
  • Een perceel grond Gelegen Jean Sibéliuslaan, voor een oppervlakte van 3a 68ca deel uitmakend van een groter geheel heden gekad. 8e afd. sect. H nr 0048M P0000 voor een oppervlakte van 1a 13ca en nr 0048S P0000 voor 10a 40ca. Het perceel genaamd LOT 1 is in het blauw weergegeven op de plattegrond met het meetrapport. N.g.k.i. nog te bepalen. Vrij van gebruik. Woongebied met residentieel karakter. Vrij te bezichtigen. Begin biedingen : woensdag 04.02.26 om 13u - Einde biedingen : donderdag 12.02.26 om 13u - Instelprijs : 206.080€ - Bodverhoging : 1.000€ - Ondertekening akte : donderdag 19.02.26 om 14u op het gemeentehuis van Anderlecht - www.biddit.be - Ref. pand : 290342.
  • Lopende verkoop
  • Startdatum: 04/02/2026 13:00
  • Einddatum: 12/02/2026 13:00
  • Geen bod: 1000 €
  • Vrij vanaf: Bij de akte
  • Van Halteren Notaires
  • Contactpersoon: Filip SARRE
  • Tel: (02) 227.58.29
  • Email: filip.sarre@vanhalteren.be
  • Bezoekgegevens
  • Vrij te bezichtigen.

Appartementen

89 Boulevard Emile de Laveleye, 4020 Liège

Doe een bod van
92.500 €

Presentatiebeeld van het pand n° 291194
Uit de hand
  • Referentie: 291194
  • Situé au troisième étage de la résidence "Henri Goffin", ce studio se compose d'un hall d’entrée s’ouvrant sur un espace de vie comprenant un séjour avec un « coin à dormir » et une kitchenette. Une salle de bain privative intégrant un WC, un placard çà et là complètent l’espace; le tout pour une superficie d'environ 39 mètres carrés. Le balcon s’étend sur toute la largeur du bien et permet de profiter de toute la quiétude de l’arrière de l’immeuble. Idéalement situé proche du centre-ville de Liège, il est proche de toutes les commodités (moyens de transports, commerces, hautes-écoles). Il est vendu avec une cave et un garage situé à l’arrière de l’immeuble. L’accès y est sécurisé et il est facile d’y manœuvrer. Remarques : - Le bien est vendu en l’état. - Cette vente soumise à autorisation de justice. Une offre pour le lot complet devra être formulée par le candidat amateur. Celle-ci ventilera les montants tant pour le garage que pour l’appartement. N’hésitez pas à contacter l’étude pour toute question. Si vous souhaitez visiter ce bien, nous vous invitons à contacter notre étude au 04/343.16.74 A PARTIR DU 5 JANVIER 2026. Nous pourrons ainsi convenir ensemble d'un rendez-vous. Les visites ne commenceront qu'en janvier.
  • Aantal kamers: 1
  • Oppervlakte van het woongedeelte: 39m2
  • Aantal badkamers: 1
  • Kadastraal inkomen: 686 €
  • Vrij vanaf: Bij de akte
  • COEME & WERA, société notariale
  • Contactpersoon: Marlène PIRON
  • Tel: (04) 343.16.74
  • Email: marlene.piron.221727@belnot.be
  • Bezoekgegevens
  • Contacter à partir du 5 janvier 2026 la srl COEME et WERA, société notariale à Grivegnée au 04/343.16.74

Appartementen

9 Menuetstraat, 1080 Sint-Jans-Molenbeek

Doe een bod van
175.000 €

Presentatiebeeld van het pand n° 291024
Online openbare verkoop
  • Referentie: 291024
  • In een appartementsgebouw, residentie WHITE HOUSE gelegen Menuetstraat 9 Het appartement R/D op het gelijkvloers Omvattende inkomhal, keuken, living, badkamer, wc, 2 slaapkamers, kapsalon met massagecabine en klein winkeltje (heden living), terras voor-en achteraan, kelder nr 8 op ondergr. verd., garage nr 26 op ondergr. verd. N.g.k.i. 1.579€. Vrij na betaling en maximum 45 dagen na tekenen van PV van toewijzing. Woongebied. EPC G/979. Contr. elektr. niet conforme. Bezoeken : maandagen 5-12-19/1 van 12u30-14u30 en zaterdagen 10-17-24/1 van 16u30-18u30. Begin biedingen : maandag 19.01.26 om 14u - Einde biedingen : dinsdag 27.01.26 om 14u - Instelprijs : 175.000€ - Bodverhoging : 1.000€ - Ondertekening akte : maandag 02.02.26 om 10u - www.biddit.be - Ref. pand : 291024.
  • Aantal kamers: 2
  • Aantal badkamers: 1
  • Lopende verkoop
  • Startdatum: 19/01/2026 14:00
  • Einddatum: 27/01/2026 14:00
  • Geen bod: 1000 €
  • Kadastraal inkomen: 1579 €
  • Vrij vanaf: Andere
  • Jean-Pierre BERTHET et Antoine de LAME, Notaires associés
  • Contactpersoon: Antoine DE LAME
  • Tel: (02) 426.26.63
  • Email: antoine.delame@belnot.be
  • Bezoekgegevens
  • maandagen 5-12-19/1 van 12u30-14u30 en zaterdagen 10-17-24/1 van 16u30-18u30.

Appartementen

942 Alsembergsesteenweg, 1180 Ukkel

Doe een bod van
150.000 €

Presentatiebeeld van het pand n° 290008
Online openbare verkoop
  • Referentie: 290008
  • In een appartementsgebouw genaamd "Le Wolvenberg", gelegen Alsembergsesteenweg 942, appartement D5, op 5de verdieping, omvattende: een hal, living, keuken, nachthal, vestiaire, WC, badkamer, twee kamers, de kelder et een autostandplaats in de ondergrond. n.g.k.i. 1.232,00 EUR. Vrij van gebruik. woongebied, in structurerende ruimte. EPC - G. electr. niet conform. Bezoeken 14/01-4/02/2026 incl.: woe van 15u tot 17u en zat. van 13u tot 15u. Start biedingen: 29.01.2026 om 11u – Einde biedingen (zandloperfase): 06.02.206 om 11u - Instelprijs : 150.000€ - Bodverhoging : 1.000€ - Ondertekening akte: 11.02.2026 om 11u - www.biddit.be - Réf
  • Aantal kamers: 2
  • Aantal badkamers: 1
  • Lopende verkoop
  • Startdatum: 29/01/2026 11:00
  • Einddatum: 06/02/2026 11:00
  • Geen bod: 1000 €
  • Kadastraal inkomen: 1232 €
  • Vrij vanaf: Bij de akte
  • Notaris Lode Leemans
  • Contactpersoon: Sonia DE KOSTER
  • Tel: (02) 377.19.85
  • Email: sonia.dekoster.133629@belnot.be

Huizen

2 Rue de la Moussière, 7100 Trivières

Doe een bod van
80.000 €

Presentatiebeeld van het pand n° 291199
Uit de hand
  • Referentie: 291199
  • Maison à vendre sise Rue de la Moussière 2 à La Louvière (Trivières) (LOT 2), composée comme suit : Au rez-de-chaussée : un living, un cuisine non équipée Au sous-sol : une cave A l'étage : 3 pièces Le bien est situé en zone d'habitat et est équipé en châssis double vitrage en PVC. La maison est en mauvais état. Le LOT 2 est composée de la maison située derrière, Chemin Vert 60.
  • Aantal kamers: 3
  • Kadastraal inkomen: 290 €
  • Vrij vanaf: Te bepalen
  • DROULEZ Virginie
  • Contactpersoon: Soline VANBELLE
  • Tel: 064310516
  • Email: soline.vanbelle.126201@belnot.be
  • Bezoekgegevens
  • La prise de rendez-vous doit être faite en contactant préalablement l'Etude.

Huizen

2 Rue d'Oursel, 7608 Wiers

Doe een bod van
50.000 €

Presentatiebeeld van het pand n° 291132
Online openbare verkoop
  • Referentie: 291132
  • Maison à rénover complètement, à la campagne. Trois pièces à l'avant. Un couloir vers la salle d'eau. Deux pièces. Etage : Grenier aménageable. Divers : aucune isolation, électricité non conforme (le vendeur ne fera pas contrôler l'installation et l'acquéreur la prendra en état, à rénover complètement), humidité, cave sous eau, deux citernes à mazout et même si la contenance était supérieure à 3.000 litres, l'acquéreur les prendra à sa charge (pas de contrôle d'étanchéité). Jardin situé à droite de la maison à front de rue (zone agricole). Container sur le terrain doit être enlevé selon l'urbanisme de Péruwelz. Pas de raccordement à l'égout.
  • Aantal kamers: 1
  • Lopende verkoop
  • Startdatum: 20/01/2026 13:00
  • Einddatum: 28/01/2026 13:00
  • Geen bod: 2000 €
  • Kadastraal inkomen: 374 €
  • Vrij vanaf: Bij de akte
  • Notaire Cindy Schoone
  • Contactpersoon: Cindy SCHOONE
  • Tel: (069) 77.10.95
  • Email: cindy.schoone@belnot.be

Gronden

Rue du Quesnoy, 7100 Trivières

Doe een bod van
22.000 €

Presentatiebeeld van het pand n° 291203
Uit de hand
  • Referentie: 291203
  • Terrain de 12 ares 12 centiares
  • Kadastraal inkomen: 7 €
  • Vrij vanaf: Te bepalen
  • DROULEZ Virginie
  • Contactpersoon: Soline VANBELLE
  • Tel: 064310516
  • Email: soline.vanbelle.126201@belnot.be
  • Bezoekgegevens
  • La prise de rendez-vous doit être faite en contactant préalablement l'Etude.

Gronden

, 7608 Wiers

Doe een bod van
5.870 €

Presentatiebeeld van het pand n° 291206
Online openbare verkoop
  • Referentie: 291206
  • Terre occupée à Wiers de 58a70ca
  • Lopende verkoop
  • Startdatum: 20/01/2026 13:00
  • Einddatum: 28/01/2026 13:00
  • Geen bod: 1000 €
  • Kadastraal inkomen: 33 €
  • Vrij vanaf: Andere
  • Notaire Cindy Schoone
  • Contactpersoon: Cindy SCHOONE
  • Tel: (069) 77.10.95
  • Email: cindy.schoone@belnot.be

Huizen

8 Rue de la Moussière, 7100 Trivières

Doe een bod van
75.000 €

Presentatiebeeld van het pand n° 291207
Uit de hand
  • Referentie: 291207
  • Maison 2 façades avec jardin composée comme suit : - Au rez-de-chaussée : deux pièces, une cuisine équipée d'une taque de cuisson et d'un four, une salle de bain - A l'étage : deux chambres (communicantes) - Au sous-sol : une cave Le bien est en mauvais état général. Le bien fait partie du LOT 1, comprenant la maison sise rue de la Moussière 10 et un lavatory sis rue de la Moussière 8+)
  • Aantal kamers: 2
  • Kadastraal inkomen: 211 €
  • Vrij vanaf: Te bepalen
  • DROULEZ Virginie
  • Contactpersoon: Soline VANBELLE
  • Tel: 064310516
  • Email: soline.vanbelle.126201@belnot.be
  • Bezoekgegevens
  • La prise de rendez-vous doit être faite en contactant préalablement l'Etude.

Huizen

10 Rue de la Moussière, 7100 Trivières

Doe een bod van
75.000 €

Presentatiebeeld van het pand n° 291208
Uit de hand
  • Referentie: 291208
  • Maison 2 façades avec jardin composée comme suit : - Au rez-de-chaussée : deux pièces, une cuisine, deux petites pièces - A l'étage : deux chambres - Au sous-sol : une cave Le bien est en mauvais état général. Le bien fait partie du LOT 1, comprenant la maison sise rue de la Moussière 8 et un lavatory sis rue de la Moussière 8+)
  • Aantal kamers: 2
  • Kadastraal inkomen: 242 €
  • Vrij vanaf: Te bepalen
  • DROULEZ Virginie
  • Contactpersoon: Soline VANBELLE
  • Tel: 064310516
  • Email: soline.vanbelle.126201@belnot.be
  • Bezoekgegevens
  • La prise de rendez-vous doit être faite en contactant préalablement l'Etude.

Appartementen

100 Sint-Vincentiusstraat, 1140 Evere

Doe een bod van
140.000 €

Presentatiebeeld van het pand n° 291204
Online openbare verkoop
  • Referentie: 291204
  • Belle opportunité à saisir dans un agréable quartier résidentiel à Evere ! Appartement lumineux de deux chambres, grand living avec terrasse, cuisine, hall, wc, salle de bain et une cave. A proximité d'espaces verts (Parc du Bon Pasteur, parc Saint-Vincent,...); des transports en communs (gare Bordet, tram) et de nombreux commerces. A découvrir sans tarder !
  • Aantal kamers: 2
  • Lopende verkoop
  • Startdatum: 27/01/2026 10:00
  • Einddatum: 04/02/2026 10:00
  • Geen bod: 1000 €
  • Kadastraal inkomen: 1098 €
  • Vrij vanaf: Bij de akte
  • JEAN FRANCOIS & VALENTIN DELATTRE - NOTAIRES ASSOCIES
  • Contactpersoon: Nathalie LATEUR
  • Tel: (02) 384.22.00
  • Email: nathalie.lateur.111609@belnot.be
  • Bezoekgegevens
  • Le bien pourra être visité par les candidats acquéreurs sans rendez-vous aux dates suivantes : - les lundis 12, 19 et 26 janvier 2026 de 11h à 13h - les vendredis 16, 23 et 30 janvier 2026 de 11h à 13h. Il suffit de se rendre sur place aux heures de visites programmées.

Huizen

68 Rue Félicien Deneumoustier, 5001 Belgrade

Doe een bod van
180.000 €

Presentatiebeeld van het pand n° 291174
Online openbare verkoop
  • Referentie: 291174
  • Maison 5 chambres avec terrasse et jardin, d'une surface habitable de +/- 150 m², se composant comme suit : - au rez-de-chaussée : un hall d'entrée, un salon, une salle à manger, une cuisine semi-équipée, deux chambres et une salle de douche ; - à l'étage : un hall de nuit, trois chambres et un grenier. - au sous-sol : une buanderie, une chaufferie et un garage (1 voiture). Châssis PVC triple vitrage. Chauffage central au gaz de ville. Terrain d'une superficie cadastrale de 367 m². Quartier résidentiel recherché à 10 minutes du centre de Namur, proche de toutes les facilités (écoles, commerces et banques, transports en commun...) et des axes routiers (N4, E42,...), Pour les visites, s'adresser à Monsieur PREVOT au 0473/46.09.03.
  • Aantal kamers: 5
  • Lopende verkoop
  • Startdatum: 26/01/2026 14:00
  • Einddatum: 03/02/2026 14:00
  • Geen bod: 1000 €
  • Kadastraal inkomen: 1336 €
  • Vrij op: 10/04/2026
  • ALEXANDRE HÉBRANT, NOTAIRES ASSOCIES
  • Contactpersoon: Gaelle LEMAIRE
  • Tel: (081) 22.01.13
  • Email: gaelle.lemaire.112524@belnot.be
  • Bezoekgegevens
  • Pour les visites, s'adresser à Monsieur PREVOT au 0473/46.09.03.

Huizen

72 Testeltsesteenweg, 3271 Averbode

Doe een bod van
229.000 €

Presentatiebeeld van het pand n° 291180
Uit de hand
  • Referentie: 291180
  • Charmante woning met tuin gelegen op wandelafstand van de Abdij van Averbode en de uitgestrekte bossen van Averbode. Deze te renoveren woning aan de Testeltsesteenweg 72 in Averbode biedt de perfecte kans om een woning naar jouw eigen smaak en stijl in te richten. Hoewel de woning gelegen is nabij een rustige en natuurlijke omgeving bevindt deze zich toch vlakbij het centrum van Averbode en belangrijke verbindingswegen, op fietsafstand van het station van Testelt en Zichem en in de nabijheid van een basisschool. De ideale plek voor wie houdt van de natuur, maar toch vlot toegang wil hebben tot alle nodige voorzieningen. Deze woning bevindt zich op een perceel van 5a 75ca en bestaat op de gelijkvloerse verdieping uit een inkomhal, woonkamer, keuken, badkamer (bad, lavabo en wc) en een veranda. Op de eerste verdieping bevinden zich drie slaapkamers. De woning beschikt daarnaast ook over een droge ondergrondse kelder, een zolder die te bereiken is met een vaste trap waardoor er gemakkelijk uitbreidingsmogelijkheden zijn en een losstaande garage. Met een vraagprijs van € 229.000 biedt dit pand een ideale kans voor iedereen die verlangt een woning naar eigen smaak te verbouwen en in te richten. Plan een bezoek en ontdek zelf de mogelijkheden die deze woning te bieden heeft. Voor meer informatie of een bezichtiging, neem contact met ons op via 014 84 14 44 of sc@libranot.be. G score: B P score: B
  • Aantal kamers: 3
  • Oppervlakte van het woongedeelte: 165m2
  • Aantal badkamers: 1
  • Kadastraal inkomen: 550 €
  • Vrij vanaf: Bij de akte
  • Libra-Notarissen
  • Contactpersoon: Simon CLAES
  • Tel: 014303400
  • Email: sc@libranot.be
  • Bezoekgegevens
  • Voor meer informatie of een bezichtiging, neem contact met ons op via 014 84 14 44 of sc@libranot.be

Handelspanden

60 Hoogstraat, 8780 Oostrozebeke

Doe een bod van
145.000 €

Presentatiebeeld van het pand n° 291129
Online openbare verkoop
  • Referentie: 291129
  • Kantoorruimte gelegen op het gelijkvloers in de residentie “Chaplin” te Oostrozebeke, Hoogstraat 60, met voldoende parkeermogelijkheden direct aan de kantoorruimte. Volledig ingerichte kantoorruimte met kichenette, toilet en bergruimte en is instapklaar. Recent gerenoveerd en ingericht met duurzame materialen. Gelegen op een goed zichtbare en zeer bereikbare locatie met grote visibiliteit, aan een belangrijke invalsweg naar o.a. Ingelmunster. Er is een bijkomende toegang achteraan het gebouw. De ruimte is momenteel bestemd als kantoorruimte. Voor verdere info m.b.t. een andere bestemming kan u hiervoor de gemeente contacteren (het dient in overeenstemming met de basisakte te zijn). Met mogelijkheid tot overname van het aanwezig zijnde kantoormeubilair in overleg met verkoper (niet in verkoopprijs inbegrepen). G score: A P score: B
  • Lopende verkoop
  • Startdatum: 21/01/2026 13:00
  • Einddatum: 29/01/2026 13:00
  • Geen bod: 1000 €
  • Kadastraal inkomen: 1073 €
  • Vrij vanaf: Bij de akte
  • NOTARIA
  • Contactpersoon: Siegfried ROELSTRAETE
  • Tel: (056) 62.00.60
  • Email: siegfried.roelstraete.460015@belnot.be
  • Bezoekgegevens
  • elke vrijdag van 16 uur tot 18 uur, en dit vanaf 19 december 2025; elke zaterdag van 10 uur tot 12 uur, en dit vanaf 20 december 2025.

Appartementen

190 Martelarenstraat, 2400 Mol

Doe een bod van
247.000 €

Presentatiebeeld van het pand n° 291136
Uit de hand
  • Referentie: 291136
  • Dit goed onderhouden, ruime appartement is gelegen nabij het centrum van Mol, maar ook zeer strategisch gelegen nabij alle verbindingswegen naar de omliggende gemeenten. Het appartement bevindt zich op het gelijkvloers in een kleinschalige residentie bestaande uit zes appartementen. In deze residentie is een lift aanwezig die toegang biedt tot alle verdiepingen inclusief kelder. Het appartement bestaat enerzijds uit een grote leefruimte achteraan die met zijn unieke vormgeving zeer ruimtelijk aanvoelt en veel potentieel biedt naar inrichting toe. Aansluitend aan de leefruimte bevindt zich een kwalitatief uitgeruste keuken met o.a. granieten werkblad, inductiekookplaat, afwasmachine en grote oven. Bovendien is er een grote berging /wasplaats aangrenzend aan de keuken aanwezig. Aan de andere kant van het appartement kan je 2 volwaardige slaapkamers terugvinden alsook een volledig uitgeruste badkamer met douche, ligbad en badkamermeubel. Daarnaast is er een apart toilet voorzien. Verder is er nog een terras aan de achterzijde van het gebouw waar je de nodige rust kan vinden tussen het groen Beneden in de kelder bevindt er zich nog een ondergrondse autostaanplaats en ruime privatieve berging 12m². Deze zijn inbegrepen in de verkoopprijs. Energiezuinig appartement EPC B, met centrale verwarming op gas + elektriciteit conform (tot 2046). BEZOEK: graag vooraf contact op te nemen via: 0493/05.47.71 G score: C P score: D
  • Aantal kamers: 2
  • Oppervlakte van het woongedeelte: 100m2
  • Aantal badkamers: 1
  • Kadastraal inkomen: 944 €
  • Vrij vanaf: Te bepalen
  • Notariskantoor Mia Willemsen
  • Contactpersoon: Iben SCHROVEN
  • Tel: (014) 38.98.21
  • Email: iben.schroven@notariswillemsen.be
  • Bezoekgegevens
  • graag vooraf contact op te nemen via: 0493/05.47.71

Huizen

51 Sint-Katherinastraat, 1742 Sint-Katherina-Lombeek

Doe een bod van
240.000 €

Presentatiebeeld van het pand n° 291158
Online openbare verkoop
  • Referentie: 291158
  • Volledig te renoveren woning. Fantastische ligging, in een rustige straat, maar tegelijk vlakbij grootwarenhuizen, cultureel centrum, kleinhandel, scholen en openbaar vervoer. Een prachtige opportuniteit om te wonen in een rustige en groene omgeving, maar met het dorpscentrum vlakbij. Ideale verbinding zowel richting Brussel als richting Aalst, zowel met de wagen, als met het openbaar vervoer. Treinstation Ternat slechts op 1,5 km. Op- en afrit E40 Brussel/Oostende op 2 km. Samengevat: te renoveren woning met een aangename leefomgeving en een uitstekende bereikbaarheid. G score: A P score: B
  • Aantal kamers: 3
  • Aantal badkamers: 1
  • Lopende verkoop
  • Startdatum: 04/02/2026 13:00
  • Einddatum: 12/02/2026 13:00
  • Geen bod: 1000 €
  • Kadastraal inkomen: 743 €
  • Vrij vanaf: Bij de akte
  • NOTARISKANTOOR TERNAT
  • Contactpersoon: David VAN LIERDE
  • Tel: (02) 582.11.72
  • Email: david.vanlierde@belnot.be
  • Bezoekgegevens
  • Na afspraak met Notariskantoor Ternat (02 582 11 72 - david.vanlierde@belnot.be). Afspraak zal steeds per email bevestigd moeten worden door het notariskantoor. Bezoeken in de weken van 12 januari 2026, 19 januari 2026 en 26 januari 2026.

Appartementen

55 Kleibeekstraat, 9100 Sint-Niklaas

Doe een bod van
319.000 €

Presentatiebeeld van het pand n° 291022
Uit de hand
  • Referentie: 291022
  • Op zoek naar een instapklaar appartement met een gunstige ligging en alle comfort? Ontdek dit ruime appartement op het gelijkvloers in de Kleibeekstraat in Sint-Niklaas, dicht bij het centrum en scholen, winkels en openbaar vervoer op wandelafstand. Via de ruime inkomhal met apart gastentoilet en handenwasser kom je in de ruime, lichtrijke leefruimte (met parket) en een aangename open keuken met veel bergruimte, ingebouwde vaatwasser, koelkast, oven en ruimte voor microgolf. De grote raampartijen zorgen voor veel natuurlijke lichtinval en een gezellige sfeer. Het appartement beschikt over twee ruime slaapkamers, waarvan één toegang biedt tot het terras en tuin. De badkamer is uitgerust met een ligbad en douche, lavabo met meubel en toilet. Daarnaast is er nog een ruime berging met aansluiting voor wasmachine en ruimte voor droogkast en diepvries. Achteraan de tuin bereik je via het hekje de aparte fietsenstalling en de achterliggende garage met automatische poort (inbegrepen in de verkoopprijs) én bijkomend de mogelijkheid tot het huren van een autostaanplaats vlak achter de tuin. Dit appartement is ideaal voor wie wil wonen aan de rand van de stad maar toch met alle voorzieningen binnen handbereik, of voor wie op zoek is naar een waardevaste investering. Interesse? Neem gerust telefonisch contact op nummer 0486 24 09 20 voor meer informatie of een bezoek ter plaatse. G score: A P score: B
  • Aantal kamers: 2
  • Aantal badkamers: 1
  • Kadastraal inkomen: 837 €
  • Vrij vanaf: Bij de akte
  • VAN der VEKEN, Raf
  • Contactpersoon: Cynthia CORNU
  • Tel: (03) 772.37.71
  • Email: cynthia.cornu.131854@belnot.be
  • Bezoekgegevens
  • Bezichtiging na telefonische afspraak

Appartementen

21 Boulevard Joseph Tirou, 6000 Charleroi

Doe een bod van
90.000 €

Presentatiebeeld van het pand n° 291163
Uit de hand
  • Referentie: 291163
  • Situé au 8? étage avec ascenseur, cet appartement à aménager selon vos goûts comprend un salon, un coin cuisine, une chambre et une salle de bains. Une cave en sous-sol complète le bien. Idéalement situé à proximité immédiate de toutes les commodités et à deux pas du centre commercial Rive Gauche, il conviendra parfaitement pour un premier achat ou un investissement. Besoin d’informations ou envie de visiter ? L’étude du Notaire Benoit BAJO vous renseigne Tél : 060 39 90 08 – Benoit.bajo@belnot.be
  • Aantal kamers: 1
  • Aantal badkamers: 1
  • Kadastraal inkomen: 927 €
  • Vrij vanaf: Onmiddellijk
  • Benoit BAJO, société notariale
  • Contactpersoon: Benoit BAJO
  • Tel: (060) 39.90.08
  • Email: benoit.bajo@belnot.be

Huizen

41 Voetweg, 9000 Gent

Doe een bod van
175.000 €

Presentatiebeeld van het pand n° 291164
Online openbare verkoop
  • Referentie: 291164
  • Een kleine, te renoveren woning in het centrum van Gent, gelegen midden in de studentenbuurt aan het Sint-Pietersplein (zijstraat Kantienberg). Gelijkvloers: inkom, voorplaats, leefruimte met trap, keuken, badkamer, kleine koer; 1e verdieping: 2 slaapkamers; Zolder (niet ingericht); droge kelder. G score: A P score: A
  • Aantal kamers: 2
  • Aantal badkamers: 1
  • Lopende verkoop
  • Startdatum: 16/02/2026 15:00
  • Einddatum: 24/02/2026 15:00
  • Geen bod: 1000 €
  • Kadastraal inkomen: 255 €
  • Vrij vanaf: Onmiddellijk
  • Notariaat 9070, geassocieerde notarissen
  • Contactpersoon: Mia VAN DEN STEEN
  • Tel: (09) 228.16.48
  • Email: mia@notariaat9070.be
  • Bezoekgegevens
  • zaterdagen 24 januari, 31 januari, 07 februari en 14 februari telkens van 10u30-12u, en woensdagen 28 januari, 04 februari, 11 februari en 18 februari telkens van 16u-17u30

Huizen

29 Rue des Ecoliers, 4020 Liège

Doe een bod van
75.000 €

Presentatiebeeld van het pand n° 291057
Online openbare verkoop
  • Referentie: 291057
  • Maison d'habitation à haut potentiel, à rénover et régulariser urbanistiquement, composé d'une cave, d'un rez-de-chaussée, de deux étages et d'un grenier
  • Aantal kamers: 4
  • Lopende verkoop
  • Startdatum: 12/01/2026 14:00
  • Einddatum: 20/01/2026 14:00
  • Geen bod: 1000 €
  • Kadastraal inkomen: 696 €
  • Vrij vanaf: Andere
  • Not&Stiers - Société notariale
  • Contactpersoon: Lionel LOUICIUS ATTERT
  • Tel: (04) 343.03.30
  • Email: lionel.louiciusattert.132787@belnot.be
  • Bezoekgegevens
  • Le bien n'est pas accessible, aucune visite ne peut être programmée

Huizen

14 Rue Saint-Pie, 7134 Ressaix

Doe een bod van
237.000 €

Presentatiebeeld van het pand n° 291171
Uit de hand
  • Referentie: 291171
  • Cette maison bel étage se compose comme suit : -au rez-de-chaussée : hall d'entrée desservant le garage avec fosse ; -entresol : accès vers terrasse et jardin ; -1er étage : hall avec WC desservant le salon, la salle à manger, la cuisine équipée et la salle de douche avec WC ; -2ème étage : hall de nuit avec WC desservant 3 chambres; -3ème étage : très grand grenier aménagé. Maison reliée à l'égout ; Citerne à eau de pluie; Chauffage central au mazout; Châssis double vitrage.
  • Aantal kamers: 3
  • Oppervlakte van het woongedeelte: 152m2
  • Kadastraal inkomen: 840 €
  • Vrij vanaf: Bij de akte
  • ROMAIN Nicolas
  • Contactpersoon: Tristan HOORELBEKE
  • Tel: (071) 52.31.31
  • Email: tristan.hoorelbeke.112664@belnot.be
  • Bezoekgegevens
  • Contacter l'Etude

Huizen

45 Fazantstraat, 3730 Hoeselt

Doe een bod van
210.000 €

Presentatiebeeld van het pand n° 291133
Uit de hand
  • Referentie: 291133
  • Deze gelijkvloerse vakantiewoning is gelegen te Hoeselt en volledig omgeven door groengebied waardoor u in alle privacy kan genieten van de rust en stilte. De woning bestaat uit een inkomhal, apart toilet, wasruimte/bergruimte, badkamer met dubbele lavabo, inloopdouche en tweede toilet, twee slaapkamers en tot slot de open leefruimte. Hier vindt u de geïnstalleerde keuken, met plaats voor eethoek en zithoek. De grote raampartijen zorgen voor veel lichtinval en bieden directe toegang tot het terras met zicht op groen. Het is ook in de winter gezellig vertoeven aan de open haard. De woning beschikt over een eigen oprijlaan en de groene tuin is volledig rondom de woning te vinden met in elke hoek een nieuwe ontdekking. OPGELET: RECREATIEGEBIED - GEEN PERMANENTE DOMICILIE MOGELIJK - ENKEL TOEPASSING 12% VERKOOPRECHT G score: A P score: A
  • Aantal kamers: 2
  • Aantal badkamers: 1
  • Kadastraal inkomen: 256 €
  • Vrij vanaf: Bij de akte
  • NOTARIS XAVIER VOETS
  • Contactpersoon: Tanja SCHOUPS
  • Tel: 089510868
  • Email: tanja.schoups@notaris-voets.be

Huizen

26 Route de Seloignes, 6590 Momignies

Doe een bod van
180.000 €

Presentatiebeeld van het pand n° 291131
Uit de hand
  • Referentie: 291131
  • Maison en pierre du pays, sise route de Seloignes n°26 cadastrée section C n°0327EP0000 d'une superficie de 18a 39ca RC :625€ comprenant au rez : hall, salon, sam, bureau, cuisine non équipée, sdb :lavabo-baignoire-douche-wc, buanderie, chaufferie, chaudière au gaz. Etage : hall, 3 chambres. Garage, un appenti. Panneaux Photovoltaïque, une cuve à gaz de 1600l, un puit artézien à l'arrière de la maison. Fenêtre et porte PVC de 1999, pas d'eau de ville.
  • Aantal kamers: 3
  • Aantal badkamers: 1
  • Kadastraal inkomen: 625 €
  • Vrij vanaf: Bij de akte
  • Vincent MAILLARD notaire et associés
  • Contactpersoon: Bernadette PONCELET
  • Tel: (060) 21.11.16
  • Email: bernadette.poncelet.129569@belnot.be
  • Bezoekgegevens
  • Sur RDV avec l'Etude

Garage

33+ Sentier de la Taillette, 7340 Wasmes

Doe een bod van
40.000 €

Presentatiebeeld van het pand n° 291134
Uit de hand
  • Referentie: 291134
  • 3 garages et terrain
  • Kadastraal inkomen: 173 €
  • Vrij vanaf: Te bepalen
  • Christophe CAUCHIES, Notaire
  • Contactpersoon: Line DELVIGNE
  • Tel: (065) 67.21.78
  • Email: line.delvigne.112367@belnot.be
  • Bezoekgegevens
  • renseignements en l'étude

Gronden

Hameau de Inzemont, 5540 Hastière-Lavaux

Doe een bod van
67.500 €

Presentatiebeeld van het pand n° 291077
Uit de hand
  • Referentie: 291077
  • A Hastière, nous vous proposons ce beau terrain à bâtir dans un environnement villageois calme et verdoyant. Avec de plus de 16 ares, une vue dégagée et une belle exposition, ce terrain est idéal pour la construction de votre future habitation! Prenez sans plus attendre contact avec notre étude pour plus d'informations! Pour ce bien, il est demandé de faire offre à partir de 67.500,00€.
  • Kadastraal inkomen: 4 €
  • Vrij vanaf: Bij de akte
  • Véronique DOLPIRE & Mélanie BRACK, Notaires associés
  • Contactpersoon: Mathilde PAQUET
  • Tel: (082) 22.21.15
  • Email: mathilde.paquet.132464@belnot.be

Huizen

195 Wampenberg, 2370 Arendonk

Doe een bod van
299.000 €

Presentatiebeeld van het pand n° 291138
Uit de hand
  • Referentie: 291138
  • Indeling: - gelijkvloers: inkomhal, woonkamer, keuken, badkamer, grote garage met dubbele poort. - eerste verdieping: 4 slaapkamers en wc. Zolder toegankelijk via luik. Tevens grote tuin. Ruimtelijke ordening: Gvg-Wg-Gmo-Gvkr- Gvv sectie A, 1345S P0000, 409 m² KI: 493 euro EPC: 532 kWh/m²jaar. De woning is beschikbaar bij de ondertekening van de akte. BIEDEN en MEER INFORMATIE te vinden via de BIDDIT-site, gelieve de link https://www.biddit.be/nl/catalog/detail/291138 te gebruiken. BEZOEK: na afspraak via notariskantoor. G score: A P score: A
  • Aantal kamers: 4
  • Aantal badkamers: 1
  • Kadastraal inkomen: 493 €
  • Vrij vanaf: Bij de akte
  • SZABO notarissen
  • Contactpersoon: Johnny VAN LAER
  • Tel: (014) 27.90.72
  • Email: johnny@notarisszabo.be
  • Bezoekgegevens
  • na afspraak via notariskantoor.

Gronden

de la Fiacrie, 6590 Momignies

Doe een bod van
96.950 €

Presentatiebeeld van het pand n° 291139
Uit de hand
  • Referentie: 291139
  • Terrain sis rue de la Fiacrie cadastré section C n°0324NP0000 d'une superficie mesurée de 27a 72ca anciennement n°324K
  • Kadastraal inkomen: 15 €
  • Vrij vanaf: Bij de akte
  • Vincent MAILLARD notaire et associés
  • Contactpersoon: Bernadette PONCELET
  • Tel: (060) 21.11.16
  • Email: bernadette.poncelet.129569@belnot.be

Appartementen

44/1 Heihoevestraat, 3630 Eisden

Doe een bod van
136.500 €

Presentatiebeeld van het pand n° 291144
Online openbare verkoop
  • Referentie: 291144
  • Casco-nieuwbouwappartement, zelf verder af te werken naar eigen smaak, en gelegen nabij de Mechelse heide. G score: C P score: C
  • Lopende verkoop
  • Startdatum: 21/01/2026 14:00
  • Einddatum: 29/01/2026 14:00
  • Geen bod: 1000 €
  • Vrij vanaf: Onmiddellijk
  • VELGHE & VELGHE, geassocieerde notarissen
  • Contactpersoon: Dieter LEROY
  • Tel: (089) 77.70.00
  • Email: mw@notarisv.be
  • Bezoekgegevens
  • Woensdagnamiddag tussen 14u-18u en zaterdag tussen 12u-14u, maar enkel na telefonische afspraak via het notariskantoor en dit vanaf 7 januari 2026 tot en met 24 januari 2026

Appartementen

59 Sint-Jacobsmarkt, 2000 Antwerpen

Doe een bod van
110.000 €

Presentatiebeeld van het pand n° 291142
Online openbare verkoop
  • Referentie: 291142
  • Gelegen vooraan op de 2e verdieping. Met slaapkamer, badkamer en mét privatieve kelder 'K14' in de kelderverdieping. G score: C P score: C
  • Aantal kamers: 1
  • Oppervlakte van het woongedeelte: 49m2
  • Aantal badkamers: 1
  • Lopende verkoop
  • Startdatum: 27/01/2026 14:00
  • Einddatum: 04/02/2026 14:00
  • Geen bod: 1000 €
  • Kadastraal inkomen: 237 €
  • Vrij vanaf: Bij de akte
  • Notaris Natacha Stoop
  • Contactpersoon: Kantoor Not. Natacha Stoop
  • Tel: (03) 232.30.58
  • Email: info@notariaat-stoop.be
  • Bezoekgegevens
  • op woensdag 14/1, 21/1 van 14u-16u en op zaterdag 24/1 van 14u-16u.

Huizen

29 Pijnderslaan, 9200 Dendermonde

Doe een bod van
230.000 €

Presentatiebeeld van het pand n° 290811
Uit de hand
  • Referentie: 290811
  • Deze woning is centraal gelegen, op wandelafstand van openbaar vervoer, scholen, zwembad Olympos, winkels (GB, Brico, Maxi Zoo…), ziekenhuis, dokterspraktijk en invalswegen. Het centrum van Dendermonde met al haar faciliteiten en het station Dendermonde, ligt op een boogscheut. Bij het binnenkomen van de woning, via de inkomhal bereik je de leefruimte/keuken/trap naar de bovenverdieping. Vanuit de living met zicht op de tuin, loop je door naar de keuken. Van hieruit bereik je het toilet/kelder/ruime, praktische berging en de tuin. De tuin heeft een Noordwestelijke oriëntatie die een uitgang heeft via een padje achter de tuin. Dit biedt de mogelijkheid om eventuele fietsen te plaatsen in de tuin. Op de eerste verdieping zijn er 3 slaapkamers: 2 ruime en 1 kleinere en een badkamer met bad en wastafel. De woning beschikt over een ruime droge kelder en een grote zolderverdieping (voorzien van centrale verwarming). De zolderruimte kan ook omgebouwd worden tot extra kamers. Het dak is in 2009 volledig vernieuwd/geïsoleerd, de voorgevel is opnieuw gevoegd/gezandstraald, behandeld met een silliconenlaag en alle ramen zijn voorzien van rolluiken. De woning valt NIET onder de renovatieverplichting. Kortom, deze woning biedt de perfecte mix van ruimte en ligging. Ideaal voor wie centraal en toch rustig wil wonen! G score: B P score: C
  • Aantal kamers: 3
  • Kadastraal inkomen: 468 €
  • Vrij vanaf: Bij de akte
  • Notaris Christiane Denys Dendermonde
  • Contactpersoon: Els BUGGENHOUT
  • Tel: (052) 22.00.00
  • Email: els.buggenhout.112045@belnot.be

Kantoren

94 Oostmalsesteenweg, 2310 Rijkevorsel

Doe een bod van
430.000 €

Presentatiebeeld van het pand n° 291148
Uit de hand
  • Referentie: 291148
  • Gelegen op een perceel grond van 2327 m². Het gebouw is ongeveer 380m². Voorzien van sanitair, burelen en een toonzaalruimte. Het perceel is grotendeels gelegen in gebieden voor dagrecreatie. G score: A P score: A
  • Kadastraal inkomen: 1271 €
  • Vrij vanaf: Bij de akte
  • PHILIPPE VERLINDEN, NOTARIS
  • Contactpersoon: Jorga OOMEN
  • Tel: (03) 340.21.94
  • Email: jo@notariaatrijkevorsel.be

Appartementen

13 Karterstraat, 3070 Kortenberg

Doe een bod van
249.000 €

Presentatiebeeld van het pand n° 291126
Uit de hand
  • Referentie: 291126
  • Dit aangename appartement (ca. 70m²) is gelegen in de Karterstraat te Kortenberg en combineert een praktische indeling met een uitstekende ligging. Via de inkomhal heeft u toegang tot de keuken en de ruime, lichtrijke woonkamer, die het centrale punt van het appartement vormt en van waaruit alle overige ruimtes bereikbaar zijn. Zowel de woonkamer als de keuken geven uit op het terras, wat nog een kleine maar fijne buitenruimte oplevert. Er zijn twee slaapkamers van respectievelijk 14,3 m² en 8 m², ideaal als hoofdslaapkamer en extra kamer voor bureau, kinderkamer, hobbyruimte of dressing. Verder is er nog een badkamer, een apart toilet en een praktische berging. Het appartement kan een opfrisbeurt gebruiken, met in het bijzonder dan de keuken en de badkamer, wat u dus de mogelijkheid biedt om alles nog naar eigen smaak in te richten. Bij het appartement horen bovendien een ondergrondse autostaanplaats en een private kelder, wat zorgt voor extra comfort en opslagruimte. Het gebouw zelf werd reeds grondig aangepakt: dakisolatie, vernieuwde lift zijn voorzien en in 2022 werden nieuwe, individuele chauffageketels geplaatst. Het gunstige EPC-label B is daarvan een gevolg en eveneens een belangrijke troef. Dankzij de uitstekende ligging geniet u van vlotte verbindingen naar Leuven en Brussel, met winkels, openbaar vervoer en andere voorzieningen in de directe omgeving. Kortom: een appartement met veel potentieel, op een sterke locatie en ideaal als eigen woonst of investering. G score: A P score: A
  • Aantal kamers: 2
  • Aantal badkamers: 1
  • Kadastraal inkomen: 984 €
  • Vrij vanaf: Bij de akte
  • Verkoopbureau Notarishuis Leuven BV
  • Contactpersoon: Dries SCHOUTETEN
  • Tel: (016) 22.19.45
  • Email: info@notarishuis-leuven.be

Huizen

149 Rue de la Pépinière, 5000 Namur

Doe een bod van
275.000 €

Presentatiebeeld van het pand n° 291086
Uit de hand
  • Referentie: 291086
  • Venez découvrir cette charmante maison offrant un beau potentiel pour une vie de famille. Idéalement située, cette propriété propose une configuration pratique et de nombreux atouts. Dès l'entrée, vous serez accueilli par un hall d'entrée menant à un spacieux salon/salle à manger, parfait pour vos moments de détente et de convivialité. La cuisine est entièrement équipée, prête à accueillir vos talents culinaires, et un WC se trouve également à ce niveau. Le premier étage abrite deux chambres confortables et une salle de bain fonctionnelle, accessibles via un palier. Le deuxième étage, quant à lui, révèle deux chambres supplémentaires ainsi qu’un bureau, offrant ainsi un total de cinq chambres. Cette maison est idéale pour une grande famille, des bureaux à domicile ou encore un espace pour vos invités. Pour vos besoins de rangement, la propriété dispose d'un grenier au troisième étage et de trois caves au sous-sol. À l'extérieur, elle dispose d’un beau jardin, de deux garages et d'un atelier. Ces dépendances sont facilement accessibles via le jardin et par l'arrière de la propriété, où se trouve une voirie non asphaltée, offrant un accès pratique. Aspects techniques : chauffage central au gaz de ville – châssis DV en PVC et aluminium – Pompe à eau – Groupe hydrophore . Information et visite auprès de Mr Franck 0476/422.607
  • Aantal kamers: 4
  • Oppervlakte van het woongedeelte: 165m2
  • Aantal badkamers: 1
  • Kadastraal inkomen: 1021 €
  • Vrij vanaf: Bij de akte
  • Frédéric DUCHATEAU, société notariale
  • Contactpersoon: Justine HUET
  • Tel: (081) 22.00.72
  • Email: justine.huet.124537@belnot.be

Huizen

146 Guido Gezellelaan, 2640 Mortsel

Doe een bod van
250.000 €

Presentatiebeeld van het pand n° 291165
Online openbare verkoop
  • Referentie: 291165
  • ONLINE OPENBARE VERKOPING VIA BIDDIT.BE: Te renoveren opbrengsteigendom. INDELING: Gelijkvloers: grote garage, inkomhal, 2 ruimten, toilet en tuin; 1e en 2e Verdieping: appartement met living, aparte keuken, slaapkamer, badkamer, inpandig terras. BESCHIKBAARHEID: na betaling koopprijs en kosten. STEDENBOUW: geen vergunning; opname register vergund geacht; woongebieden; geen rechterlijke of bestuurlijke maatregelen; geen voorkooprecht; geen verkavelingsvergunning. WATERTOETS: niet gelegen in een overstromingsgevoelig gebied, risicozone voor overstromingen, afgebakende oeverzone, watergevoelig openruimtegebied. Verdere inlichtingen, zie verkoopsvoorwaarden op Biddit.be en op het kantoor van de verkoophoudende notaris. G score: A P score: A
  • Aantal kamers: 2
  • Aantal badkamers: 2
  • Lopende verkoop
  • Startdatum: 26/01/2026 13:00
  • Einddatum: 03/02/2026 13:00
  • Geen bod: 1000 €
  • Kadastraal inkomen: 1172 €
  • Vrij vanaf: Andere
  • Notaris Patrick Knevels
  • Contactpersoon: Kantoor Not. Patrick Knevels
  • Tel: (03) 448.12.20
  • Email: info@notarisknevels.be
  • Bezoekgegevens
  • Iedere woensdag van 14u-16u, en iedere zaterdag van 10u-12u; en dit vanaf woensdag 7 januari 2026 tot en met 31 januari 2026 - zonder afspraak

Huizen

141 Rue Bonvoisin, 4800 Petit-Rechain

Doe een bod van
255.000 €

Presentatiebeeld van het pand n° 291056
Uit de hand
  • Referentie: 291056
  • Charmante maison 3 façades à rafraichir, avec belle parcelle de jardin, idéalement située à Petit-Rechain. Elle se compose comme suit : - Rez-de-chaussée : hall d’entrée, grand séjour lumineux, cuisine, espace buanderie/chaufferie, toilette individuelle et accès à l’extérieur ; - 1er étage : 3 chambres et une salle de bains ; - Sous-sol : caves ; - A l’extérieur : superbe parcelle de jardin. Côté technique : Châssis PVC double vitrage, chauffage mazout, nouvelle toiture, électricité non conforme. Proche des commodités, dans un quartier prisé et calme, cette maison offre de nombreux points positifs amenant à un réel coup de coeur. Visite virtuelle : https://tour.giraffe360.com/f3638486bf9c438f8dd6c1ae19d88a4d PEB cat. E, 133 m² de surface de plancher chauffé, 387 kWh/m².an, 51.452 kWh/an.
  • Aantal kamers: 3
  • Oppervlakte van het woongedeelte: 133m2
  • Aantal badkamers: 1
  • Kadastraal inkomen: 547 €
  • Vrij vanaf: Bij de akte
  • Anne-Catherine Wathelet Notaire
  • Contactpersoon: Ingrid LELOTTE
  • Tel: (087) 29 22 44
  • Email: ingrid.lelotte.357909@belnot.be
  • Bezoekgegevens
  • Visites uniquement sur rendez-vous.

Huizen

3 Rue de la Station, 1357 Neerheylissem

Doe een bod van
155.000 €

Presentatiebeeld van het pand n° 290929
Uit de hand
  • Referentie: 290929
  • À vendre maison mitoyenne idéalement située. • Rez-de-chaussée : salon, salle à manger, cuisine, salle de bains, WC, buanderie. • Étage : trois chambres, espace nuit et grenier à aménager. • Beau jardin de ville, passage latéral permettant l'accès au jardin, Cave accessible depuis le passage mitoyen. • PEB : G Cette maison est idéale pour les acquéreurs souhaitant investir et personnaliser un bien selon leurs envies.
  • Aantal kamers: 3
  • Aantal badkamers: 1
  • Kadastraal inkomen: 208 €
  • Vrij vanaf: Bij de akte
  • Thibaut van DOORSLAER & Eléonore NELIS, notaires associés
  • Contactpersoon: Maëlle DE BACKER
  • Tel: (010) 81.35.08
  • Email: mdb@vdn-notaires.be

Appartementen

424 Chaussée de Maubeuge, 7022 Hyon

Doe een bod van
259.000 €

Presentatiebeeld van het pand n° 291145
Uit de hand
  • Referentie: 291145
  • Ne passez pas à coté de ce très bel appartement au rez de chaussée, situé dans le Résidence « Porte de France » à hyon. Proche de toutes commodités, il vous offre également sa terrasse et son jardin privatif ainsi qu’un emplacement parking au sous-sol avec sa cave. Idéal pour un jeune couple ou pour y passer une retraite paisible, cette Résidence est très sécurisée, silencieuse et très bien entretenue. Notre appartement porte le numéro 4 et se compose : D’un grand séjour avec cuisine équipée, une grande baie s’ouvre sur l’arrière et vous donnera l’impression de vivre à la campagne avec une très belle vue sur le terril. Un couloir dessert 2 chambres donnant sur l’arrière ainsi qu’une salle de bain avec baignoire et wc séparé. Dans l’entrée un petit hall avec buanderie dans laquelle vous y trouverez un très beau frigo Américain (reste dans le bien) et un emplacement machine à laver. La porte d’entrée et munie d’un système de sécurité dans le sol. Pour accéder au sous-sol, le bâtiment dispose d’un ascenseur. Localisation idéale : commerces accessibles à pied
  • Aantal kamers: 2
  • Aantal badkamers: 1
  • Kadastraal inkomen: 1151 €
  • Vrij vanaf: Bij de akte
  • Christophe CAUCHIES, Notaire
  • Contactpersoon: Line DELVIGNE
  • Tel: (065) 67.21.78
  • Email: line.delvigne.112367@belnot.be
  • Bezoekgegevens
  • renseignements en l'étude

Huizen

9 Vossestraat, 9890 Gavere

Doe een bod van
225.000 €

Presentatiebeeld van het pand n° 290830
Online openbare verkoop
  • Referentie: 290830
  • Gunstig gelegen woning met terras en hokje. Met o.a.: 3 slaapkamers, badkamer en garage. Oppervlakte 147 m² - bewoonbare oppervlakte 166 m². Uitstekende ligging met vlotte ontsluiting naar de N60 en E17. G score: A P score: A
  • Aantal kamers: 3
  • Oppervlakte van het woongedeelte: 166m2
  • Aantal badkamers: 1
  • Lopende verkoop
  • Startdatum: 17/02/2026 13:00
  • Einddatum: 25/02/2026 13:00
  • Geen bod: 1000 €
  • Kadastraal inkomen: 656 €
  • Vrij vanaf: Bij de akte
  • Kompas Notarissen, Geassocieerde Notarissen
  • Contactpersoon: Kim COOREMAN
  • Tel: (09) 432.21.10
  • Email: kim.cooreman@kompasnotarissen.be
  • Bezoekgegevens
  • zaterdag 7 februari 2026 van 14u-16u, zaterdag 14 februari 2026 van 14u-16u. U dient geen afspraak in te plannen. Op de voorziene data en tijdstippen zal er doorlopend iemand aanwezig zijn

Huizen

138 Wijngaardstraat, 3620 Lanaken

Doe een bod van
114.100 €

Presentatiebeeld van het pand n° 291090
Online openbare verkoop
  • Referentie: 291090
  • Gelijkvloers: inkomhal, keuken met bijkeuken, leefruimte, veranda, 2 slaapkamers, badkamer. 1ste verdieping: hal, slaapkamer, zolderruimte. Tuin, stookolietank is buiten werking gesteld. Inpandige garage. Vergunning afgeleverd voor oorspronkelijk woonhuis, deels woongebied en deels woonuitbreidingsgebied, geen herstelmaatregel, geen verkavelingsvergunning, geen voorkooprecht. Alle foto’s, virtueel bezoek en overige informatie te raadplegen via www.biddit.be. G score: A P score: A
  • Aantal kamers: 3
  • Oppervlakte van het woongedeelte: 149m2
  • Aantal badkamers: 1
  • Lopende verkoop
  • Startdatum: 19/01/2026 11:00
  • Einddatum: 27/01/2026 11:00
  • Geen bod: 1000 €
  • Kadastraal inkomen: 746 €
  • Vrij vanaf: Bij de akte
  • DELTA Notarissen
  • Contactpersoon: Ilse BOUMANS
  • Tel: 011/15.33.64
  • Email: ilse.boumans@deltanotarissen.be
  • Bezoekgegevens
  • Het goed kan worden bezocht na afspraak met DELTA NOTARISSEN

Huizen

11 Place de Bronckart, 4000 Liège

Doe een bod van
550.000 €

Presentatiebeeld van het pand n° 291074
Uit de hand
  • Referentie: 291074
  • Une maison de maître, offrant de nombreuses possibilités d’aménagement, située Place de Bronckart, 11, à Liège, d’une superficie habitable d’environ 520 m² (superficie PEB) se composant comme suit : • Au rez-de-chaussée : un hall d’entrée, un salon d’environ 28 m², un living d’environ 32 m², une salle à manger très lumineuse d’environ 35 m², une cuisine, une arrière cuisine, une buanderie, un wc et un jardin. • A l’entre sol : un wc et trois pièces en enfilade d’environ 16 m², 15 m² et 8 m². • Au premier étage : une chambre d’environ 32 m², une chambre avec balcon d’environ 29 m² et un bureau d’environ 10 m². • Au deuxième étage : deux chambres d’environ 32m² et 29 m² et une salle de bain d’environ 11 m². • Au troisième étage : un grenier d’environ 30 m² et 3 pièces d’environ 11 m², 12 m² et 14 m². • Au sous-sol : quatre caves. Un emplacement de garage (5m x 2,40m) situé Rue de Chestret, 22 (Résidence "Parking de Chestret"). Caractéristiques : hauts plafonds, parquets en bois massif, moulures élégantes, cheminées d’époque. Situation : dans le quartier dynamique des Guillemins, à proximité de nombreux commerces, d’écoles et de transports en commun. Revenu cadastral : 2.627,00 € en ce qui concerne la maison et 89,00 € en ce qui concerne l'emplacement de garage. Le propriétaire se réserve d’accepter ou non les offres qui lui sont proposées quand bien même le montant proposé serait égal ou supérieur au montant affiché dans l’annonce.
  • Aantal kamers: 4
  • Oppervlakte van het woongedeelte: 520m2
  • Aantal badkamers: 1
  • Kadastraal inkomen: 2716 €
  • Vrij vanaf: Bij de akte
  • Michel HUBIN, notaire
  • Contactpersoon: Michel HUBIN
  • Tel: (04) 223.66.36
  • Email: michel.hubin@belnot.be
  • Bezoekgegevens
  • Prendre contact avec l'Etude du Notaire HUBIN au 04/223.66.36

Huizen

19 Heidelaan, 2280 Grobbendonk

Doe een bod van
270.000 €

Presentatiebeeld van het pand n° 291096
Online openbare verkoop
  • Referentie: 291096
  • In een rustige en kindvriendelijke buurt, omringd door groen en toch vlot bereikbaar. Omvat: inkomhal met toilet en vestiaire, woonkamer met trap naar verdieping, zitkuil met ingebouwde open haard, keuken en stookplaats. Op de verdieping bevinden zich 2 slaapkamers en een badkamer met ingebouwde kast, dubbele wastafel met werkblad in natuursteen, ligbad, douchecabine en toilet. Verder beschikt de woning over een uitnodigend terras met ingebouwde open haard. PV van toewijs op maandag 9 februari om 17u30. G score: A P score: A
  • Aantal kamers: 2
  • Oppervlakte van het woongedeelte: 288m2
  • Aantal badkamers: 1
  • Lopende verkoop
  • Startdatum: 26/01/2026 14:00
  • Einddatum: 03/02/2026 14:00
  • Geen bod: 1000 €
  • Kadastraal inkomen: 1698 €
  • Vrij vanaf: Te bepalen
  • NOTADUX
  • Contactpersoon: Kantoor NOTADUX
  • Tel: (014) 50.74.30
  • Email: notarissen@notadux.be
  • Bezoekgegevens
  • op zaterdag van 10u-12u vanaf 10 /1/2026.

Gronden

Binnenheide, 2288 Bouwel

Doe een bod van
1.900 €

Presentatiebeeld van het pand n° 291099
Online openbare verkoop
  • Referentie: 291099
  • Met loofbomen. Met een oppervlakte van 1.891 m². Op het perceel is een beperkt bosbeheerplan van toepassing met ref. BBBP/AN-11-0001. Binnenheide maakt deel uit van het natuurgebied Binnenheide-Middeldonk, er bevinden zich oudere en jongere bossen, graslanden en akkers, doorsneden door kleine beken (Kleine Beek, Zelse Beek). PV van toewijs op maandag 9 februari om 18u. P score: A
  • Lopende verkoop
  • Startdatum: 26/01/2026 14:00
  • Einddatum: 03/02/2026 14:00
  • Geen bod: 250 €
  • Vrij vanaf: Te bepalen
  • NOTADUX
  • Contactpersoon: Kantoor NOTADUX
  • Tel: (014) 50.74.30
  • Email: notarissen@notadux.be
  • Bezoekgegevens
  • vrij te bezichtigen.

Huizen

57 Walburgstraat, 9100 Sint-Niklaas

Doe een bod van
190.000 €

Presentatiebeeld van het pand n° 291098
Online openbare verkoop
  • Referentie: 291098
  • Op te frissen woonhuis te Sint-Niklaas, Walburgstraat 57. Inkomhal, woonkamer, eetkamer, badkamer, keuken, berging, tuin met stalling. 1ste verdiep: 3 slaapkamers en badkamer. 2de verdiep: 3 slaapkamers. 2 garages met nummer G10 en G13 gelegen Sint-Niklaas, Kalkstraat +84. G score: D P score: D
  • Aantal kamers: 6
  • Aantal badkamers: 2
  • Lopende verkoop
  • Startdatum: 02/02/2026 15:00
  • Einddatum: 10/02/2026 15:00
  • Geen bod: 1000 €
  • Kadastraal inkomen: 624 €
  • Vrij vanaf: Bij de akte
  • Tack & De Moor - notarisvennootschap
  • Contactpersoon: Michaël DE BOEY
  • Tel: (03) 776.02.38
  • Email: mdb@tackdemoor.be
  • Bezoekgegevens
  • Vanaf 07/01/2026: iedere zaterdag van 10u tot 12u en iedere woensdag van 14u tot 16u

Huizen

77 Chemin des Aulnées, 7060 Soignies

Doe een bod van
150.000 €

Presentatiebeeld van het pand n° 291070
Online openbare verkoop
  • Referentie: 291070
  • maison d'habitation très lumineuse avec cour (+ espace de rangement), comprenant : **sous-sol : cave *rez : salon, salle à manger, cuisine semi-équipée, salle de bain (bain, évier et wc), buanderie (avec chaudière Vaillant) * 1er : 2 chambres * 2ème : grand grenier aménageable avec escalier en dur ** Equipements : chauffage central au gaz, châssis double vitrage en pvc, raccordement aux égouts **VISITES : sur rvs avec les locataires (!!APPELER APRES 13H !! ) : 0466/250.961 **Occupation : libre le 01/02/2026 (actuellement loué : 813€/mois) **pour tous renseignements complémentaires, n'hésitez pas à contacter l'Etude : 067/33.11.17 ou consulter notre site : www.bricout.be (annonces immobilières)
  • Aantal kamers: 2
  • Oppervlakte van het woongedeelte: 152m2
  • Aantal badkamers: 1
  • Lopende verkoop
  • Startdatum: 19/01/2026 15:00
  • Einddatum: 27/01/2026 15:00
  • Geen bod: 2000 €
  • Kadastraal inkomen: 509 €
  • Vrij vanaf: Bij de akte
  • Xavier Bricout, Notaire
  • Contactpersoon: Monique KNAEPEN
  • Tel: (067) 33.11.17
  • Email: monique.knaepen.131557@belnot.be
  • Bezoekgegevens
  • sur rvs : 0478/60.62.24.

Huizen

109 Steenweg Weelde, 2382 Poppel

Doe een bod van
400.000 €

Presentatiebeeld van het pand n° 291093
Online openbare verkoop
  • Referentie: 291093
  • Bouwjaar 2001. Met 5 slaapkamers, 2 badkamers, binnenzwembad en een grote parktuin. Unieke kans! G score: A P score: B
  • Aantal kamers: 5
  • Oppervlakte van het woongedeelte: 622m2
  • Aantal badkamers: 2
  • Lopende verkoop
  • Startdatum: 24/02/2026 14:30
  • Einddatum: 04/03/2026 14:30
  • Geen bod: 1000 €
  • Kadastraal inkomen: 3693 €
  • Vrij vanaf: Bij de akte
  • Notaris Natacha Stoop
  • Contactpersoon: Kantoor Not. Natacha Stoop
  • Tel: (03) 232.30.58
  • Email: info@notariaat-stoop.be
  • Bezoekgegevens
  • Geïnteresseerde kopers kunnen tel. of per e-mail contact opnemen met het notariskantoor om een afspr. in te plannen.

Huizen

7 Rue Henri Glepin, 7000 Mons

Doe een bod van
185.000 €

Presentatiebeeld van het pand n° 290867
Uit de hand
  • Referentie: 290867
  • Superficie : 140 m² . Revenu cadastral total : 552,00 EUR. État : bon état, libre d’occupation à l’acte. Rez-de-chaussée : un hall d’entrée, sur la gauche un bureau avec plancher en bon état, un salon, une pièce de vie et un salon d’hiver-véranda, un WC ainsi qu’un espace prévu pour la cuisine. Au demi-étage : une grande chambre avec lavabo et douche. Au premier étage : une chambre, une cuisine et une salle de bains avec bain, lavabo et WC. Au deuxième étage : une chambre avec coin cuisine et une salle de bains avec bain, lavabo et WC. Au sous-sol : deux caves. À l’extérieur : un jardin avec cour et deux petites remises, accès au garage donnant sur la ruelle pour une voiture. Commodités : Double vitrage sauf les châssis du rez-de-chaussée à l’avant, toiture en ardoises à refaire, convecteurs au gaz, raccordement à l’égout, un compteur d’eau, un compteur de gaz, un compteur électrique intelligent relié à deux compteurs de passage. Remarques : Le salon d’hiver-véranda n’est pas conforme au plan cadastral mais paraît exister depuis plus de 20 ans. ? L’immeuble est vendu comme une seule unité d’habitation. ? PEB : E
  • Aantal kamers: 3
  • Aantal badkamers: 2
  • Kadastraal inkomen: 552 €
  • Vrij vanaf: Bij de akte
  • Jean-Charles DASSELEER, Notaire
  • Contactpersoon: Stefano VACCA
  • Tel: (065) 78.43.32
  • Email: stefano.vacca.133066@belnot.be
  • Bezoekgegevens
  • sur RDV avec l'Etude

Huizen

59 Avenue de la Salm, 6690 Vielsalm

Doe een bod van
150.000 €

Presentatiebeeld van het pand n° 291105
Online openbare verkoop
  • Referentie: 291105
  • Idéalement situé en plein cœur de Vielsalm, cet immeuble de rapport est une belle opportunité d'investissement. Il se compose de deux unités résidentielles distinctes. Unité 1 : Le Duplex (Rez-de-chaussée & 1er Étage) Ce duplex offre une configuration accueillante sur deux niveaux, pensée pour un confort familial et moderne. Rez-de-chaussée : Un vaste séjour ouvert abrite le salon, la salle à manger et la cuisine. Un toilette invité complète ce niveau. 1er Étage : L'étage est dédié aux espaces de nuit et comprend un grand hall polyvalent qui peut facilement faire office de bureau ou d'espace de lecture. Il dessert une salle de bains complète et deux chambres. Unité 2 : L'Appartement Triplex (2e, 3e & 4e Niveaux) Cet appartement unique s'étend sur trois niveaux et offre une sensation d'espace exceptionnelle ainsi que de multiples accès extérieurs. Niveau 1 (2e Étage) : Un hall d'entrée mène à un grand séjour lumineux avec accès direct à une terrasse privative. On y trouve également une cuisine équipée, une chambre orientée côté jardin et un WC indépendant. Niveau 2 (3e Étage) : Ce niveau offre un hall de nuit, deux chambres supplémentaires, dont une bénéficiant d'une seconde terrasse côté rue. Niveau 3 (4e Étage) : Un grenier se trouve au dernier niveau, offrant un potentiel d'aménagement ou un espace de rangement précieux. L'immeuble bénéficie d'un jardin situé à l'arrière, une plus-value rare qui offre un espace vert et calme, parfait pour la détente des résidents.
  • Aantal kamers: 5
  • Oppervlakte van het woongedeelte: 277m2
  • Aantal badkamers: 2
  • Lopende verkoop
  • Startdatum: 26/01/2026 14:00
  • Einddatum: 03/02/2026 14:00
  • Geen bod: 1000 €
  • Vrij vanaf: Te bepalen
  • Pierre COTTIN & Caroline MONSEUR - Société Notariale
  • Contactpersoon: Lisa FRANSOLET
  • Tel: (080) 41.01.84
  • Email: lisa.fransolet.129486@belnot.be

Gronden

Eerste-Meistraat, 3700 Tongeren

Doe een bod van
30.000 €

Standaard presentatie(beeld) van een pand 291110
Uit de hand
  • Referentie: 291110
  • Verkoop onder gesloten omslag van een perceel landbouwgrond van 60a 50ca Het perceel gelegen te Tongeren-Borgloon (Tongeren) achterliggend aan Eerste-Meistraat, ter plaatse genaamd 'Bloer het Gehucht' (sectie B nummer 0402AP0000), is verpacht. De verkoop geschiedt ONDER DE OPSCHORTENDE VOORWAARDE VAN NIET-UITOEFENING VAN HET RECHT VAN VOORKOOP DOOR DE PACHTER. VERKOOP DOOR INSCHRIJVING ONDER GESLOTEN OMSLAG De instelprijs is € 30.000,00. De inschrijving dient te gebeuren onder gesloten omslag, die aan het kantoor Geassocieerde Notarissen Rembert VAN BAEL-Cathérine GIELEN, Graanmarkt 1, 3700 Tongeren-Borgloon, tijdens de kantooruren, uiterlijk op 5 maart 2026, om 09.30 uur, bezorgd dient te worden tegen ontvangstbewijs; het kantoor is geopend op maandag, woensdag en donderdag van 09.00 u tot 12.30 u en van 13.30 u tot 18.00 u; op dinsdag van 09.00 u tot 12.30 u en van 13.30 u tot 18.30 u; op vrijdag van 09.00 u tot 13.00 u. Inschrijvingen dienen onvoorwaardelijk te zijn en uitgebracht te worden zonder opschortende voorwaarden, behoudens opschortende voorwaarde van niet-uitoefening van het voorkooprecht door de pachter. De inschrijvingen dienen te gebeuren tegen een vaste prijs voor het gehele goed. Op 5 maart 2026, om 11 uur, worden de gesloten omslagen met de inschrijvingen opengemaakt op het kantoor Geassocieerde Notarissen Rembert VAN BAEL-Cathérine GIELEN, in aanwezigheid van de vertegenwoordiger van de verkoper. Zodra de hoogste inschrijving bekend is, zal de notaris het recht van voorkoop aan de pachter aanbieden volgens de voorschriften van de pachtwet per aangetekende brief, uiterlijk binnen de acht dagen na de opening van de inschrijvingen. Als de pachter zijn recht van voorkoop niet uitoefent noch overdraagt volgens de voorschriften van de pachtwet, zal de notaris de hoogste inschrijver uitnodigen voor het verlijden van de verkoopakte. P score: D
  • Kadastraal inkomen: 26 €
  • Vrij vanaf: Bij de akte
  • Rembert VAN BAEL - Cathérine GIELEN, Geassocieerde Notarissen
  • Contactpersoon: Michael MATTHYS
  • Tel: (012) 23.04.13
  • Email: michael.matthys.104232@belnot.be

Huizen

69 E.Van Notenlaan, 2960 Brecht

Doe een bod van
192.000 €

Presentatiebeeld van het pand n° 291109
Online openbare verkoop
  • Referentie: 291109
  • Met 3 slaapkamers, ruime living en keuken, badkamer, garage en grote oprit. Renovatieplicht. Ontruiming inboedel uiterlijk tegen betaling van de prijs. G score: A P score: A
  • Aantal kamers: 3
  • Aantal badkamers: 1
  • Lopende verkoop
  • Startdatum: 13/01/2026 14:00
  • Einddatum: 21/01/2026 14:00
  • Geen bod: 1000 €
  • Kadastraal inkomen: 1078 €
  • Vrij vanaf: Onmiddellijk
  • Notaris Katherine De Wispelaere
  • Contactpersoon: Kantoor Not. Katherine De Wispelaere
  • Tel: (03) 640.01.80
  • Email: info@notariaatmerksem.be
  • Bezoekgegevens
  • elke dinsdag van 10u-12u en elke zaterdag van 12u-14u vanaf dinsdag 23/12 tem zaterdag 17/1/2026.

Andere

38+ Rue de Cerfontaine, 5660 Boussu-en-Fagne

Doe een bod van
643.964 €

Presentatiebeeld van het pand n° 291111
Uit de hand
  • Referentie: 291111
  • TRES GRANDE ETABLE (35M X 21M) - Année de Construction 1995 avec un ensemble de pâtures d'une superficie de 24 ha 19 a 62 ca - le tout libre d'occupation
  • Vrij vanaf: Onmiddellijk
  • Vincent MAILLARD notaire et associés
  • Contactpersoon: Sophie TOURNEUR
  • Tel: (060) 21.11.16
  • Email: sophie.tourneur.129569@belnot.be

Gronden

Rue de Cerfontaine, 5660 Boussu-en-Fagne

Doe een bod van
108.800 €

Standaard presentatie(beeld) van een pand 291114
Uit de hand
  • Referentie: 291114
  • Un ensemble de pâtures, sise au lieu dit Derriere le fournil, cadastrée selon extrait récents 0217BP0000, 0218BP000 et 0230AP0000, pour une contenance de 5 ha 44 a. Libre d’occupation
  • Kadastraal inkomen: 270 €
  • Vrij vanaf: Onmiddellijk
  • Vincent MAILLARD notaire et associés
  • Contactpersoon: Sophie TOURNEUR
  • Tel: (060) 21.11.16
  • Email: sophie.tourneur.129569@belnot.be

Gronden

25 Rue Florian Wauthelet, 6240 Pironchamps

Doe een bod van
95.000 €

Presentatiebeeld van het pand n° 258863
Uit de hand
  • Referentie: 258863
  • Parcelle de terrain de presque 19 ares avec maison à l'état de ruine (incendiée en 2018) Situé en zone d'habitat. De nouvelles constructions viennent d'être érigées sur la parcelle juste avant le terrain mis en vente, permettant de visualiser le type de construction potentiellement réalisable. Les éventuels frais de viabilisation et de voirie seront à charge de l'acquéreur. Pour tous projets de construction, il est vivement recommandé de se renseigner directement auprès des services de l'urbanisme.
  • Kadastraal inkomen: 61 €
  • Vrij vanaf: Bij de akte
  • Société Notariale Ghigny & Associés
  • Contactpersoon: Ornella COLACI
  • Tel: (071) 81.10.43
  • Email: ornella.colaci.108860@belnot.be
  • Bezoekgegevens
  • Directement sur place

Gronden

Heibosstraat, 9520 Zonnegem

Doe een bod van
51.000 €

Presentatiebeeld van het pand n° 291116
Online openbare verkoop
  • Referentie: 291116
  • Perceel landbouwgrond, aan 3 zijden omheind en met hek, perceel nummer 13BP0000. Niet verpacht. Oppervlakte 8.000 m². P score: A
  • Lopende verkoop
  • Startdatum: 29/01/2026 10:00
  • Einddatum: 06/02/2026 10:00
  • Geen bod: 1000 €
  • Vrij vanaf: Onmiddellijk
  • Notaris Annelies DE BOUVER
  • Contactpersoon: Anne-Marie VANDERSTRAETEN
  • Tel: (053) 62.64.22
  • Email: boekhouding@notarisdebouver.be
  • Bezoekgegevens
  • vrij

Gronden

Heistraat, 9860 Oosterzele

Doe een bod van
11.000 €

Presentatiebeeld van het pand n° 291117
Online openbare verkoop
  • Referentie: 291117
  • Perceel landbouwgrond, perceel nummer 226DP0000. Niet verpacht. Oppervlakte 2.211 m². Voorkooprecht. P score: D
  • Lopende verkoop
  • Startdatum: 29/01/2026 11:00
  • Einddatum: 06/02/2026 11:00
  • Geen bod: 1000 €
  • Vrij vanaf: Onmiddellijk
  • Notaris Annelies DE BOUVER
  • Contactpersoon: Anne-Marie VANDERSTRAETEN
  • Tel: (053) 62.64.22
  • Email: boekhouding@notarisdebouver.be
  • Bezoekgegevens
  • vrij

Huizen

13 Rue du Vinâve, 4360 Grandville

Doe een bod van
70.000 €

Presentatiebeeld van het pand n° 291095
Online openbare verkoop
  • Referentie: 291095
  • Une petite maison mitoyenne à rénover, située à OREYE - Grandville, rue du Vinâve, numéro 13, pour une superficie de quatre-vingt-neuf mètres carrés, comprenant living, cuisine ouverte, deux chambres, salle de bains, une cave. Poêle à bois. Electricité non conforme. PEB : E - certificat numéro 20250902028086 – consommation théorique totale d’énergie primaire : 40.561 kWh/an – consommation spécifique d’énergie primaire : 404 kWh/m².an. Revenu cadastral: 235 euros. Visites : s’adresser à Notavisit – Thibault MATHIEU
  • Aantal kamers: 2
  • Lopende verkoop
  • Startdatum: 10/02/2026 10:00
  • Einddatum: 18/02/2026 10:00
  • Geen bod: 1000 €
  • Kadastraal inkomen: 235 €
  • Vrij vanaf: Bij de akte
  • MAHY, Olivier
  • Contactpersoon: Claire Gimenne
  • Tel: (019) 67.70.37
  • Email: claire.gimenne.133223@belnot.be
  • Bezoekgegevens
  • S'adresser à NOTAVISIT-Thibault MATHIEU-0486/97.87.00

Huizen

264 Battelsesteenweg, 2800 Mechelen

Doe een bod van
585.000 €

Presentatiebeeld van het pand n° 291124
Uit de hand
  • Referentie: 291124
  • BIEDING ONDER GESLOTEN OMSLAG Zeer gunstig gelegen karaktervolle en volledige gerenoveerde interbellum woning. Met een oppervlakte van 2a 46ca.. KI € 1.011. EPC: Energielabel C (213kWh/(m² jaar). CV op aardgas (vernieuwd in 2012). Conforme elektrische installatie (vernieuwd in 2012). Asbestveilig. Dubbel hoog rendementsglas, nieuwe daken, vloerverwarming op het gelijkvloers. Vergunning dd. 10/11/2011 voor het verbouwen/renoveren van de woning. Indeling: Gelijkvloers: oprit, garage met sectionale poort, hal met vestiaire en wc 1, living met gas, openhaard, technische ruimte (met aansluiting water, electriciteit, gas en vloerverwarming), grote lichtrijke eetkamer met lichtstraat, volledig geïnstalleerde keuken met vaatwasser, oven, micro en elektrisch vuur. Terras met tuin en tuinhuis Tussenverdieping (O-1): wc 2 Eerste verdieping: slaapkamer met dressing en badkamer met bad, douche en 2 lavabo's Tussenverdieping (1-2): berging met aansluiting wasmachine + droogkast Tweede verdieping: 2 slaapkamers, waarvan 1 met lavabo Tussenverdieping (2-3): klein terrasje <1m² Derde verdieping: zolder, technische ruimte + extra slaapkamer BEZOEK: zaterdag en zondag, dit vanaf 20 december 2025 telkens van 15.30 uur tot 17 uur zonder afspraak Deze woning wordt verkocht via bieding onder gesloten omslag, met een minimum van € 585.000. Het bod dient door alle kandidaat-koper ondertekend te worden, met vermelding van de gegevens langs de buitenzijde (naam, adres, telefoonnummer en e-mail), en onder gesloten omslag te worden afgeleverd bij het notariskantoor uiterlijk op maandag 2 februari 2026. De omslagen zullen op 10 februari 2026 gelijktijdig worden geopend in het kantoor van de notaris, waarop de bieders worden uitgenodigd (de opening zal steeds plaatsvinden zelfs indien u niet aanwezig kan zijn). Opgelet, uw bod is onherroepelijk en onvoorwaardelijk. U kan bijgevolg geen opschortende voorwaarde(n) inroepen, onder meer voor het bekomen van een lening/krediet. Bevrijding van het bod kan enkel plaatsvinden ingeval van niet-aanvaarding door de verkopers. G score: D P score: D
  • Aantal kamers: 4
  • Oppervlakte van het woongedeelte: 245m2
  • Aantal badkamers: 1
  • Kadastraal inkomen: 1011 €
  • Vrij vanaf: Bij de akte
  • Notaris Gauthier Clerens
  • Contactpersoon: Kantoor Not. Gauthier Clerens
  • Tel: (015) 41.53.25
  • Email: info@notaris-clerens.be
  • Bezoekgegevens
  • zaterdag en zondag, dit vanaf 20 december 2025 telkens van 15.30 uur tot 17 uur zonder afspraak

Huizen

81 Rotterij, 9600 Ronse

Doe een bod van
120.000 €

Presentatiebeeld van het pand n° 291118
Online openbare verkoop
  • Referentie: 291118
  • Op een perceel van maar liefst 44a 56ca vind je deze bungalow met veel potentieel terug. Deze woning biedt verder een erg ruime tuin met prachtig groenzicht. Indeling: Inkomhall, leefruimte, keuken, 2 slaapkamers, garage en badkamer. Deze woning biedt een stevige basis met heel wat potentieel voor wie op zoek is naar een renovatieproject met toekomstwaarde. Renovatieplicht van toepassing. G score: A P score: D
  • Aantal kamers: 2
  • Aantal badkamers: 1
  • Lopende verkoop
  • Startdatum: 27/01/2026 13:00
  • Einddatum: 04/02/2026 13:00
  • Geen bod: 1000 €
  • Kadastraal inkomen: 1076 €
  • Vrij vanaf: Bij de akte
  • Valerie Goeminne, Notaris - Notaire
  • Contactpersoon: Kantoor Not. Valerie Goeminne
  • Tel: (055) 21.27.25
  • Email: valerie.goeminne@notaris.be
  • Bezoekgegevens
  • zaterdag 24 & 31 januari 2026 van 11u-13u

Kantoren

560-562 Alsembergsesteenweg, 1180 Ukkel

Doe een bod van
150.000 €

Presentatiebeeld van het pand n° 290089
Online openbare verkoop
  • Referentie: 290089
  • In een handels- en opbrengsthuis, gelegen Alsembergsesteenweg 560-562 De handelszaak « lot 1 » Omvattende : winkelruimte, bureau, reservelokaal, eetkamer, keuken, plaats achteraan, wc, gang, kelders nrs 7-8-9 p ondergr. verd.. Privatief en exclusief genot van de tuin. N.g.k.i. 734€. Vrij bij akte. De kelders (omgebouwd tot studio zonder toestemming van stedenbouw en mede-eigenaars) worden op een precaire manier bezet. Woongebied, in structurende ruimte. EPC G/647. Contr. elektr. niet conform. Bezoeken : dinsdagen 6-13-20/1 van 12u30-14u30 en zaterdagen 3-10-17/1 van 9-11u. Begin biedingen : woensdag 14.01.26 om 14u - Einde biedingen : donderdag 22.01.26 om 14u - Instelprijs : 150.000€ - Bodverhoging : 1.000€ - Ondertekening akte : woensdag 28.01.26 om 13u - www.biddit.be - Ref. pand : 290089.
  • Lopende verkoop
  • Startdatum: 14/01/2026 14:00
  • Einddatum: 22/01/2026 14:00
  • Geen bod: 1000 €
  • Kadastraal inkomen: 734 €
  • Vrij vanaf: Bij de akte
  • NOTALEX, notaires
  • Contactpersoon: Dan MAZZOTTA
  • Tel: (02) 627.46.69
  • Email: dmazzotta@notalex.be
  • Bezoekgegevens
  • dinsdagen 6-13-20/1 van 12u30-14u30 en zaterdagen 3-10-17/1 van 9-11u.

Huizen

2A Rue Camille Dessenius, 5020 Flawinne

Doe een bod van
349.000 €

Presentatiebeeld van het pand n° 291130
Uit de hand
  • Referentie: 291130
  • Cette superbe villa située dans un quartier calme à très faible passage offre un confort remarquable et une qualité d’entretien irréprochable. Avec ses beaux volumes, sa luminosité et ses équipements modernes, elle est parfaite pour ceux qui cherchent une maison prête à vivre sans travaux. Elle dispose de 3 chambres dont une avec grand dressing, d’un grenier de rangement isolé, d’un magnifique espace de vie ouvert avec poêle à bois + pellet + air co, ainsi que d’une cuisine équipée avec îlot et grand plan de travail. La technique est au top : CC mazout neuve, panneaux photovoltaïques, bi-horaire, électricité conforme, citerne d’eau de pluie, alarme, tente solaire, châssis DV bois, portail électrique, porte de garage motorisée. À l’extérieur, profitez d’un abri de jardin, d’une terrasse agréable et d’un espace piscine avec pompe à chaleur — le combo parfait pour vos étés. Cave de 20 m² avec accès extérieur, grenier isolé, villa saine et en excellent état. Il faut la voir pour se rendre compte du niveau de finition. Une opportunité de folie ! ?? Infos & visites : Thibault – 0486/97.87.00
  • Aantal kamers: 3
  • Oppervlakte van het woongedeelte: 170m2
  • Aantal badkamers: 1
  • Kadastraal inkomen: 1083 €
  • Vrij vanaf: Bij de akte
  • Christophe MICHAUX, société notariale
  • Contactpersoon: Christophe MICHAUX
  • Tel: (081) 22.03.84
  • Email: christophe.michaux@belnot.be
  • Bezoekgegevens
  • ?? Infos & visites : Thibault – 0486/97.87.00

Huizen

38 Résidence Bel Air, 6200 Châtelineau

Doe een bod van
160.000 €

Presentatiebeeld van het pand n° 291094
Uit de hand
  • Referentie: 291094
  • Maison bel-étage de trois chambres à rafraîchir, idéalement située dans un quartier calme et agréable, tout en bénéficiant d’une proximité immédiate avec toutes les commodités : commerces, écoles, transports en commun et principaux axes routiers. Le rez-de-chaussée se compose d’un hall d’entrée desservant un WC indépendant, un spacieux garage comprenant un local chaufferie ainsi qu’une remise couverte donnant accès au jardin. Au premier étage, vous découvrirez un séjour lumineux (salon/salle à manger) en espace ouvert de ±30 m², ainsi qu’une cuisine semi-équipée. Le deuxième étage se compose d’un hall de nuit desservant trois chambres indépendantes offrant de belles superficies (15 m², 11,5 m² et 7 m²) ainsi qu’une salle de bain équipée d’une baignoire et d’un meuble lavabo simple vasque. Sur le plan technique, la maison dispose d’un chauffage central au mazout et de châssis en aluminium double et simple vitrage. Des places de parking en devanture complètent cet ensemble. Réception des offres à partir de 160.000 € REFERENCES PEB : PEB G = 557 Kwh/m².an N° 20251114002250
  • Aantal kamers: 3
  • Aantal badkamers: 1
  • Kadastraal inkomen: 713 €
  • Vrij vanaf: Bij de akte
  • Charles DEBRAY, Notaire
  • Contactpersoon: Carmelo FALSONE
  • Tel: (071) 38.00.14
  • Email: carmelo.falsone.201566@belnot.be
  • Bezoekgegevens
  • S'adresser en l'étude.

Huizen

67 Rue de Marbais, 1495 Villers-la-Ville

Doe een bod van
312.000 €

Presentatiebeeld van het pand n° 291100
Uit de hand
  • Referentie: 291100
  • Maison 4 façades à rafraîchir dans un cadre paisible et verdoyant située dans un environnement calme, cette charmante villa offre une superficie habitable d’environ 160 m² et est implantée sur un terrain de 25 ares 05 centiares. Rez-de-chaussée : Hall d’entrée desservant un vaste séjour lumineux en espace ouvert (salon/salle à manger) de 35 m², une cuisine semi-équipée avec accès direct au garage (± 20 m²), une chambre de 13 m², ainsi qu’une salle de bains composée d’un meuble lavabo simple vasque et d’une douche. Étage : Hall de nuit desservant deux greniers communicants pouvant être aménagés en chambres (± 20 et 14 m²), un WC séparé, une chambre de 9 m², un bureau et une troisième chambre de 10 m². Aspects techniques : Châssis double vitrage bois, toiture recouverte d’ardoises artificielles et isolée par 6 cm de laine minérale, chauffage par radiateurs électriques, production d’eau chaude via un boiler électrique. Réception des offres à partir de 312.000 €. L’étude attire l’attention des candidats acquéreurs sur le fait qu’il n’est pas possible d’insérer une clause suspensive d’obtention de financement. REFERENCES PEB : PEB F = 474 Kwh/m².an N°20250605012256
  • Aantal kamers: 3
  • Aantal badkamers: 1
  • Kadastraal inkomen: 1400 €
  • Vrij vanaf: Bij de akte
  • Charles DEBRAY, Notaire
  • Contactpersoon: Carmelo FALSONE
  • Tel: (071) 38.00.14
  • Email: carmelo.falsone.201566@belnot.be
  • Bezoekgegevens
  • S'adresser en l'étude.

Appartementen

46 Kerkstraat, 2060 Antwerpen

Doe een bod van
215.000 €

Presentatiebeeld van het pand n° 291103
Uit de hand
  • Referentie: 291103
  • In deze levendige en gegeerde wijk, vinden we dit leuk 1-slaapkamer appartement terug op de derde verdieping in een jong gebouw met bouwjaar 2011. Op wandelafstand van station Antwerpen-Centraal, openbaar vervoer, de Zoo van Antwerpen en allerlei verschillende winkels en supermarkten. Bij het binnenkomen komt u terecht in de hal met rechts de woonkamer met open keuken en grote glaspartijen. Aan de woonkamer bevindt zich een klein, maar fijn zuidgericht terras met uitzicht op een groene tuin. Er is een berging aanwezig met aansluiting voor een wasmachine en tevens een aparte wc. Aan de ander kant van het appartement vindt u de slaapkamer met aansluitend de badkamer. Achter het gebouw bevindt zich een fietsenstalling voor de mede-bewoners met een gezamenlijke vuilniscontainer voor restafval. Het gebouw is uitgerust met een lift. Ideaal voor starters of als investering. Grootste troeven: -Centrale locatie - Schitterende lichtinval en zicht op groen -Gunstig EPC (A): 71kWh/m²/jaar -Goed onderhouden residentieel gebouw - Bouwjaar 2011 en asbestvrij -Conforme elektrische keuring - gemeenschappelijke kosten: 70,00 per maand (zal worden verhoogd door toekomstige werken) - Individuele meters voor elektriciteit, gas en water In de keuken is er recent een gasvuur, keukenblad & gootsteen geplaatst en het raamkader aan de woonkamer is tevens vernieuwd (2025). Voor meer informatie en bezichtigingen kan u terecht bij Notariaat Bart Van Tulden met telefoonnummer 03.235.53.50 G score: C P score: C
  • Aantal kamers: 1
  • Oppervlakte van het woongedeelte: 58m2
  • Aantal badkamers: 1
  • Kadastraal inkomen: 955 €
  • Vrij vanaf: Bij de akte
  • NOTARIAAT BART VAN TULDEN
  • Contactpersoon: Laurens VAN MECHELEN
  • Tel: (03) 235.53.50
  • Email: laurens.vanmechelen.351257@belnot.be
  • Bezoekgegevens
  • Voor meer informatie en bezichtigingen kan u terecht bij Notariaat Bart Van Tulden met telefoonnummer 03.235.53.50

Gronden

Heesdijk, 2382 Poppel

Doe een bod van
85.000 €

Presentatiebeeld van het pand n° 291102
Online openbare verkoop
  • Referentie: 291102
  • Met een oppervlakte van 11.315m². Sectie D, nummer 282W2 P0000. P score: A
  • Lopende verkoop
  • Startdatum: 24/02/2026 14:30
  • Einddatum: 04/03/2026 14:30
  • Geen bod: 1000 €
  • Vrij vanaf: Bij de akte
  • Notaris Natacha Stoop
  • Contactpersoon: Kantoor Not. Natacha Stoop
  • Tel: (03) 232.30.58
  • Email: info@notariaat-stoop.be
  • Bezoekgegevens
  • vrij te bezichtigen.

Gronden

Heesdijk, 2382 Poppel

Doe een bod van
85.000 €

Presentatiebeeld van het pand n° 291106
Online openbare verkoop
  • Referentie: 291106
  • Met een oppervlakte van 11.315m². Sectie D, nummer 282X2 P0000. P score: A
  • Lopende verkoop
  • Startdatum: 24/02/2026 14:30
  • Einddatum: 04/03/2026 14:30
  • Geen bod: 1000 €
  • Vrij vanaf: Bij de akte
  • Notaris Natacha Stoop
  • Contactpersoon: Kantoor Not. Natacha Stoop
  • Tel: (03) 232.30.58
  • Email: info@notariaat-stoop.be
  • Bezoekgegevens
  • vrij te bezichtigen.

Gronden

Eerste-Meistraat, 3700 Tongeren

Doe een bod van
8.000 €

Standaard presentatie(beeld) van een pand 291108
Uit de hand
  • Referentie: 291108
  • Verkoop onder gesloten omslag van een perceel landbouwgrond van 16a 60ca Het perceel gelegen te Tongeren-Borgloon (Tongeren) achterliggend aan Eerste-Meistraat, ter plaatse genaamd 'Bloer het Gehucht' (sectie B nummer 0399P0000), is verpacht. De verkoop geschiedt ONDER DE OPSCHORTENDE VOORWAARDE VAN NIET-UITOEFENING VAN HET RECHT VAN VOORKOOP DOOR DE PACHTER. VERKOOP DOOR INSCHRIJVING ONDER GESLOTEN OMSLAG De instelprijs is € 8.000,00. De inschrijving dient te gebeuren onder gesloten omslag, die aan het kantoor Geassocieerde Notarissen Rembert VAN BAEL-Cathérine GIELEN, Graanmarkt 1, 3700 Tongeren-Borgloon, tijdens de kantooruren, uiterlijk op 5 maart 2026, om 09.30 uur, bezorgd dient te worden tegen ontvangstbewijs; het kantoor is geopend op maandag, woensdag en donderdag van 09.00 u tot 12.30 u en van 13.30 u tot 18.00 u; op dinsdag van 09.00 u tot 12.30 u en van 13.30 u tot 18.30 u; op vrijdag van 09.00 u tot 13.00 u. Inschrijvingen dienen onvoorwaardelijk te zijn en uitgebracht te worden zonder opschortende voorwaarden, behoudens opschortende voorwaarde van niet-uitoefening van het voorkooprecht door de pachter. De inschrijvingen dienen te gebeuren tegen een vaste prijs voor het gehele goed. Op 5 maart 2026, om 11 uur, worden de gesloten omslagen met de inschrijvingen opengemaakt op het kantoor Geassocieerde Notarissen Rembert VAN BAEL-Cathérine GIELEN, in aanwezigheid van de vertegenwoordiger van de verkoper. Zodra de hoogste inschrijving bekend is, zal de notaris het recht van voorkoop aan de pachter aanbieden volgens de voorschriften van de pachtwet per aangetekende brief, uiterlijk binnen de acht dagen na de opening van de inschrijvingen. Als de pachter zijn recht van voorkoop niet uitoefent noch overdraagt volgens de voorschriften van de pachtwet, zal de notaris de hoogste inschrijver uitnodigen voor het verlijden van de verkoopakte. P score: A
  • Kadastraal inkomen: 7 €
  • Vrij vanaf: Bij de akte
  • Rembert VAN BAEL - Cathérine GIELEN, Geassocieerde Notarissen
  • Contactpersoon: Michael MATTHYS
  • Tel: (012) 23.04.13
  • Email: michael@vbgnotarissen.be

Huizen

38 Rue de Cerfontaine, 5660 Boussu-en-Fagne

Doe een bod van
120.000 €

Presentatiebeeld van het pand n° 291107
Uit de hand
  • Referentie: 291107
  • Ferme à restaurer dans un cadre champêtre avec beaux volumes Composition RDC : hall, cuisine non équipée, buanderie avec WC, SDB, salon salle à manger Etage : Hall de nuit, 3 chambres, grenier Dépendances : • garage avec fosse • laiterie • 5 étables • Fenil • Grange + grand fenil Chassis en bois simple vitrage Chauffage par poële au mazout et bois Cuve à mazout de chauffage 1.200 litres Cuve à mazout de roulage 1.200 litres
  • Aantal kamers: 3
  • Aantal badkamers: 1
  • Kadastraal inkomen: 272 €
  • Vrij vanaf: Onmiddellijk
  • Vincent MAILLARD notaire et associés
  • Contactpersoon: Sophie TOURNEUR
  • Tel: (060) 21.11.16
  • Email: sophie.tourneur.129569@belnot.be
  • Bezoekgegevens
  • Sur RDV avec l'Etude

Huizen

74 Graaf Bastalaan, 7700 Moeskroen

Doe een bod van
540.000 €

Presentatiebeeld van het pand n° 291101
Uit de hand
  • Referentie: 291101
  • ACTALEX 056/56204 A VENDRE – MAISON de standing avec 2 garages (pour 3 véhicules), 3 parkings, jardin, 3 chambres (dont 1 avec dressing), studio ou espace professionnel, localisée dans une impasse au calme, à proximité du Centre-Ville et de toutes commodités Adresse : MOUSCRON, Avenue Comte Basta, 57 - 3 chambres, dressing, salle de sport - Studio ou espace professionnel - 2 Garages pour 3 véhicules + 3 parkings - Jardin + terrasse - Superficie du terrain : 459 m² - PEB B et électricité conforme - Droits d’enregistrement 3% (pour un 1er achat – suivant les conditions) Maison comprenant : -Rez-de-chaussée : hall d’entrée avec escalier, wc, garage n°1 pour 2 véhicules avec espace buanderie et accès vers le jardin (porte sectionnelle motorisée), garage n°2 (porte sectionnelle motorisée), studio (comprenant espace de vie, cuisine avec coin repas, chambre, bureau, salle de bains, vue vers le jardin). Carrelage et plancher. Le studion est accessible par le hall d’entrée de la maison ainsi que par le garage. possibilité de convertir le studio en espace professionnel. -1er étage : large hall avec vestiaire (porte vitrée coulissante), wc avec lave-mains, spacieux et lumineux living avec vue et accès vers la terrasse (en bankirai) et le jardin via une baie vitrée coulissante, salle à manger, grande cuisine équipée complète, espace bar et cave à vin, bureau (puits de lumière), débarras avec armoires et lavabo. Carrelage et plancher -2ème étage : hall de nuit, 3 chambres dont une suite parentale connectée à la salle de bains (baignoire, douche italienne, lavabo – mortex), salle de sport, dressing. -Extérieur : jardin soigné et structuré, avec petit bassin, terrasse (bankirai), 3 parkings (pierre bleue et briques à chant). Chauffage : chauffage central au gaz : radiateurs + chauffage au sol dans le salon (chaudière à condensation). Châssis aluminium et bois double-vitrage. Citerne eau de pluie avec groupe hydrophore. Adoucisseur d’eau. Système d’alarme. Toiture récente. Porte d’entrée en aluminium + portes vitrée coulissante dans le hall. VILLE DE MOUSCRON- sixième division Maison d’habitation, avec dépendances et jardin sise Avenue Comte Basta 57, cadastrée d’après extrait de la matrice cadastrale section A, numéro(s) 566C10 P0000, pour une contenance de quatre ares cinquante-neuf centiares (4a 59ca). Revenu cadastral non-indexé : mille sept cent dix-neuf euros (€ 1.719,00)) Surface de plancher chauffé : 447 m² Maison idéalement située, proche de toutes commodités (axes routiers et autoroutiers, transports en commun, nombreux commerces, écoles, église, …). Rédiger une offre pour ce bien : https://actalex.be/modele-doffre/ Prix et renseignements communiqués à titre informatif, sous réserve de confirmation
  • Aantal kamers: 3
  • Oppervlakte van het woongedeelte: 447m2
  • Aantal badkamers: 2
  • Kadastraal inkomen: 1719 €
  • Vrij vanaf: Te bepalen
  • ACTALEX NOTAIRES ASSOCIES - GEASSOCIEERDE NOTARISSEN
  • Contactpersoon: Dorothée CALLEWAERT
  • Tel: (056) 56.20.40
  • Email: dorothee.callewaert.460040@belnot.be
  • Bezoekgegevens
  • ACTALEX 056/562040

Gronden

Kaststraat, 3700 Nerem

Doe een bod van
13.750 €

Standaard presentatie(beeld) van een pand 291113
Uit de hand
  • Referentie: 291113
  • Verkoop onder gesloten omslag van een perceel landbouwgrond van 27a 50ca Het perceel gelegen te Tongeren-Borgloon (Nerem), ter hoogte van de Kaststraat, ter plaatse genaamd 'Op de Walenberg' (sectie A nummer 0969AP0000), is verpacht. De verkoop geschiedt ONDER DE OPSCHORTENDE VOORWAARDE VAN NIET-UITOEFENING VAN HET RECHT VAN VOORKOOP DOOR DE PACHTER. VERKOOP DOOR INSCHRIJVING ONDER GESLOTEN OMSLAG De instelprijs is € 13.750,00. De inschrijving dient te gebeuren onder gesloten omslag, die aan het kantoor Geassocieerde Notarissen Rembert VAN BAEL-Cathérine GIELEN, Graanmarkt 1, 3700 Tongeren-Borgloon, tijdens de kantooruren, uiterlijk op 5 maart 2026, om 09.30 uur, bezorgd dient te worden tegen ontvangstbewijs; het kantoor is geopend op maandag, woensdag en donderdag van 09.00 u tot 12.30 u en van 13.30 u tot 18.00 u; op dinsdag van 09.00 u tot 12.30 u en van 13.30 u tot 18.30 u; op vrijdag van 09.00 u tot 13.00 u. Inschrijvingen dienen onvoorwaardelijk te zijn en uitgebracht te worden zonder opschortende voorwaarden, behoudens opschortende voorwaarde van niet-uitoefening van het voorkooprecht door de pachter. De inschrijvingen dienen te gebeuren tegen een vaste prijs voor het gehele goed. Op 5 maart 2026, om 11 uur, worden de gesloten omslagen met de inschrijvingen opengemaakt op het kantoor Geassocieerde Notarissen Rembert VAN BAEL-Cathérine GIELEN, in aanwezigheid van de vertegenwoordiger van de verkoper. Zodra de hoogste inschrijving bekend is, zal de notaris het recht van voorkoop aan de pachter aanbieden volgens de voorschriften van de pachtwet per aangetekende brief, uiterlijk binnen de acht dagen na de opening van de inschrijvingen. Als de pachter zijn recht van voorkoop niet uitoefent noch overdraagt volgens de voorschriften van de pachtwet, zal de notaris de hoogste inschrijver uitnodigen voor het verlijden van de verkoopakte. P score: A
  • Kadastraal inkomen: 19 €
  • Vrij vanaf: Bij de akte
  • Rembert VAN BAEL - Cathérine GIELEN, Geassocieerde Notarissen
  • Contactpersoon: Michael MATTHYS
  • Tel: (012) 23.04.13
  • Email: michael@vbgnotarissen.be

Huizen

1 Reepstraat, 9500 Nederboelare

Doe een bod van
289.000 €

Presentatiebeeld van het pand n° 291115
Uit de hand
  • Referentie: 291115
  • Op een steenworp van het bruisende centrum van Geraardsbergen bevindt zich deze schitterend gerenoveerde halfopen bebouwing die uitblinkt in kwalitatieve afwerking, energiezuinig wonen en een uiterst gezinsvriendelijke ligging. De woning werd recent van A tot Z vernieuwd met oog voor detail. Dankzij de EPC-score A, zonnepanelen en lucht/lucht-warmtepompen geniet je hier van een duurzame, toekomstgerichte woonoplossing met lage energiekosten. Binnenin vind je een ruime en lichte leefruimte, een moderne keuken en drie volwaardige slaapkamers, perfect voor starters die wat extra ruimte kunnen gebruiken. De badkamer is fris en hedendaags ingericht. Buiten geniet je van een gezellige tuin, een klein terras voor zomerse avonden én een garage - een grote troef in deze centrale buurt. Ben je op zoek naar een kwalitatief vernieuwde woning, vlak bij het centrum, waar je zonder werk meteen kunt intrekken? Dan is dit jouw ideale nieuwe thuis. G score: D P score: D
  • Aantal kamers: 3
  • Aantal badkamers: 1
  • Kadastraal inkomen: 483 €
  • Vrij vanaf: Bij de akte
  • Notaris Sofie HAEGEMAN
  • Contactpersoon: Sofie PAUWELS
  • Tel: (054) 50.04.56
  • Email: sofie@notariaatidegem.be
  • Bezoekgegevens
  • Bezoekdag 27/12/2025: U kan zich inschrijven op het nummer 0473/85.81.78 van 16u-20u

Gronden

7 Rue du Bas, 6220 Heppignies

Doe een bod van
45.000 €

Presentatiebeeld van het pand n° 280477
Uit de hand
  • Referentie: 280477
  • Terrain situé à Heppignies, rue du Bas. Contenance 6 ares 60 centiares. Largeur à rue +/- 6m50 Longueur (sur la partie la plus longue: +/- 90m) Pour tous renseignements concernant un projet de construction, nous vous invitons à vous rendre directement à l'urbanisme.
  • Kadastraal inkomen: 6 €
  • Vrij vanaf: Bij de akte
  • Société Notariale Ghigny & Associés
  • Contactpersoon: Caroline SPLINGARD
  • Tel: (071) 81.10.43
  • Email: caroline.splingard.108860@belnot.be
  • Bezoekgegevens
  • Visites sur place

Gronden

Rue des Quatre Vents, 5190 Jemeppe-sur-Sambre

Doe een bod van
60.000 €

Presentatiebeeld van het pand n° 280418
Uit de hand
  • Referentie: 280418
  • Beau terrain à Jemeppe-Sur-Sambre de 10 ares 61 centiares, largeur à rue 16,25m et longueur: +/- 66m
  • Kadastraal inkomen: 5 €
  • Vrij vanaf: Bij de akte
  • Société Notariale Ghigny & Associés
  • Contactpersoon: Caroline SPLINGARD
  • Tel: (071) 81.10.43
  • Email: caroline.splingard.108860@belnot.be
  • Bezoekgegevens
  • SUR PLACE

Huizen

171 Grand-Route, 4537 Verlaine

Doe een bod van
240.000 €

Presentatiebeeld van het pand n° 291112
Uit de hand
  • Referentie: 291112
  • Située dans le village pittoresque de Verlaine, cette maison trois façades est idéale pour ceux en quête de tranquillité tout en restant proche des commodités. Caractéristiques : Rez-de-chaussée : Un petit hall d'entrée, cuisine, salle à manger. Une seconde pièce à l'arrière, idéale pour un petit salon. Étage : Une salle de bains et une petite chambre mansardée. Deux chambres supplémentaires à l'étage supérieur. Grenier accessible par trappe depuis l'une des chambres, offrant un potentiel d'aménagement supplémentaire. Extérieur : Un garage Jardin bien entretenu, arboré, parfait pour profiter des journées ensoleillées. Bâtiment de stockage en blocs, offrant un espace de rangement supplémentaire. Autres caractéristiques : La maison comprend une cave. Passage latéral permettant un accès pratique au jardin. Cette maison offre un excellent potentiel de personnalisation pour les acheteurs à la recherche d’un bien dans un cadre calme. Ne manquez pas cette opportunité ! Pour toutes visites: Mr David au 085/73.00.62 ou par mail Vdavidwanze@gmail.com
  • Aantal kamers: 3
  • Oppervlakte van het woongedeelte: 140m2
  • Aantal badkamers: 1
  • Kadastraal inkomen: 421 €
  • Vrij vanaf: Bij de akte
  • Etude GREGOIRE, notaires associés
  • Contactpersoon: Gaëlle LAPORT
  • Tel: (085) 21.22.23
  • Email: gaelle.laport.214785@belnot.be
  • Bezoekgegevens
  • Mr David au 085/73.00.62 ou par mail Vdavidwanze@gmail.com

Gronden

Rue de Cerfontaine, 5660 Boussu-en-Fagne

Doe een bod van
33.680 €

Standaard presentatie(beeld) van een pand 291121
Uit de hand
  • Referentie: 291121
  • Un bloc de pâtures, sis Grand pachy del tourelle, cadastré selon récent extrait cadastral section B numéros 0168CP0000 et 0173AP0000, pour une contenance de un hectare soixante-huit ares quarante centiares (16.840 m²). Revenu cadastral : € 90,00. Libre d’occupation
  • Kadastraal inkomen: 90 €
  • Vrij vanaf: Onmiddellijk
  • Vincent MAILLARD notaire et associés
  • Contactpersoon: Sophie TOURNEUR
  • Tel: (060) 21.11.16
  • Email: sophie.tourneur.129569@belnot.be

Gronden

10 De Lollepot, 2390 Oostmalle

Doe een bod van
265.000 €

Presentatiebeeld van het pand n° 291122
Uit de hand
  • Referentie: 291122
  • Gelegen in een doodlopende straat, bij het centrum van Oostmalle. Lot 6: totaal 852 m² (waarvan 32m² buiten verkaveling valt): vraagprijs € 255.000. Lot 7: totaal 1.158 m² (waarvan 215m² buiten verkaveling valt): vraagprijs € 265.000. Lot 8: 655 m²: vraagprijs € 235.000. Deze percelen zijn gelegen in een goedgekeurde niet-vervallen verkaveling van 2009. P score: A
  • Vrij vanaf: Bij de akte
  • PHILIPPE VERLINDEN, NOTARIS
  • Contactpersoon: Jorga OOMEN
  • Tel: (03) 314.56.46
  • Email: jo@notariaatrijkevorsel.be

Huizen

7 Rue Bel-Horizon, 5600 Romedenne

Doe een bod van
175.000 €

Presentatiebeeld van het pand n° 291123
Uit de hand
  • Referentie: 291123
  • Visites effectuées par la société GIL (071/38.84.49) DESCRIPTIF : Une maison d’habitation comprenant : Niveau 1: Hall d’entrée, salon-salle à manger avec feu ouvert, cuisine, chambre, une salle de bain, un WC. Niveau 2 (rez-de-jardin) : salon, une buanderie avec grand espace de rangement, un garage aménagé en pièce pour bricoler Châssis double vitrage, volets partout. CARACTÉRISTIQUES / ÉQUIPEMENTS JARDIN : Oui CAVES : Oui CHAUFFAGE CENTRAL : Oui Type (Gaz/Mazout) : Mazout Citerne mazout 3000 l : ? Citerne gaz : Oui CHÂSSIS DOUBLE VITRAGE : Oui RACCORDEMENT EGOUT : ? PRÉSENCE DE PANNEAU PUBLICITAIRE : Non GARAGE : Oui Panneaux photovoltaïques : Non OCCUPATION : Non
  • Aantal kamers: 1
  • Aantal badkamers: 1
  • Kadastraal inkomen: 515 €
  • Vrij vanaf: Bij de akte
  • L&D Not, société notariale
  • Contactpersoon: Lucie VIERSET
  • Tel: (071) 68.80.48
  • Email: lucie.vierset.109215@belnot.be
  • Bezoekgegevens
  • Visites effectuées par la société GIL (071/38.84.49)

Handelspanden

2 Place Verte, 4000 Liège

Doe een bod van
565.000 €

Presentatiebeeld van het pand n° 290977
Online openbare verkoop
  • Referentie: 290977
  • Cet immeuble situé en plein cœur de Liège est idéal pour un investissement. Il est composé d'un espace commercial au rez-de-chaussée (salle avec bar, terrasse et cuisine) actuellement libre d'occupation. Aux étages, le bien est actuellement composé de 7 logements loués mais seuls 4 logements sont autorisés par la Ville. Nous vous invitons à lire attentivement le cahier des charges. Visites collectives: -Mardi 6 janvier de 18h à 19h ; -Mardi 13 janvier de 18h à 19h ; -Samedi 17 janvier de 9h30 à 10h30 ; -Mercredi 21 janvier de 18h à 19h ; -Samedi 31 janvier de 9h à 10h ; -Mercredi 4 février de 18h à 19h. Sous réserve de modifications par le notaire.
  • Lopende verkoop
  • Startdatum: 02/02/2026 14:00
  • Einddatum: 10/02/2026 14:00
  • Geen bod: 1000 €
  • Kadastraal inkomen: 8948 €
  • Vrij vanaf: Bij de akte
  • Anne Françoise HONHON et Christine DÔME, notaires associés
  • Contactpersoon: Déborah MARSIN
  • Tel: (04) 223.25.27
  • Email: deborah.marsin.223755@belnot.be
  • Bezoekgegevens
  • -Mardi 6 janvier de 18h à 19h ; -Mardi 13 janvier de 18h à 19h ; -Samedi 17 janvier de 9h30 à 10h30 ; -Mercredi 21 janvier de 18h à 19h ; -Samedi 31 janvier de 9h à 10h ; -Mercredi 4 février de 18h à 19h. Sous réserve de modifications par le notaire.

Huizen

, 7390 Quaregnon

Doe een bod van
130.000 €

Presentatiebeeld van het pand n° 290810
Uit de hand
  • Referentie: 290810
  • Maison deux façades à rafraichir située sur la commune de Quaregnon. Composition : - Sous-sol : 2 caves carrelées sur l'avant ; - Rez-de-chaussée : Entrée sur couloir avec escalier, grand séjour lumineux, une pièce cuisine spacieuse, une pièce de vie supplémentaire, salle de douche avec raccordements buanderie (lavabo, douche, bidet) ; - Etage : hall de nuit, 3 chambres dont une petite, salle d'eau (WC, lavabo) ; - Grenier : oui, accessible par trappe. - Extérieurs : terrasse carrelée avec préau, remise en dur. Renseignements supplémentaires : Tout à l'égout : oui, renseignements urbanistiques en cours, double vitrage + volets, chauffage central gaz de ville + poêle au charbon, électricité à prévoir. VISITES REALISÉES PAR UNE SOCIÉTÉ INDEPENDANTE, FRAIS DE VISITES FACTURÉS, PAR CETTE DERNIÈRE, À L’ACQUEREUR DÉFINITIF : 1. 500, 00€.
  • Aantal kamers: 3
  • Oppervlakte van het woongedeelte: 128m2
  • Kadastraal inkomen: 525 €
  • Vrij vanaf: Bij de akte
  • Dirosa, Jeanine
  • Contactpersoon: Justine CARDON
  • Tel: (065) 78.38.23
  • Email: justine.cardon.107292@belnot.be
  • Bezoekgegevens
  • MASS-IMMO : 0488 36 09 75

Gronden

Chemin Vert, 1480 Tubize

Doe een bod van
150.000 €

Presentatiebeeld van het pand n° 291004
Uit de hand
  • Referentie: 291004
  • Magnifique terrain à bâtir situé à Tubize (première division), sis à front du Chemin Vert, dans un petit lotissement au calme à la lisière des champs et à proximité du centre. Contenance suivant mesurage ci-après relaté de 5 ares 93 centiares, cadastré selon titre section E partie des numéros 392 A et 387 F et selon extrait cadastral récent section E 392LP0000 pour une contenance de 5 ares 93 centiares. Rappel de Plan : Tel que ce bien est repris sous LOT 22 et sous teinte jaune au procès-verbal de mesurage et de bornage daté du 20 août 2011, établi par le géomètre-expert Monsieur Vincent LESCEUX.
  • Kadastraal inkomen: 6 €
  • Vrij vanaf: Bij de akte
  • Pierre-Olivier LOIX & Valentin DELWART, notaires associés
  • Contactpersoon: Bettina CIAPPINA
  • Tel: (069) 22.52.15
  • Email: bettina.ciappina.351226@belnot.be
  • Bezoekgegevens
  • Prendre rendez-vous en l'étude des Notaires Pierre-Olivier LOIX et Valentin DELWART au 069/22.52.15

Appartementen

3 du Grand Orme, 7131 Binche

Doe een bod van
165.000 €

Presentatiebeeld van het pand n° 291092
Uit de hand te koop
  • Referentie: 291092
  • Bel appartement situé au 1er étage du bloc 3 dans un quartier agréable de Ressaix. A proximité d’une école, et avec accès facile aux voies rapides et commerces. L’immeuble de 3 étages a été construit en 2010, l’appartement est en très bon état, et est très bien entretenu. L’appartement mis en vente est actuellement loué (700 € loyer/mois). En fonction de la destination choisie, soit vous continuez la location, soit un renon sera a donner si le bien est encore occupé à l'acte. Le bien se compose d’un hall d’entrée spacieux, un séjour avec un grand balcon et une cuisine équipée avec ilot, un hall de nuit, deux chambres, une salle de bains, PEB B, Chauffage central gaz (compteur individuel), compteur bi-horaire et châssis PVC double vitrage. Le bien est raccordé à l’égout. Une cave et un emplacement de parking font partie de la vente. Les visites sont organisées par l’étude au 064/311.800 Site web sigmanotaires : https://www.sigmanotaires.be/detail/?id=7314758 (Les PDF sont visibles sur notre site web)
  • Aantal kamers: 2
  • Aantal badkamers: 1
  • Kadastraal inkomen: 773 €
  • Vrij vanaf: Te bepalen
  • Gribomont Fonteyn Bogaerts Spitaels Notaires associés
  • Contactpersoon: Vinciane BOUCHEZ
  • Tel: (064) 31.18.00
  • Email: vinciane.bouchez.356878@belnot.be
  • Bezoekgegevens
  • Contactez l'étude au 064/311.800

Huizen

14 Rue du Bosquet, 4800 Verviers

Doe een bod van
150.000 €

Presentatiebeeld van het pand n° 291052
Online verkoop
  • Referentie: 291052
  • Immeuble de rapport de caractère situé à Verviers, Rue du Bosquet, 14 Situé sur les hauteurs de Verviers, dans un quartier apprécié pour son calme et sa proximité de toutes commodités, cet imposant immeuble de rapport de type "maison de maître" offre une superficie habitable d’environ 450 m² et de beaux volumes, de belles hauteurs sous plafond, des éléments architecturaux d’époque ainsi qu'un important potentiel d’aménagement. Composition du bien : - Au rez-de-chaussée : deux garages, une cave et un vaste espace extérieur ; - Au premier étage : trois grandes pièces, une cuisine, une salle d’eau avec accès au jardin, une salle de bain avec baignoire et WC ainsi que de caves ; - Au deuxième étage : un hall, un salon, une cuisine non équipée, cinq chambres, une véranda donnant sur un vaste espace extérieur, un WC et une salle de bain avec douche, baignoire et évier ; - Au troisième étage : deux WC, dont un sur palier, deux salles de bain, dont une avec baignoire et l’autre avec chaudière et cinq chambres. Remarques importante : Une rénovation complète, tant au niveau structurel que technique, ainsi qu’une régularisation urbanistique sont à prévoir. 4 chaudières gaz. Châssis bois simple vitrage. 3 certificats PEB: F; D et F. Electricité non conforme.
  • Aantal kamers: 12
  • Aantal badkamers: 4
  • Lopende verkoop
  • Startdatum: 21/01/2026 15:00
  • Einddatum: 29/01/2026 15:00
  • Geen bod: 1000 €
  • Kadastraal inkomen: 1593 €
  • Vrij vanaf: Bij de akte
  • Renaud CHAUVIN & Baudouin TRISTANT - Société notariale
  • Contactpersoon: Jessica LOPEZ KALAVASSIS
  • Tel: (087) 33.04.60
  • Email: jessica.lopezkalavassis.221923@belnot.be
  • Bezoekgegevens
  • Sur rendez-vous avec l'Etude au 087/33.04.60

Huizen

8 A Rue des Merises, 4801 Stembert

Doe een bod van
249.500 €

Presentatiebeeld van het pand n° 291055
Uit de hand te koop
  • Referentie: 291055
  • Composition: Niveau rue: garage 1 voiture, vide ventilé Rez: hall, living, cuisine équipée, coin buanderie, WC Entresol: 1 pièce 1er: 3 chambres (dont 2 mansardées), SDB (baignoire, évier), WC 2e: petite pièce mansardée. Jardin avec grande chape, accès latéral. Vue très dégagée à l'arrière. 2 emplacements de parking devant l'immeuble Equipement: chauffage central gaz (chaudière sol Ideal Standard), électricité à remettre en conformité (compteur bi-horaire), châssis bois double vitrage Situation calme à proximité des commerces et services du centre de Stembert VISITES: contacter M. Fauchet (indépendant chargé des visites) au 0473/57.17.58
  • Aantal kamers: 3
  • Oppervlakte van het woongedeelte: 120m2
  • Aantal badkamers: 1
  • Kadastraal inkomen: 956 €
  • Vrij vanaf: Bij de akte
  • LAGUESSE et STOCKART - Notaires associés
  • Contactpersoon: Michel CANFIN
  • Tel: (087) 33.08.33
  • Email: michel.canfin.201160@belnot.be
  • Bezoekgegevens
  • contacter M. Fauchet (indépendant chargé des visites) au 0473/57.17.58

Huizen

25 Vinderhoutsedam, 9031 Drongen

Doe een bod van
500.000 €

Presentatiebeeld van het pand n° 291058
Online verkoop
  • Referentie: 291058
  • In een groene omgeving, dicht bij de R4 en met een vlotte verbinding naar het stadscentrum van Gent, bevindt zich deze vrijstaande woning. Op de benedenverdieping vindt u een inkomhal met apart toilet, een grote, lichtrijke leefruimte, alsook de keuken met aanpalende wasruimte/bijkeuken met extra toilet en zeer ruime garage. Op de bovenverdieping beschikt de woning over een nachthal, 4 slaapkamers en een ruime badkamer uitgerust met een bad, douche en toilet. De woning is verder uitgerust met zonnepanelen en opslagbatterijen. Zowel de elektrische installatie als de zonnepanelen werden conform verklaard en er geldt geen renovatieverplichting aangezien de woning reeds EPC-label B heeft. Gunstige waterscore (P- en G-score A). Volgens kadaster gelegen te Drongen, doch valt onder de postcode 9030 Mariakerke. G score: A P score: A
  • Aantal kamers: 4
  • Aantal badkamers: 1
  • Lopende verkoop
  • Startdatum: 02/02/2026 15:00
  • Einddatum: 10/02/2026 15:00
  • Geen bod: 1000 €
  • Kadastraal inkomen: 1879 €
  • Vrij vanaf: Bij de akte
  • NOTARIAAT DRONGEN, GEASSOCIEERDE NOTARISSEN
  • Contactpersoon: Ilke SMET
  • Tel: (09) 216.65.10
  • Email: ilke@notariaat-drongen.be
  • Bezoekgegevens
  • mits voorafgaandelijke afspraak op het telefoonnr. 0472/72.99.81, van 13u-16u: op volgende zaterdagen: 10 januari, 24 januari, 31 januari en 7 februari; op volgende woensdagen: 14 januari, 28 januari en 4 februari

Gronden

9 Brechtendale, 8511 Aalbeke

Doe een bod van
95.000 €

Presentatiebeeld van het pand n° 291059
Online verkoop
  • Referentie: 291059
  • Deze bouwgrond is gelegen op een perceel van 740 m². Het perceel is geschikt voor het oprichten van een nieuw te bouwen, open bebouwing (ééngezinswoning) met carport en tuinhuis. Directe omgeving van enkele diverse, belangrijke toegangswegen. Geschikt voor open bebouwing. P score: A
  • Lopende verkoop
  • Startdatum: 27/01/2026 13:00
  • Einddatum: 04/02/2026 13:00
  • Geen bod: 1000 €
  • Vrij vanaf: Bij de akte
  • Valerie Goeminne, Notaris - Notaire
  • Contactpersoon: Kantoor Not. Valerie Goeminne
  • Tel: (055) 21.27.25
  • Email: valerie.goeminne@notaris.be
  • Bezoekgegevens
  • De eigendom kan vrij bezocht worden

Huizen

2 Bagonie, 9170 Sint-Pauwels

Doe een bod van
149.000 €

Presentatiebeeld van het pand n° 291001
Uit de hand te koop
  • Referentie: 291001
  • Renovatieproject: een afgebrande chalet in Sint-Pauwels, gelegen in een rustige, groene omgeving. Het pand staat op een mooi stuk grond en biedt tal van mogelijkheden voor heropbouw of renovatie. Ideaal voor wie op zoek is naar rust, natuur en een project om naar eigen wens te realiseren. Neem gerust contact op voor meer informatie! G score: A P score: A
  • Aantal kamers: 1
  • Kadastraal inkomen: 420 €
  • Vrij vanaf: Bij de akte
  • Liesbeth MULLER Notaris
  • Contactpersoon: Shana VAN SOMEREN
  • Tel: (052) 46.12.79
  • Email: shana.vansomeren.124800@belnot.be

Huizen

21 Rue des Bons Vivants, 7100 La Louvière

Doe een bod van
190.000 €

Presentatiebeeld van het pand n° 291067
Uit de hand te koop
  • Referentie: 291067
  • Descriptif : Maison 2 chambres à rénover avec grand jardin et garage située dans une rue calme à proximité du centre de La Louvière et des hôpitaux. Rez : hall d’entrée, salon, salle à manger, coin cuisine, pièce à usage d’arrière-cuisine, WC, débarras et véranda. Grande terrasse et grand jardin (accès portail). Garage latéral avec accès direct au jardin. Étage : hall de nuit, 2 chambres, débarras et pièce pour salle de bain. Grenier aménageable, 3 caves. Contenance totale: 16 ares 05 ca. Revenu cadastral : 679 € (sous réserve). PEB : G – 747 kWh/m².an. Occupation :Libre à l’acte. ATOUT : un vaste jardin de 12 ares, idéal pour les amoureux d’espace. Faire offre à partir de 190.000€. Visite :clés en l’Etude.
  • Aantal kamers: 2
  • Kadastraal inkomen: 679 €
  • Vrij vanaf: Bij de akte
  • Thierry BRICOUT, Notaire
  • Contactpersoon: Sandy LUFRANO
  • Tel: (064) 22.13.52
  • Email: sandy.lufrano.130922@belnot.be
  • Bezoekgegevens
  • Visite :clés en l’Etude.

Huizen

50 Rue Eugène Dupont, 7860 Lessines

Doe een bod van
99.000 €

Presentatiebeeld van het pand n° 291076
Uit de hand te koop
  • Referentie: 291076
  • Bonne maison d’habitation deux façades avec petit garage et jardin située dans le centre de Lessines à proximité de toutes les facilités (écoles, commerces, gare), composée comme suit : - Au sous-sol : une cave sèche (compteur d’eau) - Au rez-de-chaussée (en enfilade) : un couloir desservant un petit garage 1 voiture (compteur électrique + gaz), une salle à manger, un salon (verrière), une cuisine semi-équipée (évier, taques aux gaz de ville, frigo, chauffe-eau Bulex), une salle de bains (WC, lavabo, bain/douche, lavabo), jardin, remise. - Au 1er étage : 2 chambres, dont une avec convecteur. - Au 2ème étage : 1 chambre + un grenier aménageable. - Convecteur (gaz de ville) - Raccordement à l’égout - Simple vitrage - Volets aux fenêtres Renseignements généraux : RC : 294€ PEB : E Contrôle de l’installation électrique : non conforme Superficie cadastrale : 1 are et 30 centiares
  • Aantal kamers: 3
  • Aantal badkamers: 1
  • Kadastraal inkomen: 294 €
  • Vrij vanaf: Bij de akte
  • DEVREUX, Laurent
  • Contactpersoon: Caroline RASSON
  • Tel: (068) 33.24.00
  • Email: caroline.rasson.106781@belnot.be
  • Bezoekgegevens
  • Vous pouvez contacter l’Etude au 068/33.24.00 pour les visites.

Huizen

19 Rue Marlennes, 4970 Stavelot

Doe een bod van
120.000 €

Presentatiebeeld van het pand n° 291078
Uit de hand te koop
  • Referentie: 291078
  • Maison se composant comme suit: REZ-DE-CHAUSSEE: salon (8 m²) et salle à manger (13 m²). 1er ETAGE: 2 chambres (10 et 13 m²). SOUS-SOL: cuisine non équipée (10 m²), salle de douches (6 m²), et W.C. Grenier. Petit jardin. Châssis en PVC double vitrage, chauffage électrique dans certaines pièces. Electricité non conforme.
  • Aantal kamers: 2
  • Oppervlakte van het woongedeelte: 91m2
  • Kadastraal inkomen: 252 €
  • Vrij vanaf: Bij de akte
  • Cesar, Bernard
  • Contactpersoon: Celine JACOT
  • Tel: (080) 86.20.23
  • Email: celine.jacot.125781@belnot.be
  • Bezoekgegevens
  • Prendre rendez-vous en l'Etude

Huizen

152 Brugsestraat, 8531 Hulste

Doe een bod van
95.000 €

Presentatiebeeld van het pand n° 291032
Online verkoop
  • Referentie: 291032
  • Te renoveren woning bestaande uit: - op de gelijkvloerse verdieping: een inkom, living, afzonderlijke eetplaats en keukenruimte - op de verdiepingen: 2 slaapkamers, badkamer en bureauruimte - geïsoleerde zolderruimte Inpandige garage, tuin en werkplaats achteraan de tuin. G score: D P score: D
  • Aantal kamers: 2
  • Lopende verkoop
  • Startdatum: 14/01/2026 13:00
  • Einddatum: 22/01/2026 13:00
  • Geen bod: 1000 €
  • Kadastraal inkomen: 425 €
  • Vrij vanaf: Bij de akte
  • NOTARIA
  • Contactpersoon: Jens TUFFREAU
  • Tel: (056) 62.00.60
  • Email: jens.tuffreau.460015@belnot.be
  • Bezoekgegevens
  • Het goed zal door de kandidaat-kopers kunnen bezocht worden op woensdag 7 januari 2026 en 14 januari 2026, telkens van 17 uur tot 19 uur en op zaterdag 20 december 2025, 10 januari 2026 en 17 januari 2026, telkens van 10.30 uur tot 12.00 uur.

Huizen

9 Rue de La-Rochette, 6870 Arville

Doe een bod van
160.000 €

Presentatiebeeld van het pand n° 291071
Uit de hand te koop
  • Referentie: 291071
  • Charmante maison située au cœur du village de Arville, composée au rez-de-chaussée d’un hall d’entrée, d’une cuisine semi-équipée ouverte sur le séjour, et d’un WC. À l’étage, un hall de nuit dessert trois chambres, une salle de bain avec douche et WC, et une pièce pouvant servir de bureau/rangement. Le bien dispose d’un garage. Chauffage central au mazout.
  • Aantal kamers: 3
  • Aantal badkamers: 1
  • Kadastraal inkomen: 716 €
  • Vrij vanaf: Bij de akte
  • Sophie Robinet, société notariale
  • Contactpersoon: Mélanie BASTIN
  • Tel: (061) 61.10.09
  • Email: melanie.bastin.104182@belnot.be
  • Bezoekgegevens
  • Fixer rendez-vous avec l'Etude

Huizen

40 Avenue Antoine Pottier, 4900 Spa

Doe een bod van
250.000 €

Presentatiebeeld van het pand n° 290758
Uit de hand te koop
  • Referentie: 290758
  • L’Étude des Notaires associés FASSIN & FALLA est ravie de vous présenter à la vente cette charmante maison de trois chambres, idéalement située au n°40 de l’Avenue Antoine Pottier, dans un quartier résidentiel calme et accueillant. En plus de sa situation paisible, la maison offre une jolie vue dégagée à l’arrière ainsi qu’un accès direct à un square tout aussi serein. En poussant la porte, vous découvrirez un hall d’entrée menant à un séjour lumineux traversant toute la profondeur de la maison, une salle-de-douche avec lavabo, ainsi qu’un coin cuisine à repenser selon vos envies. Une annexe complète le rez-de-chaussée avec un WC et un accès direct au jardin. À l’étage, un palier distribue trois chambres de belle taille ainsi qu’une salle de bains comprenant une baignoire “sabot”, un lavabo, un WC et un chauffe-eau. Le grenier mansardé situé sous la toiture offre un espace supplémentaire plein de possibilités. Au sous-sol, deux caves, dont l’une abrite une citerne à mazout de moins de 3.000 litres. Côté technique, la maison est équipée d’un chauffage central au mazout (chaudière Buderus de 1988), de châssis mêlant simple et double vitrage datant des années 1984 à 1990, l’installation électrique n’est pas conforme (en attente de la réception). PEB n°20251216031616 label D. Une maison pleine de potentiel, à découvrir sans hésiter !
  • Aantal kamers: 3
  • Oppervlakte van het woongedeelte: 100m2
  • Aantal badkamers: 1
  • Kadastraal inkomen: 468 €
  • Vrij vanaf: Bij de akte
  • Armand & Amélie FASSIN, Notaires Associés
  • Contactpersoon: Alexandra PIRON
  • Tel: (087) 77.25.09
  • Email: alexandra.piron.353858@belnot.be

Huizen

41 Rue Diesayawe, 4820 Dison

Doe een bod van
12.000 €

Presentatiebeeld van het pand n° 291061
Online verkoop
  • Referentie: 291061
  • Maison d'habitation unifamiliale à réhabiliter entièrement
  • Aantal kamers: 4
  • Lopende verkoop
  • Startdatum: 21/01/2026 10:00
  • Einddatum: 29/01/2026 10:00
  • Geen bod: 1000 €
  • Kadastraal inkomen: 743 €
  • Vrij vanaf: Andere
  • Marie ESSER, société notariale
  • Contactpersoon: Aurélie LENNERTZ
  • Tel: (087) 33.12.56
  • Email: aurelie.lennertz.222778@belnot.be
  • Bezoekgegevens
  • Vu l'état actuel du bien et l'arrêté communal relatif à l'insécurité du bâtiment, le Notaire conseille aux amateurs de se contenter de faire le tour du bien et de la voir depuis l'extérieur (cfr p.4 des conditions générales de vente)

Huizen

3 Lodewijk Smitsstraat, 2220 Heist-op-den-Berg

Doe een bod van
195.000 €

Presentatiebeeld van het pand n° 291060
Online verkoop
  • Referentie: 291060
  • Indeling: - gelijkvloers: inkom, toilet , leefruimte, keuken, bergruimte, veranda, tuin; - 1e V: nachthal, 2 slaapkamers, badkamer, bergruimte. Vermoeden Vg, vergunning, vg voor verbouwen 1994, 1995 en 2000. Woongebied; wegenis, Bouwkundig erfgoed: Tuinwijk, P- G-score: A; blanco bodemattest; niet-asbestveilig; EPC: E; renovatieplicht; AREI niet conform. G score: A P score: A
  • Aantal kamers: 2
  • Aantal badkamers: 1
  • Lopende verkoop
  • Startdatum: 12/01/2026 14:00
  • Einddatum: 20/01/2026 14:00
  • Geen bod: 1000 €
  • Kadastraal inkomen: 513 €
  • Vrij vanaf: Bij de akte
  • Notaris Erika Isenborghs
  • Contactpersoon: Sam VANWIJCK
  • Tel: (015) 23.77.02
  • Email: sam@notaris-hallaar.be
  • Bezoekgegevens
  • vanaf maandag 5/1 tem maandag 19/1 na tel. afspr. met Dhr Dimitri De Cock: 03/240.67.56.

Huizen

43 Cité de Guémené Penfao, 6180 Courcelles

Doe een bod van
140.000 €

Presentatiebeeld van het pand n° 291063
Uit de hand te koop
  • Referentie: 291063
  • Maison d'habitation composée comme suit: Au rdc: - Hall d'entrée - Living - Cuisine semi-équipée - Véranda - Cour avec terrasse, petit jardin et châlet en bois - 3 Caves Etage: - 3 chambres - Salle de bains - Grenier accessible par une trappe Volets Chassis PVC double vitrage Chauffage central au gaz Poêle mazout dans le living Visites sur rendez-vous avec Monsieur Patrick BERNARD au 0479/83.76.20
  • Aantal kamers: 3
  • Kadastraal inkomen: 371 €
  • Vrij vanaf: Bij de akte
  • Dominique ROMBEAU et Vinciane MICHAUX, Notaires associées
  • Contactpersoon: Lory JAMART
  • Tel: (071) 35.11.95
  • Email: lory.jamart.133116@belnot.be
  • Bezoekgegevens
  • Sur rendez-vous avec Monsieur Patrick BERNARD au 0479/83.76.20

Huizen

58 Rue de l'Egalité, 7020 Nimy

Doe een bod van
80.000 €

Presentatiebeeld van het pand n° 290952
Uit de hand te koop
  • Referentie: 290952
  • Maison d'habitation à rénover
  • Aantal kamers: 3
  • Aantal badkamers: 1
  • Kadastraal inkomen: 892 €
  • Vrij vanaf: Bij de akte
  • Julien FRANEAU, Notaire
  • Contactpersoon: Nicolas VERHOLLE
  • Tel: (065) 33.52.12
  • Email: nicolas.verholle.106393@belnot.be

Huizen

34 Arsenaalstraat, 1800 Vilvoorde

Doe een bod van
75.000 €

Presentatiebeeld van het pand n° 291065
Online verkoop
  • Referentie: 291065
  • Woning met zuidgerichte oriëntatie en centrale ligging, ideaal voor totale renovatie. Een interessant project met veel potentieel voor wie wil bouwen of vernieuwen. G score: A P score: A
  • Aantal kamers: 1
  • Aantal badkamers: 1
  • Lopende verkoop
  • Startdatum: 26/01/2026 12:00
  • Einddatum: 03/02/2026 12:00
  • Geen bod: 1000 €
  • Kadastraal inkomen: 342 €
  • Vrij vanaf: Onmiddellijk
  • Anne Verhaeghe & Thomas Cleymans, geassocieerde notarissen
  • Contactpersoon: Kantoor Not. Verhaeghe & Cleymans
  • Tel: (02) 272.40.50
  • Email: info@notariaat-meise.be
  • Bezoekgegevens
  • Zaterdagen 10/01/2026, 17/01/2026, 24/01/2026 en 31/01/2026, van 10u-12u

Appartementen

1b Parklaan, 8430 Middelkerke

Doe een bod van
43.000 €

Presentatiebeeld van het pand n° 291066
Online verkoop
  • Referentie: 291066
  • Deze studio bevindt zich in de Residentie Gaviota en bestaat uit de inkomhal, badkamer met wc, de eigenlijke studio met kookhoek en terras aan de voorzijde van het gebouw. Daarnaast is er nog kelder in de kelderverdieping. Het terras kijkt uit richting Rauschenbergplein. Het gebouw ligt op wandelafstand van de zeedijk en het strand. G score: A P score: A
  • Aantal badkamers: 1
  • Lopende verkoop
  • Startdatum: 27/01/2026 13:00
  • Einddatum: 04/02/2026 13:00
  • Geen bod: 1000 €
  • Kadastraal inkomen: 436 €
  • Vrij vanaf: Bij de akte
  • VANHIMBEECK & SCHOCKAERT, geassocieerde notarissen
  • Contactpersoon: Kantoor Not. Vanhimbeeck & Schockaert
  • Tel: (059) 30.04.32
  • Email: info@vsnotarissen.be
  • Bezoekgegevens
  • Na contact met het notariskantoor

Huizen

400 Kerkstraat, 8370 Uitkerke

Doe een bod van
199.000 €

Presentatiebeeld van het pand n° 291068
Online verkoop
  • Referentie: 291068
  • Eengezinswoning met handelsruimte op het gelijkvloers, omvattende o.a. 4 slaapkamers, koer en tuin. Te renoveren (ongeschikt voor bewoning verklaard). Vrij mits betaling van koopsom en kosten. EPC 759. G score: A P score: A
  • Aantal kamers: 4
  • Oppervlakte van het woongedeelte: 241m2
  • Aantal badkamers: 1
  • Lopende verkoop
  • Startdatum: 19/01/2026 11:00
  • Einddatum: 27/01/2026 11:00
  • Geen bod: 1000 €
  • Kadastraal inkomen: 1261 €
  • Vrij vanaf: Bij de akte
  • SABBE, Jean-Louis
  • Contactpersoon: Kantoor Not. Jean-Louis Sabbe
  • Tel: (050) 42.82.72
  • Email: info@notarissabbe.com
  • Bezoekgegevens
  • Sleutel te bekomen in het kantoor, mits reservering

Handelspanden

99 Rue de Bruxelles, 1480 Tubize

Doe een bod van
500.000 €

Presentatiebeeld van het pand n° 290355
Uit de hand te koop
  • Referentie: 290355
  • Vous rêvez d’un espace au cœur de Tubize, alliant caractère et potentiel, dans l'un des sites industriels les plus emblématiques de la région ? Ne cherchez plus ! Nous vous proposons un entrepôt spacieux actuellement aménagé en salle de sport, offrant une atmosphère unique et une grande flexibilité d’aménagement. Emplacement : Situé dans les bâtiments historiques des Filatures Fabelta, un site prestigieux et bien desservi. Aménagement actuel : Salle de sport entièrement équipée avec toutes les commodités nécessaires, incluant vestiaires, douches, sanitaires, et espaces de rangement. Volumes exceptionnels : De grands espaces ouverts avec une hauteur sous plafond impressionnante, permettant une transformation facile en bureaux, entrepôts, ou tout autre usage selon vos besoins. Accessibilité : Excellente situation géographique avec un accès rapide aux grandes routes, transports en commun à proximité. Potentiel d'aménagement : Idéal pour des projets variés – de la transformation en espace de coworking, à un showroom, en passant par un centre de loisirs ou une entreprise nécessitant de vastes volumes. L'architecture industrielle et la luminosité naturelle apportent un charme incomparable à cet espace. Points forts : Environnement dynamique : Le site des Filatures Fabelta bénéficie d'une situation stratégique, à proximité des commerces, des écoles et des infrastructures publiques. Espace modulable : Que ce soit pour une activité commerciale, un projet de bureaux, ou un espace créatif, cet entrepôt vous offre une totale liberté d'aménagement. Lignes modernes et historiques : La combinaison des matériaux d'origine et des aménagements modernes crée une ambiance unique, idéale pour des projets avant-gardistes ou créatifs. Ne manquez pas cette occasion rare de transformer un espace de caractère à Tubize en votre projet personnel ou professionnel !
  • Kadastraal inkomen: 2766 €
  • Vrij vanaf: Bij de akte
  • LAMBERT Nicolas
  • Contactpersoon: Nicolas LAMBERT
  • Tel: (02) 366.45.27
  • Email: nicolas.lambert@belnot.be
  • Bezoekgegevens
  • Uniquement sur rendez-vous

Huizen

39 Boulevard de l'Est, 7800 Ath

Doe een bod van
160.000 €

Presentatiebeeld van het pand n° 291073
Uit de hand te koop
  • Referentie: 291073
  • Jolie maison de Ville à proximité de la gare de Ath sur et avec 1 are – RC : 587 € - Comprenant : 2 pièces de séjour, hall d’entrée, cuisine, sdb, wc, 2 chambres, grenier aménageable, cave et cour – chauffage central au gaz –
  • Aantal kamers: 2
  • Kadastraal inkomen: 587 €
  • Vrij vanaf: Bij de akte
  • NOTAIRES Frédéric et Antoine DEBOUCHE
  • Contactpersoon: Frédéric DEBOUCHE
  • Tel: (064) 66.20.39
  • Email: frederic.debouche@belnot.be
  • Bezoekgegevens
  • tous les samedis de 11 à 12 heures sur rdv voir étude

Gronden

Rutterweg, 3700 Rutten

Doe een bod van
13.500 €

Presentatiebeeld van het pand n° 287062
Uit de hand te koop
  • Referentie: 287062
  • “Het perceel gelegen te Tongeren-Borgloon (Rutten), aan de Rutterweg, ter plaatse genaamd “IN HET TUNGERSVELD” (sectie A nummer 0107BP0000), is verpacht. De verkoop geschiedt ONDER DE OPSCHORTENDE VOORWAARDE VAN NIET-UITOEFENING VAN HET RECHT VAN VOORKOOP DOOR DE PACHTER. VERKOOP DOOR INSCHRIJVING ONDER GESLOTEN OMSLAG. De instelprijs is € 13.500,00. De inschrijving dient te gebeuren onder gesloten omslag, die aan Notariskantoor Rembert VAN BAEL-Cathérine GIELEN, Graanmarkt 1, 3700 Tongeren-Borgloon, tijdens de kantooruren, uiterlijk op donderdag 2 oktober 2025, om 9.30 uur, bezorgd dient te worden tegen ontvangstbewijs. Op 2 oktober 2025 om 10u30 worden de gesloten omslagen met de inschrijvingen opengemaakt in aanwezigheid van de vertegenwoordiger van de verkoper. Zodra de hoogste inschrijving bekend is, zal de notaris het recht van voorkoop aan de pachter aanbieden volgens de voorschriften van het Vlaams Pachtdecreet per aangetekende brief, uiterlijk binnen de acht dagen na de opening van de inschrijvingen. Als de pachter zijn recht van voorkoop niet uitoefent noch overdraagt volgens de voorschriften van het Vlaams Pachtdecreet, zal de notaris de hoogste inschrijver uitnodigen voor het verlijden van de verkoopakte. Het kantoor Notaris Rembert VAN BAEL-Cathérine GIELEN is geopend op maandag, woensdag en donderdag van 8.45 u tot 12.30 u en van 13.30 u tot 18.00 u; op dinsdag van 08.45 u tot 12.30 u en van 13.30 u tot 18.30 u; op vrijdag van 09.00 u tot 13.00 u. De inschrijvingen dienen onvoorwaardelijk te zijn en uitgebracht te worden zonder opschortende voorwaarden, behoudens de opschortende voorwaarde van niet-uitoefening / overdracht van het voorkooprecht door de pachter. De inschrijvingen dienen te gebeuren tegen een vaste prijs voor het gehele goed. De inschrijving dient ondubbelzinnig de identiteit te duiden van de uitbrenger van het bod en voor akkoord ondertekend te zijn. Zij die een bod uitbrengen verbinden er zich toe het goed aan te kopen aan de door hen geboden prijs, voor zover het uitgebrachte bod niet lager is dan de instelprijs, dit bod het hoogste bod uitmaakt, en de pachter zijn voorkooprecht niet uitoefent of overdraagt. P score: A
  • Kadastraal inkomen: 19 €
  • Vrij vanaf: Bij de akte
  • Rembert VAN BAEL - Cathérine GIELEN, Geassocieerde Notarissen
  • Contactpersoon: Fabiola RAMA
  • Tel: (012) 23.04.13
  • Email: fabiola.rama.104232@belnot.be

Huizen

1 Vlierbesstraat, 3990 Grote-Brogel

Doe een bod van
220.000 €

Presentatiebeeld van het pand n° 291083
Uit de hand te koop
  • Referentie: 291083
  • Bent u op zoek naar een renovatieproject met een stevige basis in een rustige, landelijke omgeving? Deze halfopen bebouwing in de Vlierbesstraat 1 te Peer (Grote-Brogel) biedt u de unieke kans om een woning van 165 m² volledig naar eigen smaak te moderniseren. De woning beschikt over een EPC-label F. De elektrische keuring is momenteel niet conform. Dit biedt u de kans om de elektriciteit volledig te vernieuwen volgens de modernste standaarden tijdens uw renovatiewerken. Een belangrijk pluspunt: de woning is reeds officieel asbestveilig verklaard, wat u tijd en kosten bespaart bij de start van de werken. Grijp de kans om van deze woning met EPC F een moderne, energiezuinige thuis te maken. Je kan deze woning bezichtigen op de kijkdagen die plaatsvinden op elke zaterdag vanaf 10 januari tot en met 31 januari tussen 10 en 11 uur. G score: A P score: A
  • Aantal kamers: 3
  • Oppervlakte van het woongedeelte: 165m2
  • Aantal badkamers: 1
  • Kadastraal inkomen: 674 €
  • Vrij vanaf: Bij de akte
  • Clercx, Böse & van der Weij, geassocieerde notarissen
  • Contactpersoon: Ines ACKERMANS
  • Tel: (089) 35.44.88
  • Email: ia@abcnotarissen.be
  • Bezoekgegevens
  • Je kan deze woning bezichtigen op de kijkdagen die plaatsvinden op elke zaterdag vanaf 10 januari tot en met 31 januari tussen 10u en 11u

Huizen

1 Rue de Douvrain, 7011 Ghlin

Doe een bod van
85.000 €

Presentatiebeeld van het pand n° 288993
Uit de hand te koop
  • Referentie: 288993
  • Maison en cours de travaux située sur l'axe Mons-Ghlin. L'immeuble comprend wc, living , cuisine, 2 chambres, cave. Châssis et volets en bon état.
  • Aantal kamers: 2
  • Kadastraal inkomen: 329 €
  • Vrij vanaf: Bij de akte
  • ETUDE RAUCENT
  • Contactpersoon: Joëlle BERLEMONT
  • Tel: (065) 61.08.50
  • Email: joelle.berlemont.130252@belnot.be
  • Bezoekgegevens
  • Prendre rendez-vous en l'étude

Gronden

, 9570 Deftinge

Doe een bod van
1.234.567 €

Presentatiebeeld van het pand n° 291075
Uit de hand te koop
  • Referentie: 291075
  • (zie hieronder voor correcte prijs) Volgende gronden zijn te koop gelegen in Deftinge: De totaliteit van de percelen wordt momenteel gebruikt als weide en er is ook een waterput te vinden. 1) perceel bouwland (257A) gelegen te Gemeldorpkauter met een oppervlakte van 15ca. 2) perceel bouwland (257B) gelegen te Gemeldorpkauter met een oppervlakte van 13a 67ca. -> perceel 257A en 257B worden samen verkocht aan 4000 euro 3) perceel bouwland (442) gelegen te Kiskam met een oppervlakte van 30a 60ca. 4) perceel weiland (467A) gelegen te Kiskam met een oppervlakte van 42a 40ca. 5) perceel weiland (467M) gelegen te Kiskam met een oppervlakte van 18a 50ca. -> percelen 442, 467A en 467M worden samen verkocht aan 50.000 euro. 6) een weg (467D) gelegen te Kiskam met een oppervlakte van 1a 20ca. 7) een weg (467G) gelegen te Kiskam met een oppervlakte van 2a 30ca. P score: B
  • Kadastraal inkomen: 60 €
  • Vrij vanaf: Bij de akte
  • De Man & Bracke, geassocieerde notarissen
  • Contactpersoon: Chiara JANS
  • Tel: (054) 41.22.22
  • Email: chiara.jans.130088@belnot.be

Gronden

futur n°12 Sentier de l'Eglise, 6200 Bouffioulx

Doe een bod van
65.000 €

Presentatiebeeld van het pand n° 291062
Uit de hand
  • Referentie: 291062
  • Terrain à bâtir d'une superficie de 20a 69ca En zone d'habitat sur environ 52mètres, le surplus en zone d'espaces verts (densité moyenne à faible) Prescriptions: aire de bâtisses pavillonnaires (dossier complet en l'Etude) Bonne exposition Visites: Directement sur place Bel environnement et proche du Centre de Bouffioulx
  • Kadastraal inkomen: 15 €
  • Vrij vanaf: Bij de akte
  • Coralie de WILDE d´ESTMAEL et Cédric DEL MARMOL notaires associés
  • Contactpersoon: Christelle DEWIT
  • Tel: (071) 50.10.39
  • Email: christelle.dewit.350692@belnot.be
  • Bezoekgegevens
  • Directement sur place

Appartementen

41 Du temple, 7100 La Louvière

Doe een bod van
160.000 €

Presentatiebeeld van het pand n° 291079
Uit de hand
  • Referentie: 291079
  • Dans la Résidence STELLA comprenant 15 appartements-2 locaux commerciaux /14 emplacements de parking dans la cour À vendre – Bel appartement de 90m2 comprenant 2 chambres , une cave et un emplacement de parking Situé en plein centre-ville, cet appartement en très bon état se trouve au rez-de-chaussée haut d’une résidence calme et bien entretenue. Il offre un cadre de vie agréable à proximité des commerces, écoles et transports en commun. L’appartement se compose de : Un hall d’entrée accueillant Un lumineux séjour salon/salle à manger (le feu électrique n’est pas inclus dans la vente) Une cuisine équipée fonctionnelle Deux chambres confortables Une salle de douche moderne L’appartement dispose également d’une cave privative (n°003) et d’un emplacement de parking dans la cour (n°12), accessible par la rue Fernand Clarat 38. Caractéristiques techniques : Châssis en double vitrage Carrelage au sol Chauffage central au gaz Compteurs individuels Gestion de copropriété : Gesimmo Partners
  • Aantal kamers: 2
  • Oppervlakte van het woongedeelte: 90m2
  • Kadastraal inkomen: 770 €
  • Vrij vanaf: Bij de akte
  • Aurélie HAINE, Notaire
  • Contactpersoon: Sophie CARLIER
  • Tel: (064) 22.35.42
  • Email: sophie.carlier.125922@belnot.be
  • Bezoekgegevens
  • Contacter l'étude au 064/223542

Huizen

43 Rue Victor Lucq, 6040 Jumet

Doe een bod van
145.000 €

Presentatiebeeld van het pand n° 291026
Uit de hand
  • Referentie: 291026
  • Maison 2 façades avec jardin et terrasse d'une superficie de 2 ares et 64 ca, située à Jumet, rue Victor Lucq, 43 et composée comme suit : - Au sous-sol : Caves - Au rez-de-chaussée: un séjour/salle à manger (+/- 40 m²), une salle de bain avec WC (+/- 6,5 m²) et une cuisine (+/- 9,4 m²). - Au 1er étage: 3 chambres (+/- 12,5 m², 19,5 m², 18 m²). - Au grenier: surface aménageable avec ouverture par trappe (+/- 40 m²). La maison compte un jardin arrière avec un petit atelier et une terrasse. Toiture récente et isolée. Electricité conforme. Chauffage central au gaz (chaudière récente). PEB : G. RC : 386€ Les visites s'effectuent du lundi au vendredi de 16h30 à 19h. Uniquement sur RDV au 071/41.45.34 Faire offre à partir de 145.000€.
  • Aantal kamers: 3
  • Aantal badkamers: 1
  • Kadastraal inkomen: 386 €
  • Vrij vanaf: Bij de akte
  • Gilles FRANCE Notaire
  • Contactpersoon: Charlotte METZ
  • Tel: (071) 41.45.34
  • Email: charlotte.metz.127191@belnot.be
  • Bezoekgegevens
  • Les visites s'effectuent du lundi au vendredi de 16h30 à 19h. Uniquement sur RDV au 071/41.45.34

Huizen

59 Rue de la Vire, 6761 Virton

Doe een bod van
130.000 €

Presentatiebeeld van het pand n° 290474
Online openbare verkoop
  • Referentie: 290474
  • Découvrez cette maison idéalement située à Latour. Le rez-de-chaussée se compose d’un salon, d’une salle à manger conviviale et d’une cuisine équipée. À l’étage, vous trouverez 3 chambres ainsi qu’une salle de bain. Il y a également un grenier et une cave. À l’extérieur, profitez d’une agréable terrasse et d’une pelouse, parfaites pour les moments de détente. Un garage, situé à seulement 30 m de la maison, complète ce bien et peut accueillir un véhicule. - La mise à prix s’élève à cent trente mille euros (130.000 EUR). - Le jour et l’heure du début des enchères est le mercredi 21 janvier 2026 à 10 heures. Le jour et l’heure de la clôture des enchères est le jeudi 29 janvier 2026 à 10 heures, sous réserve d’éventuelles prolongations, conformément à l’article 9 des conditions générales, en raison du sablier et/ou d’un dysfonctionnement généralisé de la plateforme d’enchères. - Sauf instruction contraire du notaire et sauf retrait du bien de la vente, le procès-verbal d’adjudication sera signé en l’étude du notaire le mardi 10 février 2026 à 15 heures. - Le bien pourra être visité par les candidats-acquéreurs sur rendez-vous à prendre avec l’étude du notaire Aurore Fourniret soussignée. Les visites pourront avoir lieu du lundi au vendredi, entre 13h30 à 17 heures Vous trouverez davantage d’informations dans le cahier des charges, disponible à l’étude.
  • Aantal kamers: 3
  • Aantal badkamers: 1
  • Lopende verkoop
  • Startdatum: 21/01/2026 10:00
  • Einddatum: 29/01/2026 10:00
  • Geen bod: 1000 €
  • Kadastraal inkomen: 426 €
  • Vrij vanaf: Bij de akte
  • Aurore FOURNIRET société notariale
  • Contactpersoon: Thiebaud DELMELLE
  • Tel: (063) 57.70.62
  • Email: thiebaud.delmelle.128090@belnot.be
  • Bezoekgegevens
  • Le bien pourra être visité par les candidats-acquéreurs sur rendez-vous à prendre avec l’étude du notaire Aurore Fourniret au 063 57 70 62 . Les visites pourront avoir lieu du lundi au vendredi, entre 13h30 à 17 heures

Huizen

124 Rue de la Montagne, 6240 Farciennes

Doe een bod van
80.000 €

Presentatiebeeld van het pand n° 291012
Online openbare verkoop
  • Referentie: 291012
  • Pour les visites, merci de contacter la société GIL au 071/38.84.49 (option 1). Composition : Rez-de-chaussée : Salon, salle à manger, cuisine équipée, salle de bain ; 1er étage : 2 chambres ; 2ème étage : une grande chambre ; Sous-sol : 2 caves. - Cour et jardin - Châssis double vitrage en PVC et bois - Chauffage central mazout - Raccordement à l’égout - PEB : classe D. Pour les visites, merci de contacter la société GIL au 071/38.84.49 (option 1).
  • Aantal kamers: 3
  • Oppervlakte van het woongedeelte: 165m2
  • Lopende verkoop
  • Startdatum: 26/01/2026 14:00
  • Einddatum: 03/02/2026 14:00
  • Geen bod: 1000 €
  • Kadastraal inkomen: 312 €
  • Vrij vanaf: Andere
  • HUSSON, Nathalie
  • Contactpersoon: Anycia BINDELS
  • Tel: (071) 36.13.97
  • Email: anycia.bindels.178244@belnot.be
  • Bezoekgegevens
  • Pour les visites, merci de contacter la société GIL au 071/38.84.49 (option 1).

Huizen

39 Kortendam, 9940 Evergem

Doe een bod van
207.000 €

Presentatiebeeld van het pand n° 291015
Online openbare verkoop
  • Referentie: 291015
  • Rustig gelegen woning aan einde van doodlopende straat. Privacy en rust verzekerd. Landelijke omgeving, makkelijk toegang tot nabij gelegen voorzieningen. Woning heeft solide basis die na renovatie ingericht kan worden naar wens van de kandidaat-koper. Aparte garage met opslagmogelijkheid. 3 slaapkamers, 1 badkamer, apart toilet, ruime zolder. G score: A P score: B
  • Aantal kamers: 3
  • Aantal badkamers: 1
  • Lopende verkoop
  • Startdatum: 27/01/2026 14:00
  • Einddatum: 04/02/2026 14:00
  • Geen bod: 1000 €
  • Kadastraal inkomen: 478 €
  • Vrij vanaf: Bij de akte
  • Notariaat Sleidinge geassocieerde notarissen
  • Contactpersoon: Jolan VERMEIRE
  • Tel: (09) 357.73.75
  • Email: jolan.vermeire@notariaatsleidinge.be
  • Bezoekgegevens
  • Het goed zal door de kandidaat-kopers vrij kunnen bezocht worden zonder voorafgaandelijke afspraak op volgende momenten: Woensdag 14, 21 en 28 januari van 15u-17u, zaterdag 17, 24 en 31 januari van 10u-12u, en dinsdag 3 februari van 10u-12u

Huizen

4 Guido Gezellelaan, 3730 Hoeselt

Doe een bod van
249.500 €

Presentatiebeeld van het pand n° 290984
Uit de hand
  • Referentie: 290984
  • Deze op te frissen/te renoveren woning vinden we vlakbij het centrum van Hoeselt: rustig gelegen, doch vlakbij winkels, scholen en recreatiegebieden. Op slechts enkele minuten bereikt u de autosnelweg, en het centrum van Bilzen of Tongeren. Op het gelijkvloers van de woning is er een inkomhal, woonkamer met plaats voor zithoek en eetkamer, een deels geïnstalleerde keuken met veel lichtinval en een inpandige garage. Op de eerste verdieping zijn er 4 slaapkamers en een badkamer met lavabo en bad. Verder beschikt de woning over een tuin, tuinberging, terras, kelder en zolder. Gvg; Gvv; Gmo; Gvkr; Wg. G score: A P score: A
  • Aantal kamers: 4
  • Aantal badkamers: 1
  • Kadastraal inkomen: 637 €
  • Vrij vanaf: Bij de akte
  • NOTARIS XAVIER VOETS
  • Contactpersoon: Kantoor Not. Voets & Verduyn
  • Tel: (089) 51.08.60
  • Email: info@notaris-voets.be

Huizen

20 Rue de la Gare de Bouvy, 7100 La Louvière

Doe een bod van
155.000 €

Presentatiebeeld van het pand n° 291020
Uit de hand
  • Referentie: 291020
  • Découvrez cette charmante maison mise en vente à partir de 155.000 €. Dès l’entrée, vous serez séduit par une salle à manger agrémentée d’une cheminée décorative, ainsi qu’un salon convivial doté d’un feu ouvert, idéal pour des moments de détente en famille. La cuisine équipée offre un espace pratique et fonctionnel, complété par une salle de bain , une cour couverte et un jardin permettant de profiter de l’extérieur par tous les temps. À l’étage, deux chambres accueillantes offrent un espace nuit agréable, tandis que le grenier aménageable laisse entrevoir de belles possibilités supplémentaires. Une cave carrelée complète ce bien. PEB :E-382. Les visites se font uniquement sur rendez-vous au 0486 77 74 17. Une belle opportunité à ne pas manquer !
  • Aantal kamers: 2
  • Kadastraal inkomen: 525 €
  • Vrij vanaf: Bij de akte
  • Thierry BRICOUT, Notaire
  • Contactpersoon: Sandy LUFRANO
  • Tel: (064) 22.13.52
  • Email: sandy.lufrano.130922@belnot.be
  • Bezoekgegevens
  • Les visites se font uniquement sur rendez-vous au 0486 77 74 17.

Huizen

7 Blaarhoek, 9790 Elsegem

Doe een bod van
280.000 €

Presentatiebeeld van het pand n° 291019
Online openbare verkoop
  • Referentie: 291019
  • Deze bungalow met een inpandige keldergarage ligt op 1 km van Gijzelbrechtegem, op 3 km van Anzegem en op 8 km van de oprit E17. De woning is goed onderhouden en heeft een mooi verzicht. Indeling : inkomhal, toilet, leefruimte met open keuken, berging, bureauruimte, nachthal, badkamer met douche en 2 slaapkamers. Ook een terras, onderhouden tuin en ruime oprit aanwezig. G score: A P score: A
  • Aantal kamers: 2
  • Oppervlakte van het woongedeelte: 100m2
  • Aantal badkamers: 1
  • Lopende verkoop
  • Startdatum: 02/02/2026 11:00
  • Einddatum: 10/02/2026 11:00
  • Geen bod: 1000 €
  • Kadastraal inkomen: 711 €
  • Vrij vanaf: Bij de akte
  • Binnemans & Ruysschaert, geassocieerde notarissen
  • Contactpersoon: Elisabeth DE GEEST
  • Tel: (055) 31.12.53
  • Email: elisabeth@notarisbinnemans.be
  • Bezoekgegevens
  • Zaterdag 17, 24 en 31 januari 2026 tussen 10u-12u, na telefonische afspraak met het notariskantoor

Huizen

70 Borsbeekstraat, 2140 Borgerhout

Doe een bod van
179.000 €

Presentatiebeeld van het pand n° 291027
Online openbare verkoop
  • Referentie: 291027
  • Deze charmante eengezinswoning, gelegen aan de Borsbeekstraat in het centrum van Borgerhout, biedt een uitgelezen kans voor wie op zoek is naar een leuk renovatieproject. Op het gelijkvloers treft u een ruime inkomhal die toegang biedt tot de verschillende vertrekken zoals de ruime woonkamer met veel lichtinval licht, keuken, een berging en een apart toilet, en douchekamer. Op de eerste verdieping bevinden zich twee ruime slaapkamers, beide met veel lichtinval. Op de tweede verdieping vinden we nog 2 kamers en een grote badkamer met natuurlijk licht. De zolder is bereikbaar via een vaste trap en kan eventueel worden omgebouwd tot een extra kamer, zoals een extra slaapkamer, kantoor of hobbyruimte. De achtertuin, met een zuidwestelijke oriëntatie, is verwilderd, maar kan makkelijk omgetoverd worden tot een leuke stadstuin. EK niet conform; geen renovatieplicht; gunstig EPC met label C. BEZOEK: na afspraak met het notariskantoor. G score: D P score: D
  • Aantal kamers: 4
  • Aantal badkamers: 2
  • Lopende verkoop
  • Startdatum: 17/02/2026 11:00
  • Einddatum: 25/02/2026 11:00
  • Geen bod: 1000 €
  • Kadastraal inkomen: 495 €
  • Vrij vanaf: Bij de akte
  • Yves De Vil & Tanja Cupers, geassocieerde notarissen
  • Contactpersoon: Vicky BALLMANN
  • Tel: (03) 270.02.90
  • Email: vicky.ballmann@notaris-devil.be
  • Bezoekgegevens
  • na afspraak met het notariskantoor.

Huizen

48 Rue A. Defrise, 7012 Flénu

Doe een bod van
85.000 €

Presentatiebeeld van het pand n° 291030
Uit de hand
  • Referentie: 291030
  • Superficie : 230 m² – Revenu cadastral total : 379,00 EUR État : bon état, libre d’occupation à l’acte Rez-de-chaussée : Salon à l’entrée, Salle à manger, Cuisine non équipée. Salle de bains avec lavabo et WC Sous-sol : Cave sèche, chaudière au mazout, citerne à mazout aérienne avec mur d’encuvement, capacité de 2.250 litres. 1er étage : Palier, deux petites chambres, une grande chambre Grenier : aménageable Extérieur : Terrasse-balcon, jardin en contrebas accessible par escalier. Deux remises. Commodités : Toiture en tuiles en bon état, avec isolation partielle en frivolité, Chauffage central au mazout, châssis en bois double vitrage. Raccordement à l’égout. Citerne d’eau de pluie avec groupe hydrophore. ? Bien conforme au plan cadastral ? PEB : D Visites : Sur RDV avec l’Étude Mise à prix : 85.000,00 EUR
  • Aantal kamers: 3
  • Kadastraal inkomen: 379 €
  • Vrij vanaf: Bij de akte
  • Jean-Charles DASSELEER, Notaire
  • Contactpersoon: Stefano VACCA
  • Tel: (065) 78.43.32
  • Email: stefano.vacca.133066@belnot.be
  • Bezoekgegevens
  • sur RDV avec l'Etude

Huizen

138 Ouden Dendermondse steenweg, 9300 Aalst

Doe een bod van
74.000 €

Presentatiebeeld van het pand n° 290865
Online openbare verkoop
  • Referentie: 290865
  • Volledig te renoveren huis met tuin, gekadastreerd sectie D, nummer 0639C2P0000, groot 3a 20ca. Met 2 slaapkamers. KI: € 352,00. Opgenomen in het leegstandsregister. G score: D P score: D
  • Aantal kamers: 2
  • Lopende verkoop
  • Startdatum: 27/01/2026 10:00
  • Einddatum: 04/02/2026 10:00
  • Geen bod: 1000 €
  • Kadastraal inkomen: 352 €
  • Vrij vanaf: Onmiddellijk
  • Van Maele en Couck geassocieerde notarissen
  • Contactpersoon: Pauline DE BACKER
  • Tel: (053) 21.65.24
  • Email: pauline@notarisvanmaele.be
  • Bezoekgegevens
  • 4 januari, 11 januari, 18 januari, 25 januari en 1 februari 2026, van 9u-10u. Geen afspraak nodig om te bezichtigen

Huizen

97 Kerkstraat, 2370 Arendonk

Doe een bod van
549.000 €

Presentatiebeeld van het pand n° 291035
Uit de hand
  • Referentie: 291035
  • Instapklare, goed onderhouden vrijstaande woning met 3 slaapkamers, tuin en garage. Deze verzorgde woning is gelegen in een rustige woonstraat, op ongeveer 2 km van het centrum van Arendonk en in de nabijheid van de E34. Indeling: - Gelijkvloers: Via de inkomhal bereikt men alle ruimtes op het gelijkvloers: het bureel, de badkamer, de keuken en de woonkamer. De lichtrijke woonkamer (ca. 40 m²) is uitgerust met een open haard. De volledig geïnstalleerde keuken biedt zicht op de tuin en het terras, en is tevens gemakkelijk toegankelijk via de achterinkom. De badkamer is ingericht met een hoekligbad, douchecabine en een badkamermeubel met dubbele wastafel. Via de achterinkom zijn ook het aparte toilet en de wasplaats bereikbaar. - Eerste verdieping: De verdieping is toegankelijk via een vaste natuurstenen trap. Hier bevindt zich de nachthal, 3 slaapkamers, waaronder een ruime slaapkamer van 28 m² met aparte dressing. Verder is er een berging met de gasinstallatie van de centrale verwarming en toegang tot de zolder via een vlizotrap. Er is ook een apart toilet met wastafel. Het perceel is volledig omheind (PVC-draad) en voorzien van een aangelegde voortuin, terras en oprit. Daarnaast is er nog een extra terras in bankirai, alsook een deels overdekt terras. De garage beschikt over een dubbele automatische sectionale poort en is achteraan uitgerust met een sauna en douche. Zolder aanwezig. Zonnepanelen (op het dak van de garage). Airco. Wglk, Vg, Gmo, Gvkr, Vv. G score: A P score: B
  • Aantal kamers: 3
  • Oppervlakte van het woongedeelte: 198m2
  • Aantal badkamers: 1
  • Kadastraal inkomen: 1259 €
  • Vrij vanaf: Andere
  • Van Haeren & Van Durme notarissen
  • Contactpersoon: Nienke DE KEYSER
  • Tel: (014) 47.11.41
  • Email: nienke@vhdnot.be

Huizen

27 Rue des Déportés, 1332 Genval

Doe een bod van
290.000 €

Presentatiebeeld van het pand n° 290872
Online openbare verkoop
  • Referentie: 290872
  • A proximité des commodités, des Papeteries et du lac de Genval Superficie habitable +/- 190 m2 - année de construction +/- 1900-1920 (maison rénovée) Exposition : Sud RC : 785 euros Urbanisme : zone d’habitat Rez (82 m2) : hall d’entrée, vaste séjour comprenant salon (cassette à bois) et salle à manger, cuisine équipée, buanderie et WC 1er étage (54 m2): hall, 2 chambres de bonne dimension, salle de douche (avec évier et wc) 2ème étage (54 m2): hall, 1 chambre spacieuse, salle de bain (évier, baignoire et wc) Sous-sol : couloir et cave (25 m2) Grand garage 1 voiture (38 m2) Terrasse chaudière au gaz de 2024 - double vitrage - châssis en PVC –compteur électrique bi-horaire - raccordement à l’égout Droits d'enregistrement à 3 % moyennant le respect des conditions
  • Aantal kamers: 3
  • Oppervlakte van het woongedeelte: 190m2
  • Aantal badkamers: 1
  • Lopende verkoop
  • Startdatum: 15/01/2026 11:00
  • Einddatum: 23/01/2026 11:00
  • Geen bod: 1000 €
  • Kadastraal inkomen: 785 €
  • Vrij vanaf: Te bepalen
  • NOTAIRE ROXANE NOTARPIETRO
  • Contactpersoon: Beatrice MOREAU
  • Tel: (02) 6550535
  • Email: beatrice.moreau.216526@belnot.be
  • Bezoekgegevens
  • UNIQUEMENT SUR RENDEZ-VOUS LES MARDIS de 14 à 16 h et SAMEDIS de 11 h à 13 H (à partir du 23/12/25+ + jusqu'au 20/01/26 inclus) en tél au 02/655.05.35

Gronden

Bolkerhoeveweg, 2520 Oelegem

Doe een bod van
19.500 €

Presentatiebeeld van het pand n° 243358
Uit de hand
  • Referentie: 243358
  • Gemeente RANST- tweede afdeling - OELEGEM Een perceel bos, gelegen Bautemansche bossen, ten kadaster bekend, tweede afdeling, sectie B, nummers 439P0000 en 440P0000, met een oppervlakte van 8.259 m². P score: D
  • Kadastraal inkomen: 9 €
  • Vrij vanaf: Bij de akte
  • Notaris Karl Van Kerkhoven
  • Contactpersoon: Natalie Van Laer
  • Tel: (03) 485.79.37
  • Email: natalie.vanlaer.353162@belnot.be

Huizen

25 Openveldstraat, 9340 Lede

Doe een bod van
115.000 €

Presentatiebeeld van het pand n° 291039
Online openbare verkoop
  • Referentie: 291039
  • Te renoveren gesloten bebouwing met tuin, sectie E nr. 0365T3P0000, oppervlakte 245ca. Bestemming: woongebieden. Blanco bodemattest. P- & G score: B. EPC label: F. Geen erfgoed. Niet-asbestveilig Opgenomen in lijst van leegstaande woningen. Geen RVV. Zoals voormeld OG omschreven staat in de verkoopsvoorwaarden getekend door not. Florence Deforce op Biddit. G score: B P score: B
  • Aantal kamers: 3
  • Aantal badkamers: 1
  • Lopende verkoop
  • Startdatum: 26/01/2026 14:00
  • Einddatum: 03/02/2026 14:00
  • Geen bod: 1000 €
  • Kadastraal inkomen: 299 €
  • Vrij vanaf: Bij de akte
  • NOTARIS FLORENCE DEFORCE
  • Contactpersoon: Lize HEYTENS
  • Tel: (053) 80.52.07
  • Email: florence.deforce@belnot.be
  • Bezoekgegevens
  • Het goed kan bezocht worden na contact met het notariskantoor

Gronden

Merksplasseweg, 2340 Beerse

Doe een bod van
253.600 €

Presentatiebeeld van het pand n° 291040
Online openbare verkoop
  • Referentie: 291040
  • Ter streke Dassenheide. Kadastraal gekend sectie B nummer(s) 0013/D/P0000, 0013/F/P0000 en 0015/P0000. Met een oppervlakte van 3ha 73a 47ca. KI: € 107. Stedenbouw: Agrarisch gebied - ontginningsgebied Geen WORG. Verpacht. P score: D
  • Lopende verkoop
  • Startdatum: 29/01/2026 13:00
  • Einddatum: 06/02/2026 13:00
  • Geen bod: 1000 €
  • Vrij vanaf: Andere
  • NOTARIS JAN STOEL
  • Contactpersoon: Kantoor Not. Jan Stoel
  • Tel: (014) 63.30.43
  • Email: info@notariaatmerksplas.be
  • Bezoekgegevens
  • vrij te bezichtigen.

Gronden

Vogelenzang, 2340 Beerse

Doe een bod van
17.600 €

Presentatiebeeld van het pand n° 291042
Online openbare verkoop
  • Referentie: 291042
  • Ter streke Vogelzang. Kadastraal gekend sectie A nummer(s) 07000/P0000. Met een oppervlakte van 26a 10ca. KI: € 7. Stedenbouw: Agrarisch gebied. Geen WORG. Verpacht. P score: A
  • Lopende verkoop
  • Startdatum: 29/01/2026 13:00
  • Einddatum: 06/02/2026 13:00
  • Geen bod: 1000 €
  • Vrij vanaf: Andere
  • NOTARIS JAN STOEL
  • Contactpersoon: Kantoor Not. Jan Stoel
  • Tel: (014) 63.30.43
  • Email: info@notariaatmerksplas.be
  • Bezoekgegevens
  • vrij te bezichtigen.

Huizen

30 Rue Eugène Copette, 5020 Champion

Doe een bod van
265.000 €

Presentatiebeeld van het pand n° 290606
Uit de hand
  • Referentie: 290606
  • Située dans le charmant village de Champion (Namur) offrant une proximité exceptionnelle avec toutes les commodités (autoroutes, commerces, écoles et transports en commun), laissez vous séduire par cette maison pleine de potentiel au cœur d’un quartier recherché. La maison dispose d'un magnifique jardin (7 ares 99 centiares) très agréable, parfait pour les moments de détente ou les activités familiales. Le rez-de-chaussée se compose d'un hall d'entrée, d'un salon/salle à manger spacieux, d'une cuisine, d'une arrière-cuisine, d'une salle de bain et d'un WC séparé. Le 1er étage offre un palier ainsi que 3 chambres et un grenier aménageable offrant diverses possibilités (bureau, dressing, chambre supplémentaire…). Le second grenier, situé au 2ème étage, est idéal pour créer un espace de vie supplémentaire ou une suite parentale. Une cave ainsi qu’un beau garage complètent cette maison pleine de potentielle. Aspects techniques : chauffage central au mazout – châssis PVC double vitrage à l’avant et en bois à l’arrière. Informations et visites directement en l’étude au 081/22.00.72.
  • Aantal kamers: 3
  • Aantal badkamers: 1
  • Kadastraal inkomen: 800 €
  • Vrij vanaf: Bij de akte
  • Frédéric DUCHATEAU, société notariale
  • Contactpersoon: Justine HUET
  • Tel: (081) 22.00.72
  • Email: justine.huet.124537@belnot.be

Huizen

22 Rue de la Gohale, 4280 Hannut

Doe een bod van
150.000 €

Presentatiebeeld van het pand n° 291048
Online openbare verkoop
  • Referentie: 291048
  • Ensemble immobilier composé d'une ferme avec logement et annexes. Opportunité à saisir, nombreuses possibilités de rénovation. Une partie du terrain à rue est non bâtie et en zone d'habitat à caractère rural. Superficie de la parcelle 4.150m².
  • Aantal kamers: 1
  • Lopende verkoop
  • Startdatum: 21/01/2026 10:00
  • Einddatum: 29/01/2026 10:00
  • Geen bod: 1000 €
  • Kadastraal inkomen: 783 €
  • Vrij vanaf: Bij de akte
  • FORET Charles-Henri, société notariale
  • Contactpersoon: Estelle QUAEDPEERDS
  • Tel: (04) 230.31.00
  • Email: estelle.quaedpeerds.130831@belnot.be
  • Bezoekgegevens
  • Pour toutes visites, merci de contacter l'Etude au 04/230.31.00

Huizen

402 Chaussée de Beaumont, 7022 Harmignies

Doe een bod van
300.000 €

Presentatiebeeld van het pand n° 291023
Uit de hand
  • Referentie: 291023
  • Villa 4 façades Rez-de-chaussée : • Hall d'entrée, WC, vaste living (salon-salle à manger), petit séjour, cuisine, terrasse et jardin. • Grand parking accessible depuis la rue et double garage. • Partie professionnelle avec un grand bureau, salle d'attente, une pièce supplémentaire et WC. À l'étage : • 5 chambres spacieuses, 2 salles d'eau. La première est équipée d'une baignoire, de 2 éviers et d’un bidet. La deuxième comprend une baignoire, une douche, un WC et un évier. • 3 greniers. Sous-sol : • 3 caves. Divers : • Châssis en double vitrage aluminium (volets au rez-de-chaussée). • Chauffage central au mazout (cuve dans le garage – moins de 3.000 l) Superficie du terrain : 28 ares Revenu cadastral : 2.121,00 € Prix : Faire offre à partir de 300.000 €
  • Aantal kamers: 5
  • Kadastraal inkomen: 2121 €
  • Vrij vanaf: Bij de akte
  • Antoine HAMAIDE et Elise CORNEZ, Notaires associés
  • Contactpersoon: Gloria TESO
  • Tel: (065) 35.13.64
  • Email: gloria.teso.131532@belnot.be

Huizen

12 Pannenhoef, 2382 Poppel

Doe een bod van
300.000 €

Presentatiebeeld van het pand n° 291028
Online openbare verkoop
  • Referentie: 291028
  • De woning is volledig te renoveren. Gelegen in bosgebied in het landelijke Poppel. Gvg, Gmo, Gvkr, Gvv. Renovatieplicht. BEZOEK: Geïnteresseerde kopers kunnen tel. of per e-mail contact opnemen met het notariskantoor om een afspr. in te plannen. G score: A P score: A
  • Aantal kamers: 3
  • Oppervlakte van het woongedeelte: 455m2
  • Aantal badkamers: 1
  • Lopende verkoop
  • Startdatum: 24/02/2026 14:00
  • Einddatum: 04/03/2026 14:00
  • Geen bod: 1000 €
  • Kadastraal inkomen: 823 €
  • Vrij vanaf: Bij de akte
  • Notaris Natacha Stoop
  • Contactpersoon: Kantoor Not. Natacha Stoop
  • Tel: (03) 232.30.58
  • Email: info@notariaat-stoop.be
  • Bezoekgegevens
  • Geïnteresseerde kopers kunnen tel. of per e-mail contact opnemen met het notariskantoor om een afspr. in te plannen.

Gronden

Pannenhoef, 2382 Poppel

Doe een bod van
90.000 €

Presentatiebeeld van het pand n° 291029
Online openbare verkoop
  • Referentie: 291029
  • Gelegen ter streke Kermisheide. Kadastraal bekend als weiland. Met een oppervlakte van 1ha 27a 70ca. Bg, Gvg, Gmo, Gvkr, Gvv. BEZOEK: vrij te bezichtigen en te betreden op eigen initiatief en risico. P score: A
  • Lopende verkoop
  • Startdatum: 24/02/2026 14:00
  • Einddatum: 04/03/2026 14:00
  • Geen bod: 1000 €
  • Vrij vanaf: Bij de akte
  • Notaris Natacha Stoop
  • Contactpersoon: Kantoor Not Natacha Stoop
  • Tel: (03) 232.30.58
  • Email: info@notariaat-stoop.be
  • Bezoekgegevens
  • vrij te bezichtigen en te betreden op eigen initiatief en risico.

Huizen

118 Broekdam-Noord, 9150 Kruibeke

Doe een bod van
461.000 €

Presentatiebeeld van het pand n° 291009
Uit de hand
  • Referentie: 291009
  • Deze instapklare woning bied het beste van Kruibeke: een open zicht op de polders en een centrale locatie waarbij het centrum met zijn winkels, scholen en gemeentediensten op wandelafstand liggen. Met de wagen bereik je de E17 in 4 minuten. De halte van de waterbus ligt maar een 600-tal meter verder. De woning werd gebouwd in 1962 maar werd rond 2022 uitgebreid gerenoveerd. Bij het betreden van de woning kom je terecht in een inkomhal. Deze geeft toegang tot een ruime woonruimte en een open keuken. Dankzij de indeling van het huis heb je een prachtig zicht op de polders van Kruibeke en de tuin. De keuken is uitgerust met inductiekookplaat, dampkap, koelkast, microgolf, oven en een vaatwasser. Aansluitend zijn er een toilet met handenwasser, technische ruimte met plaats voor een wasmachine en een droogkast en een ruim bureau die kan dienen als home-office, aanwezig. De volledig omheinde tuin met terras kan bereikt worden via een schuifraam. Op de 1e verdieping zijn er: - 2 slaapkamers die de mogelijkheid hebben om uitgerust te worden met een ingebouwde kast; - een bergruimte die kan ingericht worden als gastenkamer; - een toilet; - een badkamer met dubbele lavabo en inloopdouche. Op de zolderverdieping is de masterbedroom mét dressing gelegen. 3 dakramen en een zijraam laten deze ruimte baden in het licht. De 2 grote dakramen kunnen volledig naar boven worden opengeklapt om optimaal naar de polders en de Schelde te kijken. Naast het huis is een garage gelegen die via een deur toegang geeft tot de tuin. G score: A P score: A
  • Aantal kamers: 3
  • Oppervlakte van het woongedeelte: 184m2
  • Aantal badkamers: 1
  • Kadastraal inkomen: 933 €
  • Vrij op: 01/06/2026
  • NOTARIS Benoit DE KESEL
  • Contactpersoon: Kantoor Not. Benoit De Kesel
  • Tel: (03) 774.10.34
  • Email: benoit.dekesel@belnot.be

Handelspanden

12 Jean-Baptiste Guissetplein, 9600 Ronse

Doe een bod van
150.000 €

Presentatiebeeld van het pand n° 291010
Online openbare verkoop
  • Referentie: 291010
  • Een woon- en handelshuis op en met grond, gekend volgens kadastraal uittreksel sectie E, nummer 0489GP0001, met een oppervlakte van 1a 99ca opgesplitst volgens de beperkte basisakte als volgt: Kavel 1: de handelsentiteit, volgens kadastrale legger gekend sectie E, nummer 0489GP0002, gelegen op het gelijkvloers en omvattende volgens de basisakte: a) In privatieve en exclusieve eigendom: de winkelruimte, een stockeerruimte en de WC; b) In mede-eigendom en gedwongen onverdeeldheid: 334/1.000sten in de gemeenschappelijke delen, waaronder de grond. Het kadastraal inkomen bedraagt € 1.153. Kavel 2: de woonentiteit, volgens kadastrale legger gekend sectie E, nummer 0489GP0003, omvattende volgens de basisakte: a) In privatieve en exclusieve eigendom: - op de gelijkvloerse verdieping: een inkomhal, een traphall met trap naar kamers op de 1e verdieping, opbergruimte, trap in de opbergruimte; - in de kelderverdieping: een kelder (deze behoort uitsluitend toe aan kavel 2 en is bereikbaar via de opbergruimte); - tuin; - 1e verdiep: hall, leefruimte, keuken, badkamer, speelruimte, ontspanningsruimte, trap naar 2e verdieping; - 2e verdiep: hall en 4 kamers; - zolder. b) in mede-eigendom en gedwongen onverdeeldheid: 666/1.000sten in de gemeenschappelijke delen, waaronder de grond. Het kadastraal inkomen van kavel 2 bedraagt: € 1.170. G score: A P score: A
  • Aantal badkamers: 1
  • Lopende verkoop
  • Startdatum: 03/02/2026 14:00
  • Einddatum: 11/02/2026 14:00
  • Geen bod: 1000 €
  • Kadastraal inkomen: 2323 €
  • Vrij vanaf: Onmiddellijk
  • NOTARIS, FLAMANT Philippe, NOTAIRE
  • Contactpersoon: Patricia VANDERPUTTEN
  • Tel: (055) 46.00.00
  • Email: patricia.vanderputten@notarisflamant.be
  • Bezoekgegevens
  • na afspraak met het kantoor

Huizen

223 Rue Jules Houssière, 6020 Dampremy

Doe een bod van
119.000 €

Presentatiebeeld van het pand n° 291018
Uit de hand
  • Referentie: 291018
  • Maison d’habitation avec 3 chambres et passage latéral avec porte de garage électrique SOUS-SOL : caves. REZ-DE-CHAUSSEE : hall, bureau, salon-salle à manger avec arcade, entièrement carrelé, cuisine avec frigo, WC avec lavabo, buanderie, passage latéral avec porte de garage électrique, cour avec remise, grande annexe accessible par escalier. 1er ETAGE : 3 chambres, grande salle de bains entièrement carrelée avec baignoire et évier. Grenier aménageable faisant la superficie de l’étage. Chauffage par convecteurs au gaz (2 au rez-de-chaussée et 1 dans la salle de bains). Bien libre d’occupation à l’acte authentique.
  • Aantal kamers: 3
  • Aantal badkamers: 1
  • Kadastraal inkomen: 798 €
  • Vrij vanaf: Bij de akte
  • Clarence BALIEUX - NOTAIRE
  • Contactpersoon: Clarence BALIEUX
  • Tel: (071) 31.01.30
  • Email: clarence.balieux@belnot.be
  • Bezoekgegevens
  • Visites sur rendez-vous auprès de la société GIL au 071/38.84.49

Huizen

47 Rue de la Station (JT), 6040 Jumet

Doe een bod van
25.000 €

Presentatiebeeld van het pand n° 291025
Online openbare verkoop
  • Referentie: 291025
  • Maison d’habitation à rénover avec 3 chambres et petite cour Rez-de-chaussée : Salon, salle à manger, petite cuisine, salle de bains avec WC, petite véranda, petite cour emmurée. 1er étage : 3 chambres et grenier mansardé. - Cadastre et superficie : Section A N°0819Z2P0000 pour 69 ca. - R.C. : 409,00€
  • Aantal kamers: 3
  • Aantal badkamers: 1
  • Lopende verkoop
  • Startdatum: 27/01/2026 11:00
  • Einddatum: 04/02/2026 11:00
  • Geen bod: 1000 €
  • Kadastraal inkomen: 409 €
  • Vrij vanaf: Bij de akte
  • Clarence BALIEUX - NOTAIRE
  • Contactpersoon: Clarence BALIEUX
  • Tel: (071) 31.01.30
  • Email: clarence.balieux@belnot.be
  • Bezoekgegevens
  • Visites sur rendez-vous auprès de la société GIL au 071/38.84.49

Huizen

74 Rue Pierre Fluche, 4800 Verviers

Doe een bod van
225.000 €

Presentatiebeeld van het pand n° 291014
Uit de hand
  • Referentie: 291014
  • Vous êtes à la recherche d’une maison dans laquelle vous n’avez qu’à poser vos meubles ? Venez découvrir cette maison sans attendre ! Visite virtuelle : https://tour.giraffe360.com/37e06c46082d4873b953535d2a04ea4a Elle se compose comme suit : - Rez-de-chaussée : hall d’entrée, bureau, deux chambres, toilette individuelle et garage ; - Premier étage : salon, salle à manger, terrasse avec une superbe vue dégagée sur la ville, cuisine et salle de bains (baignoire) ; - Sous-sol : caves sous la superficie de la maison. Côté technicité : Chauffage central au gaz de ville, PVC double vitrage, PEB classe C -171 m² de surface de plancher chauffé, numéro 20251209000610 (250 kWh/m².an – 42.733 kWh/an). Proche des commodités, située dans le quartier prisé des Hougnes.
  • Aantal kamers: 2
  • Oppervlakte van het woongedeelte: 171m2
  • Aantal badkamers: 1
  • Kadastraal inkomen: 602 €
  • Vrij vanaf: Bij de akte
  • Anne-Catherine Wathelet Notaire
  • Contactpersoon: Ingrid LELOTTE
  • Tel: (087) 29 22 44
  • Email: ingrid.lelotte.357909@belnot.be
  • Bezoekgegevens
  • Visites uniquement sur rendez-vous.

Huizen

3 Roklijf, 9300 Aalst

Doe een bod van
118.000 €

Presentatiebeeld van het pand n° 290871
Online openbare verkoop
  • Referentie: 290871
  • Te renoveren huis met koer, gekadastreerd onder sectie C, nummer 0536ZP0000, groot 80ca. Met 2 slaapkamers en badkamer. KI: € 312,00. Opgenomen in inventaris ongeschikte en onbewoonbare woningen. G score: A P score: A
  • Aantal kamers: 2
  • Aantal badkamers: 1
  • Lopende verkoop
  • Startdatum: 27/01/2026 12:00
  • Einddatum: 04/02/2026 12:00
  • Geen bod: 1000 €
  • Kadastraal inkomen: 312 €
  • Vrij vanaf: Onmiddellijk
  • Van Maele en Couck geassocieerde notarissen
  • Contactpersoon: Pauline DE BACKER
  • Tel: (053) 21.65.24
  • Email: pauline@notarisvanmaele.be
  • Bezoekgegevens
  • 4 januari, 11 januari, 18 januari, 25 januari en 1 februari 2026, dit telkens van 10u30-11u30. Geen afspraak nodig om te bezichtigen

Huizen

126 Naarstigheidstraat, 9300 Aalst

Doe een bod van
119.000 €

Presentatiebeeld van het pand n° 290879
Online openbare verkoop
  • Referentie: 290879
  • Te renoveren huis met koer, gekadastreerd onder sectie C, nummer 0537L2P0000, groot 1a. Met 3 slaapkamers en badkamer. KI: € 334,00. Opgenomen in inventaris ongeschikte en onbewoonbare woningen. G score: B P score: B
  • Aantal kamers: 3
  • Aantal badkamers: 1
  • Lopende verkoop
  • Startdatum: 27/01/2026 14:00
  • Einddatum: 04/02/2026 14:00
  • Geen bod: 1000 €
  • Kadastraal inkomen: 334 €
  • Vrij vanaf: Onmiddellijk
  • Van Maele en Couck geassocieerde notarissen
  • Contactpersoon: Pauline DE BACKER
  • Tel: (053) 21.65.24
  • Email: pauline@notarisvanmaele.be
  • Bezoekgegevens
  • 4 januari, 11 januari, 18 januari, 25 januari en 1 februari 2026, dit telkens van 12u-13u. Geen afspraak nodig om te bezichtigen

Appartementen

111 Matenstraat, 2845 Niel

Doe een bod van
185.000 €

Presentatiebeeld van het pand n° 291033
Uit de hand
  • Referentie: 291033
  • Gunstig gelegen. Dicht bij het centrum. Op de 2e verdieping van een gebouw met in totaal 4 appartementen. Bestaat uit een inkomhal, living, keuken, badkamer met douche en aansluiting voor een wasmachine, 2 slaapkamers en een elektrische boiler geplaatst in 2023. Ook is er een ruime gemeenschappelijke zolder met volledig nieuw dak met isolatie die aan de normen voor 2050 voldoet (geplaatst in juni 2025). Op het gelijkvloers is er een gezamenlijke fietsberging, een bergplaats en een privé tuin van 57 m². Achter het gebouw bevindt zich een ruime parking. Goed gelegen dicht bij de A12 en het centrum van Niel. Ideaal voor starters of kleine gezinnen. Wg, Gvg, Gmo, Gvkr, Gvv. G score: B P score: B
  • Aantal kamers: 2
  • Oppervlakte van het woongedeelte: 62m2
  • Aantal badkamers: 1
  • Kadastraal inkomen: 319 €
  • Vrij op: 01/05/2026
  • Notaris Thomas Goossens
  • Contactpersoon: Nick MERTENS
  • Tel: (03) 888.10.31
  • Email: nick@notarissenniel.be

Huizen

40 Sint Janslaan, 9890 Asper

Doe een bod van
230.000 €

Presentatiebeeld van het pand n° 291034
Online openbare verkoop
  • Referentie: 291034
  • Rustig gelegen woning, halfopen bebouwing, maar toch in nabijheid van N60 en autostrades. Indeling: Gelijkvloers: inkom, woonkamer en eetplaats, keuken, berging en garage; 1e verdiep: 4 ruime slaapkamers, badkamer; Buiten: onderhoudsvriendelijke tuin, ruime berging. VRIJ bij akte. Geen risico voor overstromingen. EPC: E - renovatieplicht. Asbestveilig (maar niet vrij). G score: A P score: A
  • Aantal kamers: 4
  • Oppervlakte van het woongedeelte: 171m2
  • Aantal badkamers: 1
  • Lopende verkoop
  • Startdatum: 29/01/2026 10:00
  • Einddatum: 06/02/2026 10:00
  • Geen bod: 1000 €
  • Kadastraal inkomen: 572 €
  • Vrij vanaf: Bij de akte
  • OLEMANS & VANDER BEKEN, geassocieerde notarissen
  • Contactpersoon: Joan DE SMET
  • Tel: (055) 42.31.70
  • Email: joan.desmet.124560@belnot.be
  • Bezoekgegevens
  • na afspraak met het kantoor op nrs. 055/42.31.70 of 0484/74.40.43

Huizen

31 Van Eycklaan, 2370 Arendonk

Doe een bod van
299.000 €

Presentatiebeeld van het pand n° 291036
Uit de hand
  • Referentie: 291036
  • Halfopen bebouwing. Met 3 slaapkamers, tuin en garage. Gelegen in een woonstraat, op ongeveer 1,5 km van het centrum van Arendonk en in de nabijheid van de E34. Indeling: - Gelijkvloers: Via de inkomhal bereikt men de ruime, lichtrijke, woonkamer van zo'n 34m². Via de woonkamer komt men in de geïnstalleerde keuken terecht. Naast de keuken werd er een koele berging voorzien. Wasplaats voorzien van badkamermeubel met wastafels en vaste kast alsook apart toilet. Via de keuken is ook de veranda (23m²) te bereiken welke doorgang geeft naar zowel de, volledig omheinde, tuin als de garage. De garage is voorzien van een houten kantelpoort, alsook bereikbaar via een gewone deur langs de oprit. - Eerste verdieping: De verdieping is toegankelijk via een plaats-besparende draaitrap. Hier bevindt zich de nachthal, 3 slaapkamers, waaronder een ruime slaapkamer van 26 m² en de badkamer, dewelke voorzien is van een ligbad en badkamermeubel met wastafel. De zolder is te bereiken via een vlizo-trap en daar bevindt zich tevens de gasinstallatie van de centrale verwarming. De tuin is volledig omheind met haag en betonplaten en voorzien van aangelegd terras. De voortuin en oprit werden tevens volledig aangelegd. Wg, Vg, Gmo, Gvkr, Gvv. G score: A P score: A
  • Aantal kamers: 3
  • Oppervlakte van het woongedeelte: 171m2
  • Aantal badkamers: 1
  • Kadastraal inkomen: 783 €
  • Vrij vanaf: Bij de akte
  • Van Haeren & Van Durme notarissen
  • Contactpersoon: Nienke DE KEYSER
  • Tel: (014) 47.11.41
  • Email: nienke@vhdnot.be

Huizen

4 Chemin Futvoie, 4900 Spa

Doe een bod van
350.000 €

Presentatiebeeld van het pand n° 291037
Uit de hand
  • Referentie: 291037
  • À la fin d’une rue calme et à deux pas du RAVeL, découvrez cette agréable maison offrant tout le confort moderne et un superbe potentiel d’aménagement. Proche du centre de Spa et de toutes ses commodités, elle bénéficie d’un environnement paisible et verdoyant. Description du bien : Sous-sol : • Caves sur toute la surface de la maison • Garage Rez-de-chaussée : • Hall d’entrée avec espace vestiaire • Bel espace de vie lumineux : salon, salle à manger, coin repas • Cuisine fonctionnelle • Buanderie / cellier • 2 chambres • Coin sanitaire • Salle de bain 1er étage : • Deux vastes espaces aménageables selon vos besoins (chambres supplémentaires, bureau, salle de jeux, etc.) • Salle de bain avec WC Confort : • Chauffage central au gaz • Châssis PVC double vitrage • Volets • Béton entre les niveaux Extérieur : • Terrain arboré de 04 ares 77 centiares • Terrasse agréable, idéale pour profiter des beaux jours Une maison offrant de nombreuses possibilités, dans un cadre recherché et proche de toutes les facilités. À visiter sans tarder ! PRIX : Faire offre à partir de 350.000 € (prix indicatif n’engageant pas le vendeur). Possibilité de réduction des droits d’enregistrement à 3 % (sous conditions). ?? N'hésitez pas à nous contacter pour plus d’informations ou pour planifier une visite. Tel. 061/415.205 Etude TONDEUR - 6600 BASTOGNE, rue de Neufchâteau, 39.
  • Aantal kamers: 4
  • Oppervlakte van het woongedeelte: 162m2
  • Aantal badkamers: 2
  • Kadastraal inkomen: 1132 €
  • Vrij vanaf: Bij de akte
  • Joël et Manon TONDEUR, notaires associés
  • Contactpersoon: Virginie HAAN
  • Tel: (061) 41.52.05
  • Email: virginie.haan.128108@belnot.be

Appartementen

104 Chaussée de Tongres, 4000 Rocourt

Doe een bod van
229.000 €

Presentatiebeeld van het pand n° 291017
Uit de hand
  • Referentie: 291017
  • Venez découvrir cet appartement idéalement situé à proximité immédiate des commerces, des axes autoroutiers et du centre de Liège. Au premier étage de la Résidence, il vous offre une superficie de 98 m² avec une très belle luminosité. Il se compose comme tel : hall d'entrée et dégagement vers toutes les pièces de vie. Grand séjour ouvert sur la cuisine équipée toute aussi spacieuse. Terrasse orientée sud-ouest avec banne solaire + stores. Deux chambres à coucher. Salle de bain carrelée avec toilette. Buanderie séparée. Techniques : châssis double vitrage PVC, chauffage central gaz avec chaudière privative VAILLANT. Installation électrique CONFORME. PEB C !!! Alarme, vidéophone, porte d'entrée sécurisée. 181 € de provision charges communes en ce compris fond de réserve. Parking commun à l'arrière de la Résidence. Réservez votre visite au 0471/13.49.70.
  • Aantal kamers: 2
  • Oppervlakte van het woongedeelte: 98m2
  • Aantal badkamers: 1
  • Kadastraal inkomen: 1065 €
  • Vrij vanaf: Bij de akte
  • Notaire Frédéric LOMBARDO
  • Contactpersoon: Margaux GARNIER
  • Tel: (087) 68.02.88
  • Email: margaux.garnier.127571@belnot.be

Appartementen

1 Avenue Clémentine, 4900 Spa

Doe een bod van
150.000 €

Presentatiebeeld van het pand n° 290969
Uit de hand
  • Referentie: 290969
  • L'Etude des Notaires GUYOT & CREMER a le plaisir de vous proposer à la VENTE ce JOLI PETIT APPARTEMENT 1CH, idéalement situé Avenue Clémentine à Spa, à proximité immédiate du centre-ville, des commerces et de la gare. L'appartement nécessite quelques travaux de rafraîchissement pour en exploiter tout le potentiel. Composition : hall d'entrée avec raccordement pour machine à laver (un coin buanderie peut être aménagé), Un WC séparé pour les invités, lumineux séjour avec cuisine semi équipée, une chambre à coucher, salle de bains (WC, lavabo et baignoire/douche). L'appartement bénéficie également d'une cave privative (n° 4) ainsi que d'un emplacement de parking couvert (n° 4). La "Résidence Jean de la Fontaine" est bien entretenue et offre un cadre de vie serein grâce à son environnement calme et à la présence d'un ascenseur. Techniques: Chauffage central gaz de ville, électricité non conforme, châssis double vitrage PVC, RC=743€, PEB D = "331" kWh/an - 18.332 kWh/an (ref n°20241018007534). Provision pour charges communes : 120 €/mois (chauffage, eau, assurances, syndic etc.). Ce bien constitue une excellente opportunité pour un premier achat ou un investissement immobilier. N'hésitez pas à nous contacter pour organiser une visite: 087/77 10 72 !
  • Aantal kamers: 1
  • Oppervlakte van het woongedeelte: 55m2
  • Aantal badkamers: 1
  • Kadastraal inkomen: 743 €
  • Vrij vanaf: Bij de akte
  • GUYOT & CREMER, notaires associés
  • Contactpersoon: Aline SCHMITZ
  • Tel: (087) 77.10.72
  • Email: aline.schmitz.460044@belnot.be

Huizen

127 Rue de la Liberté, 7540 Rumillies

Doe een bod van
170.000 €

Presentatiebeeld van het pand n° 290925
Uit de hand
  • Referentie: 290925
  • Maison dans une rue calme à proximité de la ville et des accès autoroutiers sur 3 ares 96 centiares comprenant: -au rez-de-chaussée: couloir, salon, cuisine avec salle-à-manger, salle-de-bain (wc, mini-baignoire, évier), bureaux, arrière cuisine, remise; -au 1er étage: 3 chambres Grenier Cavette Garage très spacieux Jardin Chauffage électrique + feu à gaz dans le salon
  • Aantal kamers: 3
  • Aantal badkamers: 1
  • Kadastraal inkomen: 599 €
  • Vrij vanaf: Bij de akte
  • SRL Charlotte DECOCK, Notaire
  • Contactpersoon: Yves DUQUENNE
  • Tel: (069) 22.35.35
  • Email: yves.duquenne.354610@belnot.be
  • Bezoekgegevens
  • Sur rendez-vous à prendre en l'étude au 069/22.35.35

Huizen

53 Openveldstraat, 9340 Lede

Doe een bod van
122.000 €

Presentatiebeeld van het pand n° 291049
Online openbare verkoop
  • Referentie: 291049
  • Te renoveren gesloten bebouwing met tuin, sectie E nr. 0365E3P0000, oppervlakte 188ca. Bestemming: woongebieden. Blanco bodemattest. P- & G score: B. EPC label: F. Geen erfgoed. Asbestveilig (maar niet asbestvrij). Opgenomen in lijst van leegstaande woningen. Geen RVV. Zoals voormeld OG omschreven staat in de verkoopsvoorwaarden getekend door not. Florence Deforce op Biddit. G score: B P score: B
  • Aantal kamers: 3
  • Aantal badkamers: 1
  • Lopende verkoop
  • Startdatum: 26/01/2026 15:00
  • Einddatum: 03/02/2026 15:00
  • Geen bod: 1000 €
  • Kadastraal inkomen: 364 €
  • Vrij vanaf: Bij de akte
  • NOTARIS FLORENCE DEFORCE
  • Contactpersoon: Kantoor Not. Florence Deforce
  • Tel: (053) 80.52.07
  • Email: florence.deforce@belnot.be
  • Bezoekgegevens
  • na contact met het notariskantoor

Gronden

Rue de la Victoire, 4280 Hannut

Doe een bod van
70.000 €

Presentatiebeeld van het pand n° 291051
Online openbare verkoop
  • Referentie: 291051
  • Magnifique terrain en zone d'habitat à caractère rural. Libre de constructeur à Hannut d'une superficie de 1.770m² et d'une belle largeur en façade à rue
  • Lopende verkoop
  • Startdatum: 21/01/2026 10:00
  • Einddatum: 29/01/2026 10:00
  • Geen bod: 1000 €
  • Kadastraal inkomen: 20 €
  • Vrij vanaf: Bij de akte
  • FORET Charles-Henri, société notariale
  • Contactpersoon: Estelle QUAEDPEERDS
  • Tel: (04) 230.31.00
  • Email: estelle.quaedpeerds.130831@belnot.be
  • Bezoekgegevens
  • Pour toutes visites, merci de contacter l'Etude au 04/230.31.00

Handelspanden

34 Beverestraat, 9700 Oudenaarde

Doe een bod van
255.000 €

Presentatiebeeld van het pand n° 291047
Uit de hand
  • Referentie: 291047
  • OUDENAARDE CENTRUM, in de nabijheid van winkels, scholen, de markt en alle verbindingen (bus, trein, snelwegen). Groot huis omgevormd tot kantoren met klantenonthaal. Het huis heeft een totale oppervlakte van ongeveer 190 m² exclusief kelders en omvat: - Op het gelijkvloers, onthaalruimte met raampartij die uitgeeft op de straat, demonteerbare balies, kantoorruimtes, kleine lichtrijke koer en sanitair/technische ruimte achteraan de koer - Op de 1ste verdieping, 2 grote lichtrijke ruimtes en een ingerichte keuken - Op de 2de verdieping, een grote ruimte aan de voorkant en een kleine ruimte achteraan onder het dak - In de kelder, een grote ruimte aan de voorkant en een kleine ruimte achteraan. Gebouw ideaal gelegen in het stadscentrum, in zeer goede staat en goed ingedeeld. Beschikbaar bij akte. Startprijs: 255.000,00 EUR. Te koop aangeboden door Notariskantoor van der Beek te Schaarbeek. G score: D P score: D
  • Kadastraal inkomen: 1162 €
  • Vrij vanaf: Bij de akte
  • van der Beek, Société Notariale
  • Contactpersoon: Romain JEANNAUD
  • Tel: (02) 240.18.20
  • Email: romain.jeannaud.131631@belnot.be
  • Bezoekgegevens
  • Bezichtigingen op afspraak.

Huizen

22 Rue Henri Lericque, 7730 Estaimbourg

Doe een bod van
175.000 €

Presentatiebeeld van het pand n° 290887
Uit de hand
  • Referentie: 290887
  • Maison avec jardin et garage sur 2 ares 59 centiares comprenant: -au rez-de-chaussée: hall, cuisine, living, wc, garage (porte électrifiée) -au 1er étage: 4 chambres, une salle-de-bain (baignoire, évier) grenier Cave Jardin avec terrasse et cabanon Chauffage central au mazout
  • Aantal kamers: 4
  • Aantal badkamers: 1
  • Kadastraal inkomen: 500 €
  • Vrij vanaf: Bij de akte
  • SRL Charlotte DECOCK, Notaire
  • Contactpersoon: Yves DUQUENNE
  • Tel: (069) 22.35.35
  • Email: yves.duquenne.354610@belnot.be
  • Bezoekgegevens
  • Sur rendez-vous à prendre en l'étude au 069/22.35.35

Huizen

60 Rue Peltzer de Clermont, 4800 Verviers

Doe een bod van
140.000 €

Presentatiebeeld van het pand n° 287753
Uit de hand
  • Referentie: 287753
  • À découvrir, cette maison offrant un fort potentiel grâce à ses 4 niveaux et son sous-sol. Projet idéal de rénovation pour une grande famille ou pour investisseurs. Visite virtuelle: https://tour.giraffe360.com/170c93d59e05410c822ef65ab7b8349f • Sous-sol : cave, stockage. • Rez-de-chaussée : hall d’entrée et 3 pièces à réaménager selon vos besoins (séjour, cuisine, bureau…). • 1er étage : 2 chambres et un espace pour salle de bain. • 2ème étage : même disposition que le 1er, permettant la création de chambres supplémentaires. • 3ème étage : combles aménageables offrant un bel espace à transformer en suite parentale ou salle de jeux. Maison à rénover entièrement, offrant de nombreuses possibilités d’aménagement. Belle opportunité pour qui souhaite créer un lieu de vie unique ou réaliser un investissement locatif.
  • Aantal kamers: 4
  • Aantal badkamers: 2
  • Kadastraal inkomen: 562 €
  • Vrij vanaf: Bij de akte
  • Anne-Catherine Wathelet Notaire
  • Contactpersoon: Ingrid LELOTTE
  • Tel: (087) 22.51.61
  • Email: ingrid.lelotte.357909@belnot.be
  • Bezoekgegevens
  • Visite uniquement sur rendez-vous

Appartementen

3 Rue du 1er de Ligne, 4800 Verviers

Doe een bod van
89.000 €

Presentatiebeeld van het pand n° 290950
Uit de hand
  • Referentie: 290950
  • OPTION !!!! En montant sur Stembert, venez découvrir cet appartement de 58 m² au deuxième étage de la résidence "Les Sottais 1". Il se compose de la sorte : hall d'entrée avec toilette. Salon/salle à manger avec une belle vue dégagée sur les arbres. Cuisine donnant sur petite terrasse couverte. Large hall de nuit avec espace buanderie, distribuant 2 chambres à coucher et la salle de bain. Cave au rez-de-chaussée de la Résidence. Châssis simple vitrage bois, boiler électrique d’eau chaude. Chauffage central gaz avec chaudière commune (calorimètres). Provision charges comprenant les communs ainsi que l'eau et le chauffage privatif de l'appartement : +/-160 €/mois. Installation électrique non-conforme. Idéal pour y vivre ou investir. Demande de visite au 0471/13.49.70
  • Aantal kamers: 2
  • Oppervlakte van het woongedeelte: 58m2
  • Aantal badkamers: 1
  • Kadastraal inkomen: 721 €
  • Vrij vanaf: Bij de akte
  • Notaire Frédéric LOMBARDO
  • Contactpersoon: Margaux GARNIER
  • Tel: (087) 68.02.88
  • Email: margaux.garnier.127571@belnot.be

Gronden

espenbos, 3724 Vliermaal

Doe een bod van
45.913 €

Standaard presentatie(beeld) van een pand 291008
Uit de hand
  • Referentie: 291008
  • Drie percelen gelegen te Hasselt (Vliermaal), aan de straat 'Espenbos', ter plaatse genaamd 'Het Distelveld' (sectie F nummer 751B 758C 759C), is verpacht. De verkoop geschiedt ONDER DE OPSCHORTENDE VOORWAARDE VAN NIET-UITOEFENING VAN HET RECHT VAN VOORKOOP DOOR DE PACHTER. VERKOOP DOOR INSCHRIJVING ONDER GESLOTEN OMSLAG De inschrijving dient te gebeuren onder gesloten omslag, die aan het kantoor Geassocieerde Notarissen Rembert VAN BAEL-Cathérine GIELEN, Graanmarkt 1, 3700 Tongeren-Borgloon, tijdens de kantooruren, uiterlijk op 26 februari 2026, om 09.30 uur, bezorgd dient te worden tegen ontvangstbewijs; het kantoor is geopend op maandag, woensdag en donderdag van 09.00 u tot 12.30 u en van 13.30 u tot 18.00 u; op dinsdag van 09.00 u tot 12.30 u en van 13.30 u tot 18.30 u; op vrijdag van 09.00 u tot 13.00 u. Inschrijvingen dienen onvoorwaardelijk te zijn en uitgebracht te worden zonder opschortende voorwaarden, behoudens opschortende voorwaarde van niet-uitoefening van het voorkooprecht door de pachter. De inschrijvingen dienen te gebeuren tegen een vaste prijs voor de 3 goederen samen (niet individueel). Op 26 februari 2026, om 11 uur, worden de gesloten omslagen met de inschrijvingen opengemaakt op het kantoor Geassocieerde Notarissen Rembert VAN BAEL-Cathérine GIELEN, in aanwezigheid van de vertegenwoordiger van de verkoper. Zodra de hoogste inschrijving bekend is, zal de notaris het recht van voorkoop aan de pachter aanbieden volgens de voorschriften van de pachtwet per aangetekende brief, uiterlijk binnen de acht dagen na de opening van de inschrijvingen. Als de pachter zijn recht van voorkoop niet uitoefent noch overdraagt volgens de voorschriften van de pachtwet, zal de notaris de hoogste inschrijver uitnodigen voor het verlijden van de verkoopakte. P score: A
  • Kadastraal inkomen: 60 €
  • Vrij vanaf: Bij de akte
  • Rembert VAN BAEL - Cathérine GIELEN, Geassocieerde Notarissen
  • Contactpersoon: Michael MATTHYS
  • Tel: (012) 23.04.13
  • Email: michael@vbgnotarissen.be

Gronden

Eerste-Meistraat, 3700 Tongeren

Doe een bod van
52.000 €

Standaard presentatie(beeld) van een pand 291005
Uit de hand
  • Referentie: 291005
  • Het perceel gelegen te Tongeren-Borgloon (Tongeren), aan de Eerste-Meistraat, ter plaatse genaamd 'Bloer het Gehucht' (sectie B nummer 398A), is verpacht. De verkoop geschiedt ONDER DE OPSCHORTENDE VOORWAARDE VAN NIET-UITOEFENING VAN HET RECHT VAN VOORKOOP DOOR DE PACHTER. VERKOOP DOOR INSCHRIJVING ONDER GESLOTEN OMSLAG De inschrijving dient te gebeuren onder gesloten omslag, die aan het kantoor Geassocieerde Notarissen Rembert VAN BAEL-Cathérine GIELEN, Graanmarkt 1, 3700 Tongeren-Borgloon, tijdens de kantooruren, uiterlijk op 26 februari 2026, om 09.30 uur, bezorgd dient te worden tegen ontvangstbewijs; het kantoor is geopend op maandag, woensdag en donderdag van 09.00 u tot 12.30 u en van 13.30 u tot 18.00 u; op dinsdag van 09.00 u tot 12.30 u en van 13.30 u tot 18.30 u; op vrijdag van 09.00 u tot 13.00 u. Inschrijvingen dienen onvoorwaardelijk te zijn en uitgebracht te worden zonder opschortende voorwaarden, behoudens opschortende voorwaarde van niet-uitoefening van het voorkooprecht door de pachter. De inschrijvingen dienen te gebeuren tegen een vaste prijs voor het gehele goed. Op 26 februari 2026, om 11 uur, worden de gesloten omslagen met de inschrijvingen opengemaakt op het kantoor Geassocieerde Notarissen Rembert VAN BAEL-Cathérine GIELEN, in aanwezigheid van de vertegenwoordiger van de verkoper. Zodra de hoogste inschrijving bekend is, zal de notaris het recht van voorkoop aan de pachter aanbieden volgens de voorschriften van de pachtwet per aangetekende brief, uiterlijk binnen de acht dagen na de opening van de inschrijvingen. Als de pachter zijn recht van voorkoop niet uitoefent noch overdraagt volgens de voorschriften van de pachtwet, zal de notaris de hoogste inschrijver uitnodigen voor het verlijden van de verkoopakte. P score: A
  • Kadastraal inkomen: 55 €
  • Vrij vanaf: Bij de akte
  • Rembert VAN BAEL - Cathérine GIELEN, Geassocieerde Notarissen
  • Contactpersoon: Michael MATTHYS
  • Tel: (012) 23.04.13
  • Email: michael@vbgnotarissen.be

Gronden

Neremweg, 3700 Tongeren

Doe een bod van
39.000 €

Standaard presentatie(beeld) van een pand 291006
Uit de hand
  • Referentie: 291006
  • Het perceel gelegen te Tongeren-Borgloon (Tongeren), aan de Neremweg, ter plaatse genaamd 'OVERHAEM' (sectie B nummer 564A), is verpacht. De verkoop geschiedt ONDER DE OPSCHORTENDE VOORWAARDE VAN NIET-UITOEFENING VAN HET RECHT VAN VOORKOOP DOOR DE PACHTER. VERKOOP DOOR INSCHRIJVING ONDER GESLOTEN OMSLAG De inschrijving dient te gebeuren onder gesloten omslag, die aan het kantoor Geassocieerde Notarissen Rembert VAN BAEL-Cathérine GIELEN, Graanmarkt 1, 3700 Tongeren-Borgloon, tijdens de kantooruren, uiterlijk op 26 februari 2026, om 09.30 uur, bezorgd dient te worden tegen ontvangstbewijs; het kantoor is geopend op maandag, woensdag en donderdag van 09.00 u tot 12.30 u en van 13.30 u tot 18.00 u; op dinsdag van 09.00 u tot 12.30 u en van 13.30 u tot 18.30 u; op vrijdag van 09.00 u tot 13.00 u. Inschrijvingen dienen onvoorwaardelijk te zijn en uitgebracht te worden zonder opschortende voorwaarden, behoudens opschortende voorwaarde van niet-uitoefening van het voorkooprecht door de pachter. De inschrijvingen dienen te gebeuren tegen een vaste prijs voor het gehele goed. Op 26 februari 2026, om 11 uur, worden de gesloten omslagen met de inschrijvingen opengemaakt op het kantoor Geassocieerde Notarissen Rembert VAN BAEL-Cathérine GIELEN, in aanwezigheid van de vertegenwoordiger van de verkoper. Zodra de hoogste inschrijving bekend is, zal de notaris het recht van voorkoop aan de pachter aanbieden volgens de voorschriften van de pachtwet per aangetekende brief, uiterlijk binnen de acht dagen na de opening van de inschrijvingen. Als de pachter zijn recht van voorkoop niet uitoefent noch overdraagt volgens de voorschriften van de pachtwet, zal de notaris de hoogste inschrijver uitnodigen voor het verlijden van de verkoopakte. P score: A
  • Kadastraal inkomen: 57 €
  • Vrij vanaf: Bij de akte
  • Rembert VAN BAEL - Cathérine GIELEN, Geassocieerde Notarissen
  • Contactpersoon: Michael MATTHYS
  • Tel: (012) 23.04.13
  • Email: michael@vbgnotarissen.be

Gronden

, 3700 Nerem

Doe een bod van
98.000 €

Standaard presentatie(beeld) van een pand 291007
Uit de hand
  • Referentie: 291007
  • Het perceel gelegen te Tongeren-Borgloon (Nerem), ter plaatse genaamd 'AEN DEN MOLEN WEG' (sectie B nummer 361A), is verpacht. De verkoop geschiedt ONDER DE OPSCHORTENDE VOORWAARDE VAN NIET-UITOEFENING VAN HET RECHT VAN VOORKOOP DOOR DE PACHTER. VERKOOP DOOR INSCHRIJVING ONDER GESLOTEN OMSLAG De inschrijving dient te gebeuren onder gesloten omslag, die aan het kantoor Geassocieerde Notarissen Rembert VAN BAEL-Cathérine GIELEN, Graanmarkt 1, 3700 Tongeren-Borgloon, tijdens de kantooruren, uiterlijk op 26 februari 2026, om 09.30 uur, bezorgd dient te worden tegen ontvangstbewijs; het kantoor is geopend op maandag, woensdag en donderdag van 09.00 u tot 12.30 u en van 13.30 u tot 18.00 u; op dinsdag van 09.00 u tot 12.30 u en van 13.30 u tot 18.30 u; op vrijdag van 09.00 u tot 13.00 u. Inschrijvingen dienen onvoorwaardelijk te zijn en uitgebracht te worden zonder opschortende voorwaarden, behoudens opschortende voorwaarde van niet-uitoefening van het voorkooprecht door de pachter. De inschrijvingen dienen te gebeuren tegen een vaste prijs voor het gehele goed. Op 26 februari 2026, om 11 uur, worden de gesloten omslagen met de inschrijvingen opengemaakt op het kantoor Geassocieerde Notarissen Rembert VAN BAEL-Cathérine GIELEN, in aanwezigheid van de vertegenwoordiger van de verkoper. Zodra de hoogste inschrijving bekend is, zal de notaris het recht van voorkoop aan de pachter aanbieden volgens de voorschriften van de pachtwet per aangetekende brief, uiterlijk binnen de acht dagen na de opening van de inschrijvingen. Als de pachter zijn recht van voorkoop niet uitoefent noch overdraagt volgens de voorschriften van de pachtwet, zal de notaris de hoogste inschrijver uitnodigen voor het verlijden van de verkoopakte. P score: A
  • Kadastraal inkomen: 138 €
  • Vrij vanaf: Bij de akte
  • Rembert VAN BAEL - Cathérine GIELEN, Geassocieerde Notarissen
  • Contactpersoon: Michael MATTHYS
  • Tel: (012) 23.04.13
  • Email: michael@vbgnotarissen.be

Gronden

Schoolwegel, 8610 Handzame

Doe een bod van
110.000 €

Presentatiebeeld van het pand n° 290716
Uit de hand
  • Referentie: 290716
  • Ontdek deze prachtig gelegen bouwgrond in het rustige Handzame, deelgemeente van Kortemark. Via een privétoegangsweg vind je een perceel van 493 m² waar je geniet van rust, privacy en een groene omgeving, terwijl alle voorzieningen zich op wandelafstand bevinden. Het perceel is zonder bouwverplichting en heeft geen doorsnee indeling, waardoor je volledig vrij kunt bouwen naar eigen ontwerp. De woning kan vrij ingepland worden, zodat je de meest gunstige oriëntatie en beleving kan creëren. Een ideale keuze voor wie houdt van architecturale vrijheid en een persoonlijke touch. De bouwgrond is volledig uitgerust met alle nutsvoorzieningen en klaar voor jouw droomwoning. Het betreft het lot 3 in de verkaveling. De verkoopprijs is opgesplitst als volgt: voor de grond: € 58.000,00 (12 % registratierechten) en voor de infra: € 52.000,00 (21 % BTW). In deze verkoopt koopt u de helft (50% volle eigendom) in de uitweg naar de Schoolwegel. Op het kadaster is deze uitweg gekend onder de sectie C, nummer 0689LP0000 met een oppervlakte van 149 m². U kan deze uitweg op het kadastraal plan in de bijlagen terugvinden. P score: A
  • Kadastraal inkomen: 5 €
  • Vrij vanaf: Bij de akte
  • Notaris Caroline Vanlerberghe
  • Contactpersoon: Aron VANDROMME
  • Tel: (051) 20.06.87
  • Email: aron.vandromme@notarisvanlerberghe.be

Appartementen

4 Rue Lebeau, 6000 Charleroi

Doe een bod van
360.000 €

Presentatiebeeld van het pand n° 290980
Uit de hand
  • Referentie: 290980
  • Bel et vaste immeuble de rapport, à proximité immédiate du campus universitaire composé d’un grand rez-commercial avec espace garage et de 2 appartements à l’étage. L’entité commerciale et les logements disposent d’un accès séparé. Libre d’occupation. Disposition : - Rez : vaste garage, nombreux espaces de rangement et de stockage, pièces pouvant être affectées à usage administratif ou de rangement, salle d’eau (wc + évier). - Caves. - Etage (accessible par ascenseur ou escalier) : hall donnant vers les deux appartements, présentant chacun une grande surface habitable et comprenant chacun : hall, gd living lumineux avec balcon, cuisine, 2 chbres, 1 sdb (avec bain, wc, évier, bidet), débarras ou buanderie. Equipements : • ascenseur en ordre d’entretien • Nouveau volet au niveau de la porte d’entrée principale • Les châssis sont pour partie en aluminium double vitrage, pour partie en pvc double vitrage et pour partie en bois simple vitrage • Toiture récemment rénovée et isolée • Chauffage central au gaz commun pour les deux appartements + chaudière individuelle pour le commerce • 3 compteurs électriques (1 par entité) et 2 compteurs de gaz (1 pour le rez et 1 pour les 2 appartements de l’étage) • Porte de garage sectionnelle (ouverture manuelle mais possibilité d’installer un système d’ouverture électrique) • un des appartements est équipée d’une porte d’entrée blindée • PEB appart 4 boîte 0001 - E - n° 20251204028640 • PEB appart 4 boîte 01/D - D - n° 20251204028765
  • Aantal kamers: 4
  • Kadastraal inkomen: 3629 €
  • Vrij vanaf: Bij de akte
  • Nicolas Rousseaux, Notaire
  • Contactpersoon: Jackie CARLIER
  • Tel: (071) 31.47.18
  • Email: jackie.carlier.127183@belnot.be
  • Bezoekgegevens
  • Informations sur la vente en l'étude et pour les visites contacter le service GIL au 071/38.84.49 (option 1)

Huizen

14 Rue du Thier, 4690 Eben-Emael

Doe een bod van
150.000 €

Presentatiebeeld van het pand n° 290949
Uit de hand
  • Referentie: 290949
  • Bonne maison d'habitation 3 façades à rénover, avec garage, terrasse et jardin. Composition: RDC: hall d'entrée, débarras, salle à manger et salon, cuisine avec accès à l'extérieur, garde-manger, salle de bains (lavabo, douche et WC) et buanderie 1er étage: palier, bureau, 2 chambres de 12 et 16 mètres carrés 2ième étage: grenier de 28 mètres carrés aménagé en chambre A l'extérieur: grand garage à rue, cour, terrasse et jardin orienté plein sud. Confort: Electricité bi horaire, châssis bois double vitrage et volets; chauffage central.
  • Aantal kamers: 3
  • Oppervlakte van het woongedeelte: 140m2
  • Aantal badkamers: 1
  • Kadastraal inkomen: 210 €
  • Vrij vanaf: Te bepalen
  • Philippe BOVEROUX - Alain GUINTENS, notaires associés
  • Contactpersoon: Delphine DEVILLE
  • Tel: (04) 286.20.85
  • Email: delphine.deville.102053@belnot.be
  • Bezoekgegevens
  • Les vendredi à partir de 15 heures et dimanche à partir de 16 heures, sur RDV à prendre au 04/286.20.85

Huizen

68 Wareslagedreef, 9250 Waasmunster

Presentatiebeeld van het pand n° 290983
Online openbare verkoop
  • Referentie: 290983
  • Deze woning vereist een grondige renovatie. Gelegen in een rustige en gewilde buurt van Waasmunster, biedt het huis echter veel mogelijkheden voor herontwikkeling. Dankzij de gunstige ligging en de ruimte indeling is dit een uitstekend project voor kopers met oog voor potentie en renovatie. Bezichtigingsdagen: zaterdag 27 december, zaterdag 3 januari en zaterdag 10 januari telkens van 10 uur tot 12 uur. G score: A P score: A
  • Aantal kamers: 2
  • Lopende verkoop
  • Startdatum: 05/01/2026 15:00
  • Einddatum: 13/01/2026 15:00
  • Geen bod: 1000 €
  • Kadastraal inkomen: 337 €
  • Vrij vanaf: Bij de akte
  • Liesbeth MULLER Notaris
  • Contactpersoon: Shana VAN SOMEREN
  • Tel: (052) 46.12.79
  • Email: shana.vansomeren.124800@belnot.be

Huizen

8 Rue du Cimetière, 7618 Taintignies

Doe een bod van
212.500 €

Presentatiebeeld van het pand n° 282063
Uit de hand
  • Referentie: 282063
  • Ce bien, implanté sur un terrain de 4 ares et situé dans un environnement calme, se compose au rez-de-chaussée, d'un hall d'entrée, d'un séjour, d'une salle à manger, d'une cuisine équipée, d'une salle de douche et d'une véranda. À l'étage, vous trouverez trois chambres et un grenier aménageable. L'extérieur comprend un jardin clos ainsi qu'un grand espace à usage de chaufferie et d'atelier. Caractéristiques du bien : bon état général, chauffage central au mazout avec citerne de 2.000 litres, 2 feux à pellets, châssis double vitrage en façade.... RC: 495€
  • Aantal kamers: 3
  • Kadastraal inkomen: 495 €
  • Vrij vanaf: Bij de akte
  • ESPACE NOTAIRES - Société notariale
  • Contactpersoon: Lorelei HERMAN
  • Tel: (069) 64.65.00
  • Email: lorelei.herman.460047@belnot.be

Handelspanden

12 Grote Markt, 3800 Sint-Truiden

Doe een bod van
550.000 €

Presentatiebeeld van het pand n° 290990
Online openbare verkoop
  • Referentie: 290990
  • Centraal gelegen handelspand met ruim appartement op de Grote Markt 12 te Sint-Truiden. Indeling: Kelder: sanitaire ruimten, bergruimten en technische ruimten. Gelijkvloers: horecazaak met keuken. Tussenverdiep: bijkomende zitruimte voor de horecazaak. Eerste verdieping: overloop, apart toilet, wasplaats, ruim terras, living, eetkamer en keuken. Tweede verdieping: overloop, badkamer, 2 slaapkamers en apart toilet. Dakverdieping: overloop, slaapkamer 3, zitruimte, berging en cv-ruimte. Zeer commercieel gelegen pand met tal van mogelijkheden. Alle foto’s, virtueel bezoek en overige informatie te raadplegen via www.biddit.be. G score: A P score: A
  • Aantal badkamers: 1
  • Lopende verkoop
  • Startdatum: 26/01/2026 11:00
  • Einddatum: 03/02/2026 11:00
  • Geen bod: 1000 €
  • Kadastraal inkomen: 6250 €
  • Vrij vanaf: Bij de akte
  • DELTA Notarissen
  • Contactpersoon: Kantoor DELTA Notarissen
  • Tel: (011) 15.33.33
  • Email: info@deltanotarissen.be
  • Bezoekgegevens
  • Na afspraak met het notariskantoor

Huizen

136 Rue Hamoir, 7100 La Louvière

Doe een bod van
270.000 €

Presentatiebeeld van het pand n° 290985
Uit de hand
  • Referentie: 290985
  • Maison d'habitation comprenant : - au sous-sol : trois caves (sur toute la superficie du bien) - au rez-de-chaussée : un hall d'entrée, un salon, une salle à manger, une cuisine équipée, une salle de douche avec WC, un débarras avec un accès à l'extérieur - au demi étage : une chambre avec des placards, une salle de bain - au 1er étage : une petite chambre, une chambre avec accès à une autre chambre - extérieur : une cour, un jardin, un abri (+/- 2 m²) - un grenier (possibilité d'aménager deux chambres et une salle de bain). Caractéristiques : La toiture a été refaite récemment. Le bien est équipé d'une citerne à eau ( 2 x 300 litres), de châssis double vitrage, de détecteurs de fumée, du chauffage central du gaz, de volets à certains endroits, d'un adoucisseur d'eau. Fait partie de la vente les luminaires et le poêle. La chaudière date de plus ou moins 5 ans. Le bien est situé à proximité des transports en commun, des commerces, et des axes autoroutiers.
  • Aantal kamers: 4
  • Kadastraal inkomen: 912 €
  • Vrij vanaf: Te bepalen
  • DROULEZ Virginie
  • Contactpersoon: Luiza GUTOWSKA
  • Tel: (064) 21.51.11
  • Email: luiza.gutowska.126201@belnot.be
  • Bezoekgegevens
  • La prise de rendez-vous doit être faite en contactant préalablement l'Etude.

Huizen

5 Rue du Fossart, 7387 Angre

Doe een bod van
140.000 €

Presentatiebeeld van het pand n° 290987
Uit de hand
  • Referentie: 290987
  • Maison avec garage - Rez : une salle à manger, 1 chambre, une salle de bain (WC, baignoire, évier), une cuisine (évier, four, taque au gaz, frigo et congélateur). - Etage : 1 chambre mansardée et un vaste grenier. - Extérieur : un jardin, un passage latéral, une remise, une serre, un petit atelier, et un garage. Grenier aménageable ( +- 3 chambres possible), châssis double vitrage en bois, une grande cave, un foyer au gaz et une citerne au gaz. - Raccord : eau et électricité RC : 252€ Superficie : 2a37ca PEB 20251114010849 cat F
  • Aantal kamers: 2
  • Aantal badkamers: 1
  • Kadastraal inkomen: 252 €
  • Vrij vanaf: Bij de akte
  • Société Notariale Géry LEFEBVRE
  • Contactpersoon: Luana TENACE
  • Tel: (065) 45.71.68
  • Email: luana.tenace.128744@belnot.be
  • Bezoekgegevens
  • Renseignements et visites en l'étude du notaire LEFEBVRE au 065/450.400

Huizen

495 Leuvensesteenweg, 1030 Schaarbeek

Doe een bod van
300.000 €

Presentatiebeeld van het pand n° 288678
Online openbare verkoop
  • Referentie: 288678
  • Mooie en ruime woning met koer achteraan Gelegen Leuvensesteenweg 495 voor een oppervlakte van 1a 50ca. Bew. opp. 180 m². Omvattende kelders, verwarmingsruimte, inkomhal, keuken, eetkamer, salon, bureau, 4 slaapkamers, badkamer en 2 douchecellen. N.g.k.i. 1.579€. Verhuurd 1.200€/m (schriftelijke huurovereenkomst dd 29/1/2025) (wettelijk voorrangsrecht voor huurders). Gemengd gebied, in structurerende ruimte. EPC G/648. Contr. elektr. niet conform. Bezoeken : dinsdag 30/12 van 10-12u, maandagen 5-12-19/1 van 10-12u en zaterdagen 3-10-17/1 van 14-16u ZONDER AFSPRAAK ! De kosten dienen uiterlijk 21 januari, de dag voor de toewijzing, te worden betaald (geld over te maken naar de rekening van notaris Damien Collon). Begin biedingen : zondag 11.01.26 om 14u – Einde biedingen : maandag 19.01.26 om 14u - Instelprijs : 300.000€ - Bodverhoging : 1.000€ - Ondertekening akte : donderdag 22.01.26 om 14u - www.biddit.be – Ref. pand : 288678.
  • Aantal kamers: 4
  • Oppervlakte van het woongedeelte: 180m2
  • Aantal badkamers: 1
  • Lopende verkoop
  • Startdatum: 11/01/2026 14:00
  • Einddatum: 19/01/2026 14:00
  • Geen bod: 1000 €
  • Kadastraal inkomen: 1579 €
  • Vrij vanaf: Andere
  • DAMIEN COLLON - ANTOINE LOGÉ, geassocieerde notarissen
  • Contactpersoon: Nicolas BERTRAND
  • Tel: (02) 738.73.86
  • Email: nicolas.bertrand@clnotaires.be
  • Bezoekgegevens
  • dinsdag 30/12 van 10-12u, maandagen 5-12-19/1 van 10-12u en zaterdagen 3-10-17/1 van 14-16u. ZONDER AFSPRAAK !

Huizen

61 Rue Provinciale, 7760 Celles

Doe een bod van
210.000 €

Presentatiebeeld van het pand n° 290994
Uit de hand
  • Referentie: 290994
  • Celles, rue Provinciale 61A et 61B (A vendre ensemble ou séparément)- 2 maisons récentes (année 2011) 2 chambres avec cour et emplacement parking, à proximité des commerces. Offre à partir de 210.000 € par maison. Chaque maison comprend un hall d'entrée, un wc, une pièce salon / salle à manger donnant sur une cour, et une cuisine. A l'étage: 2 chambres avec placards intégrés et une salle de bains (meuble évier, wc et baignoire). Grenier isolé. Les maisons sont actuellement louées. Revenu cadastral par maison: 404 €. PEB: lettre C - Installation électrique conforme. Panneaux photovoltaïques - Chauffage électrique. L'organisation des visites a été confiée à Monsieur Eric DESLEE, vous pouvez le joindre au 0497/53.12.67 (Visites uniquement le samedi matin).
  • Aantal kamers: 2
  • Kadastraal inkomen: 404 €
  • Vrij vanaf: Andere
  • DEWASME, TUYTTENS, LENOBLE, Notaires associés
  • Contactpersoon: Laurence FONTAINE
  • Tel: (069) 66.60.11
  • Email: laurence.fontaine.183590@belnot.be
  • Bezoekgegevens
  • L'organisation des visites a été confiée à Monsieur Eric DESLEE, vous pouvez le joindre au 0497/53.12.67 (Visites uniquement le samedi matin)

Appartementen

3 Boulevard Frankignoul, 4020 Liège

Doe een bod van
135.000 €

Presentatiebeeld van het pand n° 291002
Uit de hand
  • Referentie: 291002
  • APPARTEMENT A VENDRE – QUARTIER DES VENNES Appartement au 3ème étage, avec une cave, d’une résidence située boulevard Frankignoul, 3 à 4000 Liège (situé à l’arrière de la résidence, rue des Pipiers). Cet appartement peut convenir tant pour un investissement que pour un premier achat. Actuellement loué 475 €/mois ( + 120 € mensuelles de provisions pour charges). Idéalement situé, proche de toutes commodités cet appartement est composé comme suit: Un hall d’entrée de 4.63 m² (4.41 x 1.05) – un séjour lumineux de 27.20 m² (4.69 x 5.80) – une cuisine meublée de 6.70 m² (3.22 x 2.08) - une chambre de 11.83 m² (3.25 x 3.64) – une salle de bain, composée d’une baignoire, d’un lavabo et d’un WC, de 3.46 m² ((1.60 x 1.69) + (1.06 x 0.72)) – d’une buanderie de 3.38 m² (1.69 x 2.00) et d’une cave en sous-sol (au -2). Renseignements divers : chauffage central collectif (décalorimètres) – châssis double vitrage en PVC – pas de volets – installation électrique bihoraire pas aux normes – Portes blindées au niveau du sas d’entrée de la résidence - certificat PEB : D – R.C. : 808,00 euros – Fonds de réserve mensuel : 96,00 € - Fonds de roulement mensuel : 173,98 €.
  • Aantal kamers: 1
  • Kadastraal inkomen: 808 €
  • Vrij vanaf: Andere
  • PONSGEN & SALERNO, notaires associés
  • Contactpersoon: Laurent VERMERSCH
  • Tel: (04) 337.07.53
  • Email: laurent.vermersch.168385@belnot.be

Huizen

783 Faweux, 4654 Charneux

Doe een bod van
295.000 €

Presentatiebeeld van het pand n° 290991
Uit de hand
  • Referentie: 290991
  • Idéalement située dans le village de Charneux, cette maison spacieuse, partiellement rénovée offre un énorme potentiel grâce à ses beaux volumes et ses nombreux espaces. Visite virtuelle : https://tour.giraffe360.com/bc761cd9bf694e319fb1d9881b553ebc Elle se compose de : - Rez-de-chaussée : Cuisine équipée avec ilot central, une salle à manger, un séjour lumineux, une salle de bains avec baignoire et douche, des pièces de rangements et une toilette individuelle ; - 1er étage : deux chambres et une seconde salle de bains avec baignoire et douche (à terminer) ; - 2ème étage : trois chambres à coucher dont une accessible via un escalier séparé. - Sous-sol : une cave. A l’extérieur, une grande cour, un garage avec espace de rangement et un grand jardin. Spécificités : - Electricité conforme, - Deux poêle à pellets, - Boiler électrique pour l’eau chaude, - Châssis PVC DV. Une maison idéale pour les amateurs de rénovation souhaitant créer une habitation familiale spacieuse et chaleureuse dans une région calme et authentique. PEB E – numéro 20251209001469 - 406 kWh/m².an – 80.215 kWh/an - 198m² de surface de plancher chauffé.
  • Aantal kamers: 5
  • Oppervlakte van het woongedeelte: 198m2
  • Aantal badkamers: 2
  • Kadastraal inkomen: 393 €
  • Vrij vanaf: Bij de akte
  • Anne-Catherine Wathelet Notaire
  • Contactpersoon: Ingrid LELOTTE
  • Tel: (087) 22.51.61
  • Email: ingrid.lelotte.357909@belnot.be
  • Bezoekgegevens
  • Visites uniquement sur rendez-vous.

Huizen

157 Liersesteenweg, 2520 Emblem

Doe een bod van
226.000 €

Presentatiebeeld van het pand n° 290971
Online openbare verkoop
  • Referentie: 290971
  • Halfopen bebouwing met achterliggende tuin. Kelder. Glvl: inkomhal met trap, slaapkamer, zitplaats, keuken, wc, klein sas (berging), overdekt terras. Verdieping: trapgang, twee slaapkamers en badkamer. Tuin. Het eigendom is gelegen in de directe nabijheid van grote handelszaken en openbaar vervoer. Thans verhuurd (doch eindigt op 30 april 2026). Biedingsperiode van 19 januari 2026 (13u) tot 27 januari 2026 (13u). Toewijs (onder voorbehoud) op dinsdag 3 februari 2026 om 17u. G score: A P score: A
  • Aantal kamers: 3
  • Lopende verkoop
  • Startdatum: 19/01/2026 13:00
  • Einddatum: 27/01/2026 13:00
  • Geen bod: 1000 €
  • Kadastraal inkomen: 433 €
  • Vrij op: 30/04/2026
  • M² Notarissen
  • Contactpersoon: Tammy GEUENS
  • Tel: (03) 480.00.46
  • Email: tammy.geuens.182204@belnot.be
  • Bezoekgegevens
  • Het goed kan bezocht worden elke woensdag van 15.00 tot 17.00 uur en elke zaterdag van 10.00 tot 12.00 uur, en dit vanaf woensdag 7 januari 2026 tot en met zaterdag 24 januari 2026

Huizen

127 Molenstraat, 2490 Balen

Doe een bod van
175.000 €

Presentatiebeeld van het pand n° 290877
Online openbare verkoop
  • Referentie: 290877
  • Gelegen op een perceel van 10a 21ca. Indeling: - gelijkvloers: inkom, woonkamer, keuken, bergruimte, badkamer (vernieuwd met lavabo, toilet en inloopdouche), veranda (nieuwe ramen), inpandige garage; - 1e verdieping: 3 slaapkamers,bergruimte; - geïsoleerde zolder (met trapluik). Wg, Vg, Gmo, Gvkr, Gvv. BEZOEK: elke zaterdag van 10u-12u vanaf 10/1 tem de toewijs. G score: A P score: A
  • Aantal kamers: 3
  • Aantal badkamers: 1
  • Lopende verkoop
  • Startdatum: 29/01/2026 13:00
  • Einddatum: 06/02/2026 13:00
  • Geen bod: 1000 €
  • Kadastraal inkomen: 867 €
  • Vrij vanaf: Bij de akte
  • Notacampina
  • Contactpersoon: Eline PIRA
  • Tel: (014) 81.29.52
  • Email: info@notacampina.be
  • Bezoekgegevens
  • elke zaterdag van 10u-12u vanaf 10/1 tem de toewijs.

Huizen

6 Mechelenstraat, 3870 Mechelen-Bovelingen

Doe een bod van
140.000 €

Presentatiebeeld van het pand n° 290978
Online openbare verkoop
  • Referentie: 290978
  • Open bebouwing met 3 slaapkamers & tuin (04a40ca) in het landelijke Mechelen-Bovelingen (Heers), op 2 min van het dorpscentrum van Mechelen-Bovelingen en op 15 min van het centrum van Sint-Truiden. Opgetrokken in 1958 en deels gerenoveerd in 2010. WgLk. Renovatieplicht (EPC F). G score: A P score: A
  • Aantal kamers: 3
  • Oppervlakte van het woongedeelte: 215m2
  • Aantal badkamers: 1
  • Lopende verkoop
  • Startdatum: 19/01/2026 15:00
  • Einddatum: 27/01/2026 15:00
  • Geen bod: 1000 €
  • Kadastraal inkomen: 489 €
  • Vrij vanaf: Onmiddellijk
  • NOTARIS ALEXANDRA SNYERS
  • Contactpersoon: Guy VAN DAMME
  • Tel: (011) 68.22.54
  • Email: guy@notaris-alexandra-snyers.be
  • Bezoekgegevens
  • Het goed zal door de kandidaat-kopers kunnen bezocht worden na onderling overleg met het voormeld notariskantoor

Gronden

Schoolwegel, 8610 Handzame

Doe een bod van
90.000 €

Presentatiebeeld van het pand n° 289785
Uit de hand
  • Referentie: 289785
  • Op zoek naar een bouwgrond te koop in Handzame zonder bouwverplichting? Ontdek dit vrije perceel van 408 m², rustig gelegen in een kleinschalige verkaveling. Via een privétoegangsweg geniet je hier van rust, privacy en een groene omgeving. De bouwgrond is vrij van aannemer en heeft een speelse indeling die uitnodigt tot creatief bouwen. Dankzij de vrije inplanting bepaal je zelf de oriëntatie en indeling van je toekomstige woning, ideaal voor wie houdt van architecturale vrijheid en persoonlijke beleving. Het betreft het lot 2 in de verkaveling. De verkoopprijs is opgesplitst als volgt: voor de grond: € 48.000,00 (12 % registratierechten) en voor de infra: € 42.000,00 (21 % BTW). In deze verkoopt koopt u de helft (50% volle eigendom) in de uitweg naar de Schoolwegel. Op het kadaster is deze uitweg gekend onder de sectie C, nummer 0689LP0000 met een oppervlakte van 149 m². U kan deze uitweg op het kadastraal plan in de bijlagen terugvinden. P score: A
  • Kadastraal inkomen: 4 €
  • Vrij vanaf: Bij de akte
  • Notaris Caroline Vanlerberghe
  • Contactpersoon: Aron VANDROMME
  • Tel: (051) 20.06.87
  • Email: aron.vandromme@notarisvanlerberghe.be

Huizen

10 Boelenstraat, 3900 Overpelt

Doe een bod van
310.000 €

Presentatiebeeld van het pand n° 290986
Online openbare verkoop
  • Referentie: 290986
  • Woning te Pelt (Overpelt), Boelenstraat 10, open bebouwing met zonnepanelen, 0409/W/P0000, 11a10ca, Vg, Wg en Wug, Gmo, Vkr, Gvv, Voorkooprecht. Niet-asbestveilig. EPC: 237 kWh/m², label C, Elektrische installatie voldoet niet en dient te worden hersteld en herkeurd. P-score: C en G-score: A. Signaalgebied. De woning is beschikbaar nadat de prijs, de kosten en alle bijkomende lasten in hoofdsom en eventuele interesten zijn betaald, doch ten vroegste 6 weken na het einde van de biedingen. G score: A P score: C
  • Aantal kamers: 5
  • Aantal badkamers: 1
  • Lopende verkoop
  • Startdatum: 21/01/2026 13:00
  • Einddatum: 29/01/2026 13:00
  • Geen bod: 1000 €
  • Kadastraal inkomen: 996 €
  • Vrij op: 12/03/2026
  • Notaris Greet Cox
  • Contactpersoon: Kantoor Not. Greet Cox
  • Tel: (011) 80.17.17
  • Email: info@notariscox.be
  • Bezoekgegevens
  • Zaterdag 10 januari 2026 van 13u30 tot 14u30; zaterdag 17 januari 2026 van 13u30 tot 14u30; zaterdag 24 januari 2026 van 13u30 tot 14u30

Huizen

14 Zavelberg, 1760 Roosdaal

Doe een bod van
48.000 €

Presentatiebeeld van het pand n° 290840
Uit de hand
  • Referentie: 290840
  • Volledig te renoveren woning, rustig gelegen op korte afstand van het centrum van Roosdaal. De gelijkvloerse verdieping omvat drie kamers en een traphal. Op de eerste verdieping bevinden zich twee kamers. Samen goed voor een nuttige vloeroppervlakte van circa 100 m². Daarnaast beschikt de woning over een ruime tuin. G score: A P score: A
  • Aantal kamers: 2
  • Kadastraal inkomen: 294 €
  • Vrij vanaf: Bij de akte
  • Aileen RENIERS, Notaris
  • Contactpersoon: Lothe DE ROP
  • Tel: (02) 568.16.50
  • Email: lothe.derop.128561@belnot.be

Kantoren

6 Rue de la Poste, 6830 Bouillon

Doe een bod van
250.000 €

Presentatiebeeld van het pand n° 290966
Online openbare verkoop
  • Referentie: 290966
  • Bureaux lumineux et spacieux au cœur de Bouillon, situés dans une rue calme, à proximité de toutes commodités, ils se composent comme suit: au rez-de-chaussée: un sas d'entrée, une grande pièce lumineuse, une pièce comprenant un WC/évier + coin évier séparé (+compteur électrique), local chaudière, un ascenseur ainsi que des escaliers desservant les quatre étages, un accès vers l’extérieur coté garage; 1er étage: 4 grands bureaux lumineux dont trois communicants, une pièce comprenant un WC/évier + coin évier séparé, deux pièces de rangement (sans fenêtre); 2ième étage: un grand bureau lumineux, une grande pièce avec coin cuisine (sans fenêtre) et une pièce comprenant un WC/évier + un coin évier séparé, un accès vers l'extérieur* (arrière du bâtiment) ; 3ième étage: une grande pièce lumineuse et deux petites pièces ainsi qu'une pièce avec WC/évier + coin évier séparé; 4ième étage: 5 pièces lumineuses dont deux pièces basses (mansardées), une pièce avec WC/évier + coin évier séparé. Chauffage central au sol.Extérieur: un garage. *Un bail emphytéotique au profit du bâtiment permettant l'accès à la Ruelle des Fossés.
  • Lopende verkoop
  • Startdatum: 25/01/2026 13:00
  • Einddatum: 02/02/2026 13:00
  • Geen bod: 1000 €
  • Kadastraal inkomen: 6789 €
  • Vrij vanaf: Bij de akte
  • Caroline BOUILLON, Société Notariale
  • Contactpersoon: Morgane BODET
  • Tel: (061) 46.60.10
  • Email: morgane.bodet.111377@belnot.be
  • Bezoekgegevens
  • Prendre rendez-vous par téléphone le matin entre 08h30 et 12h00 ou par mail à: caroline.bouillon@belnot.be

Huizen

20 Akkerstraat, 9140 Temse

Doe een bod van
489.000 €

Presentatiebeeld van het pand n° 290989
Uit de hand
  • Referentie: 290989
  • Goed gelegen ruime woning te Temse, Akkerstraat 20. Woning kan gebruikt worden als kangoeroewoning! Inkom met ruime winkelruime/toonzaal, groot terras en omheinde stadstuin. 1ste verdieping: woonkamer, keuken, berging, toilet, 2de woonkamer / bureel. 2de verdieping: 5 slaapkamers en badkamer. Grote geïsoleerde zolderverdieping. G score: B P score: B
  • Aantal kamers: 5
  • Aantal badkamers: 1
  • Kadastraal inkomen: 2409 €
  • Vrij vanaf: Bij de akte
  • Tack & De Moor - notarisvennootschap
  • Contactpersoon: Michaël DE BOEY
  • Tel: (03) 776.02.38
  • Email: mdb@tackdemoor.be

Huizen

26 Coenraetsstraat, 1060 Sint-Gillis

Doe een bod van
200.000 €

Presentatiebeeld van het pand n° 288635
Online openbare verkoop
  • Referentie: 288635
  • Een woon- en opbrengsthuis Coenraetsstraat 26, opp. 50ca. Omv. kelders – gelijkvl.: hal, salon, eetkamer, badkamer met wc – 1e verd . : hal, salon, eetkamer, keuken, badkamer – 2e verd. : hal, 2 slaapk. – 3e verd.: hal, 1 slaapk., 2 ruimtes. N.g.k.i. 803€. Bezet door de eigenaar. Gemengd gebied. EPC : F/300. Contr. elektr. niet conform. Bezoekdagen : (vanaf 3/1/26 t.e.m. 21/1/26) : woens.. van 11-13u en zat. van 10u30-12u30. Begin biedingen : woensdag 14.01.26 om 14u - Einde biedingen : don.. 22.01.26 om 14u - Instelprijs : 200.000€ - Bodverhoging : 1.000€ - Ondertekening akte : dinsdag 27.01.26 om 14u - www.biddit.be - Ref. pand : 288635
  • Aantal kamers: 3
  • Aantal badkamers: 2
  • Lopende verkoop
  • Startdatum: 14/01/2026 14:00
  • Einddatum: 22/01/2026 14:00
  • Geen bod: 1000 €
  • Kadastraal inkomen: 803 €
  • Vrij vanaf: Te bepalen
  • Olivier PALSTERMAN - société notariale
  • Contactpersoon: Yen Ying CHOU
  • Tel: (02) 219.53.23
  • Email: y.chou@mail-not.be
  • Bezoekgegevens
  • (vanaf 3/1/26 t.e.m. 21/1/26) : woens.. van 11-13u en zat. van 10u30-12u30.

Garage

157 Brugstraat, 3001 Leuven

Doe een bod van
30.000 €

Presentatiebeeld van het pand n° 290988
Uit de hand
  • Referentie: 290988
  • Deze gunstig gelegen garagebox van 15 m² bevindt zich in de Brugstraat 157 in Heverlee, op een rustige maar strategische locatie nabij het centrum van Leuven en belangrijke in- en uitvalswegen. De garage is ideaal voor het veilig stallen van een wagen, motor of fietsen, maar leent zich eveneens uitstekend als extra opslagruimte. De box wordt momenteel verhuurd voor € 75 per maand, wat dit een interessante investering maakt met onmiddellijk rendement. Uiteraard kan de garage, indien gewenst, ook vrijgemaakt worden voor eigen gebruik. Dankzij de vlotte bereikbaarheid, de rustige buurt en de interessante verhuurmogelijkheden is deze garagebox een mooie kans voor zowel investeerders als particulieren die extra ruimte zoeken in Heverlee. G score: B P score: B
  • Kadastraal inkomen: 71 €
  • Vrij vanaf: Bij de akte
  • Verkoopbureau Notarishuis Leuven BV
  • Contactpersoon: Dries SCHOUTETEN
  • Tel: (016) 22.19.45
  • Email: info@notarishuis-leuven.be

Huizen

11 Fonteinestraat, 8740 Pittem

Doe een bod van
225.000 €

Presentatiebeeld van het pand n° 290992
Online openbare verkoop
  • Referentie: 290992
  • Te renoveren open bebouwing op een groot perceel grond. Grondoppervlakte 815m². G score: A P score: A
  • Aantal kamers: 1
  • Oppervlakte van het woongedeelte: 118m2
  • Aantal badkamers: 1
  • Lopende verkoop
  • Startdatum: 02/02/2026 15:00
  • Einddatum: 10/02/2026 15:00
  • Geen bod: 1000 €
  • Kadastraal inkomen: 396 €
  • Vrij vanaf: Bij de akte
  • VANBEYLEN & REYNTJENS, NOTARISSEN
  • Contactpersoon: Hélène REMMERIE
  • Tel: (051) 61.10.94
  • Email: helene.remmerie@vrnotarissen.be
  • Bezoekgegevens
  • Het goed kan bezocht worden op volgende zaterdagen telkens van 14u tot 16u: zaterdag 27 december 2025; zaterdag 10 januari 2026; zaterdag 24 januari 2026; zaterdag 31 januari 2026

Huizen

40 Venstraat, 3700 Vreren

Doe een bod van
75.000 €

Presentatiebeeld van het pand n° 290995
Online openbare verkoop
  • Referentie: 290995
  • Te renoveren rijwoning met tuin gelegen in het landelijke Vreren. De woning bestaat uit 2 verdiepingen met 2 slaapkamers. Gelegen op +/- 4 km van het centrum van Tongeren en langs de Waalse grens. De woning ligt in de nabijheid van een lagere school. G score: D P score: D
  • Aantal kamers: 2
  • Aantal badkamers: 1
  • Lopende verkoop
  • Startdatum: 03/02/2026 12:00
  • Einddatum: 11/02/2026 12:00
  • Geen bod: 1000 €
  • Kadastraal inkomen: 448 €
  • Vrij vanaf: Bij de akte
  • NOTARISKANTOOR HOUGAERTS & PEYLS
  • Contactpersoon: Kantoor Not. Hougaerts & Peyls
  • Tel: (012) 23.10.22
  • Email: joachim.peyls@belnot.be
  • Bezoekgegevens
  • Na telefonische afspraak kan de sleutel afgehaald worden op het notariskantoor Hougaerts & Peyls

Huizen

44 Kerkstraat, 3053 Haasrode

Doe een bod van
295.000 €

Presentatiebeeld van het pand n° 290996
Online openbare verkoop
  • Referentie: 290996
  • Nog af te werken renovatieproject met praktische indeling, ruime tuin en inpandige garage. Mobiscore 7,9/10. G score: A P score: A
  • Aantal kamers: 1
  • Oppervlakte van het woongedeelte: 198m2
  • Lopende verkoop
  • Startdatum: 26/01/2026 14:00
  • Einddatum: 03/02/2026 14:00
  • Geen bod: 1000 €
  • Kadastraal inkomen: 971 €
  • Vrij vanaf: Bij de akte
  • Geysels Kurt
  • Contactpersoon: Kantoor Not. Kurt Geysels
  • Tel: (016) 56.60.68
  • Email: kurt.geysels@notaris.be
  • Bezoekgegevens
  • Elke zaterdag tussen 14u-16u vanaf zaterdag 10 januari 2026 tot en met zaterdag 31 januari 2026

Gronden

Diestsesteenweg, 3202 Rillaar

Doe een bod van
750.000 €

Presentatiebeeld van het pand n° 290997
Online openbare verkoop
  • Referentie: 290997
  • Stad Aarschot (Rillaar). Projectgrond opp. 7.141 m² gelegen Diestsesteenweg met indrukwekkende straatbreedte van ca 110 m en tal van mogelijkheden. Uitstekende bereikbaarheid, nabij centrum Aarschot én oprit E314 (Leuven, Brussel en Hasselt). Een unieke kans! Stedenbouwkundige bestemming: woongebieden met landelijk karakter en agrarische gebieden – voorkooprecht RVV De Vlaamse Waterweg. P-score = A (A= geen overstroming gemodelleerd). Mobiscore: 7,8/10. P score: A
  • Lopende verkoop
  • Startdatum: 28/01/2026 10:00
  • Einddatum: 05/02/2026 10:00
  • Geen bod: 1000 €
  • Vrij vanaf: Bij de akte
  • Geysels Kurt
  • Contactpersoon: Kantoor Not. Kurt Geysels
  • Tel: (016) 56.60.68
  • Email: kurt.geysels@notaris.be
  • Bezoekgegevens
  • Vrij te bezoeken

Gronden

19 Boulevard des Combattants, 5530 Evrehailles

Doe een bod van
120.000 €

Presentatiebeeld van het pand n° 290993
Uit de hand
  • Referentie: 290993
  • Dans le magnifique village d'Evrehailles, ce terrain de 23 ares 25 centiares avec son grand garage est idéalement situé dans une rue prisée. Il bénéficie d’une façade de 12,32 mètres et se situe pour partie en zone d’habitat et le fond en zone d'espaces verts. Atouts du terrain : Environnement résidentiel calme et recherché Terrain plat Opportunité rare dans le secteur Libre de constructeur. Prix souhaité: 120.000,00 EUR sauf offre supérieure. Renseignements en l'étude du notaire Philippe LAURENT à Beauraing.
  • Vrij vanaf: Bij de akte
  • Philippe LAURENT, société notariale
  • Contactpersoon: Chloé GRIDLET
  • Tel: (082) 71.14.24
  • Email: chloe.gridlet.133918@belnot.be
  • Bezoekgegevens
  • Sur place

Huizen

1 Rue Saumery, 4020 Liège

Doe een bod van
10.000 €

Presentatiebeeld van het pand n° 290880
Online openbare verkoop
  • Referentie: 290880
  • Maison à réhabiliter + ruine (présence possible mérule)
  • Aantal kamers: 2
  • Oppervlakte van het woongedeelte: 188m2
  • Lopende verkoop
  • Startdatum: 13/01/2026 15:00
  • Einddatum: 21/01/2026 15:00
  • Geen bod: 1000 €
  • Kadastraal inkomen: 716 €
  • Vrij vanaf: Bij de akte
  • Xhauflaire, Grégory
  • Contactpersoon: Gregory XHAUFLAIRE
  • Tel: (04) 342.82.88
  • Email: gregory.xhauflaire@belnot.be

Huizen

119 Rue de la Vaulx, 4621 Retinne

Doe een bod van
150.000 €

Presentatiebeeld van het pand n° 290824
Online openbare verkoop
  • Referentie: 290824
  • Maison de type bungalow à renover
  • Aantal kamers: 4
  • Oppervlakte van het woongedeelte: 261m2
  • Aantal badkamers: 1
  • Lopende verkoop
  • Startdatum: 13/01/2026 15:00
  • Einddatum: 21/01/2026 15:00
  • Geen bod: 1000 €
  • Kadastraal inkomen: 1341 €
  • Vrij vanaf: Bij de akte
  • Xhauflaire, Grégory
  • Contactpersoon: Gregory XHAUFLAIRE
  • Tel: (04) 342.82.88
  • Email: gregory.xhauflaire@belnot.be
  • Bezoekgegevens
  • Rendez-vous en l'étude

Huizen

15 Avenue du Printemps, 1410 Waterloo

Doe een bod van
280.000 €

Presentatiebeeld van het pand n° 290894
Online openbare verkoop
  • Referentie: 290894
  • Située dans un quartier résidentiel de Waterloo très prisé, à la fois calme et proche du centre : charmante maison plain-pied, avec terrasse et jardin, proche de la N5 et de toutes ses facilités (magasins, restaurants, école,...), se composant comme suit : - au rez-de-chaussée : un vaste hall d'entrée, un WC séparé, un cagibi, un living, une cuisine semi-équipée ouverte avec accès direct à la terrasse, un hall de nuit desservant trois chambres (de +/- 11, 13 et 14 m²) et une salle de bain ; - au sous-sol : chaufferie, sellier et garage pouvant accueillir une voiture ( +/- 26 m²) ; - à l'étage : vaste grenier d'environ 40 m² offrant de nombreuses possibilités d'aménagement et de création de pièces supplémentaires. Chaudière au gaz (de ville). Châssis simple vitrage en bois. Volets en PVC et en bois. Toiture en ardoise. Bien relié aux égouts. Abris de jardin (6 m²). Grande terrasse de +/- 40m². Terrain d'une superficie totale de 5 ares 92 centiares. Bien actuellement loué (loyer de 700 €) mais un congé a été notifié au locataire ; le bail prendra donc fin le 9 mars 2026 au plus tard. Ne font pas partie de la vente : four à micro-ondes, four, lave-vaisselle et frigo/congélateur. Pas de visite sans rendez-vous. Merci de ne pas déranger la locataire. Pour les visites, s'adresser au préalable à Mathieu que vous pouvez joindre au 0477/36 25 93.
  • Aantal kamers: 3
  • Aantal badkamers: 1
  • Lopende verkoop
  • Startdatum: 14/01/2026 14:00
  • Einddatum: 22/01/2026 14:00
  • Geen bod: 1000 €
  • Kadastraal inkomen: 2620 €
  • Vrij op: 09/03/2026
  • ALEXANDRE HÉBRANT, NOTAIRES ASSOCIES
  • Contactpersoon: Gaelle LEMAIRE
  • Tel: (081) 22.01.13
  • Email: gaelle.lemaire.112524@belnot.be
  • Bezoekgegevens
  • Pour les visites, s'adresser à Mathieu que vous pouvez joindre au 0477/36 25 93.

Huizen

186 Rue du Corbeau, 4820 Dison

Doe een bod van
210.000 €

Presentatiebeeld van het pand n° 290998
Uit de hand
  • Referentie: 290998
  • Découvrez le charme de ce bungalow de plain-pied, idéalement conçu pour ceux qui recherchent la praticité d’une maison sans étage. Visite virtuelle: https://tour.giraffe360.com/dc222dfe1707456fab58509b79e2bd42 Il se compose comme suit: - Un hall d’entrée, un séjour lumineux ouvert sur la salle à manger profitant d’une agréable vue sur le jardin, une cuisine à aménager selon vos goûts, deux chambres, une salle de bain, une toilette indépendante et d’un débarras ; - Un garage sur toute la longueur ; - Un grenier de stockage accessible par escalier escamotable ; - A l’extérieur : un grand jardin avec barbecue, parfait pour partager des moments conviviaux. Quelques travaux de rénovation sont à prévoir, mais cette maison offre un fort potentiel. Une belle opportunité pour créer la maison de vos rêves dans un cadre agréable ! PEB G - numéro 20250903017200 - 82m² de surface de plancher chauffé - 734 kWh/m².an - 60 104 kWh/an. PEB: classe G (734 kWh/m².an - 60 104 kWh/an)
  • Aantal kamers: 2
  • Oppervlakte van het woongedeelte: 82m2
  • Aantal badkamers: 1
  • Kadastraal inkomen: 748 €
  • Vrij vanaf: Bij de akte
  • Anne-Catherine Wathelet Notaire
  • Contactpersoon: Ingrid LELOTTE
  • Tel: (087) 22.51.61
  • Email: ingrid.lelotte.357909@belnot.be
  • Bezoekgegevens
  • Visite uniquement sur rendez-vous

Gronden

Rue de l'Arbre Saint-Michel, 4400 Flémalle

Doe een bod van
200.000 €

Presentatiebeeld van het pand n° 230624
Uit de hand
  • Referentie: 230624
  • beau terrain à bâtir libre de constructeur. façade : 30m. profondeur: 170m. parcelle C538V
  • Vrij vanaf: Bij de akte
  • CRISMER & de SAUVAGE, Notaires Associés
  • Contactpersoon: Stéphanie LAMBERT
  • Tel: (04) 250.10.56
  • Email: stephanie.lambert.130807@belnot.be

Huizen

39 Wijstraat, 9340 Lede

Doe een bod van
380.000 €

Presentatiebeeld van het pand n° 290942
Online openbare verkoop
  • Referentie: 290942
  • Een nog af te werken woonhuis met aanbouw op en met grond en aanhorigheden. De bestaande woning heeft op het gelijkvloers een voorziene indeling van: een kantoor met aparte inkom, toilet, berging/kitchenette, vergaderruimte/archief. Het nieuwe gedeelte is voorzien op een privé inkom met trap, toilet, een open en ruime leefruimte met mogelijkheid tot een open keuken met eiland en een berging. Op de verdieping bevinden zich volgende ruimtes: nachthal met 4 slaapkamers (waarvan 1 met aansluitend een dressingruimte en een badkamer met ruimte voor inloopdouche en bad), een badkamer, ruimte voor het plaatsen van een vaste trap naar zolder (nog in te richten) en toilet. Enige toelichting: -De volledige vloer (zowel het bestaande als nieuw gedeelte) werd geïsoleerd. -Er zijn in de voortuin twee regenwaterputten (onderaan verbonden) van elk 7.500 liter aanwezig. -In de voortuin bevindt zich tevens een infiltratiebekken en een nieuwe septische put. De aansluiting op de riolering is thans nog niet aanwezig. -Het nieuwe gedeelte is nog niet voorzien van ramen, noch dakbedekking. -Het dak van de garage is op heden al afgewerkt met EPDM. G score: A P score: A
  • Aantal kamers: 4
  • Aantal badkamers: 2
  • Lopende verkoop
  • Startdatum: 19/01/2026 14:00
  • Einddatum: 27/01/2026 14:00
  • Geen bod: 1000 €
  • Kadastraal inkomen: 1070 €
  • Vrij vanaf: Bij de akte
  • Caudron, Herzeel & Breckpot, geassocieerde notarissen
  • Contactpersoon: Kantoor Not. Caudron, Herzeel & Breckpot
  • Tel: (053) 21.11.05
  • Email: chloe@notch.be
  • Bezoekgegevens
  • Contact opnemen met het Notariskantoor op volgend mailadres: chloe@notch.be

Huizen

23 Eduard Dompasstraat, 3570 Alken

Doe een bod van
130.000 €

Presentatiebeeld van het pand n° 290945
Online openbare verkoop
  • Referentie: 290945
  • Woning met ruime tuin op een perceel van 7a 30ca, gelegen op slechts 10 minuten van het centrum van Hasselt. De woning biedt een uitstekende locatie en veel potentieel, maar dient gerenoveerd te worden, aangezien de renovatieplicht van toepassing is. Dit biedt de unieke kans om het pand volledig naar eigen smaak en behoeften in te richten. Indeling van de woning: inkomhal, leefruimte, keuken berging en garage op het gelijkvloers. Op de eerste verdieping zijn er nog vier slaapkamers en een badkamer. VOORZIEN COMFORT * ruim perceel op een rustige locatie; *woning met veel potentieel; * alle attesten (EPC, elektriciteit e.d.) voorhanden. KENMERKEN WONING * geen bouwmisdrijven en/of overtredingen; * blanco bodemattest; * EPC: 629 kWh/m²jaar – label F - certificaatnummer: 20250901-0003675960-RES-1 - renovatieplicht *asbestattest – asbestveilig (maar niet asbestvrij: 2 asbestmaterialen, 0 beperkingen, 0 uitsluitingen); * elektrische installatie = niet-conform; stookolietank: bovengronds, < 2.500 liter, groene dop; * gedeeltelijk gelegen in overstromingsgevoelig gebied pluviaal - P-score = D (middelgrote kans op overstromingen) – G-score = C (kleine kans op overstromingen); * niet aangeduid als watergevoelig openruimtegebied. ADMINISTRATIEVE GEGEVENS: * een woonhuis met alle verdere aanhorigheden, op en met grond, kadastraal gekend sectie I nummer 0031F2P0000 met een oppervlakte van zeven are dertig centiare (7a 30ca) – KI 594. INLICHTINGEN: *NOTALIM (kantoor Alken) * tel 011 31 36 33 * alken@notalim.be *Bieden via www.biddit.be G score: C P score: D
  • Aantal kamers: 4
  • Oppervlakte van het woongedeelte: 145m2
  • Aantal badkamers: 1
  • Lopende verkoop
  • Startdatum: 19/01/2026 14:00
  • Einddatum: 27/01/2026 14:00
  • Geen bod: 1000 €
  • Kadastraal inkomen: 594 €
  • Vrij vanaf: Onmiddellijk
  • Notalim-Actacerta
  • Contactpersoon: Tim HAMERS
  • Tel: 011462278
  • Email: tim.h@notalim.be
  • Bezoekgegevens
  • Elke woensdag van 18u-19u en elke zaterdag van 11u-12u, en dit vanaf woensdag 7 januari 2026 tot en met zaterdag 24 januari 2026 (er hoeft geen afspraak te worden gemaakt)

Huizen

18 Eikenlaan, 2880 Bornem

Doe een bod van
150.000 €

Presentatiebeeld van het pand n° 290919
Online openbare verkoop
  • Referentie: 290919
  • Op te frissen. Rustige ligging. Omvat inkomhal met trap, wc, living, keuken. 3 ruime slaapkamers, badkamer en wc, inpandige garage. Mooie tuin. Wg, Vg, Gmo, Gvkr, Gvv. Renovatieplicht. BEZOEK: na tel. afspr. met het notariskantoor, waar de sleutels kunnen opgepikt worden ter bezichtiging. G score: A P score: A
  • Aantal kamers: 3
  • Oppervlakte van het woongedeelte: 180m2
  • Aantal badkamers: 1
  • Lopende verkoop
  • Startdatum: 13/01/2026 13:00
  • Einddatum: 21/01/2026 13:00
  • Geen bod: 1000 €
  • Kadastraal inkomen: 979 €
  • Vrij vanaf: Onmiddellijk
  • Notariskantoor Huygens & Lefevre
  • Contactpersoon: Jolynn MAES
  • Tel: (015) 28.75.40
  • Email: jolynn.maes@notarissenveemarkt.be
  • Bezoekgegevens
  • na tel. afspr. met het notariskantoor, waar de sleutels kunnen opgepikt worden ter bezichtiging.

Huizen

9 Rue de France, 6791 Athus

Doe een bod van
390.000 €

Presentatiebeeld van het pand n° 290691
Uit de hand
  • Referentie: 290691
  • A VENDRE : ATHUS, belle maison 4 façades avec garage proche du GDL, de la gare et des écoles. Elle se compose : Au rez-de-chaussée : d'un hall d'entrée, une cuisine équipée, un grand salon / salle à manger, un bureau, une première chambre, une salle de bain, un WC séparé et un espace de rangement. Au premier étage : Un grand palier, 3 chambres supplémentaires dont une avec balcon, une salle de douche, un WC séparé et un espace de rangement. Des combles sont également accessibles. Le bien dispose également de caves, d’un garage électrique 2 places (récent), d’une terrasse et d'un jardin. Les + : - Grands volumes - 4 façades - 4 chambres - Garage électrique 2 places - Terrasse + jardin - Caves sur toute la surface - Beau potentiel d’aménagement / d'amélioration du système de chauffage et de l performance énergétique - Situation idéale - Gaz de ville à proximité PEB : 20251112012275 Catégorie F - 506 kWh/m².an – 131 120 kWh/an Pour renseignements et visites, merci de contacter l'étude du Notaire Anne-France HAMES au 063/38.54.23.
  • Aantal kamers: 4
  • Oppervlakte van het woongedeelte: 259m2
  • Aantal badkamers: 1
  • Kadastraal inkomen: 1695 €
  • Vrij vanaf: Bij de akte
  • Anne-France HAMES, société notariale
  • Contactpersoon: Audric KOOB
  • Tel: (063) 38.54.23
  • Email: audric.koob.127530@belnot.be

Huizen

13 Rue de la Tranquillité, 7730 Estaimbourg

Doe een bod van
380.000 €

Presentatiebeeld van het pand n° 290946
Uit de hand
  • Referentie: 290946
  • 0473/312761 A VENDRE – MAISON – villa lumineuse avec garage, parkings (4), jardin, 3 chambres, située dans un clos résidentiel calme et prisé, en bordure de zone verte (en fond de jardin), à proximité de toutes commodités Libre d’occupation. Adresse : ESTAIMBOURG, Rue de la Tranquillité, 13 - 3 chambres - Jardin orienté plein Sud (zone verte en fond de jardin) - Garage + 4 parkings - Superficie du terrain : 740 m² - PEB C - Droits d’enregistrement 3% (pour un 1er achat – suivant les conditions) Maison comprenant : -Rez-de-chaussée : hall d’entrée avec escalier et mezzanine, wc suspendu, salon (vue vers le jardin), salle à manger, cuisine équipée ouverte avec bar en granit (vue vers le jardin), garage-buanderie. -1er étage : hall de nuit, salle de bain (douche italienne, wc, lavabo, carrelage et revêtement bambou), 3 chambres (dont une parentale avec dressing et accès vers une pièce de rangement – dont une avec armoire encastrée), grenier de rangement isolé. -Extérieur : jardin orienté plein Sud, avec large ouverture vers le ciel (zone verte et bois en fond de jardin), abri, parking (4 véhicules), passage latéral, jardin devant la maison. Carrelage partout au rez-de-chaussée – parquet flottant à l’étage. Chauffage central au gaz. Plafond tendu dans la cuisine et le living. Citerne eau de pluie Châssis bois double-vitrage. Superficie : 740 m² – superficie utile : 130 m² – RC : 743 Euros Libre d’occupation. Rédiger une offre pour ce bien : https://actalex.be/modele-doffre/ Prix et renseignements communiqués à titre informatif, sous réserve de confirmation
  • Aantal kamers: 3
  • Oppervlakte van het woongedeelte: 130m2
  • Aantal badkamers: 1
  • Kadastraal inkomen: 743 €
  • Vrij vanaf: Te bepalen
  • ACTALEX NOTAIRES ASSOCIES - GEASSOCIEERDE NOTARISSEN
  • Contactpersoon: Dorothée CALLEWAERT
  • Tel: (056) 56.20.40
  • Email: dorothee.callewaert.460040@belnot.be
  • Bezoekgegevens
  • 0472/312761

Kantoren

30/38 Hoveniersstraat, 2018 Antwerpen

Doe een bod van
350.000 €

Presentatiebeeld van het pand n° 290917
Online openbare verkoop
  • Referentie: 290917
  • OPENBARE VERKOPING VIA BIDDIT (enkel online bieden, met instelpremie) LOKALEN 901, 907 en 908 (9e V) + dubbele autostaanplaatsen 17-20 en 18-21 (kelderniveau -1) in het complex “Antwerp Diamond House” LEES VVW OP BIDDIT.BE BESCHRIJVING: 11808 ANTWERPEN 8 AFD In een complex genaamd “Antwerp Diamond House”, op en met grond en alle verdere aanhorigheden, staand en gelegen te Antwerpen, Hoveniersstraat nummer 30/38, volgens titel ten kadaster gekend sectie H, nr 1178/S/8, met een opp. van 2.015m² en thans ten kadaster gekend sectie H, nr 1178S8P0000, met eenzelfde opp.: I. Op de 9e V: 1° Lokaal 901, omv.: a) In privatieve en uitsluitende eigendom: de ruimte zelf; b) In mede-eigendom en gedwongen onverdeeldheid: 97 aandelen. Met individueel perceelidentificatienr 1178S8P0492. Niet-geïndexeerd KI van 3.276€. 2° Lokaal 907, omv.: a) In privatieve en uitsluitende eigendom: De ruimte zelf; b) In mede-eigendom en gedwongen onverdeeldheid: 26 aandelen. Met individueel perceelidentificatienr 1178S8P0493. Niet-geïndexeerd KI van 998€. 3° Lokaal 908, omv.: a) In privatieve en uitsluitende eigendom: De ruimte zelf; b) In mede-eigendom en gedwongen onverdeeldheid: 21 aandelen. Met individueel perceelidentificatienr 1178S8P0494. Niet-geïndexeerd KI van 742€. II. Op het kelderniveau - 1: 4° De dubbele autostaanplaats met nrs 17-20, omv.: a) In privatieve en uitsluitende eigendom: de ruimte zelf; b) In mede-eigendom en gedwongen onverdeeldheid: 12 aandelen. 5° De dubbele autostaanplaats met nrs 18-21, omv.: a) In privatieve en uitsluitende eigendom: de ruimte zelf; b) In mede-eigendom en gedwongen onverdeeldheid: 12 aandelen. Met individuele perceelidentificatienrs 1178S8P0566 en 1178S8P0162. Niet-geïndexeerd KI van elk 143€. EPC: 20250818-00036666507-KNR-1 – energielabel A Asbestinventarisattest: 20250228-000371.000 – Asbestveilig (maar mogelijk niet asbestvrij) Beschikbaar & ingenottreding: zie VVW onder ‘Genot-Gebruik’ BEZOEK: zonder afspr. elke maandag en elke woensdag van 12u-14u vanaf 29/12 tem 28/1/2026. Syndicusinlichtingen: zie VVW onder ‘Mede-eigendom’ STEDENBOUW: 1° geen omgevingsvergunning voor stedenbouwkundige handelingen bekend is BEHOUDENS: * 6/7/1962: woonhuis met stapelplaats; * 5/2/1965: verbouwing; * 14/7/1972: gevelverbouwing; * 10/6/1977: verbouwing; * 17/7/1981: afbraak; * 17/7/1981: afbraak; * 12/2/1982: gebouwencomplex voor diamantnijverheid en –handel; * 12/2/1982: gebouwencomplex voor diamantnijverheid en –handel; * 3/11/1987: gebouwencomplex voor diamanthandel; * 10/10/2001: bouwen van een kantoorgebouw; * 23/7/2003: aanbrengen van ramen in de scheimuur en het aanpassen van de voorgevel ter hoogte van het glvs en technisch niveau; * 18/8/2006: plaatsen van een goederenlift in een bestaand kantoorgebouw. * 9/1/2015: samenvoegen van kantoren. 2° dat de meest recente stedenbouwkundige bestemming van het gebied waarin het onroerend goed gelegen is, is: WG + aanvullende voorschriften gp 14: art 1. GRUP AFBAKENING GROOTSTEDELIJK GEBIED ANTWERPEN van 19/6/2009. 3° geen kennis te hebben van enige planbatenheffing. 4° niet het voorwerp uitmaakt van een maatregel als vermeld in titel VI, hoofdstuk III en IV handhavingsdecreet (zijnde een rechterlijke of bestuurlijke maatregel) dan wel of een procedure voor het opleggen van een dergelijke maatregel hangende is. 5° geen voorkooprecht rust, zoals bedoeld in artikel 2.4.1 VCRO en zoals bedoeld in artikel 5.2.1 §1 lid 1 7° VCRO. 6° geen omgevingsvergunning voor het verkavelen van gronden van toepassing is. 7° niet gelegen is in een risicogebied voor overstromingen. 8° niet het voorwerp uitmaakt van een voorkeursbesluit of een projectbesluit. 9° niet vermeld staat in het register van herstelvorderingen. 10° niet gelegen is WORG conform artikel 5.6.8, § 1 VCRO. BIEDEN en MEER INFORMATIE te vinden via de BIDDIT-site, gelieve de link …..te gebruiken Ondertekening PV van toewijs: 3/2/2026 om 14u op het kantoor van Deckers notarissen te Antwerpen G score: C P score: C
  • Lopende verkoop
  • Startdatum: 20/01/2026 14:00
  • Einddatum: 28/01/2026 14:00
  • Geen bod: 1000 €
  • Kadastraal inkomen: 885 €
  • Vrij vanaf: Bij de akte
  • DECKERS NOTARISSEN
  • Contactpersoon: Kantoor DECKERS Notarissen
  • Tel: (03) 233.76.33
  • Email: info@deckersnotarissen.be
  • Bezoekgegevens
  • zonder afspr. elke maandag en elke woensdag van 12u-14u vanaf 29/12 tem 28/1/2026.

Gronden

Rue Général Leman, 4340 Villers-l'Evêque

Doe een bod van
165.000 €

Presentatiebeeld van het pand n° 290920
Uit de hand
  • Referentie: 290920
  • Nous Proposons à la vente : deux terrains, au prix de 165.000,00€ chacun, situés à Villers-l’Évêque, situés en zone d’habitat à caractère rural, disposant d’une surface respective de 14 ares 3 centiares (1403m²) pour le lot 1 et 13 ares 97 centiares (1397m²) pour le lot 2.
  • Kadastraal inkomen: 16 €
  • Vrij vanaf: Bij de akte
  • Etude Notariale Rosu & Lemaire, Notaires associés
  • Contactpersoon: Lévi ROSU
  • Tel: (04) 239.89.89
  • Email: notaire@rosu.be

Gronden

115 Route de Rédange, 6717 Attert

Doe een bod van
100.000 €

Presentatiebeeld van het pand n° 290948
Uit de hand
  • Referentie: 290948
  • Vous rêvez de construire votre maison dans un environnement calme, verdoyant et authentique, tout en restant à proximité immédiate du Luxembourg ? Ne cherchez plus : ce terrain situé à Grendel, charmant village de la commune d’Attert, est fait pour vous ! Ce terrain de 7 ares 63 centiares offre un emplacement unique en zone d’habitat à caractère rural, garantissant un environnement résidentiel de qualité, peu dense et préservé. Situé à quelques minutes seulement de la frontière luxembourgeoise, ce terrain représente une opportunité parfaite pour les travailleurs frontaliers désireux de vivre dans un village tout en profitant de la proximité immédiate des grands axes menant au Luxembourg. Caractéristiques du terrain - Superficie : 07a 63ca - Situation en Zone d’habitat à caractère rural - Zone d’assainissement autonome - Parcelle partiellement située en zone inondable Environnement calme et verdoyant FAIRE OFFRE A PARTIR DE 100.000 € (prix indicatif n'engageant pas le vendeur). Visites libres. Pour tous renseignements, s'adresser en l'étude au 061/415.205.
  • Kadastraal inkomen: 5 €
  • Vrij vanaf: Bij de akte
  • Joël et Manon TONDEUR, notaires associés
  • Contactpersoon: Virginie HAAN
  • Tel: (061) 41.52.05
  • Email: virginie.haan.128108@belnot.be

Huizen

10 Schoolstraat, 8710 Wielsbeke

Doe een bod van
218.000 €

Presentatiebeeld van het pand n° 290954
Uit de hand
  • Referentie: 290954
  • Ben je op zoek naar een woning met een solide basis én heel wat mogelijkheden? Deze halfopen bebouwing in het hart van Wielsbeke biedt 185 m² bewoonbare oppervlakte, een ruime indeling en een verzorgde staat die je toelaat om meteen te wonen én stap voor stap te moderniseren naar jouw eigen smaak. De woning beschikt over 3 volwaardige slaapkamers, een goedgekeurd elektriciteitsattest, is asbestveilig en wordt momenteel verwarmd met accumulatoren. Buiten geniet je van een aangename tuin met toegang langs de zijkant en een groot tuinhuis — ideaal voor hobby’s, stockage of een kleine atelierruimte. Deze woning is duidelijk met zorg onderhouden door de jaren heen en vormt daardoor de perfecte basis voor wie een degelijk renovatiepand zoekt met toekomstpotentieel. Troeven op een rij: • Halfopen bebouwing op centrale ligging • 185 m² bewoonbare oppervlakte • 3 slaapkamers • Gekeurde elektriciteit • Asbestveilig • Tuin met toegang langs de zijkant • Verzorgde, maar te vernieuwen woning met sterke structuur Bezoekdag: zaterdag 20 december om 11u (na afspraak via marieke@maisondartagnan.be) Interesse? Schrijf je in en kom de mogelijkheden zelf ontdekken! G score: A P score: A
  • Aantal kamers: 3
  • Oppervlakte van het woongedeelte: 185m2
  • Kadastraal inkomen: 426 €
  • Vrij vanaf: Bij de akte
  • NOTARIAAT DEKIERE
  • Contactpersoon: Michelle DE WITTE
  • Tel: (056) 66.60.25
  • Email: michelle.dewitte.102046@belnot.be

Appartementen

3 Oudstrijderslaan, 9600 Ronse

Doe een bod van
175.000 €

Presentatiebeeld van het pand n° 290957
Uit de hand
  • Referentie: 290957
  • Op te frissen appartement in het centrum op de 7 de verdieping met prachtig zicht. Indeling: Inkom met vestiaire, lichtrijke ruime living met parket, keuken, 2 slaapkamers, badkamer met bad en lavabo, WC, terras over de hele breedte, kelder. G score: A P score: A
  • Aantal kamers: 2
  • Aantal badkamers: 1
  • Kadastraal inkomen: 814 €
  • Vrij vanaf: Bij de akte
  • NOTARIS, FLAMANT Philippe, NOTAIRE
  • Contactpersoon: Catharina VANDENHOLE
  • Tel: (055) 46.00.00
  • Email: catharina.vandenhole.127142@belnot.be

Huizen

38 Steenweg Hulst-Lessen, 9140 Elversele

Doe een bod van
260.000 €

Presentatiebeeld van het pand n° 290964
Uit de hand
  • Referentie: 290964
  • Te renoveren halfopen bebouwing te Temse, Steenweg Hulst-Lessen 38. Inkom, lichtrijke woonkamer, keuken, 3 slaapkamers, badkamer, berging, garage en tuin. G score: A P score: A
  • Aantal kamers: 3
  • Aantal badkamers: 1
  • Kadastraal inkomen: 875 €
  • Vrij vanaf: Te bepalen
  • Tack & De Moor - notarisvennootschap
  • Contactpersoon: Michaël DE BOEY
  • Tel: (03) 776.02.38
  • Email: mdb@tackdemoor.be

Huizen

13 Peperstraat, 2400 Mol

Doe een bod van
225.000 €

Presentatiebeeld van het pand n° 290961
Online openbare verkoop
  • Referentie: 290961
  • Indeling: Gelijkvloers: inkomhal met trap, woonruimte, eetruimte, keuken, technische ruimte, badkamer; Eerste verdieping: 3 slaapkamers, badkamer; Zolder; Kelder; Inpandige garage. Kadastrale percelen: 13435/C/484C en 13435/C/485B. Gelieve nota te nemen van het verwijderen van het kippenhok (de koper van de hoeve moet het nodige hiervoor doen, voor zover dit op lot 2 staat, binnen één jaar na de toewijs, cfr verkoopsvoorwaarden). De kandidaat-koper wordt erop gewezen zich voorafgaand te informeren bij de gemeente over de stedenbouwkundige toestand (zoals ook opgenomen in de verkoopvoorwaarden). Kosten van opmeting, opmetingsplan en afpaling: € 900. G score: A P score: A
  • Aantal kamers: 3
  • Oppervlakte van het woongedeelte: 169m2
  • Aantal badkamers: 2
  • Lopende verkoop
  • Startdatum: 19/01/2026 13:00
  • Einddatum: 27/01/2026 13:00
  • Geen bod: 1000 €
  • Kadastraal inkomen: 728 €
  • Vrij vanaf: Bij de akte
  • VAN ERMENGEM & DE GRAEF, NOTARISSEN
  • Contactpersoon: Emily VERBEEK
  • Tel: (014) 34.75.70
  • Email: tekoop@vedg-notarissen.be
  • Bezoekgegevens
  • Zaterdag 03/01, 10/01, 17/01 en 24/01: telkens tussen 11u-12u

Gronden

Peperstraat, 2400 Mol

Doe een bod van
95.000 €

Presentatiebeeld van het pand n° 290962
Online openbare verkoop
  • Referentie: 290962
  • Perceel bouwgrond met een oppervlakte van 6a 27ca. Kadastraal perceel: 13435/C/486X. Kosten van opmeting: € 700. De paardenstal en de omheining zijn niet inbegrepen in de verkoop en zullen door de verkoper verwijderd worden, zodat het perceel vrij en beschikbaar is bij ingenottreding door de koper. (zie aktevoorwaarden). Gelieve nota te nemen van het verwijderen van het kippenhok (de koper van lot 1 moet het nodige hiervoor doen, voor zover dit op lot 2 staat, binnen één jaar na de toewijs, cfr verkoopsvoorwaarden). P score: A
  • Lopende verkoop
  • Startdatum: 19/01/2026 13:00
  • Einddatum: 27/01/2026 13:00
  • Geen bod: 1000 €
  • Vrij vanaf: Bij de akte
  • VAN ERMENGEM & DE GRAEF, NOTARISSEN
  • Contactpersoon: Emily VERBEEK
  • Tel: (014) 34.75.70
  • Email: tekoop@vedg-notarissen.be
  • Bezoekgegevens
  • vrij

Huizen

1 Matrozenlaan, 8620 Nieuwpoort

Doe een bod van
375.000 €

Presentatiebeeld van het pand n° 290965
Online openbare verkoop
  • Referentie: 290965
  • In Nieuwpoort, nabij Westende, bevindt zich deze alleenstaande woning op wandelafstand van de Noordzee. Authentieke villa op toplocatie aan de havenzijde van Nieuwpoort, omgeven door rust en privacy. Lichtrijke leefruimte met nieuwe veranda en zicht op een prachtige Japanse tuin met siervijver, en een volledig vernieuwde omheining rondom het perceel. De woning beschikt over een complete eiken keuken met nieuwe toestellen en een gelijkvloerse slaapkamer met badkamer. Boven vier ruime kamers, een tweede badkamer én een praktische zolder. Dubbele garage en zonneterras, samen goed voor 253 m² bewoonbare oppervlakte, vlak bij strand, natuur en de overzet naar het centrum. Oppervlakte: 912m² KI: 1.202 € Vg – Ag – Gmo – Gvkr - Gvv P-score: C en G-score: C EPC: 259 kWh/(m² jaar) (label C) – Gn renovatieverplichting Toewijs op maandag 19 januari 2026 om 17h00 Bezoekdagen telkens tussen 10h en 11h: zaterdag 13 december 2025 – zaterdag 20 december 2025 – zaterdag 27 december 2025 – zaterdag 3 januari 2026 G score: C P score: C
  • Aantal kamers: 5
  • Oppervlakte van het woongedeelte: 253m2
  • Aantal badkamers: 2
  • Lopende verkoop
  • Startdatum: 30/12/2025 11:00
  • Einddatum: 07/01/2026 11:00
  • Geen bod: 2000 €
  • Kadastraal inkomen: 1202 €
  • Vrij vanaf: Bij de akte
  • Notaris Greet DEBOODT
  • Contactpersoon: Kathelijne VANASSCHE
  • Tel: (051) 50.02.00
  • Email: kathelijne.vanassche.102095@belnot.be

Huizen

123/55 Duinhoekstraat, 8660 De Panne

Doe een bod van
190.000 €

Presentatiebeeld van het pand n° 290967
Uit de hand
  • Referentie: 290967
  • In het rustig gelegen Domein Duinhoek, met voldoende rust en comfort, ligt deze vakantiewoning nummer 55 met autostaanplaats. De woning bestaat uit 3 slaapkamers, living met open keuken, 1 badkamer en wc, berging, tuinhuis en tuin. De woning is perfect voor koppels of als gastenverblijf waarbij de nabije ligging van Plopsaland en het natuurreservaat extra troeven zijn om te zorgen voor een onvergetelijke vakantie. Ook het domein zelf heeft verscheidene troeven zoals onder andere sportterreinen. Plan snel een bezoek aan de woning in om al deze troeven te kunnen ontdekken. Renovatieverplichting van toepassing. Voor bijkomende inlichtingen kan u steeds, telefonisch, per mail of fysiek, terecht op het kantoor van notaris Wim Maes. G score: A P score: B
  • Aantal kamers: 3
  • Aantal badkamers: 1
  • Kadastraal inkomen: 489 €
  • Vrij vanaf: Bij de akte
  • Notariskantoor Wim MAES
  • Contactpersoon: Elien BAUWENS
  • Tel: (058) 51.15.47
  • Email: elien.bauwens.129627@belnot.be

Huizen

58 Rue Noé Renson, 4000 Liège

Doe een bod van
185.000 €

Presentatiebeeld van het pand n° 290968
Uit de hand
  • Referentie: 290968
  • Maison 3 façades avec jardin bénéficiant d'une surface habitable selon PEB de 106m2. La maison se compose comme suit : au sous-sol, un WC, deux caves (dont une contenant la chaudière à mazout), une arrière-cuisine, une grande pièce de vie, une véranda (où se situe la citerne à mazout de 3.000 litres), un jardin avec terrasse - au rez de chaussée, un hall d'entrée, un salon, une salle à manger, une cuisine équipée, une salle de douche - au premier étage, deux chambres (une plus petite et mansardée), une salle de bain et un grenier. Le bien dispose de châssis double vitrage, de volets électriques et d'un passage latéral privé qui relie la rue à la véranda. Contrôle installation électrique non conforme, certificat PEB G (520 kWh/m2.an), revenu cadastral 700 euros
  • Aantal kamers: 2
  • Kadastraal inkomen: 700 €
  • Vrij vanaf: Bij de akte
  • Françoise WERA, Candice COLLARD, Didier TIMMERMANS, notaires associés
  • Contactpersoon: Camille LERUTH
  • Tel: (04) 247.53.39
  • Email: camille.leruth.352894@belnot.be

Appartementen

3 Ijzerstraat, 8400 Oostende

Doe een bod van
150.000 €

Presentatiebeeld van het pand n° 290973
Online openbare verkoop
  • Referentie: 290973
  • Het goed kan worden bezocht op afspraak via het telefoonnummer 0487/65.94.71. Drieslaapkamerappartement met terras en kelder. Centraal gelegen in de bebouwde kom, op wandelafstand van het centrum van Oostende, de zee en het Leopoldpark. Afzonderlijke ingerichte eenvoudige keuken, voorzien van alle basiscomfort. Vernieuwde badkamer met douche en een afzonderlijk toilet. G score: D P score: D
  • Aantal kamers: 3
  • Aantal badkamers: 1
  • Lopende verkoop
  • Startdatum: 13/01/2026 10:00
  • Einddatum: 21/01/2026 10:00
  • Geen bod: 2000 €
  • Kadastraal inkomen: 981 €
  • Vrij vanaf: Onmiddellijk
  • NOTULUS, GEASSOCIEERDE NOTARISSEN
  • Contactpersoon: Kantoor NOTULUS
  • Tel: (059) 56.39.60
  • Email: info@notulus.be
  • Bezoekgegevens
  • Het goed kan worden bezocht op afspraak via het telefoonnummer 0487/65.94.71

Huizen

350A Chaussée de Tournai, 7812 Ligne

Doe een bod van
319.000 €

Presentatiebeeld van het pand n° 290975
Uit de hand
  • Referentie: 290975
  • Idéalement situé sur un axe fréquenté, cet immeuble mixte offre une opportunité rare pour allier activité professionnelle et confort de vie. Le bien se compose d’un espace commercial et d’une habitation 2 chambres avec terrasse, garage et atelier. HABITATION : elle se compose en rez-de-chaussée d’un hall d’entrée avec WC séparé, une buanderie, une pièce de stockage, un garage (porte motorisée), une pièce intermédiaire avec et un atelier. A l’étage, une grande pièce de vie avec cuisine équipée (frigo encastrable + frigo américain, lave-vaisselle, four, taque induction, hotte à charbon), une chambre parentale avec dressing, une deuxième chambre, un WC séparé, une salle-de-bain. Grande terrasse (cabanon de jardin, pergola, éclairage, prise électrique et arrivée d’eau) Aspects techniques : châssis PVC DV, moustiquaires, velux (ouverture électrique et manuel) avec volets électriques programmables, panneaux photovoltaïques, chauffage sol, chaudière par condensation gaz, système caméra fonctionnel & interphone, ventilation double flux (connectée), climatiseurs chaud/froid connectés, raccordement à l’égout, fosse septique et dégraisseur. COMMERCE : actuellement aménagé comme magasin de vêtements (avec meubles de rangements, tringles murales, cabine et comptoir). Aspects techniques : pas de chauffage, alarme (fonctionnelle mais non activée) et caméra indépendante, volet électrique. Réserve de jouissance jusqu'au 30 avril 2026 Intéressé(e) ? Visites sur rdv au 068/270.900
  • Aantal kamers: 2
  • Aantal badkamers: 1
  • Kadastraal inkomen: 967 €
  • Vrij op: 30/04/2026
  • Valérie DE RACKER Notaire
  • Contactpersoon: Léa DUPIRE
  • Tel: (068) 27.09.00
  • Email: lea.dupire.127852@belnot.be
  • Bezoekgegevens
  • Sur rendez-vous au 068/270.900

Appartementen

4F Onderbergen, 9000 Gent

Doe een bod van
296.000 €

Presentatiebeeld van het pand n° 290974
Online openbare verkoop
  • Referentie: 290974
  • Gunstig gelegen, op te frissen appartement in de Residentie "Sint-Michiels", op de 1e verdieping, tegenover het voormalig Dominicanerklooster "Het Pand". Indeling: inkomhall, WC, berging, badkamer, living, keuken, nachthall, 2 slaapkamers (1 met douchecel, lavabo en WC). EPC: label D (313 kWh/m² jaar). Geen renovatieplicht. P-score en G-score: B. Watergevoelige openruimtegebieden: nee. Elektriciteit: niet conform. Het appartement is onmiddellijk vrij. G score: B P score: B
  • Aantal kamers: 2
  • Aantal badkamers: 2
  • Lopende verkoop
  • Startdatum: 26/01/2026 13:00
  • Einddatum: 03/02/2026 13:00
  • Geen bod: 1000 €
  • Kadastraal inkomen: 1137 €
  • Vrij vanaf: Onmiddellijk
  • HELENE DE WAELE
  • Contactpersoon: Kristof BOGAERT
  • Tel: (09) 225.25.98
  • Email: kristof@notarisdewaele.be
  • Bezoekgegevens
  • Zaterdag 27/12 van 10u-12u, zaterdag 10/01 van 10u-12u, woensdag 14/01 van 16u-18u, zaterdag 24/01 van 10u-12u en woensdag 28/01 van 16u-18u, en dit mits voorafgaande afspraak via het notariskantoor

Huizen

223 Domaine du Stoqueux, 5377 Noiseux

Doe een bod van
150.000 €

Presentatiebeeld van het pand n° 290951
Uit de hand
  • Referentie: 290951
  • Au Domaine du Stoqueux à Noiseux, commune de Somme-Leuze, Allée des Sapins, 223, très beau chalet avec jardin (très bien entretenu) avec garage et remise extérieure aménagée avec petite cuisine composition: véranda avec living, salon, cuisine non équipée, salle de bains (douche, lavabo, wc), 2 chambres
  • Aantal kamers: 2
  • Aantal badkamers: 1
  • Kadastraal inkomen: 225 €
  • Vrij vanaf: Bij de akte
  • Michel JACQUET, Notaire
  • Contactpersoon: Angelique DOCQUIER
  • Tel: (084) 31.20.48
  • Email: angelique.docquier.133140@belnot.be
  • Bezoekgegevens
  • Prendre rendez-vous en l'étude

Huizen

44 Rue Joseph Heusdens, 4460 Grâce-Hollogne

Doe een bod van
220.000 €

Presentatiebeeld van het pand n° 290654
Uit de hand
  • Referentie: 290654
  • Maison bel-étage – 3 chambres – place de parking – jardin – proche commodités Découvrez cette maison bel-étage offrant un beau potentiel et idéalement située à proximité de toutes les commodités, avec un accès autoroutier rapide (à seulement 2 km). Un bien idéal pour ceux qui souhaitent aménager et personnaliser leur futur logement. Le rez-de-chaussée se compose d’un hall d’entrée, d’un WC, ainsi que d’un grand garage et deux espaces de rangement (ou aménagement autre). À l’étage, vous trouverez une grande cuisine à rafraichir, un salon lumineux, ainsi qu’une salle de bain. Le dernier niveau se compose de trois chambres. À l’extérieur, une terrasse en balcon mène sur un jardin, qui complète agréablement le bien. Certains châssis viennent d'être remplacés (porte d'entrée, garage, fenêtre du séjour), offrant un premier pas vers l’amélioration du confort. Cette maison représente une excellente opportunité pour investisseurs, bricoleurs ou toute personne désireuse de créer un intérieur à son image. POUR LES VISITES, MERCI DE CONTACTER L'ETUDE AU 04/239.75.19
  • Aantal kamers: 3
  • Aantal badkamers: 1
  • Kadastraal inkomen: 959 €
  • Vrij vanaf: Bij de akte
  • Audrey PETERS - société notariale
  • Contactpersoon: Alys DISPA
  • Tel: (04) 239.75.15
  • Email: alys.dispa.358254@belnot.be
  • Bezoekgegevens
  • POUR LES VISITES, MERCI DE CONTACTER L'ETUDE AU 04/239.75.19

Huizen

33 Rue Robert Leblanc, 7350 Hainin

Doe een bod van
75.000 €

Presentatiebeeld van het pand n° 290943
Uit de hand
  • Referentie: 290943
  • Maison d'habitation et verger à vendre. Le bien comprend, au sous-sol : une cave ; au rez-de-chaussée : une cuisine non équipée, un salon, une salle à manger, une salle de bains, un WC, un garage attenant et une annexe ; à l’étage : deux chambres et un grenier aménageable. Le bien comprend également un jardin. Divers : chauffage au mazout. Électricité pas conforme. Superficie cadastrale totale : 1832 m²
  • Aantal kamers: 2
  • Aantal badkamers: 1
  • Kadastraal inkomen: 340 €
  • Vrij vanaf: Bij de akte
  • Fabrice DE VISCH, Notaire
  • Contactpersoon: Logan DELYS
  • Tel: (065) 71.81.10
  • Email: logan.delys.356907@belnot.be
  • Bezoekgegevens
  • Visites sur réservation des clés en l'étude

Handelspanden

41-43 Avenue Edmond Leburton, 4300 Waremme

Doe een bod van
500.000 €

Presentatiebeeld van het pand n° 290686
Online openbare verkoop
  • Referentie: 290686
  • Dans un complexe immobilier situé Avenue Edmond Leburton numéros 41/43, deux surfaces commerciales au rez-de-chaussée ainsi que trois places de parking. Idéalement situé au centre de Waremme. Conditions de la vente en ligne : - La vente est accessible à tous via le site www.biddit.be. - Les enchères sont anonymes, seul le notaire a accès à l’identité des amateurs. - Période d’enchères du lundi 12 janvier 2026 à 14h au mardi 20 janvier 2026 à 14h. - Mise à prix : 500.000 € - La tranche d’enchère est de min. 1.000€. - Le procès-verbal d’adjudication se signera en l’étude le 26 janvier j2026 à 16h30 (sous réserve). - Frais payables dans les 5 jours ouvrables ; prix payable dans les 6 semaines.
  • Lopende verkoop
  • Startdatum: 12/01/2026 14:00
  • Einddatum: 20/01/2026 14:00
  • Geen bod: 1000 €
  • Kadastraal inkomen: 5482 €
  • Vrij vanaf: Bij de akte
  • WAUTERS & BACHY
  • Contactpersoon: Nicolas MINE
  • Tel: (019) 51.13.06
  • Email: nicolas.mine@belnot.be

Appartementen

1 Avenue Comte de Smet de Nayer, 5000 Namur

Doe een bod van
220.000 €

Presentatiebeeld van het pand n° 290885
Uit de hand
  • Referentie: 290885
  • Appartement de 100m² se situe au rez-de-chaussée avec terrasse, Idéalement située, à proximité des commerces et des écoles. Le bien est composé comme suit : hall d’entrée, vestiaire et wc, cuisine équipée (lave-vaisselle, hotte, taques électrique, four), living, 2 chambres, une salle de bain. Le bien dispose également d'une cave et d’un grenier. Chauffage central, Châssis double vitrage en PVC. Terrasse de 16m² RC : 1178 euros 220.000,00€ sauf offre supérieure Etat général : A rénover Visites sur rendez-vous. Pour tout renseignement, téléphoner à l'étude au 081/22.01.57.
  • Aantal kamers: 2
  • Oppervlakte van het woongedeelte: 100m2
  • Kadastraal inkomen: 1178 €
  • Vrij vanaf: Bij de akte
  • Damien LE CLERCQ, Société Notariale
  • Contactpersoon: Marie-Laure GODFROID
  • Tel: (081) 22.01.57
  • Email: marielaure.godfroid.133843@belnot.be
  • Bezoekgegevens
  • Visites sur rendez-vous avec Madame GODFROID Marie-Laure au 081/22.01.57

Huizen

12 Rue Curtius, 4051 Vaux-sous-Chèvremont

Doe een bod van
260.000 €

Presentatiebeeld van het pand n° 290701
Uit de hand
  • Referentie: 290701
  • Agréable bungalow 4 façades deux chambres à rénover situé dans une impasse rue Curtius 12 à Vaux-sous-Chèvremont. Prix souhaité : 260.000 €. Ce bien se compose comme suit : au sous-sol : caves et garage (2 véhicules en enfilade), au rez-de-chaussée : un hall d’entrée, wc indépendant, un séjour avec feu ouvert non opérationnel, une cuisine équipée, une SDB (baignoire, bidet et un lavabo) , deux chambres, terrasse et jardin (482 m² - orientation est). Grenier accessible par le WC. Châssis DV en PVC blanc avec persiennes. Chauffage central au mazout (2 citernes de 1.000 L). Nouvelle chaudière. Toiture récente (2021). PEB G numéro 202510003026836 établi le 03.10.2025. Installation électrique non conforme. Superficie totale : 610 M². RC : 864 €. Largeur parcelle : 15 m et profondeur : 42 m. Proche de toutes les commodités
  • Aantal kamers: 2
  • Oppervlakte van het woongedeelte: 105m2
  • Kadastraal inkomen: 865 €
  • Vrij vanaf: Bij de akte
  • Hervé RANDAXHE, notaire
  • Contactpersoon: Elisabeth POUSSET
  • Tel: (04) 358.30.20
  • Email: elisabeth.pousset.132621@belnot.be
  • Bezoekgegevens
  • Renseignements en l'Etude

Huizen

47 Guido Gezellestraat, 9050 Ledeberg

Doe een bod van
200.000 €

Presentatiebeeld van het pand n° 290953
Uit de hand
  • Referentie: 290953
  • Een op te frissen woning met potentieel, dichtbij winkels, scholen, horeca en openbaar vervoer. Kad. 130R4P0000 met 40 m² oppervlakte. P-score & G-score: D. Geen erfgoed; VKR Vlaamse Wooncode, blanco Ovam; woongebied, stedenbouwkundig vergund, 3 asbestmaterialen zorgvuldig beheren. EK negatief. EPC-score E (465kWh/m² jaar). Gelijkvloers: inkom- en trappenhal, living, badkamer met wc, keuken; 1e Verdiep: living met keuken, badkamer en wc; Zolderkamer. G score: D P score: D
  • Aantal kamers: 2
  • Oppervlakte van het woongedeelte: 80m2
  • Aantal badkamers: 2
  • Kadastraal inkomen: 290 €
  • Vrij vanaf: Bij de akte
  • Notaris Thomas Goossens
  • Contactpersoon: Kantoor Not. Thomas Goossens
  • Tel: (03) 888.10.31
  • Email: info@notarissenniel.be

Huizen

13 Rue de Dampicourt, 6762 Saint-Mard

Doe een bod van
260.000 €

Presentatiebeeld van het pand n° 290696
Uit de hand
  • Referentie: 290696
  • Nous vous proposons cette charmante maison 4 façades, bénéficiant d’un vaste jardin. Le bien est équipé de triple vitrage à l’avant (côté route) et de double vitrage pour le reste des fenêtres. La maison se compose comme suit : Rez-de-chaussée / Hall d’entrée / salon / salle à manger / Cuisine non équipée / Arrière-cuisine offrant un espace de rangement complémentaire Toilette séparée et une salle de bain entièrement rénovée en 2024, équipée d’une baignoire et d’une douche italienne Étage : Deux chambres Une pièce supplémentaire pouvant servir de bureau ou d’espace polyvalent Grenier non isolé Cave accueillant la chaudière, un poêle-chaudière au bois et une cuve à mazout de 1200 L Cette maison représente une belle opportunité pour un projet familial ou pour un acquéreur souhaitant adapter le bien à ses besoins. - Pour organiser une visite ou obtenir de plus amples informations, veuillez contacter notre étude au 063 57 70 62.
  • Aantal kamers: 2
  • Aantal badkamers: 1
  • Kadastraal inkomen: 456 €
  • Vrij vanaf: Bij de akte
  • Aurore FOURNIRET société notariale
  • Contactpersoon: Thiebaud DELMELLE
  • Tel: (063) 57.70.62
  • Email: thiebaud.delmelle.128090@belnot.be
  • Bezoekgegevens
  • Via l'étude du Notaire Fourniret : 063577062

Huizen

146 Stationsstraat, 1770 Liedekerke

Doe een bod van
375.000 €

Presentatiebeeld van het pand n° 290955
Uit de hand
  • Referentie: 290955
  • Deze centraal gelegen ééngezinswoning is gelegen te Stationsstraat 146, in de nabijheid van winkels-scholen en openbaar vervoer. De woning beschikt over een grote tuin met prachtig terras, op een perceel van 8 are 81ca. Zij is instapklaar en beschikt over drie slaapkamers en een garage. Renovatieverplichting is niet van toepassing (EPC C), zonnepanelen zijn aanwezig. De woning biedt veel ruimte alsook uitbreidingsmogelijkheden dankzij meerdere bijgebouwen die kunnen worden gebruikt als opslagruimte, atelier, hobbyruimte,.... Binnenin beschikt de woning over een ruime, lichtrijke inkomhal, een grote leefruimte met salon en eetkamer, en een praktische, ruime keuken. Op het gelijkvloers bevindt zich een apart toilet. Aan de achterzijde zijn er twee veranda’s, waarvan één momenteel dienstdoet als bureau—ideaal voor telewerk, een praktijkruimte of hobby. Op de eerste verdieping vindt u een nachthal, drie ruime slaapkamers, een badkamer, en een tweede apart toilet. Extra comfort wordt geboden door de elektrische rolluiken aan de achterkant van het huis. De uitgestrekte tuin is een enorme troef voor liefhebbers van groen en rust. Hij biedt talloze mogelijkheden: speelruimte, moestuin, ontspanningszone, dieren, ... De woning is uitgerust met zonnepanelen met een zeer mooie opbrengst, wat zorgt voor een gunstig energieverbruik. Toplocatie – Slechts 10 minuten van het station van Liedekerke – Slechts 5 minuten van het centrum van Liedekerke – Vlotte parkeermogelijkheden voor de woning, bovenop de garage – Perfecte aansluiting naar alle richtingen: Brussel, Gent, de Kust, autosnelwegen en invalswegen zijn snel bereikbaar. G score: C P score: C
  • Aantal kamers: 3
  • Kadastraal inkomen: 961 €
  • Vrij vanaf: Bij de akte
  • Notaris Olivier De Ruyver
  • Contactpersoon: Amy BATEN
  • Tel: (053) 66.64.74
  • Email: amy.baten.125757@belnot.be
  • Bezoekgegevens
  • Enkel op afspraak

Huizen

3/4 Place Ferrer, 6220 Fleurus

Doe een bod van
110.000 €

Presentatiebeeld van het pand n° 279398
Uit de hand
  • Referentie: 279398
  • Organisation des visites via l'étude : 071 81.10.43. Maison à rénover entièrement. Ses 2 portes d'entrée permettrait son aménagement pour une profession libéral. Celle-ci est située en plein centre de Fleurus, proche des commerces et des accès autoroutiers, elle et se compose: • Rez : 2 grandes pièces et 2 pièces de taille moyenne, 1 WC. • 1er étage : 2 pièces spacieuses et 1 grande pièce pouvant être divisée en 2 pièces spacieuses (possibilité d'aménager en chambres) et 1 pièce d'eau, • 2ème étage : 1 grande pièce, 1 pièce moyenne, 1 petite pièce et accès au grenier. • 2 caves • Extérieur : Pas de cour ni de jardin, accès donnant sur la ruelle est possible. L'attention des amateurs est attirée sur le fait que s'agissant de la vente part une Commune: - les frais de négociations de 2% du prix de la vente, hors T.V.A., avec un minimum de 2.000 EUR HTVA seront supportés par l'acquéreur, outre le coût réel de la publicité, s’estimant approximativement à 600 €. - la vente devra être autorisée par le collège communal.
  • Aantal kamers: 5
  • Aantal badkamers: 1
  • Kadastraal inkomen: 981 €
  • Vrij vanaf: Bij de akte
  • Société Notariale Ghigny & Associés
  • Contactpersoon: Ornella COLACI
  • Tel: (071) 81.10.43
  • Email: ornella.colaci.108860@belnot.be
  • Bezoekgegevens
  • Organisation des visites via l'étude

Gronden

81 Rue d'Auvelais, 5060 Arsimont

Doe een bod van
130.000 €

Presentatiebeeld van het pand n° 279964
Uit de hand
  • Referentie: 279964
  • Belle parcelle de terrain bâtissable d'une contenance de 12 ares 25 centiares située à front de la rue d'Auvelais (à côté du n°81). Le bien est repris sous lot 3 du lotissement où il présente une façade de dix-neuf mètres, lequel est destiné à la construction d'habitation de type villa selon les prescriptions urbanistiques reprises au plan de lotissement et repris sous lot 1 liseré bleu au plan de mesurage du 19/04/2000. Document disponibles dans la publicité : - permis de lotir du 18/07/1977 - plan de lotissement - documents cadastraux - plan de mesurage du 19/04/2000
  • Kadastraal inkomen: 10 €
  • Vrij vanaf: Bij de akte
  • Société Notariale Ghigny & Associés
  • Contactpersoon: Ornella COLACI
  • Tel: (071) 81.10.43
  • Email: ornella.colaci.108860@belnot.be
  • Bezoekgegevens
  • Accès directement sur place

Huizen

51 Allée du Val, 6940 Barvaux-sur-Ourthe

Doe een bod van
195.000 €

Presentatiebeeld van het pand n° 290453
Online openbare verkoop
  • Referentie: 290453
  • Ce chalet dispose de 2 chambres et d'une salle de bains et offre tout le confort nécessaire pour un séjour agréable. Le salon confortable est équipé d'un poêle à bois qui crée une ambiance chaleureuse pendant les soirées plus fraîches. Le véritable atout de ce chalet est sans aucun doute son sauna extérieur, où vous pourrez vous détendre après une journée riche en découvertes dans les Ardennes. Mobilier et équipement wellness inclus (sauna). Intéressés? Visites et informations : Monsieur GRYMONPON 0494/30.41.61 - luc@intueri.be
  • Aantal kamers: 2
  • Oppervlakte van het woongedeelte: 62m2
  • Aantal badkamers: 1
  • Lopende verkoop
  • Startdatum: 19/01/2026 15:00
  • Einddatum: 27/01/2026 15:00
  • Geen bod: 1000 €
  • Kadastraal inkomen: 312 €
  • Vrij vanaf: Te bepalen
  • PIERARD & DUMOULIN²
  • Contactpersoon: Guillaume DUMOULIN
  • Tel: (084) 32.03.20
  • Email: guillaume.dumoulin.460008@belnot.be

Huizen

3 Rue de Déni, 5580 Rochefort

Presentatiebeeld van het pand n° 289786
Online openbare verkoop
  • Referentie: 289786
  • Een woonhuis met mooie grote tuin Gelegen rue de Déni 3 ter plaatse genaamd « Buissonville » voor een oppervlakte van 10a 72ca. Omvattende garage, inkomhal, salon, eetkamer, keuken, 4 slaapkamers, badkamer, grote tuin. N.g.k.i. 863€. Vrij van gebruik. Woongebied met landelijk karakter, landbouwgebied (klein gedeelte). EPC B/154. Contr. elektr. niet conform. Bezoeken (na afspraak op 082/77.18.77 met dhr Franck, druk 1) : zaterdagen 10-17-24/1 van 10-12u en woensdagen 14-21-28/1 van 17-19u. Begin biedingen : donderdag 22.01.26 om 13u - Einde biedingen : vrijdag 30.01.26 om 13u - Instelprijs : 0€ - Bodverhoging : 1.000€ - Ondertekening akte : dinsdag 03.02.26 om 14u - www.biddit.be - Ref. pand : 289786.
  • Aantal kamers: 4
  • Aantal badkamers: 1
  • Lopende verkoop
  • Startdatum: 22/01/2026 13:00
  • Einddatum: 30/01/2026 13:00
  • Geen bod: 1000 €
  • Kadastraal inkomen: 863 €
  • Vrij vanaf: Bij de akte
  • DE CLIPPELE - BRUYAUX - NAETS, Notaires Associés
  • Contactpersoon: Clémence DE VISSCHER
  • Tel: (02) 538.60.76
  • Email: c.devisscher@notabel.info
  • Bezoekgegevens
  • (na afspraak op 082/77.18.77 met dhr Franck, druk 1) : zaterdagen 10-17-24/1 van 10-12u en woensdagen 14-21-28/1 van 17-19u.

Gronden

24 Rue des Gentianes, 6940 Barvaux-sur-Ourthe

Doe een bod van
100.000 €

Presentatiebeeld van het pand n° 290440
Online openbare verkoop
  • Referentie: 290440
  • Magnifique terrain à bâtir de 18,15 ares dans le golf de Durbuy. Cette parcelle située totalement en zone de loisir possède une relief légèrement descendant, une largeur à rue d'environ 25 m et un profondeur d'environ 70 m. Eau et électricité à route. Ce terrain est situé dans une rue sans issue garantissant calme et tranquillité et bénéficie d'une très belle vue sur le golf de Durbuy. Intéressés? Visites et informations : Monsieur GRYMONPON : 0494/30.41.61 - luc@intueri.be
  • Lopende verkoop
  • Startdatum: 19/01/2026 14:00
  • Einddatum: 27/01/2026 14:00
  • Geen bod: 1000 €
  • Kadastraal inkomen: 13 €
  • Vrij vanaf: Bij de akte
  • PIERARD & DUMOULIN²
  • Contactpersoon: Guillaume DUMOULIN
  • Tel: (084) 32.03.20
  • Email: guillaume.dumoulin.460008@belnot.be

Huizen

50 Rue de la Solidarité, 4100 Seraing

Doe een bod van
140.000 €

Presentatiebeeld van het pand n° 280766
Uit de hand
  • Referentie: 280766
  • À vendre : charmante petite maison située au 50, rue de la Solidarité à Seraing, actuellement louée. LIBRE AU 01/01/2026 ! Le rez-de-chaussée se compose d’un hall d’entrée, d’un séjour et d’une salle à manger lumineux, ainsi que d’une cuisine équipée avec four, taques vitrocéramiques, hotte, lave-vaisselle et réfrigérateur. La salle de bain comprend une douche, un lavabo et un WC. À l’étage, la maison dispose de deux chambres, dont une plus petite. À l’extérieur, vous trouverez un jardin avec un débarras ainsi qu’un garage pouvant accueillir une petite voiture. Côté confort, le chauffage est assuré par un poêle à gaz de ville, complété par trois radiateurs électriques portables. Les châssis sont en aluminium simple vitrage en façade avant et en PVC double vitrage pour la salle de bain et la cuisine. Le bien est relié aux égouts, dispose d’un PV électrique conforme datant de 2005 et affiche une performance énergétique PEB en classe G. Située à proximité de toutes les commodités, la maison bénéficie d’un accès rapide aux transports en commun (bus TEC), aux écoles, aux commerces et aux axes autoroutiers. Pour organiser une visite, veuillez contacter l’étude au 04/369.15.19.
  • Aantal kamers: 2
  • Kadastraal inkomen: 294 €
  • Vrij op: 31/05/2026
  • Etude SCAVEE, MAGHE ET LENELLE
  • Contactpersoon: Laura HANEUSE
  • Tel: (04) 369.15.19
  • Email: laura.haneuse.352939@belnot.be
  • Bezoekgegevens
  • Prendre rendez-vous avec l'étude au 04/369.15.19

Huizen

28 Rue René Marcq, 7141 Carnières

Doe een bod van
160.000 €

Presentatiebeeld van het pand n° 290446
Uit de hand
  • Referentie: 290446
  • VISITES : clé à retirer en l'Etude sur rendez-vous préalable SPACIEUSE MAISON 4 façades avec JARDIN clos & passage latéral privatif dans une rue calme à sens unique. REZ : vaste séjour, cuisine, salle de bains, buanderie, WC. ETAGE : 4 chambres dont 3 en enfilade. Parking facile devant la maison ~ Grenier aménageable ~ Jardin clos ~ Chaudière au gaz à condensation ~ Volets ~ Châssis PVC avec double vitrage ~ Cave ~ L'habitation présente de beaux volumes et d'intéressantes possibilités d'aménagement et de transformation. Des travaux de modernisation et d'amélioration sont nécessaires. RC : 356 euros.
  • Aantal kamers: 4
  • Aantal badkamers: 1
  • Kadastraal inkomen: 356 €
  • Vrij vanaf: Onmiddellijk
  • NOTAREUL
  • Contactpersoon: Céline PILLOUD
  • Tel: (064) 44.23.06
  • Email: celine.pilloud.130682@belnot.be
  • Bezoekgegevens
  • Clé à retirer en l'Etude sur rendez-vous préalable

Huizen

19 Rozenlaan, 3580 Beringen

Doe een bod van
105.000 €

Presentatiebeeld van het pand n° 290944
Online openbare verkoop
  • Referentie: 290944
  • Te renoveren woning: Gelijkvloers: hal, living, keuken, wasplaats, badkamer, toilet, overdekt terras. Eerste verdieping: 3 slaapkamers. Tweede verdieping: slaapkamer (zolder). Kelder. Aparte garage. G score: A P score: A
  • Aantal kamers: 4
  • Aantal badkamers: 2
  • Lopende verkoop
  • Startdatum: 19/01/2026 13:00
  • Einddatum: 27/01/2026 13:00
  • Geen bod: 1000 €
  • Kadastraal inkomen: 634 €
  • Vrij vanaf: Bij de akte
  • BOESMANS Paul & Steven, geassocieerde notarissen
  • Contactpersoon: Kantoor Not. Boesmans Paul & Steven
  • Tel: (011) 42.20.50
  • Email: steven@notaris-boesmans.be
  • Bezoekgegevens
  • Woensdag 10/12-17/12-07/01-14/01 van 14u30-16u30 en zaterdag 13/12-20/12-10/01-17/01 van 10u-12u (na afspraak met het notariskantoor via 011 29 44 08)

Huizen

27 Rue de Liéry, 4621 Retinne

Doe een bod van
290.000 €

Presentatiebeeld van het pand n° 283867
Uit de hand
  • Referentie: 283867
  • maison rénovée avec un double garage, un garage, une terrasse sur un terrain de 355m² maison comprenant -au rez: un hall d'entrée, une cuisine équipée, un séjour ouvert sur une véranda, débarras, garage, double garage -au sous-sol une cave - au 1er : salle de bains, 4 chambres, dressing
  • Aantal kamers: 3
  • Kadastraal inkomen: 636 €
  • Vrij vanaf: Bij de akte
  • Notaire Stéphanie JANS
  • Contactpersoon: Laura DELFOSSE
  • Tel: (04) 367.60.01
  • Email: laura.delfosse.127563@belnot.be
  • Bezoekgegevens
  • sur rendez-vous

Huizen

460 Viséweg, 3700 Tongeren

Doe een bod van
85.000 €

Presentatiebeeld van het pand n° 290889
Online openbare verkoop
  • Referentie: 290889
  • De woning is ingedeeld als volgt: Op het gelijkvloers vinden we een ruime leefruimte, keuken, berging en een gastentoilet. Op de eerste verdieping bevinden zich 3 slaapkamers en een badkamer. Elektrische installatie niet conform. Niet-asbestveilig. Deze woning is onderworpen aan de renovatieverplichting (EPC E). Bezoek na voorafgaandelijk contact met het notariskantoor Biedingsperiode: van 12 januari tot 20 januari 2026. PV Toewijs: maandag 26 januari om 14u. G score: A P score: A
  • Aantal kamers: 3
  • Oppervlakte van het woongedeelte: 165m2
  • Aantal badkamers: 1
  • Lopende verkoop
  • Startdatum: 12/01/2026 15:00
  • Einddatum: 20/01/2026 15:00
  • Geen bod: 1000 €
  • Kadastraal inkomen: 351 €
  • Vrij vanaf: Onmiddellijk
  • Notaris Jean-Marie THIJS
  • Contactpersoon: Kantoor Not. Jean-Marie Thijs
  • Tel: (012) 23.86.86
  • Email: info@notaris-thijs.be
  • Bezoekgegevens
  • Na voorafgaandelijk telefonisch contact met het notariskantoor

Huizen

120 Schaperijstraat, 9900 Eeklo

Doe een bod van
142.500 €

Presentatiebeeld van het pand n° 290890
Online openbare verkoop
  • Referentie: 290890
  • TE RENOVEREN RIJWONING NABIJ CENTRUM EEKLO. Grondoppervlakte 84m². KI € 213. Bouwjaar van 1919 tot 1930. EPC: 505 kWh/m² MET renovatieplicht. G-Score: A & P-score: A. Woongebieden, Geen herstelmaatregel, Geen voorkooprecht, Geen omgevingsvergunning voor stedenbouwkundige handelingen, verkavelen verkregen. G score: A P score: A
  • Aantal kamers: 3
  • Aantal badkamers: 1
  • Lopende verkoop
  • Startdatum: 14/01/2026 11:00
  • Einddatum: 22/01/2026 11:00
  • Geen bod: 1000 €
  • Kadastraal inkomen: 213 €
  • Vrij vanaf: Onmiddellijk
  • BOONE & DE JAEGER
  • Contactpersoon: Linde BAEKE
  • Tel: (09) 377.23.70
  • Email: linde@boone-dejaeger.be
  • Bezoekgegevens
  • De sleutels van de woning zijn op te halen op het kantoor van notarissen Boone & De Jaeger te 9900 Eeklo, Oostveldstraat 1A, na voorafgaandelijk telefonisch contact (09/218.96.65)

Andere

18 Visserspad, 3550 Zolder

Doe een bod van
325.000 €

Presentatiebeeld van het pand n° 290892
Uit de hand
  • Referentie: 290892
  • 't Kanaalke, Visvijver te Heusden-Zolder te koop, vroeger aangelegd voor mijnactiviteiten, thans verhuurd, gelegen in natuurgebied en waardevol agrarisch gebied, vergunning voor pompstation, herstel nodig voor huidige activiteiten. G score: D P score: D
  • Vrij vanaf: Andere
  • Geassocieerde notarissen Marij HENDRICKX & Miek BUSSCHOTS
  • Contactpersoon: Kantoor Not. Hendrickx & Busschots
  • Tel: (011) 53.70.70
  • Email: eva@notarissenhb.be

Huizen

13 Rue de la Gaieté, 7130 Binche

Doe een bod van
195.000 €

Presentatiebeeld van het pand n° 290886
Uit de hand
  • Referentie: 290886
  • Un bel immeuble de rapport à appartements en plein centre-ville sis à la rue de la Gaieté ,13. RC : 1152€ (pour l’ensemble) Comprenant : RDC : Vitrine commerciale, Hall d’accès aux deux appartements. Un appartement comprenant : Hall d’entrée, séjour, accès cave, living, cuisine cour, hall de nuit, salle bain, et une chambre. PEB : E Chauffage au gaz de ville Electricité à recevoir. Loyer 550€ / mois Au 1er étage avec le 2e étage : appartement en Duplex, comprenant: Hall d’accès, cuisine et séjour en façade, salle de bain, buanderie, débarras, et au 2 e étage : Une 1ere chambre en façade et 2e chambre PEB : G Electricité à recevoir. Chauffage au gaz de ville Vente de l’ensemble à partir de 195.000€ Visites : Sur permis de l’étude le mercredi 14H -16 H et le samedi 14H -16H.
  • Aantal kamers: 3
  • Aantal badkamers: 2
  • Kadastraal inkomen: 1152 €
  • Vrij vanaf: Bij de akte
  • Notaire Léopold DERBAIX
  • Contactpersoon: Justa DOUNGMENE FOUE
  • Tel: (064) 36.68.68
  • Email: LEOPOLD.DERBAIX@BELNOT.BE

Huizen

73 Steenovenstraat, 8760 Meulebeke

Doe een bod van
80.000 €

Presentatiebeeld van het pand n° 290896
Online openbare verkoop
  • Referentie: 290896
  • Open bebouwing met 4 slaapkamers, 1 badkamer, living, keuken. Renovatieplicht. P- & G-score: A. G score: A P score: A
  • Aantal kamers: 4
  • Oppervlakte van het woongedeelte: 133m2
  • Aantal badkamers: 1
  • Lopende verkoop
  • Startdatum: 05/01/2026 15:00
  • Einddatum: 13/01/2026 15:00
  • Geen bod: 1000 €
  • Kadastraal inkomen: 523 €
  • Vrij vanaf: Te bepalen
  • Vlegels & Van Den Bosch, geassocieerde notarissen
  • Contactpersoon: Eline HAEZEBROUCK
  • Tel: (051) 31.89.01
  • Email: info@notariaatvandenbosch.be
  • Bezoekgegevens
  • Op afspraak

Huizen

179 Rue Guillaume Charlier, 7500 Tournai

Doe een bod van
110.000 €

Presentatiebeeld van het pand n° 290898
Uit de hand
  • Referentie: 290898
  • Maison 2 façades avec jardin composée comme suit : - Sous-sol: Cave - Rez-de-chaussée: Hall, living, salle à manger, cuisine non équipée, salle de douche avec WC, terrasse partiellement couverte, remise, jardin - 1er étage: 3 chambres - 2ème étage: Grenier aménageable + Tout à l'égout, double vitrage devant Chauffage par feux individuels L'ensemble des pièces utiles (PEB, plan de secteur, ...) sont visionnables via : https://immo.notaire.be/fr/
  • Aantal kamers: 3
  • Oppervlakte van het woongedeelte: 121m2
  • Kadastraal inkomen: 515 €
  • Vrij vanaf: Bij de akte
  • Nadège Giordano- Notaire
  • Contactpersoon: Aurélie VERLOOY
  • Tel: (069) 35.23.89
  • Email: info@notaire-giordano.be
  • Bezoekgegevens
  • S'adresser en l'étude du notaire Nadège GIORDANO (069/35.23.89 et taper 1 pour l'immobilier)

Huizen

22 Rue de la Gare, 7050 Jurbise

Doe een bod van
100.000 €

Presentatiebeeld van het pand n° 290776
Uit de hand
  • Referentie: 290776
  • Maison d'habitation très bien située (à proximité de la gare de Jurbise) : Au sous-sol : 1 cave dans laquelle se trouve la chaudière. Au rez-de-chaussée : 2 pièces de vie, une cuisine équipée, un couloir, WC, 1 pièce dans laquelle se trouve le groupe hydrophore, 1 salle de bain (douche + évier double vasque). A l'étage : 2 chambres, l'escalier donnant directement dans la 1ère chambre. Combles : un grenier non accessible. Divers : Remise dans le jardin non accessible + 2 cuves à mazout, carport. Chauffage central au mazout. Châssis double vitrage bois. Superficie : 3a 05ca. RC : 364€. PEB G.
  • Aantal kamers: 2
  • Kadastraal inkomen: 364 €
  • Vrij vanaf: Bij de akte
  • NOTALIBREX, société notariale
  • Contactpersoon: Lune MATHIEU
  • Tel: 065/35.26.23
  • Email: lune.mathieu.460043@belnot.be
  • Bezoekgegevens
  • Visites sur rendez-vous en l'étude des Notaires KOEUNE et GLINEUR au 065/35.26.23

Gronden

3700 Diets-Heur

Doe een bod van
62.000 €

Presentatiebeeld van het pand n° 261560
Uit de hand
  • Referentie: 261560
  • Het perceel gelegen te Tongeren (Diets-Heur) ter plaatse genaamd 'La Niestré', volgens kadaster ter plaatse genaamd 'Boven de Kuilen Achter de Bosch' (sectie B nummer 351A), is verpacht. De verkoop geschiedt ONDER DE OPSCHORTENDE VOORWAARDE VAN NIET-UITOEFENING VAN HET RECHT VAN VOORKOOP DOOR DE PACHTER. VERKOOP DOOR INSCHRIJVING ONDER GESLOTEN OMSLAG De inschrijving dient te gebeuren onder gesloten omslag, die aan het kantoor Geassocieerde Notarissen Rembert VAN BAEL-Cathérine GIELEN, Graanmarkt 1, 3700 Tongeren-Borgloon, tijdens de kantooruren, uiterlijk op 26 februari 2026, om 09.30 uur, bezorgd dient te worden tegen ontvangstbewijs; het kantoor is geopend op maandag, woensdag en donderdag van 09.00 u tot 12.30 u en van 13.30 u tot 18.00 u; op dinsdag van 09.00 u tot 12.30 u en van 13.30 u tot 18.30 u; op vrijdag van 09.00 u tot 13.00 u. Inschrijvingen dienen onvoorwaardelijk te zijn en uitgebracht te worden zonder opschortende voorwaarden, behoudens opschortende voorwaarde van niet-uitoefening van het voorkooprecht door de pachter. De inschrijvingen dienen te gebeuren tegen een vaste prijs voor het gehele goed. Op 26 februari 2026, om 11 uur, worden de gesloten omslagen met de inschrijvingen opengemaakt op het kantoor Geassocieerde Notarissen Rembert VAN BAEL-Cathérine GIELEN, in aanwezigheid van de vertegenwoordiger van de verkoper. Zodra de hoogste inschrijving bekend is, zal de notaris het recht van voorkoop aan de pachter aanbieden volgens de voorschriften van de pachtwet per aangetekende brief, uiterlijk binnen de acht dagen na de opening van de inschrijvingen. Als de pachter zijn recht van voorkoop niet uitoefent noch overdraagt volgens de voorschriften van de pachtwet, zal de notaris de hoogste inschrijver uitnodigen voor het verlijden van de verkoopakte.
  • Kadastraal inkomen: 86 €
  • Vrij vanaf: Te bepalen
  • Rembert VAN BAEL - Cathérine GIELEN, Geassocieerde Notarissen
  • Contactpersoon: Michael MATTHYS
  • Tel: (012) 23.04.13
  • Email: michael@vbgnotarissen.be

Gronden

Wijngaerds Bosstraat, 3730 Hoeselt

Doe een bod van
88.000 €

Presentatiebeeld van het pand n° 249472
Uit de hand
  • Referentie: 249472
  • Het perceel gelegen te Hoeselt aan de Wijngaerds Bosstraat, ter plaatse genaamd 'Het Bosch Veldje' (sectie M nummer 711A), is verpacht. De verkoop geschiedt ONDER DE OPSCHORTENDE VOORWAARDE VAN NIET-UITOEFENING VAN HET RECHT VAN VOORKOOP DOOR DE PACHTER. VERKOOP DOOR INSCHRIJVING ONDER GESLOTEN OMSLAG De inschrijving dient te gebeuren onder gesloten omslag, die aan het kantoor Geassocieerde Notarissen Rembert VAN BAEL-Cathérine GIELEN, Graanmarkt 1, 3700 Tongeren-Borgloon, tijdens de kantooruren, uiterlijk op 26 februari 2026, om 09.30 uur, bezorgd dient te worden tegen ontvangstbewijs; het kantoor is geopend op maandag, woensdag en donderdag van 09.00 u tot 12.30 u en van 13.30 u tot 18.00 u; op dinsdag van 09.00 u tot 12.30 u en van 13.30 u tot 18.30 u; op vrijdag van 09.00 u tot 13.00 u. Inschrijvingen dienen onvoorwaardelijk te zijn en uitgebracht te worden zonder opschortende voorwaarden, behoudens opschortende voorwaarde van niet-uitoefening van het voorkooprecht door de pachter. De inschrijvingen dienen te gebeuren tegen een vaste prijs voor het gehele goed. Op 26 februari 2026, om 11 uur, worden de gesloten omslagen met de inschrijvingen opengemaakt op het kantoor Geassocieerde Notarissen Rembert VAN BAEL-Cathérine GIELEN, in aanwezigheid van de vertegenwoordiger van de verkoper. Zodra de hoogste inschrijving bekend is, zal de notaris het recht van voorkoop aan de pachter aanbieden volgens de voorschriften van de pachtwet per aangetekende brief, uiterlijk binnen de acht dagen na de opening van de inschrijvingen. Als de pachter zijn recht van voorkoop niet uitoefent noch overdraagt volgens de voorschriften van de pachtwet, zal de notaris de hoogste inschrijver uitnodigen voor het verlijden van de verkoopakte.
  • Kadastraal inkomen: 119 €
  • Vrij vanaf: Andere
  • Rembert VAN BAEL - Cathérine GIELEN, Geassocieerde Notarissen
  • Contactpersoon: Michael MATTHYS
  • Tel: (012) 23.04.13
  • Email: michael@vbgnotarissen.be

Gronden

Papenbergstraat, 3730 Sint-Huibrechts-Hern

Doe een bod van
31.000 €

Presentatiebeeld van het pand n° 249398
Uit de hand
  • Referentie: 249398
  • Het perceel gelegen te Hoeselt (St-Huibrechts-Hern) aan de Papenbergstraat, ter plaatse genaamd 'De Papen Berg' (sectie C nummer 27A), is verpacht. De verkoop geschiedt ONDER DE OPSCHORTENDE VOORWAARDE VAN NIET-UITOEFENING VAN HET RECHT VAN VOORKOOP DOOR DE PACHTER. VERKOOP DOOR INSCHRIJVING ONDER GESLOTEN OMSLAG De inschrijving dient te gebeuren onder gesloten omslag, die aan het kantoor Geassocieerde Notarissen Rembert VAN BAEL-Cathérine GIELEN, Graanmarkt 1, 3700 Tongeren-Borgloon, tijdens de kantooruren, uiterlijk op 26 februari 2026, om 09.30 uur, bezorgd dient te worden tegen ontvangstbewijs; het kantoor is geopend op maandag, woensdag en donderdag van 09.00 u tot 12.30 u en van 13.30 u tot 18.00 u; op dinsdag van 09.00 u tot 12.30 u en van 13.30 u tot 18.30 u; op vrijdag van 09.00 u tot 13.00 u. Inschrijvingen dienen onvoorwaardelijk te zijn en uitgebracht te worden zonder opschortende voorwaarden, behoudens opschortende voorwaarde van niet-uitoefening van het voorkooprecht door de pachter. De inschrijvingen dienen te gebeuren tegen een vaste prijs voor het gehele goed. Op 26 februari 2026, om 11 uur, worden de gesloten omslagen met de inschrijvingen opengemaakt op het kantoor Geassocieerde Notarissen Rembert VAN BAEL-Cathérine GIELEN, in aanwezigheid van de vertegenwoordiger van de verkoper. Zodra de hoogste inschrijving bekend is, zal de notaris het recht van voorkoop aan de pachter aanbieden volgens de voorschriften van de pachtwet per aangetekende brief, uiterlijk binnen de acht dagen na de opening van de inschrijvingen. Als de pachter zijn recht van voorkoop niet uitoefent noch overdraagt volgens de voorschriften van de pachtwet, zal de notaris de hoogste inschrijver uitnodigen voor het verlijden van de verkoopakte.
  • Kadastraal inkomen: 44 €
  • Vrij vanaf: Andere
  • Rembert VAN BAEL - Cathérine GIELEN, Geassocieerde Notarissen
  • Contactpersoon: Michael MATTHYS
  • Tel: (012) 23.04.13
  • Email: michael@vbgnotarissen.be

Gronden

Wanveldstraat, 3730 Werm

Doe een bod van
32.000 €

Presentatiebeeld van het pand n° 249382
Uit de hand
  • Referentie: 249382
  • Het perceel gelegen te Hoeselt (Werm) nabij de Wanveldstraat, ter plaatse genaamd 'Het Tungers Veld' (sectie A nummer 423A), is verpacht. De verkoop geschiedt ONDER DE OPSCHORTENDE VOORWAARDE VAN NIET-UITOEFENING VAN HET RECHT VAN VOORKOOP DOOR DE PACHTER. VERKOOP DOOR INSCHRIJVING ONDER GESLOTEN OMSLAG De inschrijving dient te gebeuren onder gesloten omslag, die aan het kantoor Geassocieerde Notarissen Rembert VAN BAEL-Cathérine GIELEN, Graanmarkt 1, 3700 Tongeren-Borgloon, tijdens de kantooruren, uiterlijk op 26 februari 2026, om 09.30 uur, bezorgd dient te worden tegen ontvangstbewijs; het kantoor is geopend op maandag, woensdag en donderdag van 09.00 u tot 12.30 u en van 13.30 u tot 18.00 u; op dinsdag van 09.00 u tot 12.30 u en van 13.30 u tot 18.30 u; op vrijdag van 09.00 u tot 13.00 u. Inschrijvingen dienen onvoorwaardelijk te zijn en uitgebracht te worden zonder opschortende voorwaarden, behoudens opschortende voorwaarde van niet-uitoefening van het voorkooprecht door de pachter. De inschrijvingen dienen te gebeuren tegen een vaste prijs voor het gehele goed. Op 26 februari 2026, om 11 uur, worden de gesloten omslagen met de inschrijvingen opengemaakt op het kantoor Geassocieerde Notarissen Rembert VAN BAEL-Cathérine GIELEN, in aanwezigheid van de vertegenwoordiger van de verkoper. Zodra de hoogste inschrijving bekend is, zal de notaris het recht van voorkoop aan de pachter aanbieden volgens de voorschriften van de pachtwet per aangetekende brief, uiterlijk binnen de acht dagen na de opening van de inschrijvingen. Als de pachter zijn recht van voorkoop niet uitoefent noch overdraagt volgens de voorschriften van de pachtwet, zal de notaris de hoogste inschrijver uitnodigen voor het verlijden van de verkoopakte.
  • Kadastraal inkomen: 44 €
  • Vrij vanaf: Andere
  • Rembert VAN BAEL - Cathérine GIELEN, Geassocieerde Notarissen
  • Contactpersoon: Fabiola RAMA
  • Tel: (012) 23.04.13
  • Email: fabiola.rama.104232@belnot.be

Huizen

157 Rue de Roberont, 4020 Bressoux

Doe een bod van
275.000 €

Presentatiebeeld van het pand n° 290874
Uit de hand
  • Referentie: 290874
  • OPTION-OPTION-OPTION Située à deux pas du Centre Ville et de la Médiacité, charmante et spacieuse maison d'habitation mitoyenne sise à BRESSOUX, rue de Robermont 157. Prix demandé : 275.000 €. Ce bien se compose comme suit : au sous-sol : trois caves, chaufferie, SDB (baignoire et un lavabo); au rez-de-chaussée : hall d’entrée, salon-salle à manger, petit salon en enfilade (coin de lecture avec vue sur le jardin), cuisine semi-équipée, terrasse, jardin et abri de jardin à démolir; à l'entresol : une chambre et un wc indépendant; au 1er étage : cuisine ou chambre et une très grande chambre; au 2ème étage : SDB rudimentaire (ou chambre) et une très grande chambre. Châssis DV en PVC blanc avec volets à l’arrière. Volet solaire en façade au rez-de-chaussée, Chauffage central au mazout - nouvelle chaudière au mazout Weishaupt. PEB E numéro 20251103032794 établi le 03.11.2025. Installation électrique non conforme. Superficie totale : 340 M². R.C. 999 €. Bien en bon état. Opportunité à saisir.
  • Aantal kamers: 5
  • Oppervlakte van het woongedeelte: 225m2
  • Aantal badkamers: 2
  • Kadastraal inkomen: 999 €
  • Vrij vanaf: Bij de akte
  • Hervé RANDAXHE, notaire
  • Contactpersoon: Elisabeth POUSSET
  • Tel: (04) 358.30.20
  • Email: elisabeth.pousset.132621@belnot.be
  • Bezoekgegevens
  • Renseignements en l'Etude

Gronden

Tapstraat, 3700 Lauw

Doe een bod van
23.525 €

Presentatiebeeld van het pand n° 249286
Uit de hand
  • Referentie: 249286
  • Het perceel gelegen te Tongeren-Borgloon (Lauw) aan de Tapstraat, ter plaatse genaamd 'Onder de Sleyberg' (sectie A nummer 384A), is verpacht. De verkoop geschiedt ONDER DE OPSCHORTENDE VOORWAARDE VAN NIET-UITOEFENING VAN HET RECHT VAN VOORKOOP DOOR DE PACHTER. VERKOOP DOOR INSCHRIJVING ONDER GESLOTEN OMSLAG De instelprijs is € 23.525,00. De inschrijving dient te gebeuren onder gesloten omslag, die aan het kantoor Geassocieerde Notarissen Rembert VAN BAEL-Cathérine GIELEN, Graanmarkt 1, 3700 Tongeren-Borgloon, tijdens de kantooruren, uiterlijk op 26 februari 2026, om 09.30 uur, bezorgd dient te worden tegen ontvangstbewijs; het kantoor is geopend op maandag, woensdag en donderdag van 09.00 u tot 12.30 u en van 13.30 u tot 18.00 u; op dinsdag van 09.00 u tot 12.30 u en van 13.30 u tot 18.30 u; op vrijdag van 09.00 u tot 13.00 u. Inschrijvingen dienen onvoorwaardelijk te zijn en uitgebracht te worden zonder opschortende voorwaarden, behoudens opschortende voorwaarde van niet-uitoefening van het voorkooprecht door de pachter. De inschrijvingen dienen te gebeuren tegen een vaste prijs voor het gehele goed. Op 26 februari 2026, om 11 uur, worden de gesloten omslagen met de inschrijvingen opengemaakt op het kantoor Geassocieerde Notarissen Rembert VAN BAEL-Cathérine GIELEN, in aanwezigheid van de vertegenwoordiger van de verkoper. Zodra de hoogste inschrijving bekend is, zal de notaris het recht van voorkoop aan de pachter aanbieden volgens de voorschriften van de pachtwet per aangetekende brief, uiterlijk binnen de acht dagen na de opening van de inschrijvingen. Als de pachter zijn recht van voorkoop niet uitoefent noch overdraagt volgens de voorschriften van de pachtwet, zal de notaris de hoogste inschrijver uitnodigen voor het verlijden van de verkoopakte.
  • Kadastraal inkomen: 33 €
  • Vrij vanaf: Andere
  • Rembert VAN BAEL - Cathérine GIELEN, Geassocieerde Notarissen
  • Contactpersoon: Fabiola RAMA
  • Tel: (012) 23.04.13
  • Email: fabiola.rama.104232@belnot.be

Gronden

Repenstraat, 3730 Hoeselt

Doe een bod van
103.000 €

Presentatiebeeld van het pand n° 249467
Uit de hand
  • Referentie: 249467
  • Het perceel gelegen te Bilzen-Hoeselt (Sint-Huibrechts-Hern) aan de Binkelstraat, ter plaatse genaamd 'Steenbroek'' (sectie B nummer 287A), is verpacht. De verkoop geschiedt ONDER DE OPSCHORTENDE VOORWAARDE VAN NIET-UITOEFENING VAN HET RECHT VAN VOORKOOP DOOR DE PACHTER. VERKOOP DOOR INSCHRIJVING ONDER GESLOTEN OMSLAG De instelprijs is € 103.000,00. De inschrijving dient te gebeuren onder gesloten omslag, die aan het kantoor Geassocieerde Notarissen Rembert VAN BAEL-Cathérine GIELEN, Graanmarkt 1, 3700 Tongeren-Borgloon, tijdens de kantooruren, uiterlijk op 26 februari 2026, om 09.30 uur, bezorgd dient te worden tegen ontvangstbewijs; het kantoor is geopend op maandag, woensdag en donderdag van 09.00 u tot 12.30 u en van 13.30 u tot 18.00 u; op dinsdag van 09.00 u tot 12.30 u en van 13.30 u tot 18.30 u; op vrijdag van 09.00 u tot 13.00 u. Inschrijvingen dienen onvoorwaardelijk te zijn en uitgebracht te worden zonder opschortende voorwaarden, behoudens opschortende voorwaarde van niet-uitoefening van het voorkooprecht door de pachter. De inschrijvingen dienen te gebeuren tegen een vaste prijs voor het gehele goed. Op 26 februari 2026, om 11 uur, worden de gesloten omslagen met de inschrijvingen opengemaakt op het kantoor Geassocieerde Notarissen Rembert VAN BAEL-Cathérine GIELEN, in aanwezigheid van de vertegenwoordiger van de verkoper. Zodra de hoogste inschrijving bekend is, zal de notaris het recht van voorkoop aan de pachter aanbieden volgens de voorschriften van de pachtwet per aangetekende brief, uiterlijk binnen de acht dagen na de opening van de inschrijvingen. Als de pachter zijn recht van voorkoop niet uitoefent noch overdraagt volgens de voorschriften van de pachtwet, zal de notaris de hoogste inschrijver uitnodigen voor het verlijden van de verkoopakte.
  • Kadastraal inkomen: 146 €
  • Vrij vanaf: Andere
  • Rembert VAN BAEL - Cathérine GIELEN, Geassocieerde Notarissen
  • Contactpersoon: Fabiola RAMA
  • Tel: (012) 23.04.13
  • Email: fabiola.rama.104232@belnot.be

Gronden

Repenstraat, 3730 Sint-Huibrechts-Hern

Doe een bod van
88.000 €

Presentatiebeeld van het pand n° 249468
Uit de hand
  • Referentie: 249468
  • Het perceel gelegen te Hoeselt (Sint-Huibrechts-Hern) aan de Binkelstraat, ter plaatse genaamd 'Steenbroek'' (sectie B nummer 300A), is verpacht. De verkoop geschiedt ONDER DE OPSCHORTENDE VOORWAARDE VAN NIET-UITOEFENING VAN HET RECHT VAN VOORKOOP DOOR DE PACHTER. VERKOOP DOOR INSCHRIJVING ONDER GESLOTEN OMSLAG De instelprijs is € 88.000,00. De inschrijving dient te gebeuren onder gesloten omslag, die aan het kantoor Geassocieerde Notarissen Rembert VAN BAEL-Cathérine GIELEN, Graanmarkt 1, 3700 Tongeren-Borgloon, tijdens de kantooruren, uiterlijk op 5 maart 2026, om 09.30 uur, bezorgd dient te worden tegen ontvangstbewijs; het kantoor is geopend op maandag, woensdag en donderdag van 09.00 u tot 12.30 u en van 13.30 u tot 18.00 u; op dinsdag van 09.00 u tot 12.30 u en van 13.30 u tot 18.30 u; op vrijdag van 09.00 u tot 13.00 u. Inschrijvingen dienen onvoorwaardelijk te zijn en uitgebracht te worden zonder opschortende voorwaarden, behoudens opschortende voorwaarde van niet-uitoefening van het voorkooprecht door de pachter. De inschrijvingen dienen te gebeuren tegen een vaste prijs voor het gehele goed. Op 5 maart 2026, om 11 uur, worden de gesloten omslagen met de inschrijvingen opengemaakt op het kantoor Geassocieerde Notarissen Rembert VAN BAEL-Cathérine GIELEN, in aanwezigheid van de vertegenwoordiger van de verkoper. Zodra de hoogste inschrijving bekend is, zal de notaris het recht van voorkoop aan de pachter aanbieden volgens de voorschriften van de pachtwet per aangetekende brief, uiterlijk binnen de acht dagen na de opening van de inschrijvingen. Als de pachter zijn recht van voorkoop niet uitoefent noch overdraagt volgens de voorschriften van de pachtwet, zal de notaris de hoogste inschrijver uitnodigen voor het verlijden van de verkoopakte.
  • Kadastraal inkomen: 124 €
  • Vrij vanaf: Andere
  • Rembert VAN BAEL - Cathérine GIELEN, Geassocieerde Notarissen
  • Contactpersoon: Michael MATTHYS
  • Tel: (012) 23.04.13
  • Email: michael@vbgnotarissen.be

Gronden

Rue du Chêne, 6792 Halanzy

Doe een bod van
120.000 €

Presentatiebeeld van het pand n° 290899
Uit de hand
  • Referentie: 290899
  • L'étude des notaires BECHET et SCHMIT propose à la vente TROIS beaux terrains à bâtir situés dans le village d'Aix-Sur-Cloie (Aubange). 1. Un terrain à bâtir à front de la rue du Chêne (lot A au plan) d'une contenance de huit ares treize centiares (08a13ca), en vue de permettre la construction d'une maison d'habitation trois façades. Prix demandé à titre indicatif et non contractuel: 120.000 €. Certificat d'urbanisme numéro 2 délivré en date du 21.11.2025 2. Un terrain à bâtir à front de la rue du Chêne (lot B au plan) d'une contenance de sept ares vingt-sept centiares (07a27ca), en vue de permettre la construction d'une maison d'habitation quatre façades. Prix demandé à titre indicatif et non contractuel: 130.000 €. Certificat d'urbanisme numéro 2 délivré en date du 21.11.2025 3. Un terrain un bâtir situé à front de la rue des cultivateurs, d'une contenance de +- 7 ares 40 centiares en vue de permettre la construction d'une maison d'habitatino trois façades Il est possible d'acquérir avec ce terrain, un terrain situé à l'arrière, en zone agricole d'une contenance de +- 16 ares à l'arrière). Prix demandé à titre indicatif et non contractuel pour l'ensemble : 120.000 €. Certificat d'urbanisme numéro 2 délivré en date du 30.04.2025 Les 3 terrains sont vendus libres de constructeur. Les informations et documents (Certificats et plans) sont disponibles en l'étude. (063.45.51.14)
  • Vrij vanaf: Bij de akte
  • Céline-Marie BECHET & Florence SCHMIT - notaires associés
  • Contactpersoon: Celine-Marie BECHET
  • Tel: (063) 45.51.14
  • Email: celinemarie.bechet@belnot.be

Gronden

Kuilenstraat, 3700 Diets-Heur

Doe een bod van
42.000 €

Presentatiebeeld van het pand n° 261600
Uit de hand
  • Referentie: 261600
  • Het perceel gelegen te Tongeren-Borgloon (Diets-Heur), achterliggend aan de Kuilenstraat, ter plaatse genaamd 'In den Langen Akker' (sectie A nummer 491D), is verpacht. De verkoop geschiedt ONDER DE OPSCHORTENDE VOORWAARDE VAN NIET-UITOEFENING VAN HET RECHT VAN VOORKOOP DOOR DE PACHTER. VERKOOP DOOR INSCHRIJVING ONDER GESLOTEN OMSLAG De instelprijs is € 42.000,00. De inschrijving dient te gebeuren onder gesloten omslag, die aan het kantoor Geassocieerde Notarissen Rembert VAN BAEL-Cathérine GIELEN, Graanmarkt 1, 3700 Tongeren-Borgloon, tijdens de kantooruren, uiterlijk op 5 maart 2026, om 09.30 uur, bezorgd dient te worden tegen ontvangstbewijs; het kantoor is geopend op maandag, woensdag en donderdag van 09.00 u tot 12.30 u en van 13.30 u tot 18.00 u; op dinsdag van 09.00 u tot 12.30 u en van 13.30 u tot 18.30 u; op vrijdag van 09.00 u tot 13.00 u. Inschrijvingen dienen onvoorwaardelijk te zijn en uitgebracht te worden zonder opschortende voorwaarden, behoudens opschortende voorwaarde van niet-uitoefening van het voorkooprecht door de pachter. De inschrijvingen dienen te gebeuren tegen een vaste prijs voor het gehele goed. Op 5 maart 2026, om 11 uur, worden de gesloten omslagen met de inschrijvingen opengemaakt op het kantoor Geassocieerde Notarissen Rembert VAN BAEL-Cathérine GIELEN, in aanwezigheid van de vertegenwoordiger van de verkoper. Zodra de hoogste inschrijving bekend is, zal de notaris het recht van voorkoop aan de pachter aanbieden volgens de voorschriften van de pachtwet per aangetekende brief, uiterlijk binnen de acht dagen na de opening van de inschrijvingen. Als de pachter zijn recht van voorkoop niet uitoefent noch overdraagt volgens de voorschriften van de pachtwet, zal de notaris de hoogste inschrijver uitnodigen voor het verlijden van de verkoopakte.
  • Kadastraal inkomen: 53 €
  • Vrij vanaf: Te bepalen
  • Rembert VAN BAEL - Cathérine GIELEN, Geassocieerde Notarissen
  • Contactpersoon: Michael MATTHYS
  • Tel: (012) 23.04.13
  • Email: michael@vbgnotarissen.be

Gronden

Vrijhernstraat, 3730 Sint-Huibrechts-Hern

Doe een bod van
56.000 €

Presentatiebeeld van het pand n° 249093
Uit de hand
  • Referentie: 249093
  • Het perceel gelegen te Bilzen-Hoeselt (St-Huibrechts-Hern) aan de Weg van Hern naar Riksingen, ter plaatse genaamd 'De Houtem' (sectie C nummer 196A), is verpacht. De verkoop geschiedt ONDER DE OPSCHORTENDE VOORWAARDE VAN NIET-UITOEFENING VAN HET RECHT VAN VOORKOOP DOOR DE PACHTER. VERKOOP DOOR INSCHRIJVING ONDER GESLOTEN OMSLAG De instelprijs is € 56.000,00. De inschrijving dient te gebeuren onder gesloten omslag, die aan het kantoor Geassocieerde Notarissen Rembert VAN BAEL-Cathérine GIELEN, Graanmarkt 1, 3700 Tongeren-Borgloon, tijdens de kantooruren, uiterlijk op 5 maart 2026, om 09.30 uur, bezorgd dient te worden tegen ontvangstbewijs; het kantoor is geopend op maandag, woensdag en donderdag van 09.00 u tot 12.30 u en van 13.30 u tot 18.00 u; op dinsdag van 09.00 u tot 12.30 u en van 13.30 u tot 18.30 u; op vrijdag van 09.00 u tot 13.00 u. Inschrijvingen dienen onvoorwaardelijk te zijn en uitgebracht te worden zonder opschortende voorwaarden, behoudens opschortende voorwaarde van niet-uitoefening van het voorkooprecht door de pachter. De inschrijvingen dienen te gebeuren tegen een vaste prijs voor het gehele goed. Op 5 maart 2026, om 11 uur, worden de gesloten omslagen met de inschrijvingen opengemaakt op het kantoor Geassocieerde Notarissen Rembert VAN BAEL-Cathérine GIELEN, in aanwezigheid van de vertegenwoordiger van de verkoper. Zodra de hoogste inschrijving bekend is, zal de notaris het recht van voorkoop aan de pachter aanbieden volgens de voorschriften van de pachtwet per aangetekende brief, uiterlijk binnen de acht dagen na de opening van de inschrijvingen. Als de pachter zijn recht van voorkoop niet uitoefent noch overdraagt volgens de voorschriften van de pachtwet, zal de notaris de hoogste inschrijver uitnodigen voor het verlijden van de verkoopakte.
  • Kadastraal inkomen: 70 €
  • Vrij vanaf: Andere
  • Rembert VAN BAEL - Cathérine GIELEN, Geassocieerde Notarissen
  • Contactpersoon: Michael MATTHYS
  • Tel: (012) 23.04.13
  • Email: michael@vbgnotarissen.be

Gronden

Pasbrugpad, 3740 Rijkhoven

Doe een bod van
5.000 €

Presentatiebeeld van het pand n° 261569
Uit de hand
  • Referentie: 261569
  • Het perceel gelegen te Bilzen-Hoeselt (Rijkhoven) aan het Pasbrugpad, ter plaatse genaamd 'Grimmertingen Veld' (sectie C nummer 816C), is verpacht. De verkoop geschiedt ONDER DE OPSCHORTENDE VOORWAARDE VAN NIET-UITOEFENING VAN HET RECHT VAN VOORKOOP DOOR DE PACHTER. VERKOOP DOOR INSCHRIJVING ONDER GESLOTEN OMSLAG De instelprijs is € 5.000,00. De inschrijving dient te gebeuren onder gesloten omslag, die aan het kantoor Geassocieerde Notarissen Rembert VAN BAEL-Cathérine GIELEN, Graanmarkt 1, 3700 Tongeren-Borgloon, tijdens de kantooruren, uiterlijk op 5 maart 2026, om 09.30 uur, bezorgd dient te worden tegen ontvangstbewijs; het kantoor is geopend op maandag, woensdag en donderdag van 09.00 u tot 12.30 u en van 13.30 u tot 18.00 u; op dinsdag van 09.00 u tot 12.30 u en van 13.30 u tot 18.30 u; op vrijdag van 09.00 u tot 13.00 u. Inschrijvingen dienen onvoorwaardelijk te zijn en uitgebracht te worden zonder opschortende voorwaarden, behoudens opschortende voorwaarde van niet-uitoefening van het voorkooprecht door de pachter. De inschrijvingen dienen te gebeuren tegen een vaste prijs voor het gehele goed. Op 5 maart 2026, om 11 uur, worden de gesloten omslagen met de inschrijvingen opengemaakt op het kantoor Geassocieerde Notarissen Rembert VAN BAEL-Cathérine GIELEN, in aanwezigheid van de vertegenwoordiger van de verkoper. Zodra de hoogste inschrijving bekend is, zal de notaris het recht van voorkoop aan de pachter aanbieden volgens de voorschriften van de pachtwet per aangetekende brief, uiterlijk binnen de acht dagen na de opening van de inschrijvingen. Als de pachter zijn recht van voorkoop niet uitoefent noch overdraagt volgens de voorschriften van de pachtwet, zal de notaris de hoogste inschrijver uitnodigen voor het verlijden van de verkoopakte.
  • Kadastraal inkomen: 5 €
  • Vrij vanaf: Te bepalen
  • Rembert VAN BAEL - Cathérine GIELEN, Geassocieerde Notarissen
  • Contactpersoon: Michael MATTHYS
  • Tel: (012) 23.04.13
  • Email: michael@vbgnotarissen.be

Huizen

38 Beekstraat, 9170 Sint-Pauwels

Doe een bod van
300.000 €

Presentatiebeeld van het pand n° 290913
Uit de hand
  • Referentie: 290913
  • Goed gelegen starterswoning te Sint-Pauwels – Perfect gelegen nabij het centrum, met alle voorzieningen binnen handbereik, zoals winkels, scholen, recreatiemogelijkheden en openbaar vervoer. De woning biedt bovendien uitstekende verbindingen naar de E17 en E34 (Antwerpen - Gent), evenals lokale invalswegen. Indeling: Gelijkvloers: - Inkomhal met ingebouwde kasten - Woonkamer met gaskachel en trap naar de bovenverdieping - Praktische berging - Keuken met dubbele spoelbak, keramisch kookvuur en dampkap - Badkamer met inloopdouche, lavabo, toilet en gasboiler voor warm water Bovenverdieping: - Nachthal - 3 slaapkamers Buiten: - Afdak met toegang tot het stalletje - Serre - Garage met oprit - Tuin met gazon en sierput voorzien van windwijzer Extra kenmerken: - Gasverwarming - PVC ramen - Rolluiken aan de voorgevel G score: C P score: D
  • Aantal kamers: 3
  • Kadastraal inkomen: 550 €
  • Vrij vanaf: Andere
  • Akta, notarisvennootschap
  • Contactpersoon: Laura VAN BEVER
  • Tel: (03) 779.67.93
  • Email: laura.vanbever.352314@belnot.be

Huizen

54 Rue du Bosquet, 6762 Saint-Mard

Doe een bod van
190.000 €

Presentatiebeeld van het pand n° 288553
Uit de hand
  • Referentie: 288553
  • Potentiel exceptionnel ! Idéalement située dans un quartier recherché, cette maison à rénover offre de nombreuses possibilités d'aménagement et une belle superficie habitable. Niveau rue : Garage spacieux, caves de rangement 1er étage : Hall d'entrée, salle à manger avec salon, coin cuisine en couloir, véranda donnant sur le jardin, petite salle de douche et pièce de rangement. 2ème étage : Hall de nuit desservant 3 chambres, une salle de bain à rafraîchir Sous-toit : Chambre supplémentaire avec grenier, idéal pour un bureau ou espace de rangement Extérieur : Beau jardin à l'arrière, offrant un cadre de vie agréable Places de parking à l’avant de la maison Une belle opportunité pour ceux qui souhaitent personnaliser leur futur chez-soi ou investir dans un projet de rénovation. À visiter sans tarder !
  • Aantal kamers: 4
  • Kadastraal inkomen: 932 €
  • Vrij vanaf: Bij de akte
  • Florence MOREAU, Notaire
  • Contactpersoon: Aline RATY
  • Tel: (063) 57.71.04
  • Email: aline.raty.129577@belnot.be
  • Bezoekgegevens
  • Prendre RDV en l'Etude par mail a.raty@notairemoreau.be ou par téléphone 063.21.00.86

Huizen

15 Blommeriestraat, 7700 Moeskroen

Doe een bod van
299.000 €

Presentatiebeeld van het pand n° 290921
Uit de hand
  • Referentie: 290921
  • Entrée avec toilettes, spacieuse cuisine équipée, séjour, salle de bain avec douche, wc et lavabo, garage, chauffage central au gaz, châssis en bois avec persiennes, entrée séparée vers annexe avec kitchenette et une chambre. PEB E (2025126002145) - Annexe PEB G (20251206002221). Clefs à l'étude à réserver sur rdv.
  • Aantal kamers: 3
  • Kadastraal inkomen: 1351 €
  • Vrij vanaf: Bij de akte
  • Mathilde VAN DEN BERGH, Notaire
  • Contactpersoon: Virginie LYSY
  • Tel: (056) 34.22.60
  • Email: virginie.lysy.107946@belnot.be

Huizen

37 Rue de l'Yser, 7100 La Louvière

Doe een bod van
95.000 €

Presentatiebeeld van het pand n° 290922
Uit de hand
  • Referentie: 290922
  • – Maison de rangée à rénover – Revenu cadastral : 332 € Superficie du terrain : 4 ares Superficie habitable : ± 100 m² Située dans une rue calme, à proximité immédiate d'une école primaire, de plusieurs commerces, cette maison de rangée offre un beau potentiel pour les amateurs de rénovation. Bien que nécessitant une restauration complète, elle dispose d’une base solide et d’espaces lumineux sur plusieurs niveaux. Composition : Rez-de-chaussée : grande pièce de vie ouverte (salon – salle à manger), cuisine semi-équipée (ancienne), salle de douche, accès au jardin et à la cave. 1er étage : deux chambres avec plancher bois. 2e étage : grenier aménageable (non isolé). Équipements et divers : Chauffage : poêle à pellets (non fonctionnel, bougie d’allumage à remplacer). Châssis en bois double vitrage. Jardin à l’arrière. Idéal pour investisseur ou bricoleur recherchant un bien à rénover selon ses goûts !
  • Aantal kamers: 2
  • Oppervlakte van het woongedeelte: 100m2
  • Aantal badkamers: 1
  • Kadastraal inkomen: 331 €
  • Vrij vanaf: Bij de akte
  • Aurélie HAINE, Notaire
  • Contactpersoon: Sophie CARLIER
  • Tel: (064) 22.35.42
  • Email: sophie.carlier.125922@belnot.be

Gronden

Rue du Tumulus, 1370 Piétrain

Doe een bod van
134.000 €

Presentatiebeeld van het pand n° 290928
Uit de hand
  • Referentie: 290928
  • Beau terrain situé à la campagne, garantissant un environnement très calme en bordure de champs. Vue dégagée. Idéal pour un projet hors du tumulte. Lot 1 au plan de géomètre publié sur biddit, avec une superficie de 14 ares 76 centiares. Provient de la division d'une parcelle plus grande (lot 2 également en vente) Les visites sont libres. Voir le plan cadastral pour la localisation du terrain.
  • Vrij vanaf: Onmiddellijk
  • Jean-Frédéric VIGNERON & Laurent VIGNERON-Notaires associés
  • Contactpersoon: Sophie DE PRAETERE
  • Tel: (010) 84.44.54
  • Email: sophie.depraetere.350759@belnot.be
  • Bezoekgegevens
  • Les visites sont libres. Voir le plan cadastral pour la localisation du terrain.

Gronden

Rue du Tumulus, 1370 Piétrain

Doe een bod van
134.000 €

Presentatiebeeld van het pand n° 290930
Uit de hand
  • Referentie: 290930
  • Beau terrain situé à la campagne, garantissant un environnement très calme en bordure de champs. Vue dégagée. Idéal pour un projet hors du tumulte. Lot 2 au plan de géomètre publié sur biddit, avec une superficie de 14 ares 91 centiares. Provient de la division d'une parcelle plus grande (lot 1 également en vente) Les visites sont libres. Voir le plan cadastral pour la localisation du terrain.
  • Vrij vanaf: Onmiddellijk
  • Jean-Frédéric VIGNERON & Laurent VIGNERON-Notaires associés
  • Contactpersoon: Sophie DE PRAETERE
  • Tel: (010) 84.44.54
  • Email: sophie.depraetere.350759@belnot.be
  • Bezoekgegevens
  • Les visites sont libres. Voir le plan cadastral pour la localisation du terrain.

Gronden

Bredaseweg, 2322 Minderhout

Doe een bod van
555.000 €

Presentatiebeeld van het pand n° 290933
Uit de hand
  • Referentie: 290933
  • Perceel landbouwgrond gelegen te Hoogstraten-Minderhout, langs de Bredaseweg, met een opp v 4ha 24a 12ca. Het perceel is gelegen in agarisch gebied. Het perceel is deels in gebruik als grasland en deels als akkerland. VRIJ VAN PACHT P score: B
  • Kadastraal inkomen: 161 €
  • Vrij vanaf: Bij de akte
  • NOTURA - Segers, Eyskens en Luyten
  • Contactpersoon: Annelies VAN BEURDEN
  • Tel: (014) 42.51.51
  • Email: annelies.vanbeurden.132316@belnot.be

Gronden

7321 Bernissart

Doe een bod van
4.575 €

Presentatiebeeld van het pand n° 290935
Online openbare verkoop
  • Referentie: 290935
  • Terre agricole occupée à Bernissart de 36a60ca
  • Lopende verkoop
  • Startdatum: 11/02/2026 13:00
  • Einddatum: 19/02/2026 13:00
  • Geen bod: 1000 €
  • Kadastraal inkomen: 16 €
  • Vrij vanaf: Andere
  • Notaire Cindy Schoone
  • Contactpersoon: Cindy SCHOONE
  • Tel: (069) 77.10.95
  • Email: cindy.schoone@belnot.be

Gronden

7321 Bernissart

Doe een bod van
2.150 €

Presentatiebeeld van het pand n° 290936
Online openbare verkoop
  • Referentie: 290936
  • Terre agricole libre d'occupation de 17a20ca
  • Lopende verkoop
  • Startdatum: 11/02/2026 13:00
  • Einddatum: 19/02/2026 13:00
  • Geen bod: 1000 €
  • Kadastraal inkomen: 9 €
  • Vrij vanaf: Bij de akte
  • Notaire Cindy Schoone
  • Contactpersoon: Cindy SCHOONE
  • Tel: (069) 77.10.95
  • Email: cindy.schoone@belnot.be

Gronden

7321 Bernissart

Doe een bod van
2.300 €

Presentatiebeeld van het pand n° 290937
Online openbare verkoop
  • Referentie: 290937
  • Terre agricole à Bernissart libre d'occupation de 23a
  • Lopende verkoop
  • Startdatum: 11/02/2026 13:00
  • Einddatum: 19/02/2026 13:00
  • Geen bod: 1000 €
  • Kadastraal inkomen: 10 €
  • Vrij vanaf: Bij de akte
  • Notaire Cindy Schoone
  • Contactpersoon: Cindy SCHOONE
  • Tel: (069) 77.10.95
  • Email: cindy.schoone@belnot.be

Gronden

7321 Bernissart

Doe een bod van
5.821 €

Presentatiebeeld van het pand n° 290938
Online openbare verkoop
  • Referentie: 290938
  • Terre agricole à Bernissart, occupée par un agriculteur, dont une faible partie est en zone verte
  • Lopende verkoop
  • Startdatum: 11/02/2026 13:00
  • Einddatum: 19/02/2026 13:00
  • Geen bod: 1000 €
  • Kadastraal inkomen: 17 €
  • Vrij vanaf: Andere
  • Notaire Cindy Schoone
  • Contactpersoon: Cindy SCHOONE
  • Tel: (069) 77.10.95
  • Email: cindy.schoone@belnot.be

Gronden

7321 Bernissart

Doe een bod van
16.402 €

Presentatiebeeld van het pand n° 290939
Online openbare verkoop
  • Referentie: 290939
  • Terres agricoles occupées à Bernissart de 1ha9a35ca
  • Lopende verkoop
  • Startdatum: 11/02/2026 13:00
  • Einddatum: 19/02/2026 13:00
  • Geen bod: 1000 €
  • Kadastraal inkomen: 48 €
  • Vrij vanaf: Andere
  • Notaire Cindy Schoone
  • Contactpersoon: Cindy SCHOONE
  • Tel: (069) 77.10.95
  • Email: cindy.schoone@belnot.be

Gronden

7321 Bernissart

Doe een bod van
1.962 €

Presentatiebeeld van het pand n° 290940
Online openbare verkoop
  • Referentie: 290940
  • Pâture à Bernissart, occupée par la Wateringue, de 19a62ca. zone d'aléa d'inondation moyen.
  • Lopende verkoop
  • Startdatum: 11/02/2026 13:00
  • Einddatum: 19/02/2026 13:00
  • Geen bod: 1000 €
  • Kadastraal inkomen: 9 €
  • Vrij vanaf: Andere
  • Notaire Cindy Schoone
  • Contactpersoon: Cindy SCHOONE
  • Tel: (069) 77.10.95
  • Email: cindy.schoone@belnot.be

Huizen

34 Rue Trieu Gossiaux, 6224 Wanfercée-Baulet

Doe een bod van
140.000 €

Presentatiebeeld van het pand n° 290909
Uit de hand
  • Referentie: 290909
  • Maison 2 façades avec jardin et comprenant: Séjour ( salon-salle à manger), cuisine, petite arrière cuisine, salle de bain(WC, lavabo et baignoire), 2 chambres et grenier aménageable accessible par un escalier fixe, caves. Informations complémentaires: - chauffage central gaz de ville - passage latéral pour accéder à la cour par la cour voisine; - tache d'humidité dans le séjour due à une infiltration sur la plateforme du bien voisin.
  • Aantal kamers: 2
  • Oppervlakte van het woongedeelte: 132m2
  • Aantal badkamers: 1
  • Kadastraal inkomen: 342 €
  • Vrij vanaf: Bij de akte
  • Société Notariale Ghigny & Associés
  • Contactpersoon: Ornella COLACI
  • Tel: (071) 81.10.43
  • Email: ornella.colaci.108860@belnot.be
  • Bezoekgegevens
  • Prendre contact avec l'étude

Appartementen

116 Neerbroek, 2070 Beveren-Kruibeke-Zwijndrecht

Doe een bod van
230.000 €

Presentatiebeeld van het pand n° 290888
Uit de hand
  • Referentie: 290888
  • Ruim en instapklaar appartement gelegen op de gelijkvloerse verdieping van een appartementsgebouw te Zwijndrecht, omvattende: inkomhal, berging, 2 slaapkamers, apart toilet, badkamer, half-open keuken en ruime leefruimte met schuiframen die toegang verlenen tot een terras. Rustig maar toch centraal gelegen in de onmiddellijke nabijheid van winkels, scholen, openbaar vervoer en in- en uitvalswegen. De elektrische installatie is conform. Bezichtiging is mogelijk na afspraak via het nummer 0478 82 15 46 of 0471 33 16 59 G score: A P score: C
  • Aantal kamers: 2
  • Oppervlakte van het woongedeelte: 93m2
  • Aantal badkamers: 1
  • Kadastraal inkomen: 800 €
  • Vrij vanaf: Bij de akte
  • NOTARIS FRANK BUYSSENS
  • Contactpersoon: Tinne SCHROYENS
  • Tel: (03) 250.11.70
  • Email: tinne.schroyens@belnot.be
  • Bezoekgegevens
  • Bezichtiging is mogelijk na afspraak

Gronden

Steenkouterbaan, 9280 Denderbelle

Doe een bod van
40.100 €

Presentatiebeeld van het pand n° 290875
Uit de hand
  • Referentie: 290875
  • Ontdek dit aantrekkelijk gelegen weiland van 4.717 m² in het noorden van Denderbelle, aan het einde van de Steenkouterbaan nabij de Hogebrug. Dit perceel biedt een combinatie van goede bereikbaarheid, een mooie regelmatige vorm en een rustige, landelijke ligging vlak bij een waterloop. Het perceel paalt rechtstreeks aan een gemeenteweg met steenslagverharding, wat zorgt voor een uitstekende toegankelijkheid voor landbouwactiviteiten, hobbydieren of andere landelijke bestemmingen. De grond is niet verpacht en momenteel in gebruik als weide. Hoewel het perceel deel uitmaakt van een fluviaal overstromingsgevoelig gebied, wordt het niet aangeduid als recent overstroomd. Een kleine kapel bevindt zich op het perceel P score: D
  • Kadastraal inkomen: 15 €
  • Vrij vanaf: Bij de akte
  • Notaris Caroline De Herdt
  • Contactpersoon: Diego MAES
  • Tel: 052 40 93 31
  • Email: diego.maes.101295@belnot.be
  • Bezoekgegevens
  • Vrij te bezichtigen

Appartementen

77/79 Avenue saint-pierre, 7000 Mons

Doe een bod van
195.000 €

Presentatiebeeld van het pand n° 290447
Uit de hand
  • Referentie: 290447
  • Bel appartement 2 chambres, situé au cinquième étage (avec ascenseur), proche des commodités. Composé comme suit : Hall d'entrée, petit débarra, séjour/salon/salle à manger, cuisine équipée, salle de bain ,2 chambres. Sous-sol : cave. Extérieur : garage.
  • Aantal kamers: 2
  • Aantal badkamers: 1
  • Kadastraal inkomen: 1204 €
  • Vrij vanaf: Bij de akte
  • BABUSIAUX & PIRLOT NOTAIRES ASSOCIES
  • Contactpersoon: Laura WOJCIECHOWSKI
  • Tel: (064) 31.14.20
  • Email: laura.wojciechowski.183400@belnot.be
  • Bezoekgegevens
  • Contacter l'étude par téléphone au 064/31.14.20

Huizen

31 Palingstraat, 8720 Oeselgem

Doe een bod van
290.000 €

Presentatiebeeld van het pand n° 290900
Online openbare verkoop
  • Referentie: 290900
  • Moderne, instapklare woning (open bebouwing) op ruim perceel, gelegen in een rustige woonwijk. Indeling gelijkvloers: inkom, woonkamer, keuken met berging en garage. Indeling eerste verdieping: hal, badkamer, twee slaapkamers, bergruimte en bureel. Zonnepanelen aanwezig. Elektriciteit conform. G score: A P score: A
  • Aantal kamers: 2
  • Oppervlakte van het woongedeelte: 197m2
  • Aantal badkamers: 1
  • Lopende verkoop
  • Startdatum: 02/02/2026 15:00
  • Einddatum: 10/02/2026 15:00
  • Geen bod: 1000 €
  • Kadastraal inkomen: 743 €
  • Vrij vanaf: Bij de akte
  • VANBEYLEN & REYNTJENS, NOTARISSEN
  • Contactpersoon: Aaron NAERT
  • Tel: 051591089
  • Email: aaron.naert@vrnotarissen.be
  • Bezoekgegevens
  • Elke zaterdag van 9u-11u, en dit vanaf 10 januari 2026 tot en met 7 februari 2026

Gronden

Rue de Namur, 6200 Châtelet

Doe een bod van
65.000 €

Presentatiebeeld van het pand n° 290895
Uit de hand
  • Referentie: 290895
  • Ce terrain d'une contenance de 13 a 40 ca, se trouve en zone d'habitat au plan de secteur. Accès par un servitude de passage via la rue de Namur entre les numéros 226 et 228
  • Kadastraal inkomen: 14 €
  • Vrij vanaf: Bij de akte
  • Sophie BELLOTTO, Notaire
  • Contactpersoon: Isabelle CARLIER
  • Tel: (071) 38.11.85
  • Email: isabelle.carlier.223258@belnot.be
  • Bezoekgegevens
  • Visites sur place

Huizen

8 Pateelstraat, 8900 Ieper

Doe een bod van
119.000 €

Presentatiebeeld van het pand n° 290904
Uit de hand
  • Referentie: 290904
  • Indeling: inkom/gang, living, keuken, wc; Verdiep 1: 2 slaapkamers; Verdiep 2: voorkamer en zolderkamer. Oppervlakte 76 m². KI € 337. Gelegen: woongebied met cultureel, historische en/of esthetische waarde. EPC: 889 kWh/m² (cert: 20251128-0003744954-RES-1). G- & P-score: A. (Gvg, Gmo, Gvkr, Gvv). Niet gelegen in Watergevoelig openruimtegebied. De opgegeven prijs is een richtprijs. Bieden kan via Biddit.be "verkopen uit de hand" of per mail. G score: A P score: A
  • Aantal kamers: 2
  • Kadastraal inkomen: 337 €
  • Vrij vanaf: Bij de akte
  • Ghesquière, Breyne, De Brabandere & Degryse, notariskantoor
  • Contactpersoon: Kantoor NK Ter Waarde
  • Tel: (057) 20.77.98
  • Email: info@nkterwaarde.be

Gronden

Pasbrugpad, 3740 Rijkhoven

Doe een bod van
74.000 €

Presentatiebeeld van het pand n° 261588
Uit de hand
  • Referentie: 261588
  • Het perceel gelegen te Bilzen-Hoeselt (Rijkhoven) aan het Pasbrugpad, ter plaatse genaamd 'Grimmertingen Veld' (sectie C nummer 816B), is verpacht. De verkoop geschiedt ONDER DE OPSCHORTENDE VOORWAARDE VAN NIET-UITOEFENING VAN HET RECHT VAN VOORKOOP DOOR DE PACHTER. VERKOOP DOOR INSCHRIJVING ONDER GESLOTEN OMSLAG De inschrijving dient te gebeuren onder gesloten omslag, die aan het kantoor Geassocieerde Notarissen Rembert VAN BAEL-Cathérine GIELEN, Graanmarkt 1, 3700 Tongeren-Borgloon, tijdens de kantooruren, uiterlijk op 26 februari 2026, om 09.30 uur, bezorgd dient te worden tegen ontvangstbewijs; het kantoor is geopend op maandag, woensdag en donderdag van 09.00 u tot 12.30 u en van 13.30 u tot 18.00 u; op dinsdag van 09.00 u tot 12.30 u en van 13.30 u tot 18.30 u; op vrijdag van 09.00 u tot 13.00 u. Inschrijvingen dienen onvoorwaardelijk te zijn en uitgebracht te worden zonder opschortende voorwaarden, behoudens opschortende voorwaarde van niet-uitoefening van het voorkooprecht door de pachter. De inschrijvingen dienen te gebeuren tegen een vaste prijs voor het gehele goed. Op 26 februari 2026, om 11 uur, worden de gesloten omslagen met de inschrijvingen opengemaakt op het kantoor Geassocieerde Notarissen Rembert VAN BAEL-Cathérine GIELEN, in aanwezigheid van de vertegenwoordiger van de verkoper. Zodra de hoogste inschrijving bekend is, zal de notaris het recht van voorkoop aan de pachter aanbieden volgens de voorschriften van de pachtwet per aangetekende brief, uiterlijk binnen de acht dagen na de opening van de inschrijvingen. Als de pachter zijn recht van voorkoop niet uitoefent noch overdraagt volgens de voorschriften van de pachtwet, zal de notaris de hoogste inschrijver uitnodigen voor het verlijden van de verkoopakte.
  • Kadastraal inkomen: 86 €
  • Vrij vanaf: Te bepalen
  • Rembert VAN BAEL - Cathérine GIELEN, Geassocieerde Notarissen
  • Contactpersoon: Michael MATTHYS
  • Tel: (012) 23.04.13
  • Email: michael@vbgnotarissen.be

Huizen

2A Chemin de Hacquemont, 7903 Chapelle-à-Wattines

Doe een bod van
390.000 €

Presentatiebeeld van het pand n° 290902
Uit de hand
  • Referentie: 290902
  • Villa tout confort, 240 m² habitables, comprenant hall, salon, salle à manger, cuisine équipée, buanderie, salle de jeux de 30 m², jardin - Etage: 4 chambres dont une avec dressing, sdb, 20 panneaux photovoltaïques, volets électriques, chauffage central mazout et feu à pellet. Offre actuelle en l'étude: 390.000 eur
  • Aantal kamers: 4
  • Oppervlakte van het woongedeelte: 240m2
  • Aantal badkamers: 1
  • Kadastraal inkomen: 961 €
  • Vrij vanaf: Bij de akte
  • Pauline RAVAUX - Notaire
  • Contactpersoon: Christelle BERTON
  • Tel: (069) 44.25.50
  • Email: christelle.berton.127860@belnot.be

Gronden

Hoevestraat, 2260 Westerlo

Doe een bod van
225.000 €

Presentatiebeeld van het pand n° 290903
Uit de hand
  • Referentie: 290903
  • Prachtig gelegen grond van 1230 m² te Westerlo, ideaal voor wie op zoek is naar een rustige en groene omgeving. ?? De grond bevindt zich in een rustige woonomgeving, omringd door natuur en met een vlotte verbinding naar de omliggende dorpen en steden. Het biedt zowel de voordelen van het landelijke leven als de nabijheid van de nodige voorzieningen. Deze grond biedt de perfecte gelegenheid om een woning te bouwen in een omgeving die zowel privacy als een aangename sfeer biedt. Aarzel niet om contact op te nemen voor meer informatie of een bezichtiging! ?? P score: B
  • Kadastraal inkomen: 5 €
  • Vrij vanaf: Bij de akte
  • Notariaat VAN HEMELDONCK
  • Contactpersoon: Evelien BROSENS
  • Tel: (014) 26.63.69
  • Email: evelien.brosens.130914@belnot.be

Gronden

13 Hogebergstraat, 3500 Sint-Lambrechts-Herk

Doe een bod van
92.000 €

Presentatiebeeld van het pand n° 259008
Uit de hand
  • Referentie: 259008
  • Verkoop onder gesloten omslag van ruim perceel bouwland van 1ha 31a 40ca Het perceel gelegen te Hasselt (Sint-Lambrechts-Herk) achterliggend aan de Hogebergstraat 13, ter plaatse genaamd ‘Op Den Hoogen Berg’ (sectie B nummer 0425P0000), is verpacht. De verkoop geschiedt ONDER DE OPSCHORTENDE VOORWAARDE VAN NIET-UITOEFENING VAN HET RECHT VAN VOORKOOP DOOR DE PACHTER. VERKOOP DOOR INSCHRIJVING ONDER GESLOTEN OMSLAG De inschrijving dient te gebeuren onder gesloten omslag, die aan het kantoor Geassocieerde Notarissen Rembert VAN BAEL-Cathérine GIELEN, Graanmarkt 1, 3700 Tongeren-Borgloon, tijdens de kantooruren, uiterlijk op 26 februari 2026, om 09.30 uur, bezorgd dient te worden tegen ontvangstbewijs; het kantoor is geopend op maandag, woensdag en donderdag van 09.00 u tot 12.30 u en van 13.30 u tot 18.00 u; op dinsdag van 09.00 u tot 12.30 u en van 13.30 u tot 18.30 u; op vrijdag van 09.00 u tot 13.00 u. Inschrijvingen dienen onvoorwaardelijk te zijn en uitgebracht te worden zonder opschortende voorwaarden, behoudens opschortende voorwaarde van niet-uitoefening van het voorkooprecht door de pachter. De inschrijvingen dienen te gebeuren tegen een vaste prijs voor het gehele goed. Op 26 februari 2026, om 11 uur, worden de gesloten omslagen met de inschrijvingen opengemaakt op het kantoor Geassocieerde Notarissen Rembert VAN BAEL-Cathérine GIELEN, in aanwezigheid van de vertegenwoordiger van de verkoper. Zodra de hoogste inschrijving bekend is, zal de notaris het recht van voorkoop aan de pachter aanbieden volgens de voorschriften van de pachtwet per aangetekende brief, uiterlijk binnen de acht dagen na de opening van de inschrijvingen. Als de pachter zijn recht van voorkoop niet uitoefent noch overdraagt volgens de voorschriften van de pachtwet, zal de notaris de hoogste inschrijver uitnodigen voor het verlijden van de verkoopakte. P score: A
  • Kadastraal inkomen: 43 €
  • Vrij vanaf: Andere
  • Rembert VAN BAEL - Cathérine GIELEN, Geassocieerde Notarissen
  • Contactpersoon: Michael MATTHYS
  • Tel: (012) 23.04.13
  • Email: michael@vbgnotarissen.be

Gronden

Rue du Trichon, 1457 Nil-Saint-Vincent-Saint-Martin

Doe een bod van
310.000 €

Presentatiebeeld van het pand n° 290905
Uit de hand
  • Referentie: 290905
  • Beau terrain rectangulaire sis à Walhain (Nil-Saint-Vincent), à front de la rue du Trichon, au lieu-dit « Grande Campagnette », à côté du numéro 105, d’une contenance mesurée de 17 ares 71 centiares (lot A), cadastré partie de section C numéro 0585AP0000. Tel que ce bien figure sous « LOT A » et sous liseré bleu au plan de division établit par le géomètre-expert Maximilien de Bonhome à Florée le 25 novembre 2025. Condition imposée par le vendeur: a. le terrain ne peut pas être loti ultérieurement; b. le terrain doit accueillir 1 maison 4 façades
  • Kadastraal inkomen: 27 €
  • Vrij vanaf: Bij de akte
  • Stéphanie LAUDERT & Bénédicte VAN MAELE, Notaires associés
  • Contactpersoon: Fanny BRUYER
  • Tel: (010) 65.51.35
  • Email: fanny.bruyer.357584@belnot.be

Gronden

Rue du Trichon, 1457 Nil-Saint-Vincent-Saint-Martin

Doe een bod van
310.000 €

Presentatiebeeld van het pand n° 290908
Uit de hand
  • Referentie: 290908
  • Beau terrain rectangulaire sis à Walhain (Nil-Saint-Vincent), à front de la rue du Trichon, au lieu-dit « Grande Campagnette », à côté du numéro 105, d’une contenance mesurée de 17 ares 85 centiares (lot B), cadastré partie de section C numéro 0585AP0000. Tel que ce bien figure sous « LOT B » et sous liseré jaune au plan de division établit par le géomètre-expert Maximilien de Bonhome à Florée le 25 novembre 2025. Condition imposée par le vendeur: a. le terrain ne peut pas être loti ultérieurement; b. le terrain doit accueillir 1 maison 4 façades
  • Kadastraal inkomen: 27 €
  • Vrij vanaf: Bij de akte
  • Stéphanie LAUDERT & Bénédicte VAN MAELE, Notaires associés
  • Contactpersoon: Fanny BRUYER
  • Tel: (010) 65.51.35
  • Email: fanny.bruyer.357584@belnot.be
  • Bezoekgegevens
  • à effectuer par le candidat-acquéreur sur place

Huizen

32 Spei, 8790 Waregem

Doe een bod van
350.000 €

Presentatiebeeld van het pand n° 290907
Online openbare verkoop
  • Referentie: 290907
  • Gelijkvloers: hall met wc, berging. Keuken, living met pelletkachel (met veel schuiframen). 1° verdiep : grote hall met laminaat, slaapkamer met dressing, 2 slaapkamers, badkamer met WC, douche en bad, berging. Grote zolder met luik. Garage met laadpaal wagen, elektrische poort. Grote carport met aansluitende berging. Zeer goed onderhouden tuin met vijver en tuinhuis. Poortje naar tuin. 2 regenputten van 10.000 liter, boorput. Zonnepanelen. G score: A P score: A
  • Aantal kamers: 3
  • Oppervlakte van het woongedeelte: 189m2
  • Aantal badkamers: 1
  • Lopende verkoop
  • Startdatum: 06/01/2026 15:00
  • Einddatum: 14/01/2026 15:00
  • Geen bod: 1000 €
  • Kadastraal inkomen: 944 €
  • Vrij vanaf: Onmiddellijk
  • NATHALIE DESIMPEL - ELISABETH DESIMPEL - RONNY VAN EECKHOUT, geassocie
  • Contactpersoon: Kantoor Not. Desimpel, Desimpel & Van Eeckhout
  • Tel: (056) 62.76.90
  • Email: info@aktum.be
  • Bezoekgegevens
  • Zonder voorafgaandelijke afspraak: elke woensdag van 18u30-19u30 en elke zaterdag van 10u-12u, en dit vanaf woensdag 10 december 2025 tot en met zaterdag 10 januari 2026

Gronden

Nieuwe Baan, 3730 Hoeselt

Doe een bod van
54.000 €

Presentatiebeeld van het pand n° 249284
Uit de hand
  • Referentie: 249284
  • Het perceel gelegen te Bilzen-Hoeselt aan de Nieuwe Baan, ter plaatse genaamd 'Het Wijngaerdsveld' (sectie M nummer 327A), is verpacht. De verkoop geschiedt ONDER DE OPSCHORTENDE VOORWAARDE VAN NIET-UITOEFENING VAN HET RECHT VAN VOORKOOP DOOR DE PACHTER. VERKOOP DOOR INSCHRIJVING ONDER GESLOTEN OMSLAG De inschrijving dient te gebeuren onder gesloten omslag, die aan het kantoor Geassocieerde Notarissen Rembert VAN BAEL-Cathérine GIELEN, Graanmarkt 1, 3700 Tongeren-Borgloon, tijdens de kantooruren, uiterlijk op 26 februari 2026, om 09.30 uur, bezorgd dient te worden tegen ontvangstbewijs; het kantoor is geopend op maandag, woensdag en donderdag van 09.00 u tot 12.30 u en van 13.30 u tot 18.00 u; op dinsdag van 09.00 u tot 12.30 u en van 13.30 u tot 18.30 u; op vrijdag van 09.00 u tot 13.00 u. Inschrijvingen dienen onvoorwaardelijk te zijn en uitgebracht te worden zonder opschortende voorwaarden, behoudens opschortende voorwaarde van niet-uitoefening van het voorkooprecht door de pachter. De inschrijvingen dienen te gebeuren tegen een vaste prijs voor het gehele goed. Op 26 februari 2026, om 11 uur, worden de gesloten omslagen met de inschrijvingen opengemaakt op het kantoor Geassocieerde Notarissen Rembert VAN BAEL-Cathérine GIELEN, in aanwezigheid van de vertegenwoordiger van de verkoper. Zodra de hoogste inschrijving bekend is, zal de notaris het recht van voorkoop aan de pachter aanbieden volgens de voorschriften van de pachtwet per aangetekende brief, uiterlijk binnen de acht dagen na de opening van de inschrijvingen. Als de pachter zijn recht van voorkoop niet uitoefent noch overdraagt volgens de voorschriften van de pachtwet, zal de notaris de hoogste inschrijver uitnodigen voor het verlijden van de verkoopakte.
  • Kadastraal inkomen: 73 €
  • Vrij vanaf: Andere
  • Rembert VAN BAEL - Cathérine GIELEN, Geassocieerde Notarissen
  • Contactpersoon: Michael MATTHYS
  • Tel: (012) 23.04.13
  • Email: michael@vbgnotarissen.be

Huizen

35 Rue Maurice Canon, 7190 Ecaussinnes

Doe een bod van
240.000 €

Presentatiebeeld van het pand n° 290910
Uit de hand
  • Referentie: 290910
  • sous-sol : cave - rez : hall d'entrée, salon, salle à manger, cuisine équipée, salle de bains (lavabo simple, douche), une chambre, buanderie, une petite pièce (débarras), wc séparé - étage : hall de nuit, trois chambres, dressing, salle de bains (lavabo simple, baignoire, wc) - sous les combles : grenier aménageable - Dépendances : remise avec accès extérieur, terrasse, jardin - Commodités : Egout, eau de ville, électricité, téléphone, télédistribution, Châssis en PVC double vitrage - Chauffage central au GAZ - FRAIS DE MISE EN VENTE (pub et négociation 2%) A CHARGE DE L'ACQUEREUR
  • Aantal kamers: 4
  • Aantal badkamers: 1
  • Kadastraal inkomen: 423 €
  • Vrij vanaf: Bij de akte
  • A&D SABIAU, notaires associés
  • Contactpersoon: Virginie THEIZEN
  • Tel: (067) 44.28.13
  • Email: virginie.theizen.217639@belnot.be

Appartementen

16 Leuvensebaan, 3220 Holsbeek

Doe een bod van
320.000 €

Presentatiebeeld van het pand n° 290911
Online openbare verkoop
  • Referentie: 290911
  • Dit instapklaar appartement biedt alle comfort voor wie rustig wil wonen met alle voorzieningen binnen handbereik. Gelegen in de nabijheid van scholen, winkels, openbaar vervoer en op 15 minuten van het centrum van Leuven. Op het gelijkvloers is er een inkomhal met gastentoilet, een open keuken met aangrenzend een ruime woonkamer met veel lichtinval. Directe toegang tot een ruim terras met uitzicht op groen. Op de eerste verdieping bevinden zich 3 slaapkamers en een badkamer met douche, 2 lavabo’s, toilet en ruimte voor het plaatsen van een wasmachine en droogkast. Ten slotte is er op de tweede verdieping een volledig afgewerkte zolderkamer die perfect kan dienen als extra slaapkamer, bureau of hobbyruimte. Ben je op zoek naar een ruim appartement op een centrale ligging? Dan is dit de ideale kans! G score: A P score: A
  • Aantal kamers: 3
  • Oppervlakte van het woongedeelte: 109m2
  • Aantal badkamers: 1
  • Lopende verkoop
  • Startdatum: 19/01/2026 11:00
  • Einddatum: 27/01/2026 11:00
  • Geen bod: 1000 €
  • Kadastraal inkomen: 1077 €
  • Vrij vanaf: Bij de akte
  • MEURIS, CLAES & DE COCK
  • Contactpersoon: Laura LEMMENS
  • Tel: (013) 77.23.00
  • Email: notaris@3270notaris.be
  • Bezoekgegevens
  • Elke zaterdag van 12u-14u en dit vanaf zaterdag 13 december 2025 tot en met zaterdag 24 januari 2026

Gronden

Tapstraat, 3700 Lauw

Doe een bod van
35.000 €

Presentatiebeeld van het pand n° 248971
Uit de hand
  • Referentie: 248971
  • Het perceel gelegen te Tongeren-Borgloon (Lauw) gelegen aan de Tapstraat, ter plaatse genaamd 'Onder de Sleyberg' (sectie A nummer 389A), is verpacht. De verkoop geschiedt ONDER DE OPSCHORTENDE VOORWAARDE VAN NIET-UITOEFENING VAN HET RECHT VAN VOORKOOP DOOR DE PACHTER. VERKOOP DOOR INSCHRIJVING ONDER GESLOTEN OMSLAG De instelprijs is € 35.000,00. De inschrijving dient te gebeuren onder gesloten omslag, die aan het kantoor Geassocieerde Notarissen Rembert VAN BAEL-Cathérine GIELEN, Graanmarkt 1, 3700 Tongeren-Borgloon, tijdens de kantooruren, uiterlijk op 26 februari 2026, om 09.30 uur, bezorgd dient te worden tegen ontvangstbewijs; het kantoor is geopend op maandag, woensdag en donderdag van 09.00 u tot 12.30 u en van 13.30 u tot 18.00 u; op dinsdag van 09.00 u tot 12.30 u en van 13.30 u tot 18.30 u; op vrijdag van 09.00 u tot 13.00 u. Inschrijvingen dienen onvoorwaardelijk te zijn en uitgebracht te worden zonder opschortende voorwaarden, behoudens opschortende voorwaarde van niet-uitoefening van het voorkooprecht door de pachter. De inschrijvingen dienen te gebeuren tegen een vaste prijs voor het gehele goed. Op 26 februari 2026, om 11 uur, worden de gesloten omslagen met de inschrijvingen opengemaakt op het kantoor Geassocieerde Notarissen Rembert VAN BAEL-Cathérine GIELEN, in aanwezigheid van de vertegenwoordiger van de verkoper. Zodra de hoogste inschrijving bekend is, zal de notaris het recht van voorkoop aan de pachter aanbieden volgens de voorschriften van de pachtwet per aangetekende brief, uiterlijk binnen de acht dagen na de opening van de inschrijvingen. Als de pachter zijn recht van voorkoop niet uitoefent noch overdraagt volgens de voorschriften van de pachtwet, zal de notaris de hoogste inschrijver uitnodigen voor het verlijden van de verkoopakte.
  • Kadastraal inkomen: 50 €
  • Vrij vanaf: Andere
  • Rembert VAN BAEL - Cathérine GIELEN, Geassocieerde Notarissen
  • Contactpersoon: Fabiola RAMA
  • Tel: (012) 23.04.13
  • Email: fabiola.rama.104232@belnot.be

Gronden

Den Blicken Berg, 3724 Vliermaal

Doe een bod van
13.000 €

Presentatiebeeld van het pand n° 259006
Uit de hand
  • Referentie: 259006
  • Verkoop onder gesloten omslag van een perceel landbouwgrond van 26a 26ca Het perceel gelegen te Vliermaal (Kortessem), ter plaatse genaamd ‘Den Blicken Berg’ (sectie G, nummer 0141AP0000), is verpacht. De verkoop geschiedt ONDER DE OPSCHORTENDE VOORWAARDE VAN NIET-UITOEFENING VAN HET RECHT VAN VOORKOOP DOOR DE PACHTER. VERKOOP DOOR INSCHRIJVING ONDER GESLOTEN OMSLAG De instelprijs is € 13.000,00. De inschrijving dient te gebeuren onder gesloten omslag, die aan het kantoor Geassocieerde Notarissen Rembert VAN BAEL-Cathérine GIELEN, Graanmarkt 1, 3700 Tongeren-Borgloon, tijdens de kantooruren, uiterlijk op 26 februari 2026, om 09.30 uur, bezorgd dient te worden tegen ontvangstbewijs; het kantoor is geopend op maandag, woensdag en donderdag van 09.00 u tot 12.30 u en van 13.30 u tot 18.00 u; op dinsdag van 09.00 u tot 12.30 u en van 13.30 u tot 18.30 u; op vrijdag van 09.00 u tot 13.00 u. Inschrijvingen dienen onvoorwaardelijk te zijn en uitgebracht te worden zonder opschortende voorwaarden, behoudens opschortende voorwaarde van niet-uitoefening van het voorkooprecht door de pachter. De inschrijvingen dienen te gebeuren tegen een vaste prijs voor het gehele goed. Op 26 februari 2026, om 11 uur, worden de gesloten omslagen met de inschrijvingen opengemaakt op het kantoor Geassocieerde Notarissen Rembert VAN BAEL-Cathérine GIELEN, in aanwezigheid van de vertegenwoordiger van de verkoper. Zodra de hoogste inschrijving bekend is, zal de notaris het recht van voorkoop aan de pachter aanbieden volgens de voorschriften van de pachtwet per aangetekende brief, uiterlijk binnen de acht dagen na de opening van de inschrijvingen. Als de pachter zijn recht van voorkoop niet uitoefent noch overdraagt volgens de voorschriften van de pachtwet, zal de notaris de hoogste inschrijver uitnodigen voor het verlijden van de verkoopakte. P score: A
  • Kadastraal inkomen: 16 €
  • Vrij vanaf: Andere
  • Rembert VAN BAEL - Cathérine GIELEN, Geassocieerde Notarissen
  • Contactpersoon: Fabiola RAMA
  • Tel: (012) 23.04.13
  • Email: fabiola.rama.104232@belnot.be

Huizen

5 Jan de wittestraat, 2350 Vosselaar

Doe een bod van
330.000 €

Presentatiebeeld van het pand n° 290914
Online openbare verkoop
  • Referentie: 290914
  • Beschikt over een lichtrijke woonkamer en een ruime leefkeuken op het gelijkvloers, met directe toegang tot de tuin en het overdekte terras. Op de eerste verdieping bevinden zich meerdere slaapkamers en een verzorgde badkamer. Buiten vind je een groene tuin, een praktische garage en een oprit. De woning ligt in een rustige woonwijk met vlotte verbinding naar winkels en scholen. Wg, Vg, Gmo, Gvkr, Vv. BEZOEK: op dinsdag 16/12 van 19u-20u en op zaterdag 20/12, 27/12, 10/1, 17/1 van 10u-11u30. G score: A P score: A
  • Aantal kamers: 4
  • Oppervlakte van het woongedeelte: 175m2
  • Aantal badkamers: 1
  • Lopende verkoop
  • Startdatum: 12/01/2026 14:00
  • Einddatum: 20/01/2026 14:00
  • Geen bod: 1000 €
  • Kadastraal inkomen: 1554 €
  • Vrij vanaf: Bij de akte
  • PHILIPPE VERLINDEN, NOTARIS
  • Contactpersoon: Jorga OOMEN
  • Tel: (03) 340.21.94
  • Email: jo@notariaatrijkevorsel.be
  • Bezoekgegevens
  • op dinsdag 16/12 van 19u-20u en op zaterdag 20/12, 27/12, 10/1, 17/1 van 10u-11u30.

Gronden

13 Hogebergstraat, 3500 Sint-Lambrechts-Herk

Doe een bod van
17.000 €

Presentatiebeeld van het pand n° 259010
Uit de hand
  • Referentie: 259010
  • Verkoop onder gesloten omslag van een perceel hooiland van 24a 30ca Het perceel gelegen te Hasselt (Sint-Lambrechts-Herk) achterliggend aan de Hogebergstraat 13, ter plaatse genaamd 'Op Den Hoogen Berg' (sectie B nummer 0426P0000), is verpacht. De verkoop geschiedt ONDER DE OPSCHORTENDE VOORWAARDE VAN NIET-UITOEFENING VAN HET RECHT VAN VOORKOOP DOOR DE PACHTER. VERKOOP DOOR INSCHRIJVING ONDER GESLOTEN OMSLAG De instelprijs is € 17.000,00. De inschrijving dient te gebeuren onder gesloten omslag, die aan het kantoor Geassocieerde Notarissen Rembert VAN BAEL-Cathérine GIELEN, Graanmarkt 1, 3700 Tongeren-Borgloon, tijdens de kantooruren, uiterlijk op 5 maart 2026, om 09.30 uur, bezorgd dient te worden tegen ontvangstbewijs; het kantoor is geopend op maandag, woensdag en donderdag van 09.00 u tot 12.30 u en van 13.30 u tot 18.00 u; op dinsdag van 09.00 u tot 12.30 u en van 13.30 u tot 18.30 u; op vrijdag van 09.00 u tot 13.00 u. Inschrijvingen dienen onvoorwaardelijk te zijn en uitgebracht te worden zonder opschortende voorwaarden, behoudens opschortende voorwaarde van niet-uitoefening van het voorkooprecht door de pachter. De inschrijvingen dienen te gebeuren tegen een vaste prijs voor het gehele goed. Op 5 maart 2026, om 11 uur, worden de gesloten omslagen met de inschrijvingen opengemaakt op het kantoor Geassocieerde Notarissen Rembert VAN BAEL-Cathérine GIELEN, in aanwezigheid van de vertegenwoordiger van de verkoper. Zodra de hoogste inschrijving bekend is, zal de notaris het recht van voorkoop aan de pachter aanbieden volgens de voorschriften van de pachtwet per aangetekende brief, uiterlijk binnen de acht dagen na de opening van de inschrijvingen. Als de pachter zijn recht van voorkoop niet uitoefent noch overdraagt volgens de voorschriften van de pachtwet, zal de notaris de hoogste inschrijver uitnodigen voor het verlijden van de verkoopakte. P score: D
  • Kadastraal inkomen: 5 €
  • Vrij vanaf: Andere
  • Rembert VAN BAEL - Cathérine GIELEN, Geassocieerde Notarissen
  • Contactpersoon: Michael MATTHYS
  • Tel: (012) 23.04.13
  • Email: michael@vbgnotarissen.be

Huizen

33 Toekomststraat, 3530 Houthalen

Doe een bod van
99.000 €

Presentatiebeeld van het pand n° 290916
Online openbare verkoop
  • Referentie: 290916
  • Te renoveren woning gelegen te Houthalen-Helchteren, Toekomstraat 33, ten kadaster gekend sectie D nummer 0354GP0000, met een oppervlakte van 08a 49ca. G score: A P score: A
  • Aantal kamers: 3
  • Aantal badkamers: 1
  • Lopende verkoop
  • Startdatum: 12/01/2026 15:00
  • Einddatum: 20/01/2026 15:00
  • Geen bod: 1000 €
  • Kadastraal inkomen: 1065 €
  • Vrij vanaf: Bij de akte
  • Bart Drieskens & Frank Goddeeris
  • Contactpersoon: Kantoor Not. Drieskens & Goddeeris
  • Tel: (011) 52.05.90
  • Email: bart.drieskens@notarisdrieskens.be
  • Bezoekgegevens
  • Na contactname met het notariskantoor

Gronden

Wijngaerds Bosstraat, 3730 Hoeselt

Doe een bod van
51.000 €

Presentatiebeeld van het pand n° 249478
Uit de hand
  • Referentie: 249478
  • Het perceel gelegen te Hoeselt tussen de Nieuwe Baan en de Wijngaerds Bosstraat, ter plaatse genaamd 'Het Bosch Veldje'' (sectie M nummer 720A), is verpacht. De verkoop geschiedt ONDER DE OPSCHORTENDE VOORWAARDE VAN NIET-UITOEFENING VAN HET RECHT VAN VOORKOOP DOOR DE PACHTER. VERKOOP DOOR INSCHRIJVING ONDER GESLOTEN OMSLAG De instelprijs is € 51.000,00. De inschrijving dient te gebeuren onder gesloten omslag, die aan het kantoor Geassocieerde Notarissen Rembert VAN BAEL-Cathérine GIELEN, Graanmarkt 1, 3700 Tongeren-Borgloon, tijdens de kantooruren, uiterlijk op 5 maart 2026, om 09.30 uur, bezorgd dient te worden tegen ontvangstbewijs; het kantoor is geopend op maandag, woensdag en donderdag van 09.00 u tot 12.30 u en van 13.30 u tot 18.00 u; op dinsdag van 09.00 u tot 12.30 u en van 13.30 u tot 18.30 u; op vrijdag van 09.00 u tot 13.00 u. Inschrijvingen dienen onvoorwaardelijk te zijn en uitgebracht te worden zonder opschortende voorwaarden, behoudens opschortende voorwaarde van niet-uitoefening van het voorkooprecht door de pachter. De inschrijvingen dienen te gebeuren tegen een vaste prijs voor het gehele goed. Op 5 maart 2026, om 11 uur, worden de gesloten omslagen met de inschrijvingen opengemaakt op het kantoor Geassocieerde Notarissen Rembert VAN BAEL-Cathérine GIELEN, in aanwezigheid van de vertegenwoordiger van de verkoper. Zodra de hoogste inschrijving bekend is, zal de notaris het recht van voorkoop aan de pachter aanbieden volgens de voorschriften van de pachtwet per aangetekende brief, uiterlijk binnen de acht dagen na de opening van de inschrijvingen. Als de pachter zijn recht van voorkoop niet uitoefent noch overdraagt volgens de voorschriften van de pachtwet, zal de notaris de hoogste inschrijver uitnodigen voor het verlijden van de verkoopakte.
  • Kadastraal inkomen: 68 €
  • Vrij vanaf: Andere
  • Rembert VAN BAEL - Cathérine GIELEN, Geassocieerde Notarissen
  • Contactpersoon: Michael MATTHYS
  • Tel: (012) 23.04.13
  • Email: michael@vbgnotarissen.be

Gronden

Laakstraat, 3740 Bilzen

Doe een bod van
106.015 €

Presentatiebeeld van het pand n° 259011
Uit de hand
  • Referentie: 259011
  • Verkoop onder gesloten omslag van een perceel landbouwgrond (gelegen in woongebied) van 30a 29ca Het perceel akkerland gelegen te Bilzen, ter plaatse genaamd ‘Royer Veld’ (sectie F, nummer 0751P0000), is gelegen in woongebied en is verpacht. De verkoop geschiedt ONDER DE OPSCHORTENDE VOORWAARDE VAN NIET-UITOEFENING VAN HET RECHT VAN VOORKOOP DOOR DE PACHTER. VERKOOP DOOR INSCHRIJVING ONDER GESLOTEN OMSLAG De instelprijs is € 106.015,00. De inschrijving dient te gebeuren onder gesloten omslag, die aan het kantoor Geassocieerde Notarissen Rembert VAN BAEL-Cathérine GIELEN, Graanmarkt 1, 3700 Tongeren-Borgloon, tijdens de kantooruren, uiterlijk op 5 maart 2026, om 09.30 uur, bezorgd dient te worden tegen ontvangstbewijs; het kantoor is geopend op maandag, woensdag en donderdag van 09.00 u tot 12.30 u en van 13.30 u tot 18.00 u; op dinsdag van 09.00 u tot 12.30 u en van 13.30 u tot 18.30 u; op vrijdag van 09.00 u tot 13.00 u. Inschrijvingen dienen onvoorwaardelijk te zijn en uitgebracht te worden zonder opschortende voorwaarden, behoudens opschortende voorwaarde van niet-uitoefening van het voorkooprecht door de pachter. De inschrijvingen dienen te gebeuren tegen een vaste prijs voor het gehele goed. Op 5 maart 2026, om 11 uur, worden de gesloten omslagen met de inschrijvingen opengemaakt op het kantoor Geassocieerde Notarissen Rembert VAN BAEL-Cathérine GIELEN, in aanwezigheid van de vertegenwoordiger van de verkoper. Zodra de hoogste inschrijving bekend is, zal de notaris het recht van voorkoop aan de pachter aanbieden volgens de voorschriften van de pachtwet per aangetekende brief, uiterlijk binnen de acht dagen na de opening van de inschrijvingen. Als de pachter zijn recht van voorkoop niet uitoefent noch overdraagt volgens de voorschriften van de pachtwet, zal de notaris de hoogste inschrijver uitnodigen voor het verlijden van de verkoopakte. P score: A
  • Kadastraal inkomen: 12 €
  • Vrij vanaf: Andere
  • Rembert VAN BAEL - Cathérine GIELEN, Geassocieerde Notarissen
  • Contactpersoon: Michael MATTHYS
  • Tel: (012) 23.04.13
  • Email: michael@vbgnotarissen.be

Gronden

Kerkstraat, 3700 Rutten

Doe een bod van
105.000 €

Presentatiebeeld van het pand n° 287063
Uit de hand
  • Referentie: 287063
  • Het perceel gelegen te Tongeren-Borgloon (Rutten), aan de Kerkstraat, ter plaatse genaamd ‘OP DE SCHABOT’ (sectie A nummer 1582AP0000), is verpacht (loopbaanpacht). De verkoop geschiedt ONDER DE OPSCHORTENDE VOORWAARDE VAN NIET-UITOEFENING VAN HET RECHT VAN VOORKOOP DOOR DE PACHTER. VERKOOP DOOR INSCHRIJVING ONDER GESLOTEN OMSLAG. De instelprijs is € 105.000,00. De inschrijving dient te gebeuren onder gesloten omslag, die aan het kantoor Geassocieerde Notarissen Rembert VAN BAEL-Cathérine GIELEN, Graanmarkt 1, 3700 Tongeren-Borgloon, tijdens de kantooruren, uiterlijk op 5 maart 2026, om 09.30 uur, bezorgd dient te worden tegen ontvangstbewijs; het kantoor is geopend op maandag, woensdag en donderdag van 09.00 u tot 12.30 u en van 13.30 u tot 18.00 u; op dinsdag van 09.00 u tot 12.30 u en van 13.30 u tot 18.30 u; op vrijdag van 09.00 u tot 13.00 u. Inschrijvingen dienen onvoorwaardelijk te zijn en uitgebracht te worden zonder opschortende voorwaarden, behoudens opschortende voorwaarde van niet-uitoefening van het voorkooprecht door de pachter. De inschrijvingen dienen te gebeuren tegen een vaste prijs voor het gehele goed. Op 5 maart 2026, om 11 uur, worden de gesloten omslagen met de inschrijvingen opengemaakt op het kantoor Geassocieerde Notarissen Rembert VAN BAEL-Cathérine GIELEN, in aanwezigheid van de vertegenwoordiger van de verkoper. Zodra de hoogste inschrijving bekend is, zal de notaris het recht van voorkoop aan de pachter aanbieden volgens de voorschriften van de pachtwet per aangetekende brief, uiterlijk binnen de acht dagen na de opening van de inschrijvingen. Als de pachter zijn recht van voorkoop niet uitoefent noch overdraagt volgens de voorschriften van de pachtwet, zal de notaris de hoogste inschrijver uitnodigen voor het verlijden van de verkoopakte. P score: B
  • Kadastraal inkomen: 148 €
  • Vrij vanaf: Bij de akte
  • Rembert VAN BAEL - Cathérine GIELEN, Geassocieerde Notarissen
  • Contactpersoon: Fabiola RAMA
  • Tel: (012) 23.04.13
  • Email: fabiola@vbgnotarissen.be

Huizen

2 Rue de la Chapelle, 5600 Samart

Doe een bod van
135.000 €

Presentatiebeeld van het pand n° 290918
Uit de hand
  • Referentie: 290918
  • Visites effectuées par la société GIL (071/38.84.49) Description de la Maison : • Rez-de-chaussée : Salon (Un espace de vie confortable pour recevoir et se détendre), salle à manger (Idéale pour les repas en famille ou entre amis), cuisine fonctionnelle, pièce arrière/chambre possible( Une pièce supplémentaire pouvant être utilisée comme chambre ou bureau, offrant diverses possibilités d'aménagement). • 1er étage : Hall de nuit, trois chambres (Spacieuses, idéales pour une famille), salle de bain avec WC . • Grenier aménageable en 2 parties (Un espace supplémentaire qui pourrait être transformé en chambres, bureau, ou autre selon vos besoins). • Deux caves (Idéales pour le stockage. L’une d’elles dispose d’un four à pain, offrant une touche traditionnelle). • Une remise (Parfaite pour le rangement d’outils ou de matériel supplémentaire). Caractéristiques et équipements : Jardin : Oui, pour profiter de l'extérieur. Portes intérieures, placards et cheminées en chêne ou bois fruitier. Chauffage central (Mazout). Châssis double vitrage (meilleure isolation thermique et phonique). Garage : Non. Panneaux photovoltaïques : Non. Installation électrique : à rénover entièrement. Libre d’occupation à la signature de l’acte. Possibilité d’acquérir la pâture communicante à l’arrière. Le terrain permet l'accès à l'arrière de la maison depuis la voirie communale. Lien de la publication : https://www.immoweb.be/fr/annonce/terrain/a-vendre/samart/5600/21225178
  • Aantal kamers: 3
  • Kadastraal inkomen: 329 €
  • Vrij vanaf: Bij de akte
  • L&D Not, société notariale
  • Contactpersoon: Lucie VIERSET
  • Tel: (071) 68.80.48
  • Email: lucie.vierset.109215@belnot.be
  • Bezoekgegevens
  • Visites effectuées par la société GIL (071/38.84.49)

Gronden

2 Rue de la Chapelle, 5600 Samart

Doe een bod van
30.000 €

Presentatiebeeld van het pand n° 290923
Uit de hand
  • Referentie: 290923
  • Pâture libre d’occupation située à Samart (Philippeville) cadastrée suivant extrait de matrice cadastrale récent section A, numéro 0116DP0000, 0120AP0000, 0121P0000, 0122P0000 et 0123P0000, d'une superficie de soixante-cinq ares soixante centiares (65 a 60 ca). Partie de la parcelle 0121P000 se situe en zone habitat à caractère rural. Possibilité d’acquérir la maison (sise rue de la Chapelle 2) limitrophe à la parcelle. Lien de la publication : https://www.immoweb.be/fr/annonce/maison/a-vendre/samart/5600/21225161
  • Kadastraal inkomen: 18 €
  • Vrij vanaf: Bij de akte
  • L&D Not, société notariale
  • Contactpersoon: Lucie VIERSET
  • Tel: (071) 68.80.48
  • Email: lucie.vierset.109215@belnot.be

Huizen

117 Rue Sainry, 4870 Forêt

Doe een bod van
110.000 €

Presentatiebeeld van het pand n° 290884
Online openbare verkoop
  • Referentie: 290884
  • Une maison quatre façades de type bungalow située à Forêt dans un quartier calme et entourée d’un beau jardin plat et arboré. La maison se compose de 2 chambres, un grand séjour de 30m², une cuisine de 12m² connectée à une arrière cuisine/buanderie. Le bien dispose également d’un grand garage et d’une cave. La maison doit être réaménagée et les rénovations doivent être finalisées. La toiture et les châssis ont été remplacés en 2016 et l’entièreté de l’installation électrique a été mise en conformité en 2025.
  • Aantal kamers: 2
  • Oppervlakte van het woongedeelte: 106m2
  • Aantal badkamers: 1
  • Lopende verkoop
  • Startdatum: 26/01/2026 13:00
  • Einddatum: 03/02/2026 13:00
  • Geen bod: 1000 €
  • Kadastraal inkomen: 680 €
  • Vrij vanaf: Bij de akte
  • ETUDE NOTARIALE DE LOUVEIGNE, société notariale
  • Contactpersoon: Clotilde LUIS
  • Tel: (04) 360.01.48
  • Email: clotilde.luis.351976@belnot.be
  • Bezoekgegevens
  • Sur place SANS RDV = Avant les enchères: mardis: 23/12- 30/12- 6/01- 13/01- 20/01 de 13h30 à 14h30/ samedis: 27/12- 3/01- 10/01- 17/01- 24/01 de 10h à 11h/ Pendant les enchères: lun- mar- mer- jeu- ven de 13h30 à 14h30 et sam de 10h à 11h00

Huizen

4 Heuvelhofstraat, 3400 Laar

Doe een bod van
350.000 €

Presentatiebeeld van het pand n° 262437
Uit de hand
  • Referentie: 262437
  • Deze prachtige pastorie is gelegen op een perceel grond van dan 23 a 48 ca en baadt in een oase van rust. De pastorie beschikt over een prachtige grote tuin (zowel aan voor- als achterzijde) met veel mogelijkheden en heeft tevens een garage. De pastorie is een vastgesteld bouwkundig erfgoed, behoort tot de beschermde stads- of dorpsgezichten en staat bekend als beschermd monument. Meer informatie hierover vindt u terug op https://inventaris.onroerenderfgoed.be/aanduidingsobjecten/145 De woning heeft aan de binnenkant in een aantal kamers rookschade en de woning is toe aan een grondige renovatie. De garage is toegankelijk via het naastliggend perceel. G score: A P score: D
  • Aantal kamers: 6
  • Kadastraal inkomen: 1036 €
  • Vrij vanaf: Te bepalen
  • Notariskantoor Kris Pexsters
  • Contactpersoon: Floris VAN ASCH
  • Tel: (011) 88.50.38
  • Email: floris.vanasch.356881@belnot.be
  • Bezoekgegevens
  • Voor een bezichtiging kunt u contact opnemen met het notariskantoor. 011/88.50.38

Huizen

58 Onderwijsstraat, 1070 Anderlecht

Doe een bod van
469.700 €

Presentatiebeeld van het pand n° 287997
Uit de hand
  • Referentie: 287997
  • Een opbrengsthuis met aanhorigheden en koer Gelegen Onderwijsstraat 58 voor een oppervlakte van 1a 51ca. Ondergr. verd. : 2 kelders, 2 wc’s - Glvl.: inkomhal, koer, tui, trappen - Tssverd.: 3 ineenlopende plaatsen - 1e verd.: 1 keuken, 3 plaatsen, wc - 2e verd.: 4 plaatsen, wc - 3e verd.: 3 plaatsen, wc. N.g.k.i. 1.873€. Vrij van gebruik. Woongebied, GCHEWS. EPC G/404. Contr. elektr. niet conform. Bezoeken op afspraak. BIEDEN VANAF 469.700€ - www.biddit.be - Ref. pand : 287997. https://www.biddit.be/nl/catalog/detail/287997
  • Aantal kamers: 2
  • Kadastraal inkomen: 1873 €
  • Vrij vanaf: Bij de akte
  • Heindryckx Alexis, Notaire
  • Contactpersoon: Violette GÉRARD
  • Tel: (02) 522.09.37
  • Email: violette.gerard.133439@belnot.be
  • Bezoekgegevens
  • op afspraak

Appartementen

22 Avenue Albert Drossart, 1350 Jauche

Doe een bod van
155.000 €

Presentatiebeeld van het pand n° 290781
Uit de hand
  • Referentie: 290781
  • Appartement de +/- 118m² habitable (selon PEB), aménagé avec goût, dans une petite copropriété de 5 appartements dans le village d’Orp-Jauche (Jauche), cet appartement est idéalement situé à mi-chemin entre Bxl et Liège, proche des grands axes (10 min de l’E40, 20 min de l’E411), et des facilités (bus, écoles, commerces, installations sportives à proximité). Cet appartement vous offre: une cuisine de 12m², un séjour de 25m², un wc, un hall de jour, un hall de nuit, une sdb de 6m², deux chambres de 15 et 13 m², une cave et un jardin privatif de 22m². Chauffage central – Chaudière au gaz naturel – PEB C. Travaux à prévoir. Visite sur rdv : 0497.40.99.81
  • Aantal kamers: 2
  • Oppervlakte van het woongedeelte: 118m2
  • Aantal badkamers: 1
  • Kadastraal inkomen: 616 €
  • Vrij vanaf: Bij de akte
  • LAETITIA HAYEZ, NOTAIRE
  • Contactpersoon: Cathy VARIN
  • Tel: (019) 61.01.13
  • Email: cathy.varin.107987@belnot.be
  • Bezoekgegevens
  • Visite sur RDV: 0497.40.99.81

Gronden

, 7321 Bernissart

Doe een bod van
10.275 €

Presentatiebeeld van het pand n° 290934
Online openbare verkoop
  • Referentie: 290934
  • Vente terre agricole à Bernissart - terre occupée de 68a50ca
  • Lopende verkoop
  • Startdatum: 11/02/2026 13:00
  • Einddatum: 19/02/2026 13:00
  • Geen bod: 1000 €
  • Kadastraal inkomen: 26 €
  • Vrij vanaf: Andere
  • Notaire Cindy Schoone
  • Contactpersoon: Cindy SCHOONE
  • Tel: (069) 77.10.95
  • Email: cindy.schoone@belnot.be

Gronden

, 7321 Bernissart

Doe een bod van
3.090 €

Presentatiebeeld van het pand n° 290941
Online openbare verkoop
  • Referentie: 290941
  • Pâture à Bernissart, occupée par la Wateringue, Natura 2000. Aléa d'inondation moyen.
  • Lopende verkoop
  • Startdatum: 11/02/2026 13:00
  • Einddatum: 19/02/2026 13:00
  • Geen bod: 1000 €
  • Kadastraal inkomen: 10 €
  • Vrij vanaf: Andere
  • Notaire Cindy Schoone
  • Contactpersoon: Cindy SCHOONE
  • Tel: (069) 77.10.95
  • Email: cindy.schoone@belnot.be

Garage

2+ Rue Coin Ledoux, 6224 Wanfercée-Baulet

Doe een bod van
35.000 €

Presentatiebeeld van het pand n° 290893
Uit de hand
  • Referentie: 290893
  • Garage avec jardin d'une contenance totale de 1 are 60 centiares et situé en zone d'habitat
  • Kadastraal inkomen: 91 €
  • Vrij vanaf: Bij de akte
  • Société Notariale Ghigny & Associés
  • Contactpersoon: Ornella COLACI
  • Tel: (071) 81.10.43
  • Email: ornella.colaci.108860@belnot.be
  • Bezoekgegevens
  • Prendre contact avec l'étude

Huizen

88 Boomgaardstraat, 2600 Berchem

Doe een bod van
289.000 €

Presentatiebeeld van het pand n° 290838
Online openbare verkoop
  • Referentie: 290838
  • Goed gelegen. Te renoveren met authentieke elementen en koer. LIGGING: vlakbij het Koning Albertpark, Brouwerij De Koninck, het Groen Kwartier, station Antwerpen-Berchem, in een hippe bruisende wijk met veel horecagelegenheden (o.a. Brel, Bobby ...). INDELING: trap, gelijkvloerse ruimte, 5 slaapkamers, 1 badkamer, eetkamer, keuken, berging, koer. Wg, Gvg, Gmo, Gvkr, Gvv. BEZOEK: elke woensdag van 14u-17u vanaf 10/12 tem 21/1 en elke zaterdag van 11u-14u vanaf 13/12 tem 17/1. G score: B P score: B
  • Aantal kamers: 5
  • Oppervlakte van het woongedeelte: 233m2
  • Aantal badkamers: 1
  • Lopende verkoop
  • Startdatum: 15/01/2026 11:00
  • Einddatum: 23/01/2026 11:00
  • Geen bod: 1000 €
  • Kadastraal inkomen: 882 €
  • Vrij vanaf: Andere
  • Notaris Tom Wilsens
  • Contactpersoon: Kantoor Not. Tom Wilsens
  • Tel: (016) 22.25.90
  • Email: tom.wilsens@belnot.be
  • Bezoekgegevens
  • elke woensdag van 14u-17u vanaf 10/12 tem 21/1 en elke zaterdag van 11u-14u vanaf 13/12 tem 17/1.

Huizen

13 Polenstraat, 8800 Beveren

Doe een bod van
245.000 €

Presentatiebeeld van het pand n° 290839
Uit de hand
  • Referentie: 290839
  • Op zoek naar een woning die rust, ruimte én bereikbaarheid combineert? Ontdek deze stevige halfopen bebouwing in de Polenstraat 13 te Roeselare. Met haar functionele indeling, zonnige tuin en kindvriendelijke omgeving vormt dit huis de ideale basis voor jouw toekomstige droomwoning. Troeven op een rijtje: - Uitstekende ligging: slechts 4 km van het bruisende centrum van Roeselare en een vlotte verbinding naar de E403. - Rustige woonwijk: een aangename en veilige omgeving, perfect voor gezinnen. - Alle voorzieningen dichtbij: scholen, winkels, horeca, sportvelden en jeugdbeweging op wandelafstand. - Ruimte en potentieel: dankzij enkele renovatiewerken kan je de woning volledig naar eigen smaak omvormen. Indeling van de woning: - Gelijkvloers: ruime en lichte living, kwaliteitsvolle keuken met berging, inkomhal, apart toilet en inpandige garage. - Verdieping: hal, 4 volwaardige kamers en een badkamer. - Buitenruimte: een zuidoostgerichte tuin met bijgebouw, ideaal om te genieten van de zon, te tuinieren of een gezellige speelplek te creëren. G score: A P score: A
  • Aantal kamers: 4
  • Aantal badkamers: 1
  • Kadastraal inkomen: 639 €
  • Vrij vanaf: Andere
  • NOTARIAAT SOETE & PYCK
  • Contactpersoon: Elise DE GROOTE
  • Tel: 051797763
  • Email: elise@notariaatsp.be
  • Bezoekgegevens
  • Geïnteresseerden mogen dhr. Wim Decoodt contacteren op 0496/87.81.86

Huizen

53 Rue de Lens-Saint-Rémy, 4260 Braives

Doe een bod van
499.000 €

Presentatiebeeld van het pand n° 290311
Uit de hand
  • Referentie: 290311
  • Nous proposons à la vente, à Avennes, une très belle villa de 2007 avec double garage sur 22a37ca. L’immeuble comprend : • Au rez de chaussée : hall d’entrée avec escalier vers l’étage WC avec lave-main, grand living très clair comprenant salon et salle à manger ouvert vers la cuisine équipée, buanderie et double garage d’environ 48 m2 ; • A l’étage, Hall, 3 chambres (+/- 20 m2, 15 m2 et 24 m2), salle d’eau (douche – 2 éviers), WC, bureau (ou chambre +/-10m2) Grenier spacieux accessible par trappe En sous sol : caves partout (beton lissé) sous la partie habitation (+/- 98 m2) , vide ventilé sous le garage. Publicité non contractuelle.
  • Aantal kamers: 3
  • Aantal badkamers: 1
  • Kadastraal inkomen: 997 €
  • Vrij vanaf: Bij de akte
  • Etudes Notariales associées
  • Contactpersoon: Stéphanie JARDIN
  • Tel: (085) 25.00.55
  • Email: info@lesnotaires.be
  • Bezoekgegevens
  • Veuillez contacter l'étude au 085/25.00.55

Huizen

88 Rue Amé Raulier, 7110 Strépy-Bracquegnies

Doe een bod van
150.000 €

Presentatiebeeld van het pand n° 290842
Uit de hand
  • Referentie: 290842
  • Descriptif :Charmante maison 2 chambres avec jardin. Dès l’entrée, vous découvrirez une salle à manger, un salon parfait pour vos moments de détente. La cuisine bénéficie d’une belle luminosité naturelle .Un escalier mène au jardin, idéal pour profiter des beaux jours en toute tranquillité. À l’étage, la maison propose 2 chambres ainsi qu’un grenier aménageable, offrant de belles possibilités selon vos besoins. Le bien dispose également de 3 caves, pratiques pour le stockage ou un espace de bricolage, ainsi que d’un passage latéral.Le chauffage est assuré par un poêle au gaz, idéal pour un confort optimal en hiver. PEB : G – 514. Faire offre à partir de 150.000€. Visite :Clés en l’Etude . Cette maison n’attend plus que votre visite pour révéler tout son potentiel !Contactez-nous dès aujourd’hui pour plus d’informations.
  • Aantal kamers: 2
  • Kadastraal inkomen: 386 €
  • Vrij vanaf: Bij de akte
  • Thierry BRICOUT, Notaire
  • Contactpersoon: Sandy LUFRANO
  • Tel: (064) 22.13.52
  • Email: sandy.lufrano.130922@belnot.be
  • Bezoekgegevens
  • Clés en L'Etude .

Appartementen

170 Daverlostraat, 8310 Assebroek

Doe een bod van
125.000 €

Presentatiebeeld van het pand n° 279557
Uit de hand
  • Referentie: 279557
  • In de verzorgde service residentie "Berkenhof" te Assebroek vindt u dit instapklaar en goed onderhouden appartement. Het appartement ziet er als volgt uit: inkom, volledig geïnstalleerde keuken, woonkamer met onmiddellijke toegang tot het terras met uitzicht op het groen. Verder heb je nog een slaapkamer met aansluitende gerenoveerde badkamer voorzien van inloopdouche, wastafel en toilet. Residentie Berkenhof biedt tal van aanvullende diensten met name klus- en wasdienst en parkeerplaatsen voor bewoners en bezoekers. Daarnaast beschikken ze ook over een restaurant, gemeenschappelijke buitenruimtes, kapsalon, boodschappenservice en zorgpermanentie. G score: A P score: A
  • Aantal kamers: 1
  • Oppervlakte van het woongedeelte: 55m2
  • Aantal badkamers: 1
  • Kadastraal inkomen: 860 €
  • Vrij vanaf: Bij de akte
  • VVD NOTARISVENNOOTSCHAP
  • Contactpersoon: Anouchka DEMETS
  • Tel: (050) 40.40.40
  • Email: anouchka.demets.217345@belnot.be
  • Bezoekgegevens
  • Bezoeken via geassocieerde notarissen Van Damme, Van Damme & Delaere: anouchka@vvdnotarissen.be - tel.: 050 40 40 40

Huizen

92 Rue Cavagne, 7110 Strépy-Bracquegnies

Doe een bod van
180.000 €

Presentatiebeeld van het pand n° 290856
Uit de hand
  • Referentie: 290856
  • Descriptif :maison familiale avec jardin et 4 chambres. Découvrez cette agréable maison idéale pour une famille à la recherche d’espace et de confort. Au rez-de-chaussée, vous profitez d’une salle à manger ainsi que d’un salon ouvert sur une cuisine équipée . Une arrière-cuisine pratique, une toilette et une salle de bain complètent cet étage. La maison bénéficie de caves pratiques pour le stockage. La maison dispose de 2 chambres confortables, ainsi que 2 chambres mansardées offrant de multiples possibilités. À l’extérieur, vous serez séduit par le jardin agréable, idéal pour les moments en plein air, ainsi que 2 remises pratiques pour le rangement. PEB : D – 331 kWh/m².an. Visite :sur RDV préalable les mercredis et samedis de 16h30 à 17h30 au 0497/61.83.57. Ne tardez pas à découvrir ce bien au fort potentiel ! Faire offre à partir de 180.000€.
  • Aantal kamers: 4
  • Kadastraal inkomen: 401 €
  • Vrij vanaf: Bij de akte
  • Thierry BRICOUT, Notaire
  • Contactpersoon: Sandy LUFRANO
  • Tel: (064) 22.13.52
  • Email: sandy.lufrano.130922@belnot.be
  • Bezoekgegevens
  • sur RDV préalable les mercredis et samedis de 16h30 à 17h30 au 0497/61.83.57.

Handelspanden

46 Kronevoordestraat, 8610 Kortemark

Doe een bod van
230.000 €

Presentatiebeeld van het pand n° 290854
Online openbare verkoop
  • Referentie: 290854
  • Slagerij met volledig ingerichte winkelruimte en aansluitend woongedeelte te koop. De woning omvat vier slaapkamers, een ruime leefruimte en een praktische indeling. Achteraan bevindt zich een aangename tuin met mooi uitzicht. Ideaal voor wie wonen en ondernemen wil combineren op één locatie. G score: C P score: D
  • Aantal badkamers: 1
  • Lopende verkoop
  • Startdatum: 05/01/2026 13:00
  • Einddatum: 13/01/2026 13:00
  • Geen bod: 1000 €
  • Kadastraal inkomen: 1155 €
  • Vrij vanaf: Andere
  • Notariskantoor Debbie Hebbelinck
  • Contactpersoon: Kantoor Not. Debbie Hebbelinck
  • Tel: (051) 56.97.95
  • Email: administratie@notarishebbelinck.be
  • Bezoekgegevens
  • Afspraak via notariskantoor

Huizen

60 Vaartstraat, 9971 Lembeke

Doe een bod van
139.000 €

Presentatiebeeld van het pand n° 290859
Online openbare verkoop
  • Referentie: 290859
  • TE RENOVEREN. Grondoppervlakte 480 m². KI € 161. Bouwjaar van 1919 tot 1930. EPC: 445 kWh/m² MET renovatieplicht. G-Score: A & P-score: A. Deels woongebieden, deels agrarische gebieden. Geen herstelmaatregel; Geen voorkooprecht; Omgevingsvergunning voor stedenbouwkundige handelingen; Geen omgevingsvergunning voor verkavelen. G score: A P score: A
  • Aantal kamers: 3
  • Aantal badkamers: 1
  • Lopende verkoop
  • Startdatum: 13/01/2026 11:00
  • Einddatum: 21/01/2026 11:00
  • Geen bod: 1000 €
  • Kadastraal inkomen: 161 €
  • Vrij vanaf: Onmiddellijk
  • BOONE & DE JAEGER
  • Contactpersoon: Linde BAEKE
  • Tel: (09) 377.23.70
  • Email: linde@boone-dejaeger.be
  • Bezoekgegevens
  • De sleutels van de woning zijn op te halen op het kantoor van notarissen Boone & De Jaeger te 9900 Eeklo, Oostveldstraat 1A na voorafgaandelijk telefonisch contact (09/218.96.65)

Huizen

57 Goormansstraat, 2242 Pulderbos

Doe een bod van
250.000 €

Presentatiebeeld van het pand n° 290845
Online openbare verkoop
  • Referentie: 290845
  • Gunstig gelegen. Bestaande uit: inkomhal, leefruimten, bureau, keuken, badkamer, 2 stallen, nachthall, 3 slaapkamers, berging. Gelegen in woongebied met achterliggend agrarisch gebied vlakbij het centrum van Zandhoven/Pulderbos. Wg, Gvg, Gmo, Gvkr, Gvv. Renovatieplicht. BEZOEK: op zaterdag van 14u-16u vanaf zaterdag 20/12 tem zaterdag 17/1. G score: A P score: A
  • Aantal kamers: 3
  • Aantal badkamers: 1
  • Lopende verkoop
  • Startdatum: 12/01/2026 12:00
  • Einddatum: 20/01/2026 12:00
  • Geen bod: 1000 €
  • Kadastraal inkomen: 518 €
  • Vrij vanaf: Bij de akte
  • Michoel, Bremans & Hens, notarissen
  • Contactpersoon: Gerttjan PEETERS
  • Tel: (03) 340.20.39
  • Email: info@notaris-michoel.be
  • Bezoekgegevens
  • op zaterdag van 14u-16u vanaf zaterdag 20/12 tem zaterdag 17/1.

Gronden

57+ Goormansstraat, 2242 Pulderbos

Doe een bod van
150.000 €

Presentatiebeeld van het pand n° 290846
Online openbare verkoop
  • Referentie: 290846
  • Voor open bebouwing. Gelegen rechts naast Goormansstraat 57. Belast met een erfdienstbaarheid in voordeel van Fluvius voor hoogspanningscabine. Wg, Gvg, Gmo, Gvkr, Vv. BEZOEK: vrij te bezoeken - op eigen risico. P score: A
  • Lopende verkoop
  • Startdatum: 12/01/2026 13:00
  • Einddatum: 20/01/2026 13:00
  • Geen bod: 1000 €
  • Vrij vanaf: Bij de akte
  • Michoel, Bremans & Hens, notarissen
  • Contactpersoon: Gerttjan PEETERS
  • Tel: (03) 340.20.39
  • Email: info@notaris-michoel.be
  • Bezoekgegevens
  • vrij te bezoeken - op eigen risico

Gronden

57++ Goormansstraat, 2242 Pulderbos

Doe een bod van
150.000 €

Presentatiebeeld van het pand n° 290847
Online openbare verkoop
  • Referentie: 290847
  • Voor open bebouwing. Gelegen rechts naast kavel 1. Wg, Gvg, Gmo, Gvkr, Vv. BEZOEK: vrij te bezoeken - op eigen risico P score: A
  • Lopende verkoop
  • Startdatum: 12/01/2026 14:00
  • Einddatum: 20/01/2026 14:00
  • Geen bod: 1000 €
  • Vrij vanaf: Bij de akte
  • Michoel, Bremans & Hens, notarissen
  • Contactpersoon: Gerttjan PEETERS
  • Tel: (03) 340.20.39
  • Email: info@notaris-michoel.be
  • Bezoekgegevens
  • vrij te bezoeken - op eigen risico

Huizen

9 Rue des Combattants, 6690 Vielsalm

Doe een bod van
256.000 €

Presentatiebeeld van het pand n° 290861
Uit de hand
  • Referentie: 290861
  • Proche du centre de Vielsalm, ensemble immobilier comprenant deux maisons à rénover situées à proximité des commodités. La maison (3 façades) située rue des Combattants n°9 dispose en son rez-de-chaussée d'un espace salon, d'une salle à manger, d'une cuisine équipée et d'un espace buanderie avec WC. Le premier étage offre un hall de nuit, 4 chambres et une salle de bains. Le second niveau offre plusieurs greniers aménageables. Ce bien dispose également d'un garage. La maison (2 façades) située rue des Combattants n°11 dispose en son rez-de-chaussée d'un espace salon, salle à manger, d'une cuisine équipée, d'un grand espace atelier accessible depuis l'extérieur et d'une véranda chauffée. Le premier étage offre 3 chambres et une salle de bains. Le second niveau offre un hall de nuit, deux chambres supplémentaires et une seconde salle de bains. Présence de caves. Ces biens disposent aussi d'un jardin (en zone d'habitat) à l'arrière des deux habitations qui donne accès à la rue Jules Bary.
  • Aantal kamers: 9
  • Oppervlakte van het woongedeelte: 412m2
  • Aantal badkamers: 3
  • Kadastraal inkomen: 1816 €
  • Vrij vanaf: Bij de akte
  • Pierre COTTIN & Caroline MONSEUR - Société Notariale
  • Contactpersoon: Lisa FRANSOLET
  • Tel: (080) 41.01.84
  • Email: lisa.fransolet.129486@belnot.be

Gronden

Antwerpsesteenweg, 9040 Sint-Amandsberg

Doe een bod van
250.000 €

Presentatiebeeld van het pand n° 290866
Uit de hand
  • Referentie: 290866
  • PERCEEL GROND P score: B
  • Kadastraal inkomen: 2 €
  • Vrij vanaf: Onmiddellijk
  • Notaris Bart Hutsebaut
  • Contactpersoon: Catherine DE BRUYNE
  • Tel: (09) 348.23.67
  • Email: catherine.debruyne.131300@belnot.be
  • Bezoekgegevens
  • Kan vrij bezocht worden op eigen risico en verantwoordelijkheid. U dient zich hiervoor NIET voorafgaandelijk in te schrijven en/of aan te melden

Gronden

Rue du Neuf Novembre, 7040 Quévy

Doe een bod van
95.500 €

Presentatiebeeld van het pand n° 261559
Uit de hand
  • Referentie: 261559
  • Terrains à bâtir sis à Quévy-le-Petit : - sis rue du Neuf Novembre, cadastré section B numéro 0223CP0000, d'une superficie de 10 ares 44 centiares : faire offre à partir de 90 000 € - sis rue du Neuf Novembre, cadastré section B numéro 0223EP0000, d'une superficie de 10 ares 45 centiares : faire offre à partir de 90 000 € - sis rue Binot, cadastré section B numéro 223KP0000, d'une superficie de 11 ares 9 centiares : faire offre à partir de 95 500 €
  • Kadastraal inkomen: 12 €
  • Vrij vanaf: Te bepalen
  • NOTAGO, société notariale
  • Contactpersoon: Isabelle ZICOT
  • Tel: (065) 35.20.03
  • Email: isabelle.zicot.131094@belnot.be
  • Bezoekgegevens
  • Sur place

Garage

29 Merode-Center, 2300 Turnhout

Doe een bod van
17.000 €

Presentatiebeeld van het pand n° 290870
Uit de hand
  • Referentie: 290870
  • Ondergrondse garagebox in Merodecenter Turnhout, in de tweede ondergrond, gemerkt 101 G score: D P score: D
  • Kadastraal inkomen: 72 €
  • Vrij vanaf: Bij de akte
  • NOTURA - Segers, Eyskens en Luyten
  • Contactpersoon: Annelies VAN BEURDEN
  • Tel: (014) 42.51.51
  • Email: annelies.vanbeurden.132316@belnot.be

Gronden

142+ Molenheide, 2242 Pulderbos

Doe een bod van
53.000 €

Presentatiebeeld van het pand n° 290853
Online openbare verkoop
  • Referentie: 290853
  • Goed bereikbaar. Lwag, Gvg, Gmo, Gvkr, Gvv. BEZOEK: Vrij te bezichtigen - op eigen risico P score: B
  • Lopende verkoop
  • Startdatum: 13/01/2026 13:00
  • Einddatum: 21/01/2026 13:00
  • Geen bod: 1000 €
  • Vrij vanaf: Bij de akte
  • Michoel, Bremans & Hens, notarissen
  • Contactpersoon: Kantoor Not. Michoel, Bremans & Hens
  • Tel: (03) 314.51.77
  • Email: info@notaris-michoel.be
  • Bezoekgegevens
  • Vrij te bezichtigen - op eigen risico

Gronden

Antwerpsesteenweg, 9040 Sint-Amandsberg

Doe een bod van
200.000 €

Presentatiebeeld van het pand n° 290864
Uit de hand
  • Referentie: 290864
  • PERCEEL GROND P score: B
  • Kadastraal inkomen: 1 €
  • Vrij vanaf: Onmiddellijk
  • Notaris Bart Hutsebaut
  • Contactpersoon: Catherine DE BRUYNE
  • Tel: (09) 348.23.67
  • Email: catherine.debruyne.131300@belnot.be
  • Bezoekgegevens
  • Kan vrij bezocht worden op eigen risico en verantwoordelijkheid. U dient zich hiervoor NIET voorafgaandelijk in te schrijven en/of aan te melden

Huizen

230 Westkerkestraat, 8480 Eernegem

Doe een bod van
270.000 €

Presentatiebeeld van het pand n° 290835
Online openbare verkoop
  • Referentie: 290835
  • Woonhuis aan de rand van het centrum van Eernegem, met landelijk uitzicht. Recent gerenoveerd. In nabijheid van openbaar vervoer, scholen en winkels. Omvattende op het Gelijkvl.: living, keuken, wc, badkamer, garage; op de Verdieping: 4 slaapkamers en nachthal; bergplaats in bijgebouw. Oostgerichte tuin. Zadeldak en deels plat dak (boven de keuken). Verwarming met pelletkachel. Nieuwe PVC ramen met dubbel glas. Alle nutsvoorzieningen aanwezig. Regenput. Perceelopp.: 235 m². KI: 329 €. Gvg, Wg, Gmo, Gvv, Gvkr. EPC: label D (348 kWh/(m² jaar) (geen renovatieplicht). Overstromingsgevoeligheid: perceelscore: B (kleine kans op overstromingen onder klimaatverandering) en gebouwscore: A (geen overstroming gemodelleerd). Bezoekregeling: op afspraak met het notariskantoor. G score: A P score: B
  • Aantal kamers: 4
  • Oppervlakte van het woongedeelte: 120m2
  • Aantal badkamers: 1
  • Lopende verkoop
  • Startdatum: 04/01/2026 13:00
  • Einddatum: 12/01/2026 13:00
  • Geen bod: 1000 €
  • Kadastraal inkomen: 329 €
  • Vrij vanaf: Bij de akte
  • BOEDTS Joris
  • Contactpersoon: Joris BOEDTS
  • Tel: (059) 29.92.40
  • Email: joris.boedts@belnot.be
  • Bezoekgegevens
  • op afspraak met het notariskantoor

Huizen

31 Rue du Château le Duc, 6833 Ucimont

Doe een bod van
175.000 €

Presentatiebeeld van het pand n° 290683
Uit de hand
  • Referentie: 290683
  • Mooi rustig gelegen vakantieverblijf te Ucimont met twee slaapkamers en grote zonnige tuin
  • Aantal kamers: 2
  • Aantal badkamers: 1
  • Kadastraal inkomen: 309 €
  • Vrij vanaf: Bij de akte
  • NOTARIS OLIVIER MAEYENS
  • Contactpersoon: Jill DE SAEGER
  • Tel: (03) 889.27.89
  • Email: jill.desaeger.100487@belnot.be

Huizen

46 Avenue Joseph Wauters, 7080 Frameries

Doe een bod van
95.000 €

Presentatiebeeld van het pand n° 290878
Uit de hand
  • Referentie: 290878
  • Maison de rangée proche du centre ville et des commerce. Le bien est à restaurer et comprend: salon, salle à manger, cuisine, salle de bains, cave, jardin et cour. Chauffage par foyer gaz. Simple vitrage avec volets en bas, double vitrage pvc à l'étage. Toiture bien isolée.
  • Aantal kamers: 2
  • Aantal badkamers: 1
  • Kadastraal inkomen: 319 €
  • Vrij vanaf: Bij de akte
  • ETUDE RAUCENT
  • Contactpersoon: Joëlle BERLEMONT
  • Tel: (065) 61.08.50
  • Email: joelle.berlemont.130252@belnot.be
  • Bezoekgegevens
  • Prendre RDV en l'étude

Huizen

42 Rue de l'Hôtel Communal, 4460 Grâce-Hollogne

Doe een bod van
270.000 €

Presentatiebeeld van het pand n° 288511
Uit de hand
  • Referentie: 288511
  • La vente porte sur l'immeuble suivant: Une maison de commerce et d'habitation située à Grâce-Hollogne, composée comme suit : - Sous-sol: caves carrelées (citerne à mazout (moins de 3.000 litres + chaudière); - Rez-de-chaussée commercial (friterie) - terrain à l'arrière uniquement accessible par le commerce et donnant sur la rue Golet; - Premier et deuxième étage (appartement): 1 cuisine équipée, 1 salon, 1 salle à manger, 2 wc, 2 chambres, 1 salle de bain et 1 buanderie. Châssis double vitrage en bois dans l'appartement. Baie vitrée à l'arrière du commerce en aluminium. Climatisation. Le rez-de-chaussée commercial est actuellement loué 897 €/mois. L'appartement sera libre d'occupation à partir d'avril 2026 (une location est toutefois envisagée par une personne en lien avec le commerce).
  • Aantal kamers: 2
  • Aantal badkamers: 1
  • Kadastraal inkomen: 790 €
  • Vrij vanaf: Andere
  • AEQUALIS NOTAIRES ASSOCIES
  • Contactpersoon: Veronique YERNAUX
  • Tel: (04) 337.15.44
  • Email: veronique.yernaux.460025@belnot.be
  • Bezoekgegevens
  • Prendre contact avec l'étude AEQUALIS NOTAIRES ASSOCIES au 04/337.15.44

Huizen

14 Knokstraat, 9880 Aalter

Doe een bod van
249.000 €

Presentatiebeeld van het pand n° 290883
Uit de hand
  • Referentie: 290883
  • Op te frissen, rustig gelegen woning in de dorpskom van Poeke . Nabij het Kasteel en kasteelpark van Poeke Op 5 min. van E-40 (afrit Aalter). Winkels en alle voorzieningen op 2 km (Lotenhulle) of 4 km (Ruiselede). Deze statige woning omvat o.m.: klassieke centrale gang, ruime leefkamer, voorkamer, keuken, droge kelder. Ruime garage (met automatische poort) met zolder. Grote ommuurde tuin, bijgebouwen, serre. Eerste verdieping: 4-tal slaapkamers, dressing, ruime badkamer. Geïsoleerde zolder. Centrale verwarming op gas G score: A P score: A
  • Aantal kamers: 4
  • Aantal badkamers: 1
  • Kadastraal inkomen: 452 €
  • Vrij vanaf: Bij de akte
  • Notariskantoor Verhaeghe, Baert & Vertriest
  • Contactpersoon: Lauren ROSSEEL
  • Tel: (051) 68.85.20
  • Email: lauren.rosseel.352991@belnot.be

Appartementen

14 Zevendonkplein, 2300 Turnhout

Doe een bod van
210.000 €

Presentatiebeeld van het pand n° 290837
Uit de hand
  • Referentie: 290837
  • Op de 1e verdieping met carport en berging (bouwjaar 2013) Dit gezellige appartement (79m²) is gelegen op de 1ste verdieping en biedt een uitstekende woonomgeving. Het appartement is als volgt ingedeeld: • Inkomhal die leidt naar de verschillende ruimtes • Leefruimte met een aangename eetkamer en een open keuken die voor een moderne en ruime uitstraling zorgt • Badkamer met toilet, lavabo en douche, ideaal voor dagelijks comfort • Slaapkamer, • Extra berging voor handige opbergruimte • Vliegenramen en een aantal rolluiken aanwezig voor extra comfort • Carport en fietsenberging • Lift aanwezig • Maandelijkse kosten: 66,61€ Dit appartement is ideaal voor wie op zoek is naar een praktische en instapklare woning met alle nodige voorzieningen. Interesse? Neem contact op voor meer informatie of een bezichtiging. G score: A P score: B
  • Aantal kamers: 1
  • Oppervlakte van het woongedeelte: 79m2
  • Aantal badkamers: 1
  • Kadastraal inkomen: 826 €
  • Vrij vanaf: Bij de akte
  • NOTURA - Segers, Eyskens en Luyten
  • Contactpersoon: Kantoor Notura - Turnhout
  • Tel: (03) 233.26.33
  • Email: kantoor+turnhout@notura.be
  • Bezoekgegevens
  • Neem contact op voor meer informatie of een bezichtiging.

Huizen

40 Rue Hautem, 7500 Tournai

Doe een bod van
220.000 €

Presentatiebeeld van het pand n° 290843
Uit de hand
  • Referentie: 290843
  • Le rez-de-chaussée propose un hall d’entrée avec escalier apparent et accès direct à la cave, un séjour comprenant salon et salle à manger, une cuisine donnant sur le jardin, une salle de bains ainsi qu’une véranda/buanderie. À l’extérieur, vous profitez d’une terrasse, d’un grand jardin avec 2 remises et d’un garage équipé d’une porte sectionnelle. Le 1er étage se compose de 2 chambres dont une grande. Le 2ème étage aménagé en une belle grande chambre lumineuse et petit grenier. Maison à rénover située sur deux terrains contigus ; le n° 38 (avec garage et jardin), constructible, et le n°40 (maison et jardin) ; offrant de nombreuses possibilités avec chauffage central au mazout, châssis DV avec persiennes, vélux au 2ème étage, … Proche du centre de Tournai et de toutes les commodités (écoles, commerces, cinéma, gare, …)
  • Aantal kamers: 3
  • Aantal badkamers: 1
  • Kadastraal inkomen: 689 €
  • Vrij vanaf: Bij de akte
  • Notaire Philippe DUMON
  • Contactpersoon: Sylvie SEYNAEVE
  • Tel: (056) 33.05.41
  • Email: sylvie.seynaeve.125344@belnot.be
  • Bezoekgegevens
  • Renseignements en Etude

Appartementen

133/135 Edmond Machtenslaan, 1080 Sint-Jans-Molenbeek

Doe een bod van
140.000 €

Presentatiebeeld van het pand n° 289714
Online openbare verkoop
  • Referentie: 289714
  • In een appartementsgebouw « Residentie Windsor », gelegen Edmond Machtenslaan 133-135 : Een appartement nr 11 met veel lichtinval op de 4e verd. rechts, kelder en garage Gelegen in een residentiële wijk, nabij de handelszaken, sportcentra en verschillende parken (Scheutbos, Park Albert en Park Marie-José). Wijk goed bereikbaar met het openbaar vervoer (métro, tram en bus). Omvattende: inkomhal met terras, keuken met toegang tot het terras, 2 slaapk., wc, badkamer, woonkamer (salon en eetkamer) met toegang tot het achterterras, kelder nr 11 en garage nr 22. N.g.k.i. 1.527€. Vrij van gebruik. Woongebied. EPC : C-/143. Contr. elektr. niet conform. Bezoekdagen : maandag 22-29/12/25 en 5/1/26 van 12u30-14u30 en zaterdag 27/12/25 en 3-10/1/26 van 14-16u. Begin biedingen : zondag 04.01.26 om 12u - Einde biedingen : maandag 12.01.26 om 12u - Instelprijs : 140.000€ - Bodverhoging : 1.000€ - Ondertekening akte : donderdag 15.01.26 om 14u - www.biddit.be - Ref. pand : 289714.
  • Aantal kamers: 2
  • Aantal badkamers: 1
  • Lopende verkoop
  • Startdatum: 04/01/2026 12:00
  • Einddatum: 12/01/2026 12:00
  • Geen bod: 1000 €
  • Kadastraal inkomen: 1527 €
  • Vrij vanaf: Bij de akte
  • DAMIEN COLLON - ANTOINE LOGÉ, geassocieerde notarissen
  • Contactpersoon: Ysaline REYNTJENS
  • Tel: (02) 738.73.80
  • Email: ysaline.reyntjens@clnotaires.be
  • Bezoekgegevens
  • maandag 22-29/12/25 en 5/1/26 van 12u30-14u30 en zaterdag 27/12/25 en 3-10/1/26 van 14-16u

Huizen

78 Rue du Mouligneau, 7011 Ghlin

Doe een bod van
200.000 €

Presentatiebeeld van het pand n° 286444
Uit de hand
  • Referentie: 286444
  • Maison de caractère qui se compose au rez-de-chaussée d'un salon, une salle à manger, une cuisine semi-équipée, une buanderie, un WC ainsi qu'une chambre. A l'étage, la maison offre 3 chambres, une salle de douche ainsi qu'un grenier. Le bien est équipé d'un chauffage central gaz. Cette maison présente également un véritable atout pour exercer une profession libérale. Grâce à ses différents accès indépendants, elle permet de recevoir une clientèle en toute discrétion sans empiéter sur l'espace de vie privée. A cet effet, un terrain attenant à la maison offrant un espace supplémentaire notamment pour du stationnement est également mis en vente. A l'extérieur, vous pourrez profiter d'un jardin avec garage et box pour chevaux.
  • Aantal kamers: 4
  • Aantal badkamers: 1
  • Kadastraal inkomen: 1008 €
  • Vrij vanaf: Bij de akte
  • Julien FRANEAU, Notaire
  • Contactpersoon: Nicolas VERHOLLE
  • Tel: (065) 33.52.12
  • Email: nicolas.verholle.106393@belnot.be

Huizen

17 Rue du Hocquet, 1480 Tubize

Doe een bod van
120.000 €

Presentatiebeeld van het pand n° 290182
Online openbare verkoop
  • Referentie: 290182
  • REZ : cuisine équipée de 20m²-véranda de 7m²-séjour de 20m²-wc séparé-cour extérieur avec espace rangement.1er ETAGE : 1 chambre de 18m²-une chambre de 10m²-salle d'eau avec baignoire, douche et wc. 2ème ETAGE : chambre en mezzanine de 15m². Double vitrage et chauffage par air pulsé. Faire offre à partir de 120.000€. Signature du PV d'adjudication le 12/02/2026 à 11h00 en l'étude. Disponible dans les 6 semaines de la signature du PV d'adjudication. VISITES Mr Laurent 0496/066.101!
  • Aantal kamers: 3
  • Lopende verkoop
  • Startdatum: 02/02/2026 14:00
  • Einddatum: 10/02/2026 14:00
  • Geen bod: 2500 €
  • Kadastraal inkomen: 413 €
  • Vrij vanaf: Te bepalen
  • Pierre STERCKMANS & Thi Thuy Mai HONG, Notaires associés
  • Contactpersoon: Vanessa PALERMO
  • Tel: (02) 355.94.99
  • Email: vanessa.palermo.357187@belnot.be
  • Bezoekgegevens
  • Pour les visites, merci de contacter Mr Laurent au 0496/066.101

Gronden

, 5600 Samart

Doe een bod van
260.000 €

Presentatiebeeld van het pand n° 290862
Uit de hand
  • Referentie: 290862
  • Terrains agricoles et chemins cadastrés LIBRES D’OCCUPATION, en lieu-dit Bois de Samart, pour une contenance totale de 8ha 70a 84ca. Ensemble cadastré section B numéros 0075C5 P0000, 0075D14 P0000 et 0075N9 P0000. RC : 361 euros. Faire offre à partir de 260.000 euros (environ 30.000 euros / ha). Renseignements en l’Etude (060 34 40 61, option 4, Madame Lambert).
  • Kadastraal inkomen: 361 €
  • Vrij vanaf: Bij de akte
  • Philippe LAMBINET, notaires associés
  • Contactpersoon: Marie LAMBERT
  • Tel: (060) 34.40.61
  • Email: philippe.lambinet@belnot.be

Gronden

57+++ Goormansstraat, 2242 Pulderbos

Doe een bod van
150.000 €

Presentatiebeeld van het pand n° 290848
Online openbare verkoop
  • Referentie: 290848
  • Voor open bebouwing. Gelegen rechts naast kavel 2. Wg, Gvg, Gmo, Gvkr, Vv. BEZOEK: vrij te bezoeken - op eigen risico P score: A
  • Lopende verkoop
  • Startdatum: 12/01/2026 15:00
  • Einddatum: 20/01/2026 15:00
  • Geen bod: 1000 €
  • Vrij vanaf: Bij de akte
  • Michoel, Bremans & Hens, notarissen
  • Contactpersoon: Gerttjan PEETERS
  • Tel: (03) 340.20.39
  • Email: info@notaris-michoel.be
  • Bezoekgegevens
  • vrij te bezoeken - op eigen risico

Huizen

36 Biezenstraat, 8800 Roeselare

Doe een bod van
195.000 €

Presentatiebeeld van het pand n° 290858
Uit de hand
  • Referentie: 290858
  • Op zoek naar een woning met potentieel voor renovatie? Deze rijwoning, gelegen in een rustige buurt, biedt talloze mogelijkheden om jouw eigen droomhuis te creëren. De woning beschikt over een ruime leefruimte en een gezellige keuken. Ideaal om naar eigen smaak te verbouwen en in te richten. Op de eerste verdieping bevinden zich twee ruime slaapkamers, een kinderkamer en een badkamer. Perfect voor een gezin of als werkruimte. De tuin biedt voldoende ruimte voor ontspanning of om jouw eigen groene oase te creëren. Achteraan bevindt zich een garage met een aparte uitweg, wat extra gemak biedt voor parkeergelegenheid of opslag. Extra’s: De woning heeft een handige voorraadkelder en een apart toilet. G score: A P score: A
  • Aantal kamers: 3
  • Kadastraal inkomen: 547 €
  • Vrij vanaf: Bij de akte
  • dewaele&thomas, geassocieerde notarissen
  • Contactpersoon: Tatiana VERHEYE
  • Tel: (056) 51.32.34
  • Email: dirk.dewaele@belnot.be

Huizen

1258 Chaussée du Roeulx, 7021 Havré

Doe een bod van
147.000 €

Presentatiebeeld van het pand n° 290863
Uit de hand
  • Referentie: 290863
  • FAIRE OFFRE A PARTIR DE 147 000 EUROS Cette maison unifamiliale + 1 garage se compose comme suit : Sous-sol : 1 cave Rez-de-chaussée : grand hall, 3 pièces, cuisine à rénover avec vue sur jardin et wc 1 garage lot 4 accès par la ruelle aux Loups. Etage : 3 chambres + 1 salle de bains à rénover Sous-toiture : grenier aménageable Occupation : Libre à l’acte Observations : Raccordement eau, gaz de ville, égout, télédistribution, pas de chauffage central, convecteurs, châssis simple vitrage, 4 garages via la ruelle aux Loups - 1 vendu avec la maison + 3 garages vendus séparément A Proximité du centre-ville, des commerces et axes autoroutiers. Visites : ACCOMPAGNEES PAR L'ETUDE
  • Aantal kamers: 3
  • Aantal badkamers: 1
  • Kadastraal inkomen: 586 €
  • Vrij vanaf: Bij de akte
  • HAMBYE, Guillaume
  • Contactpersoon: Marie CAMMARATA
  • Tel: (065) 35.12.48
  • Email: marie.cammarata.133009@belnot.be
  • Bezoekgegevens
  • VISITES ACCOMPAGNEES PAR L'ETUDE

Huizen

4 Rue de la Fagne, 5600 Fagnolle

Doe een bod van
177.500 €

Presentatiebeeld van het pand n° 290868
Uit de hand
  • Referentie: 290868
  • Maison de plain-pied situé dans un cadre verdoyant sise rue de la Fagne 4 à 5660 Fagnolle, cadastrée section A numéro 216D d'une superficie de 18ares 50ca comprenant : hall avec wc, séjour :salon-sam, cuisine, sdb, bureau, 2 chambres et veranda. Sous-sol : cave sur toute la superficie de l'immeuble.
  • Aantal kamers: 2
  • Kadastraal inkomen: 510 €
  • Vrij vanaf: Bij de akte
  • Vincent MAILLARD notaire et associés
  • Contactpersoon: Bernadette PONCELET
  • Tel: (060) 21.11.16
  • Email: bernadette.poncelet.129569@belnot.be
  • Bezoekgegevens
  • Sur RDV avec l'Etude

Gronden

57++ Goormansstraat, 2242 Pulderbos

Doe een bod van
53.000 €

Presentatiebeeld van het pand n° 290850
Online openbare verkoop
  • Referentie: 290850
  • Goed bereikbaar. Zijnde Deel B van het plan. Voorwaardelijk belast met erfdienstbaarheid - zie verkoopsvoorwaarden voor details. Lwag, Gvg, Gmo, Gvkr, Gvv. BEZOEK: Vrij te bezichtigen - op eigen risico P score: A
  • Lopende verkoop
  • Startdatum: 13/01/2026 13:00
  • Einddatum: 21/01/2026 13:00
  • Geen bod: 1000 €
  • Vrij vanaf: Bij de akte
  • Michoel, Bremans & Hens, notarissen
  • Contactpersoon: Kantoor Not. Michoel, Bremans & Hens
  • Tel: (03) 314.51.77
  • Email: info@notaris-michoel.be
  • Bezoekgegevens
  • Vrij te bezichtigen - op eigen risico

Gronden

57++ Goormansstraat, 2242 Pulderbos

Doe een bod van
77.000 €

Presentatiebeeld van het pand n° 290851
Online openbare verkoop
  • Referentie: 290851
  • Goed bereikbaar. Zijnde deel C van het plan. Lwag, Gvg, Gmo, Gvkr, Gvv. BEZOEK: Vrij te bezichtigen - op eigen risico P score: D
  • Lopende verkoop
  • Startdatum: 13/01/2026 14:00
  • Einddatum: 21/01/2026 14:00
  • Geen bod: 1000 €
  • Vrij vanaf: Bij de akte
  • Michoel, Bremans & Hens, notarissen
  • Contactpersoon: Kantoor Not. Michoel, Bremans & Hens
  • Tel: (03) 314.51.77
  • Email: info@notaris-michoel.be
  • Bezoekgegevens
  • Vrij te bezichtigen - op eigen risico

Gronden

57+ Goormansstraat, 2242 Pulderbos

Doe een bod van
53.000 €

Presentatiebeeld van het pand n° 290852
Online openbare verkoop
  • Referentie: 290852
  • Goed bereikbaar. Zijnde Deel D van het plan. Lwag, Gvg, Gmo, Gvkr, Gvv. BEZOEK: Vrij te bezichtigen - op eigen risico P score: A
  • Lopende verkoop
  • Startdatum: 13/01/2026 15:00
  • Einddatum: 21/01/2026 15:00
  • Geen bod: 1000 €
  • Vrij vanaf: Bij de akte
  • Michoel, Bremans & Hens, notarissen
  • Contactpersoon: Kantoor Not. Michoel, Bremans & Hens
  • Tel: (03) 314.51.77
  • Email: info@notaris-michoel.be
  • Bezoekgegevens
  • Vrij te bezichtigen - op eigen risico

Gronden

troismont, 6686 Flamierge

Doe een bod van
2.000 €

Presentatiebeeld van het pand n° 290869
Uit de hand
  • Referentie: 290869
  • 2 Bois (taillis) cadastrés Commune de BASTOGNE - 8ème division Flamierge (82010) - section H : numéros 1145P0000 (12a 10ca, 87% en zone forestière et 13% en zone agricole) et 1161P0000 (13a 00ca, 100% en zone forestière). Situés : dans un parc naturel et dans un périmètre d'intérêt paysager. Vente sous régime des droits d'enregistrement. Le prix annoncé est une base de négociation n'engageant pas le vendeur. Les informations sont fournies à titre indicatif et non contractuel.
  • Kadastraal inkomen: 1 €
  • Vrij vanaf: Bij de akte
  • Quentin BOINET - société notariale
  • Contactpersoon: Pascal LIEGEOIS
  • Tel: (061) 21.11.22
  • Email: pascal.liegeois.131656@belnot.be
  • Bezoekgegevens
  • Sur rendez-vous via l'étude (061/21.11.22)

Huizen

21 Rue du Vivier, 4210 Hannêche

Doe een bod van
60.000 €

Presentatiebeeld van het pand n° 290855
Online openbare verkoop
  • Referentie: 290855
  • ?? Maison à rénover avec grand jardin (parcelle 279A), idéalement située en pleine campagne tout en restant proche des commodités. Un cadre parfait pour celles et ceux qui souhaitent créer un intérieur sur mesure . Au rez-de-chaussée, vous trouverez : ?? Un séjour avec cheminée ?? Une salle de douche ??? Une cuisine à équiper selon vos envies ??? Une cave À l’étage : ??? 3 chambres offrant un beau potentiel d’aménagement. ?? Idéal pour un petit budget et pour les amateurs de rénovation prêts à façonner leur futur cocon. ?? Visites uniquement sur rendez-vous avec Monsieur Thibault MATHIEU au 0486/97.87.00
  • Aantal kamers: 3
  • Lopende verkoop
  • Startdatum: 22/01/2026 12:00
  • Einddatum: 30/01/2026 12:00
  • Geen bod: 1000 €
  • Kadastraal inkomen: 267 €
  • Vrij vanaf: Bij de akte
  • David REMY, société notariale
  • Contactpersoon: Emilie ROBAEYS
  • Tel: (081) 83.34.99
  • Email: emilie.robaeys.128462@belnot.be
  • Bezoekgegevens
  • Uniquement sur rendez-vous avec Monsieur Thibault MATHIEU au 0486/97.87.00

Huizen

3 Rue des Mûriers, 7321 Harchies

Doe een bod van
175.000 €

Presentatiebeeld van het pand n° 290860
Uit de hand
  • Referentie: 290860
  • Maison d’habitation 4 façades de style méditerranéen sise à Harchies comprenant : Au rez-de-chaussée : un sas d’entrée, un salon avec feu à pellets et escalier tournant, une salle de bains (w.c, douche, lavabo), une buanderie avec accès extérieur (espace machines), une chambre avant, une salle-à-manger, une cuisine (taque, four, hotte, évier, frigo), un cellier, Au sous-sol : une cave avec boiler/chaudière, À l’étage : une pièce mansardée avec une chambre, et une salle de bains (non raccordée) À l’extérieur : une terrasse avec bar arrière, un petit jardin, un carport à l’avant.
  • Aantal kamers: 2
  • Oppervlakte van het woongedeelte: 155m2
  • Aantal badkamers: 2
  • Kadastraal inkomen: 304 €
  • Vrij vanaf: Bij de akte
  • Pierre-Olivier LOIX & Valentin DELWART, notaires associés
  • Contactpersoon: Bettina CIAPPINA
  • Tel: (069) 22.52.15
  • Email: bettina.ciappina.351226@belnot.be
  • Bezoekgegevens
  • Prendre rendez-vous en l'étude des Notaires Pierre-Olivier LOIX et Valentin DELWART au 069/22.52.15

Huizen

120 Rue des Rivages, 5500 Dinant

Doe een bod van
180.000 €

Presentatiebeeld van het pand n° 290873
Uit de hand
  • Referentie: 290873
  • A Dinant, venez découvrir cette maison de ville divisée en deux appartements en duplex. Le premier appartement se compose d'un séjour, d'une salle de bains et d'une belle chambre avec mezzanine. Le deuxième appartement se compose d'un spacieux séjour, d'une cusine avec coin repas, d'une grande salle de bains et de deux belles chambres. Proche de nombreuses commodités (transports en commun, écoles, magasins, accès à l'autoroute, hopitaux, ...) cette maison a également l'avantage d'avoir une réception électrique conforme et une toiture récente. Venez sans plus attendre visiter cette belle opportunité d'investissement en prenant rendez-vous au 082/21.33.43. Ce bien est mis en vente à une valeur indicative non contractuelle de 180.000,00 euros!
  • Aantal kamers: 3
  • Kadastraal inkomen: 697 €
  • Vrij vanaf: Te bepalen
  • Véronique DOLPIRE & Mélanie BRACK, Notaires associés
  • Contactpersoon: Mathilde PAQUET
  • Tel: (082) 22.21.15
  • Email: mathilde.paquet.132464@belnot.be
  • Bezoekgegevens
  • Visites réalisées sur rendez-vous au 082/21.33.43.

Appartementen

9 Ter Heydelaan, 2100 Deurne

Doe een bod van
115.000 €

Presentatiebeeld van het pand n° 290881
Online openbare verkoop
  • Referentie: 290881
  • Met hall/vestiaire, living, keuken, badkamer, toilet, grote en kleine slaapkamer met terras en berging in kelder. Wg, Vg, Gmo, Gvkr, Gvv. BEZOEK: elke zaterdag van 10u-12u vanaf 10/1 tem toewijs. G score: B P score: B
  • Aantal kamers: 2
  • Aantal badkamers: 1
  • Lopende verkoop
  • Startdatum: 27/01/2026 13:00
  • Einddatum: 04/02/2026 13:00
  • Geen bod: 1000 €
  • Kadastraal inkomen: 743 €
  • Vrij vanaf: Bij de akte
  • Notacampina
  • Contactpersoon: Michel LESSELIERS
  • Tel: (014) 81.29.52
  • Email: info@notacampina.be
  • Bezoekgegevens
  • elke zaterdag van 10u-12u vanaf 10/1 tem toewijs.

Gronden

Chaussée de Warneton, 7784 Neerwaasten

Doe een bod van
202.800 €

Presentatiebeeld van het pand n° 290756
Uit de hand
  • Referentie: 290756
  • Bouwgrond opgenomen onder Lot 2 van het bijgevoegde plan. 150 €/m² Totale oppervlakte van het perceel: 1.352 m². Stedenbouwkundig attest type 2 aanwezig op het kantoor
  • Vrij vanaf: Bij de akte
  • Thevelin & Feys, geassocieerde notarissen
  • Contactpersoon: Karel FEYS Notaris
  • Tel: (057) 44.51.51
  • Email: info@notarismesen.be

Appartementen

18 Rue du Pont des Ardennes, 5100 Jambes

Doe een bod van
330.000 €

Presentatiebeeld van het pand n° 290797
Uit de hand
  • Referentie: 290797
  • Spacieux, lumineux et plein de charme, cet appartement de coin séduit dès l’entrée par sa luminosité et son beau parquet en chêne et son énorme potentiel. Une véritable opportunité pour ceux qui cherchent un grand espace à personnaliser dans un cadre agréable et pratique proche de tout. Ce qu’il propose : • 3 chambres confortables au 1er étage • Bel espace de vie lumineux avec terrasse orientée plein sud • Cuisine meublée donnant sur une seconde terrasse • Salle de bains • Garage spacieux + cave de rangement • 5? étage aménagé avec 2 chambres / bureaux supplémentaires et grenier de stockage • Parquet en chêne massif apportant chaleur et authenticité • Copropriété à taille humaine et bien entretenue À savoir : • Appartement à remettre au goût du jour, mais structurellement sain et plein de potentiel • Convient aussi bien pour une famille que pour un investissement • Volumes généreux et belle luminosité grâce à sa position de coin ?? Infos & visites : Maxime – 0473822365 ? Un grand appartement avec du cachet, une vue d’exception et une belle histoire à poursuivre.
  • Aantal kamers: 5
  • Kadastraal inkomen: 1275 €
  • Vrij vanaf: Bij de akte
  • WATILLON-HAMES, société notariale
  • Contactpersoon: Clément LÉONARD
  • Tel: (081) 22.91.23
  • Email: clement.leonard.214659@belnot.be
  • Bezoekgegevens
  • ?? Infos & visites : Maxime – 0473822365

Huizen

5 Sint Janstraat, 8920 Bikschote

Doe een bod van
130.000 €

Presentatiebeeld van het pand n° 290477
Uit de hand
  • Referentie: 290477
  • Te renoveren. Indeling: overloop; kelder; gelijkvloers: inkomhal, WC, zithoek + eethoek, keuken, trap, keldertrap, doorgang; bijgebouw: berging; 1e verdieping: overloop, 3 slaapkamers, badkamer (in opbouw); niet ingerichte zolder via luik. Dubbele beglazing en ramen en voordeur in PVC - voorzien van rolluiken. Verwarming: kolenkachel en CV op aardgas. G score: A P score: A
  • Aantal kamers: 3
  • Aantal badkamers: 1
  • Kadastraal inkomen: 233 €
  • Vrij vanaf: Bij de akte
  • Notaris Ellen Vanslambrouck
  • Contactpersoon: Ann STRUYE
  • Tel: (057) 48.91.41
  • Email: ann.struye.112656@belnot.be

Huizen

11 Rue de Sirieu, 7062 Naast

Doe een bod van
90.000 €

Presentatiebeeld van het pand n° 290746
Uit de hand
  • Referentie: 290746
  • Maison louée 200€/mois Sous-sol : Cave Rez-de-chaussée : Salon - Salle à manger - Cuisine non équipée - Salle de bain (Baignoire, lavabo simple) - WC séparé Etage : Une chambre Sous les combles : Grenier Dépendances : Remise - Jardin - Espace de parking latéral Commodités : Egout - Eau de ville - Electricité - Téléphone - Télédistribution - Châssis en bois - Simple vitrage - Un poêle à bois Parcelle non soumise à des obligations au regard du Décret Sols
  • Aantal kamers: 1
  • Kadastraal inkomen: 219 €
  • Vrij vanaf: Bij de akte
  • A&D SABIAU, notaires associés
  • Contactpersoon: Catherine LIÉNARD
  • Tel: (067) 44.28.13
  • Email: cl@sabiau.be

Handelspanden

134+ Brusselsesteenweg, 9280 Lebbeke

Doe een bod van
289.000 €

Presentatiebeeld van het pand n° 290805
Online openbare verkoop
  • Referentie: 290805
  • Een perceel grond (kadastraal gekend als werkplaats), in een "Zone voor wonen Brusselsesteenweg-centraal" met magazijn, sectie B, nr 348B4 P0000, oppervlakte 4a 64ca. Geen voorkooprecht. Geen erfgoed. Blanco bodemattest. P- & G score: A. Asbestattest beschikbaar. EPC attest niet van toepassing. "Zoals voormeld OG omschreven staat in de verkoopsvoorwaarden getekend door notaris Florence Deforce op Biddit” G score: A P score: A
  • Lopende verkoop
  • Startdatum: 19/01/2026 14:00
  • Einddatum: 27/01/2026 14:00
  • Geen bod: 1000 €
  • Kadastraal inkomen: 352 €
  • Vrij vanaf: Bij de akte
  • NOTARIS FLORENCE DEFORCE
  • Contactpersoon: Roselien DERMAUX
  • Tel: (053) 80.52.07
  • Email: florence.deforce@notarisdeforce.be
  • Bezoekgegevens
  • na telefonisch contact met het kantoor van de notaris

Huizen

41 Chaussée Moncheur, 5300 Andenne

Doe een bod van
75.000 €

Presentatiebeeld van het pand n° 290806
Uit de hand
  • Referentie: 290806
  • Située à proximité directe des commerces et facilités, cette maison en cours de rénovation offre une excellente base pour un projet personnalisé. La structure est déjà bien avancée, notamment grâce au plancher en poutrains-claveaux, permettant un aménagement solide et durable. Avec 128 m² aménageables, plusieurs pièces à restructurer et un jardin à remettre en valeur, cette maison représente une opportunité idéale pour les rénovateurs, investisseurs ou amateurs de projets sur mesure. Vous trouverez également : • Deux annexes de 6,5 m² chacune • Une annexe supplémentaire de 15 m² (atelier, stockage, hobby…) • Une cave de rangement pratique • Un extérieur pouvant redevenir un jardin agréable Le bien demande des travaux importants, mais la base est saine et offre de multiples possibilités pour y créer un lieu de vie moderne et confortable. ?? À deux pas des commerces – accès facile – environnement pratique ?? Infos & visites : Matthieu – 0479/47.29.05
  • Aantal kamers: 2
  • Aantal badkamers: 1
  • Vrij vanaf: Bij de akte
  • Christophe MICHAUX, société notariale
  • Contactpersoon: Christophe MICHAUX
  • Tel: (081) 22.03.84
  • Email: christophe.michaux@belnot.be
  • Bezoekgegevens
  • ?? Infos & visites : Matthieu – 0479/47.29.05

Gronden

Rue du poilu, 1300 Wavre

Doe een bod van
556.200 €

Presentatiebeeld van het pand n° 290804
Uit de hand
  • Referentie: 290804
  • A proximité du Parc de l'Europe, du centre ville et de ses facilités, magnifique parcelle de terrain de 41.20 ares située en zone d'habitat. Cadastre: 3ième Division Section D 0142MP0000. Terrain accessible par la rue du Poilu. Documents complémentaires disponibles et téléchargeables sur le site www.biddit.be. Vente de gré à gré.
  • Kadastraal inkomen: 20 €
  • Vrij vanaf: Bij de akte
  • Jean-Frédéric VIGNERON & Laurent VIGNERON-Notaires associés
  • Contactpersoon: Charlotte BARDIAU
  • Tel: (010) 84.44.54
  • Email: charlotte.bardiau.350759@belnot.be

Huizen

35 Rue Francois-Jean Piessevaux, 6762 Saint-Mard

Doe een bod van
270.000 €

Presentatiebeeld van het pand n° 290807
Uit de hand
  • Referentie: 290807
  • 2 destinations possibles pour ce bien : Vaste maison d’habitation ou possibilité de créer 2 logements distincts moyennant permis d’urbanisme préalable. COMPRENANT : AU SOUS-SOL : 2 caves AU REZ-DE-CHAUSSÉE : couloir, WC, buanderie – chaufferie, cuisine équipée avec coin à manger, vaste salon-salle à manger, living (possibilité de créer une chambre avec dressing), salle de bains, garage avec espace de stockage en mezzanine AU 1 ER ÉTAGE : 2 chambres, salon ou possibilité de créer une 3ème chambre, cuisine équipée, salle de bains avec WC, grande terrasse. SOUS-TOIT : grenier sur dalle accessible via un escalier escamotable. Châssis PVC imitation bois double vitrage. Chauffage central au mazout – électricité conforme Proximité des grands axes, des écoles et commerces. Contenance totale de deux ares vingt centiares (2a 20ca) - R.C : 627 PEB N° 20230311012045 – Classe E (pour le rez-de-chaussée) PEB N°20230311012226 – Classe F (pour le premier étage)
  • Aantal kamers: 4
  • Aantal badkamers: 2
  • Kadastraal inkomen: 627 €
  • Vrij vanaf: Bij de akte
  • Nicolas PEIFFER - Société notariale
  • Contactpersoon: Lara DEFOSSÉ
  • Tel: (063) 38.83.30
  • Email: info@notairepeiffer.be
  • Bezoekgegevens
  • Renseignements et visites, s’adresser en l’Etude du notaire Nicolas PEIFFER à Aubange.

Huizen

8 Jardin-de-Bruges, 6600 Bastogne

Doe een bod van
220.000 €

Presentatiebeeld van het pand n° 290808
Uit de hand
  • Referentie: 290808
  • Belle opportunité à saisir ! Située dans un quartier calme et résidentiel, à quelques minutes du centre-ville de Bastogne et de toutes les commodités (commerces, écoles, administrations…), cette agréable maison 3 façades offre un excellent confort de vie ainsi qu’un accès aisé aux grands axes routiers, bénéficiant d’un petit jardin (sur et avec 01a57ca) et d’une réserve attenante à la maison. Composition du bien Sous-sol : • Caves sur toute la surface de la maison • Garage avec accès direct depuis l’extérieur (porte de garage sectionnelle électrique) Rez-de-chaussée : • Hall d’entrée • WC séparé • Salon – salle à manger lumineux • Cuisine équipée • Véranda donnant sur l’arrière 1er étage : • 3 chambres • 1 salle de bain • 1 salle de douche avec WC et évier (2 points d'eau au total) 2e étage : • Grenier accessible via un escalier escamotable (espace rangement) Confort & équipements • Chauffage central au mazout - Radiateurs dans toutes les pièces • Électricité triphasée • Commande pour l’ouverture automatique de la porte d’entrée avec caméra • Châssis PVC double vitrage (2008) • Volets électriques partout excepté dans la véranda • Béton entre les étages Atout financier Possibilité de bénéficier de la réduction des droits d’enregistrement à 3 % (sous conditions). Une maison fonctionnelle, bien située et pleine de potentiel. À visiter sans tarder ! PRIX : Faire offre à partir de 220.000 € (prix indicatif n’engageant pas le vendeur). N'hésitez pas à nous contacter pour plus d’informations ou pour planifier une visite. Tel. 061/415.205 Etude TONDEUR - 6600 BASTOGNE, rue de Neufchâteau, 39.
  • Aantal kamers: 3
  • Aantal badkamers: 2
  • Kadastraal inkomen: 718 €
  • Vrij vanaf: Bij de akte
  • Joël et Manon TONDEUR, notaires associés
  • Contactpersoon: Virginie HAAN
  • Tel: (061) 41.52.05
  • Email: virginie.haan.128108@belnot.be

Huizen

10 Rue du Domaine de Waroux, 4340 Awans

Doe een bod van
350.000 €

Presentatiebeeld van het pand n° 290785
Uit de hand
  • Referentie: 290785
  • Villa 4 façades avec jardin à rafraichir bénéficiant d’une surface habitable selon PEB de 192m2. La maison se compose comme suit : au rez de chaussée, un hall, un salon, une salle à manger, une cuisine, une arrière-cuisine, une véranda, un WC, un couloir - au premier étage, une salle de bain, quatre chambres (dont trois petites). Le bien dispose d’un garage situé dans le fond du jardin, d’une citerne à eau de pluie, de caves (sous toute la surface), de châssis en PVC double vitrage avec volets électriques au rez et d’un chauffage central au mazout. Contrôle installation électrique non conforme, certificat PEB E (424 kWh/m2.an), revenu cadastral 1.301 €.
  • Aantal kamers: 4
  • Kadastraal inkomen: 1301 €
  • Vrij vanaf: Bij de akte
  • Françoise WERA, Candice COLLARD, Didier TIMMERMANS, notaires associés
  • Contactpersoon: Camille LERUTH
  • Tel: (04) 247.53.39
  • Email: camille.leruth.352894@belnot.be

Huizen

20 Blinde-Rodenbachstraat, 8800 Rumbeke

Doe een bod van
160.000 €

Presentatiebeeld van het pand n° 290818
Uit de hand
  • Referentie: 290818
  • Deze te renoveren woning ligt in het centrum van Rumbeke dichtbij supermarkten, bakkerij, slager en scholen,... . De woning bestaat uit een gelijksvloer met een inkomhal, living, mooi ingerichte keuken met natuurstenen keukenblad, een badkamer met bad en toilet en een berging. De woning heeft een kelder. Op de eerste verdieping bevinden zich een grote slaapkamer en een kleine slaapkamer alsook een vaste trap naar de zolder. Bij de zolder is er de mogelijkheid om 2 grote slaapkamer bij te maken. Er is een grote zonnige tuin aanwezig met een tuinhuis en een vogelkooi. Alle ramen zijn dubbelglas en in PVC met uitzondering van deze in de kelder waar dit een houten raam is met enkel glas. G score: C P score: C
  • Aantal kamers: 2
  • Aantal badkamers: 1
  • Kadastraal inkomen: 292 €
  • Vrij vanaf: Bij de akte
  • THIERY Axelle, notarisvennootschap
  • Contactpersoon: Bo HOLVOET
  • Tel: (051) 26.02.92
  • Email: bo@notaristhiery.be

Huizen

1 Veerkouterstraat, 9700 Eine

Doe een bod van
550.000 €

Presentatiebeeld van het pand n° 290820
Uit de hand
  • Referentie: 290820
  • Prachtig gelegen hoeve op het einde van een onbebouwde doodlopende straat. De hoeve is te renoveren met behoud van de erfgoedwaarde (vastgesteld bouwkundig erfgoed). G score: D P score: D
  • Aantal kamers: 3
  • Aantal badkamers: 1
  • Kadastraal inkomen: 713 €
  • Vrij vanaf: Onmiddellijk
  • NOTARIS LIESBETH MATTHYS
  • Contactpersoon: Kantoor Not. Liesbeth Matthys
  • Tel: (09) 383.52.55
  • Email: liesbethmatthys@notariaatmatthys.be

Gronden

Groeshoeve, 2560 Kessel

Doe een bod van
135.000 €

Presentatiebeeld van het pand n° 290819
Uit de hand
  • Referentie: 290819
  • Twee percelen bouwgrond gelegen Groeshoeve te Nijlen, derde afd., Kessel. Lot 2 (sectie A, nummer 274P2 P0000): opp. 234,78 m², met een vraagprijs van 135.000,00 euro Lot 3 (sectie A, nummer 274R2 P0000): opp. 555,39 m², met een vraagprijs van 175.000,00 euro P score: A
  • Kadastraal inkomen: 1 €
  • Vrij vanaf: Bij de akte
  • Notaris Karl Van Kerkhoven
  • Contactpersoon: Natalie VAN LAER
  • Tel: (03) 485.79.37
  • Email: natalie.vanlaer.353162@belnot.be

Huizen

5 Rue de l'Equipée, 7181 Arquennes

Doe een bod van
185.000 €

Presentatiebeeld van het pand n° 290817
Uit de hand
  • Referentie: 290817
  • Prix : Faire offre à partir de 185.000€ Située à Arquennes, cette maison mitoyenne pleine de charme séduit par ses volumes bien agencés et son ambiance conviviale. Le salon cosy et le séjour aux murs en briques apparentes s’ouvrent sur une cuisine équipée moderne, prolongée par une véranda lumineuse offrant une vue agréable sur le jardin. Les quatre chambres, dont une mansardée, offrent un bon confort. La salle de bains et la cuisine, toutes deux contemporaines, renforcent l’attrait du bien. A l’extérieur, le jardin accueille une grande terrasse et un agréable espace détente ainsi qu'une remise pratique. Proche des commodités et de l’autoroute, cette habitation conjugue confort et modernité. Pour en savoir plus sur ce bien, visitez www.notairedemolin.net : vous y trouverez tous les documents utiles. Pour plus d'informations ou pour organiser une visite, contactez l'Etude du Notaire Demolin au 064/54.10.30.
  • Aantal kamers: 4
  • Oppervlakte van het woongedeelte: 100m2
  • Aantal badkamers: 1
  • Kadastraal inkomen: 366 €
  • Vrij vanaf: Bij de akte
  • NICOLAS DEMOLIN, NOTAIRE
  • Contactpersoon: Samir LAICHE
  • Tel: (064) 54.10.30
  • Email: samir.laiche.109462@belnot.be
  • Bezoekgegevens
  • Le bien vendu pourra être visité par les candidats-acquéreurs sur rendez-vous en contactant le secrétariat de l'étude du Notaire Nicolas Demolin au 064/54.10.30.

Huizen

6 Rue Neuve, 7070 Le Roeulx

Doe een bod van
110.000 €

Presentatiebeeld van het pand n° 290823
Uit de hand
  • Referentie: 290823
  • Belle maison de ville en cours de rénovation avec cour-jardin sur et avec 60ca – RC : 290 € - Comprenant : 2 pièces bas, 2 pièces au 1er, et grenier aménageable et cave
  • Aantal kamers: 2
  • Kadastraal inkomen: 290 €
  • Vrij vanaf: Bij de akte
  • NOTAIRES Frédéric et Antoine DEBOUCHE
  • Contactpersoon: Frédéric DEBOUCHE
  • Tel: (064) 66.20.39
  • Email: frederic.debouche@belnot.be
  • Bezoekgegevens
  • Clef en l'étude sur rdv

Handelspanden

49 Schotensesteenweg, 2100 Deurne

Doe een bod van
300.000 €

Presentatiebeeld van het pand n° 290828
Online openbare verkoop
  • Referentie: 290828
  • Volgens actueel kadaster en volgens titel een handelshuis met 4 appartementen en garage. Met 10 slaapkamers, 6 badkamers en 6 toiletten. Wg, Gvg, Gmo, Gvkr, Gvv. BEZOEK: op woensdag 15/1, 21/1 van 14u-15u30 en op zaterdag 17/1, 24/1 van 14u-15u30. G score: D P score: D
  • Aantal badkamers: 6
  • Lopende verkoop
  • Startdatum: 21/01/2026 14:00
  • Einddatum: 29/01/2026 14:00
  • Geen bod: 1000 €
  • Kadastraal inkomen: 3039 €
  • Vrij vanaf: Bij de akte
  • Notaris Natacha Stoop
  • Contactpersoon: Kantoor Not. Natacha Stoop
  • Tel: (03) 232.30.58
  • Email: info@notariaat-stoop.be
  • Bezoekgegevens
  • op woensdag 15/1, 21/1 van 14u-15u30 en op zaterdag 17/1, 24/1 van 14u-15u30.

Huizen

125 Provinciestraat, 2018 Antwerpen

Doe een bod van
75.000 €

Presentatiebeeld van het pand n° 290832
Online openbare verkoop
  • Referentie: 290832
  • Met 4 slaapkamers, 4 badkamers en 4 toiletten. Wg, Gvg, Gmo, Gvkr, Gvv. Renovatieplicht. BEZOEK: na afspr. met het notariskantoor. De bezoekers worden erop gewezen dat het betreden van het eigendom op eigen risico geschiedt. G score: D P score: D
  • Aantal kamers: 4
  • Oppervlakte van het woongedeelte: 127m2
  • Aantal badkamers: 4
  • Lopende verkoop
  • Startdatum: 14/01/2026 14:00
  • Einddatum: 22/01/2026 14:00
  • Geen bod: 1000 €
  • Kadastraal inkomen: 418 €
  • Vrij vanaf: Bij de akte
  • Notaris Natacha Stoop
  • Contactpersoon: Kantoor Not. Natacha Stoop
  • Tel: (03) 232.30.58
  • Email: info@notariaat-stoop.be
  • Bezoekgegevens
  • na afspr. met het notariskantoor. De bezoekers worden erop gewezen dat het betreden van het eigendom op eigen risico geschiedt.

Gronden

66, 68 & 68+ Zonnestraat, 9450 Haaltert

Doe een bod van
493.000 €

Presentatiebeeld van het pand n° 290759
Online openbare verkoop
  • Referentie: 290759
  • Een geheel van percelen thans in gebruik als terrein voor stacaravans met accomodaties te Haaltert (Denderhoutem), Zonnestraat 66-68-68+.
  • Lopende verkoop
  • Startdatum: 19/01/2026 14:00
  • Einddatum: 27/01/2026 14:00
  • Geen bod: 1000 €
  • Vrij vanaf: Bij de akte
  • Caudron, Herzeel & Breckpot, geassocieerde notarissen
  • Contactpersoon: Kantoor Not. Caudron, Herzeel & Breckpot
  • Tel: (053) 21.11.05
  • Email: frederic.caudron@belnot.be
  • Bezoekgegevens
  • na contactname met het kantoor

Gronden

Zonnestraat, 9450 Haaltert

Doe een bod van
17.000 €

Presentatiebeeld van het pand n° 290760
Online openbare verkoop
  • Referentie: 290760
  • Een perceel hooiland en een perceel bos te Haaltert (Denderhoutem), ter plaatse genaamd "Koning".
  • Lopende verkoop
  • Startdatum: 19/01/2026 15:00
  • Einddatum: 27/01/2026 15:00
  • Geen bod: 1000 €
  • Vrij vanaf: Bij de akte
  • Caudron, Herzeel & Breckpot, geassocieerde notarissen
  • Contactpersoon: Kantoor Not. Caudron, Herzeel & Breckpot
  • Tel: (053) 21.11.05
  • Email: frederic.caudron@belnot.be
  • Bezoekgegevens
  • na contactname met het kantoor

Huizen

5 Rue de l'Eglise, 7350 Hensies

Doe een bod van
110.000 €

Presentatiebeeld van het pand n° 290600
Uit de hand
  • Referentie: 290600
  • Une jolie maison avec jardin et garage. au rez-de-chaussée : Hall d'entrée, living (salon - salle à manger), cuisine non équipée, deux chambres, salle de bain (baignoire - WC - évier). Grenier aménageable
  • Aantal kamers: 2
  • Aantal badkamers: 1
  • Kadastraal inkomen: 356 €
  • Vrij vanaf: Bij de akte
  • Coniglio Salvatore
  • Contactpersoon: Ramona HONORE
  • Tel: (065) 45.70.46
  • Email: ramona.honore.130245@belnot.be
  • Bezoekgegevens
  • prendre contact avec l'Etude

Huizen

128 Molenstraat, 9950 Lievegem

Doe een bod van
165.000 €

Presentatiebeeld van het pand n° 290798
Online openbare verkoop
  • Referentie: 290798
  • Een centraal gelegen woonhuis, type halfopen bebouwing, te 9950 Lievegem, Molenstraat 128, volgens huidig kadaster bekend gemeente Lievegem, 4de afdeling Waarschoot, sectie C, perceelnummer 1348X4P0000. Deze woning bestaat uit: een inkomhal/gang, ruime living en eetplaats, keuken, bergplaats, badkamer met toilet, lavabo en douche. Op de eerste verdieping: twee (slaap)kamers en overloop. Zolderruimte toegankelijk via vaste trap. Terras, veranda en (voor)tuin. Deels enkele, deels dubbele beglazing en verwarming op aardgas. Totale perceeloppervlakte volgens kadaster: 400 m2 K.I.: 240 euro EPC: 866 kWh/m2 - UC: 20251009-0003705473-RES-1 | Stedenbouwkundige en/of omgevingsvergunning ontvangen: neen | Meest recente stedenbouwkundige bestemming: deels woongebieden met landelijk karakter, deels agrarische gebieden | Dagvaarding uitgebracht: neen | Voorkooprecht: Neen | Verkavelingsvergunning en/of omgevingsvergunning voor het verkavelen van gronden: neen | Niet gelegen in een overstromingsgevoelig gebied zoals vastgesteld door de Vlaamse Regering | Niet gelegen in een afgebakend overstromingsgebied of afgebakende oeverzone | P-score: A | G-score: A | WORG: Neen | Renovatieplicht Bezichtigingen na afspraak met het notariskantoor. Verdere inlichtingen ten kantore van geassocieerde notarissen De Raedt – Pauwels te Lievegem (09/377.18.94) Zie ook www.notariaatderaedt.be en www.zimmo.be G score: A P score: A
  • Aantal kamers: 3
  • Oppervlakte van het woongedeelte: 100m2
  • Aantal badkamers: 1
  • Lopende verkoop
  • Startdatum: 19/01/2026 14:00
  • Einddatum: 27/01/2026 14:00
  • Geen bod: 1000 €
  • Kadastraal inkomen: 240 €
  • Vrij vanaf: Bij de akte
  • DE RAEDT - PAUWELS, geassocieerde notarissen
  • Contactpersoon: Thibo RYCKAERT
  • Tel: (09) 377.18.94
  • Email: thibo.ryckaert.357792@belnot.be
  • Bezoekgegevens
  • Na afspraak met het notariskantoor De Raedt - Pauwels op het telefoonnummer 09/377.18.94

Huizen

13 Rue de Mignault, 7062 Naast

Doe een bod van
100.000 €

Presentatiebeeld van het pand n° 290744
Uit de hand
  • Referentie: 290744
  • RECU OFFRE DE 105.000€ Maison louée 400€/mois Sous-sol : Cave (humide) Rez-de-chaussée : Living - Cuisine non équipée - Salle de bain (baignoire, lavabo simple, WC) - une pièce sur le côté Etage : Deux chambres Sous les combles : Grenier Dépendances : Remise, jardin, servitude Commodités : Egout - eau de ville - Gaz de ville (dans la rue) - Electricité - Téléphone - Télédistribution - Châssis en bois et PVC (arrière) - Simple et Double vitrage (arrière) - Poêle au mazout (appartenant à la locataire) - Citerne au mazout (1000 litres appartenant à la locataire) Parcelle non soumise à des obligations au regard du Décret sols
  • Aantal kamers: 2
  • Kadastraal inkomen: 339 €
  • Vrij vanaf: Bij de akte
  • A&D SABIAU, notaires associés
  • Contactpersoon: Catherine LIÉNARD
  • Tel: (067) 44.28.13
  • Email: cl@sabiau.be

Huizen

9 Legevoorde, 9950 Lievegem

Doe een bod van
175.000 €

Presentatiebeeld van het pand n° 290803
Online openbare verkoop
  • Referentie: 290803
  • Een rustig en gunstig gelegen woonhuis, type halfopen bebouwing, te 9950 Lievegem, Legevoorde 9, volgens huidig kadaster bekend gemeente Lievegem, 4de afdeling Waarschoot, sectie D, perceelnummer 0156AP0000. Deze woning bestaat uit: een inkomhal/gang, ruime living en eetplaats, keuken, bergplaats, toilet. Op de eerste verdieping: drie (slaap)kamers, badkamer en overloop. Zolderruimte. Terras, veranda en (voor)tuin. Garage. Dubbele beglazing en centrale verwarming op stookolie. Totale perceeloppervlakte volgens kadaster: 529 m2 K.I.: 649 euro EPC: 423 kWh/m2 - UC: 20250701-0003637900-RES-1 | Stedenbouwkundige en/of omgevingsvergunning ontvangen: ja | Meest recente stedenbouwkundige bestemming: deels woongebieden met landelijk karakter, deels agrarische gebieden | Dagvaarding uitgebracht: neen | Voorkooprecht: Neen | Verkavelingsvergunning en/of omgevingsvergunning voor het verkavelen van gronden: ja | Niet gelegen in een overstromingsgevoelig gebied zoals vastgesteld door de Vlaamse Regering | Niet gelegen in een afgebakend overstromingsgebied of afgebakende oeverzone | P-score: A | G-score: A | WORG: Neen | Renovatieplicht Bezichtigingen na afspraak met het notariskantoor. Verdere inlichtingen ten kantore van geassocieerde notarissen De Raedt – Pauwels te Lievegem (09/377.18.94) Zie ook www.notariaatderaedt.be en www.zimmo.be G score: A P score: A
  • Aantal kamers: 3
  • Oppervlakte van het woongedeelte: 130m2
  • Aantal badkamers: 1
  • Lopende verkoop
  • Startdatum: 27/01/2026 14:00
  • Einddatum: 04/02/2026 14:00
  • Geen bod: 1000 €
  • Kadastraal inkomen: 649 €
  • Vrij vanaf: Bij de akte
  • DE RAEDT - PAUWELS, geassocieerde notarissen
  • Contactpersoon: Thibo RYCKAERT
  • Tel: (09) 377.18.94
  • Email: thibo.ryckaert.357792@belnot.be
  • Bezoekgegevens
  • Na afspraak met het notariskantoor De Raedt - Pauwels op het telefoonnummer 09/377.18.94

Huizen

, 7301 Hornu

Doe een bod van
120.000 €

Presentatiebeeld van het pand n° 290800
Uit de hand
  • Referentie: 290800
  • Double maison avec hangars - ENORME POTENTIEL. Composition : première maison : - Sous-sol : 1 cave sous la cuisine + 2 caves basses voutées ; - Rez-de-chaussée : Entrée sur une pièce avant, une pièce cuisine, une pièce arrière, une salle d’eau (baignoire, wc et lavabo) + une grande pièce avec accès extérieur (« Véranda ») ; - Etage : 1 chambre à l’avant et deux chambres en enfilade à l’arrière ; - Grenier : oui. Composition : seconde maison : - Sous-sol : 2 caves basses voutées ; - Rez-de-chaussée : Entrée sur une pièce de vie à l’avant spacieuse (salon et salle à manger) avec cheminée à insert au bois + poêle dans la partie salle à manger non fonctionnel, une cuisine à l’arrière ; - Etage : 2 chambres en enfilades à l’avant et une salle d’eau (lavabo, baignoire et wc) ; - Grenier : oui. Extérieurs : Divers hangars et vaste terrain. Renseignements supplémentaires : Raccordées à l'égouts, renseignements urbanistiques en cours, double vitrage : en partie, électricité à prévoir. VISITES REALISÉES PAR UNE SOCIÉTÉ INDEPENDANTE, FRAIS DE VISITES FACTURÉS, PAR CETTE DERNIÈRE, À L’ACQUEREUR DÉFINITIF : 1. 500, 00€.
  • Aantal kamers: 6
  • Oppervlakte van het woongedeelte: 225m2
  • Kadastraal inkomen: 734 €
  • Vrij vanaf: Bij de akte
  • Dirosa, Jeanine
  • Contactpersoon: Justine CARDON
  • Tel: (065) 78.38.23
  • Email: justine.cardon.107292@belnot.be
  • Bezoekgegevens
  • Monsieur DE MONTIS - 0488/36.09.75.

Huizen

2 Frans Rensstraat, 9000 Gent

Doe een bod van
150.000 €

Presentatiebeeld van het pand n° 290813
Online openbare verkoop
  • Referentie: 290813
  • Op te frissen woonhuis, gekadastreerd volgens recent uittreksel uit de kadastrale legger, sectie A, nummer 1764F2P0000, met een grondoppervlakte van 56ca. Indeling van het huis: Gelijkvloers: living, ruimte voorzien voor keuken, badkamer en toegang tot kelder, trap naar de 1e verdieping; 1e verdieping: badkamer, toegang tot terras, 2 slaapkamers, trap naar de 2e verdieping; 2e verdieping: 2 slaapkamers en trap naar zolder; 3e verdieping: zolderruimte. G score: A P score: A
  • Aantal kamers: 4
  • Aantal badkamers: 2
  • Lopende verkoop
  • Startdatum: 06/01/2026 14:00
  • Einddatum: 14/01/2026 14:00
  • Geen bod: 1000 €
  • Kadastraal inkomen: 461 €
  • Vrij vanaf: Bij de akte
  • Notariskantoor Xavier Vanhaelemeesch
  • Contactpersoon: Woutjan ROEYERS
  • Tel: (09) 225.07.30
  • Email: woutjan.roeyers.128512@belnot.be
  • Bezoekgegevens
  • elke maandag en woensdag van 14u-17u, en dit vanaf maandag 1 december 2025 tot en met maandag 12 januari 2026, en dit na voorafgaandelijke afspraak met het notariskantoor

Gronden

142 Ieperstraat, 8560 Moorsele

Doe een bod van
255.000 €

Presentatiebeeld van het pand n° 290814
Uit de hand
  • Referentie: 290814
  • Uitstekend gelegen bouwgrond van 1.012m² voor open bebouwing aan de rand van de bebouwde kom van Moorsele (Wevelgem) Op zoek naar bouwgrond voor open bebouwing, rustig gelegen maar toch nabij het centrum? Met een oppervlakte van 1.012m², een breedte van 20m en een diepte van 50m biedt dit perceel alle ruimte voor het realiseren van uw droomwoning. Belangrijkste troeven: - Noordwest gericht met de avondzon achteraan - Ruime, volgroeide en steeds onderhouden tuin aanwezig - Gelegen in een groene, residentiële buurt, tussen andere ruime percelen. Rust, ruimte en privacy gegarandeerd - Gunstig gelegen aan de rand van de bebouwde kom van Moorsele, op wandelafstand van het centrum met alle voorzieningen - Vlotte bereikbaarheid, nabij de op- en afritten van verschillende snelwegen, zonder het lawaai ervan Het perceel maakt op heden nog deel uit van een groter perceel waarvoor een verkavelingsvergunning voor 2 loten bouwgrond voor open bebouwing werd afgeleverd en waarop momenteel nog een woning staat die binnenkort door de verkopers wordt gesloopt. Verkoopbaarheidsattest en prekadastratie reeds in orde. Verkavelingsvoorschriften bij de verkopers. Meer info bij de verkopers via 0486/33.88.17 P score: D
  • Kadastraal inkomen: 857 €
  • Vrij vanaf: Bij de akte
  • NOTARIS HENDRIK MOENS
  • Contactpersoon: Emma VANDEVENNE
  • Tel: (056) 41.14.48
  • Email: emma.vandevenne.131581@belnot.be
  • Bezoekgegevens
  • Meer info bij de verkopers via 0486/33.88.17

Huizen

26 Rue du Couvent, 4020 Jupille-sur-Meuse

Doe een bod van
125.000 €

Presentatiebeeld van het pand n° 290765
Uit de hand
  • Referentie: 290765
  • Maison unifamiliale située dans un quartier résidentiel, proche des transports et commodités. Partiellement rénovée (carrelage au rez-de-chaussée, nouveau WC au rez-de-chaussée,...), elle laisse encore la place à un aménagement à votre gout. En retrait de la route par une petite cour, elle est composée au rez-de-chaussée d'une belle pièce de vie lumineuse avec feu ouvert, une grande cuisine et un WC indépendant. Au premier étage, deux chambres et une grande salle de bains avec douche et baignoire. Des caves à voussettes s'étendent sous toute la maison. Sous le toit, la maison bénéficie d'un grand grenier lumineux. Les châssis sont en bois et tous sont équipés d'un volet manuel. Sont également compris dans la vente les matériaux de rénovation qui se trouvent dans la maison (lames de parquet stratifié, tuiles). Installation électrique non conforme - PEB F Visites : contacter l'étude.
  • Aantal kamers: 2
  • Oppervlakte van het woongedeelte: 99m2
  • Aantal badkamers: 1
  • Kadastraal inkomen: 347 €
  • Vrij vanaf: Bij de akte
  • Aurélie Léonard Société Notariale
  • Contactpersoon: Florence GUIOT
  • Tel: (04) 242.90.49
  • Email: florence.guiot.126136@belnot.be

Handelspanden

3 Aalbeeksestraat, 8510 Rollegem

Doe een bod van
139.000 €

Presentatiebeeld van het pand n° 290821
Online openbare verkoop
  • Referentie: 290821
  • Dit pand werd voorheen uitgebaat als "Pitta Rollegem". Dit veelzijdige handelspand biedt u de perfecte combinatie van werken en wonen. Dit pand trekt door zijn strategische locatie een breed scala aan klanten aan. Het pand is als volgt opgedeeld: Het gelijkvloers wordt gebruikt als handelsruimte en is ingedeeld als volgt: - winkelruimte; - keuken; - hal en toilet - hal die kan dienen als bergruimte. De eerste verdieping is als volgt ingedeeld: - badkamer; - woonkamer met aansluitende keuken; - hal. De tweede verdieping is volgt ingedeeld: - twee ruime slaapkamers met nachthal. Geniet van het gemak van wonen boven uw zaak, ideaal voor ondernemers die hun bedrijf willen combineren met comfort en flexibiliteit. Benieuwd naar de mogelijkheden? Plan vandaag nog een bezoek en ontdek zelf deze gezinswoning! ALTUS notarissen - 056/43.90.80 - charlotte@altusnotarissen.be G score: A P score: A
  • Aantal badkamers: 1
  • Lopende verkoop
  • Startdatum: 13/01/2026 10:00
  • Einddatum: 21/01/2026 10:00
  • Geen bod: 1000 €
  • Kadastraal inkomen: 523 €
  • Vrij vanaf: Bij de akte
  • ALTUS notarissen
  • Contactpersoon: Charlotte EVERAERT
  • Tel: 056/43.90.95
  • Email: charlotte@altusnotarissen.be
  • Bezoekgegevens
  • Zondag 21 december 2025 van 10u tot 12u, woensdag 7 januari 2026 van 16u tot 18u, zondag 11 januari 2026 10u tot 12u en zaterdag 17 januari 2026 van 10u tot 12u, na voorafgaande kennisgeving aan de notaris

Huizen

78 Rue de la Troupette, 7170 Bois-d'Haine

Doe een bod van
67.500 €

Presentatiebeeld van het pand n° 290827
Uit de hand
  • Referentie: 290827
  • Prix : Faire offre à partir de 67.500€ Offre en cours : 65.000€ Située dans une rue calme de Bois-d'Haine, cette maison unifamiliale de caractère offre un beau potentiel. Avec ses trois façades, ses deux chambres, son grenier aménageable et ses pièces lumineuses dont certaines traversées par des puits de lumière, elle séduit par sa disposition fonctionnelle. Le salon, le living, la buanderie, le W.C. individuel et les deux cuisines s’ouvrent sur une terrasse orientée plein sud, idéale pour créer un espace extérieur convivial. Le bien dispose d’un chauffage au gaz, d’une salle de bains, d’un raccordement aux égouts et d’une cave spacieuse. Des travaux sont à prévoir. Un cadre idéal pour concrétiser un projet personnalisé dans une commune bien desservie et agréable à vivre. Etant donné qu’il s’agit d’une vente soumise à autorisation judiciaire, il est à noter que l’acheteur sera engagé de manière irrévocable dès la signature de son offre, laquelle ne pourra être soumise à une condition suspensive d’obtention de crédit. Vente en collaboration avec l'Etude du Notaire Léopold Derbaix. Pour en savoir plus sur ce bien, visitez www.notairedemolin.net : vous y trouverez tous les documents utiles. Pour plus d'informations ou pour organiser une visite, contactez l'Etude du Notaire Demolin au 064/54.10.30.
  • Aantal kamers: 2
  • Oppervlakte van het woongedeelte: 97m2
  • Aantal badkamers: 1
  • Kadastraal inkomen: 463 €
  • Vrij vanaf: Bij de akte
  • NICOLAS DEMOLIN, NOTAIRE
  • Contactpersoon: Samir LAICHE
  • Tel: (064) 54.10.30
  • Email: samir.laiche.109462@belnot.be
  • Bezoekgegevens
  • Le bien vendu pourra être visité par les candidats-acquéreurs sur rendez-vous en contactant le secrétariat de l'étude du Notaire Nicolas Demolin au 064/54.10.30.

Gronden

Rue du Béguinage, 1476 Houtain-le-Val

Doe een bod van
75.000 €

Presentatiebeeld van het pand n° 290802
Online openbare verkoop
  • Referentie: 290802
  • Situé dans le charmant village de Houtain-le-Val, au cœur de la commune de Genappe, ce terrain d’une superficie de 21 ares et 59 centiares offre un cadre paisible et verdoyant, idéal pour un projet résidentiel ou un investissement à long terme. Le terrain présente une double affectation au plan de secteur, incluant une partie en "zone à bâtir à caractère rural" en front de voirie et une autre en zone "agricole". La zone d’affectation agricole est classée en "intérêt paysager", soulignant son importance esthétique et environnementale dans le paysage local. À proximité, on retrouve les commodités essentielles : écoles, commerces, axes routiers et transports en commun, tout en profitant du calme de la campagne.
  • Lopende verkoop
  • Startdatum: 12/01/2026 15:00
  • Einddatum: 20/01/2026 15:00
  • Geen bod: 1000 €
  • Kadastraal inkomen: 11 €
  • Vrij vanaf: Te bepalen
  • ESTIENNE, GERNAIJ & LAINE - Notaires associés
  • Contactpersoon: Victorine BARBASON
  • Tel: (067) 77.20.38
  • Email: victorine.barbason.108019@belnot.be
  • Bezoekgegevens
  • Visites les mardis de 15 heures à 18 heures et les samedis de 10 heures à 13 heures

Huizen

25 Basse Censestraat, 8930 Menen

Doe een bod van
165.000 €

Presentatiebeeld van het pand n° 290829
Uit de hand
  • Referentie: 290829
  • Deze rustig gelegen woning is de perfecte uitvalsbasis voor uw woon- werkverkeer. Centraal aan de rand van centrum Menen en Rekkem neem je vlot de autosnelweg richting Kortrijk of richting onze Zuiderburen. Goed onderhouden en instapklare rijwoning is ingericht als volgt: inkom met ingebouwde kasten, ruime woonkamer, ruime rustiek ingerichte keuken met plaats voor eettafel, zeer nette badkamer met inloopdouche. Zeer praktische veranda die ruimte biedt als bijkeuken en met het schuifraam rechtstreeks uitgeeft op de terras en de gezellige stadstuin. Op de eerste verdieping bevinden zich 2 slaapkamers waarvan 1 doorgang heeft naar de zolder. De geïsoleerde zolder is ingericht met een zolderkamer (3de slaapkamer) en een bergruimte. G score: A P score: A
  • Aantal kamers: 3
  • Kadastraal inkomen: 297 €
  • Vrij vanaf: Bij de akte
  • Logghe-Staessens, geassocieerde notarissen
  • Contactpersoon: Nele LEROY
  • Tel: (056) 51.15.17
  • Email: nele.leroy.214697@belnot.be
  • Bezoekgegevens
  • contacteer notariskantoor

Appartementen

29 Quai de l'Ourthe, 4020 Liège

Doe een bod van
50.000 €

Presentatiebeeld van het pand n° 290834
Lijfrente
  • Referentie: 290834
  • A vendre, en rente viagère avec réserve d'usufruit (2 têtes), très bel appartement situé au deuxième étage de la "Résidence de l'Ourthe" composé d'un beau hall d'entée, d'un vaste séjour et salle à manger avec accès à la terrasse coursive, une charmante cuisine équipée avec balcon, un hall de nuit, un wc invité, un vestiaire, une salle de bain/douche, deux chambres et un bureau/une buanderie (ou encore une troisième chambre complémentaire). Au sous-sol de la résidence, une cave et au rez-de-chaussée un grand garage avec point eau et électricité. Nombreux placards intégrés. Très beaux parquets et éléments anciens. L'appartement a été rénové et est entretenu avec soin par les propriétaires qui occupent les lieux. La résidence est également parfaitement gérée et calme. D'importants travaux ont été réalisés ces dernières années (nouvelle toiture, nouvel ascenseur, rénovation de la cage d'escalier et du hall d'entrée, etc). Un investissement sans souci. Conditions : Réserve d'usufruit - Bouquet de 50.000€ - Rente de 800€/mois (indexée) sur deux têtes (75 ans chacune) et limitée à 12 ans.
  • Aantal kamers: 2
  • Oppervlakte van het woongedeelte: 105m2
  • Aantal badkamers: 1
  • Kadastraal inkomen: 1224 €
  • Philippe DUSART, société notariale
  • Contactpersoon: Philippe DUSART
  • Tel: (04) 230.25.30
  • Email: philippe.dusart@belnot.be

Andere

80 Verbrandendijk, 2070 Beveren-Kruibeke-Zwijndrecht

Doe een bod van
320.000 €

Presentatiebeeld van het pand n° 290796
Uit de hand
  • Referentie: 290796
  • building te 2070 Beveren-Kruibeke-Zwijndrecht, Verbrandendijk 80 met 2 appartementen elk met indeling : keuken, badkamer met wc, douche en lavabo, living, slaapkamer 1, slaapkamer 2, slaapkamer 3 zolder en tuin met tuinberging en poortje achteraan toegang tot straat appartement gelijkvloers vrij op 31/01/2026 en appartement eerste verdieping vrij van gebruik EPC score appartement glvl 365 kWh (m² jaar)-label D en EPC score appartement 1ste verdiep 206 kWh (m² jaar)-label C G score: A P score: A
  • Kadastraal inkomen: 1085 €
  • Vrij op: 31/01/2026
  • NOTARIS VICKY DUYMELINCK
  • Contactpersoon: Kristien JANSSENS
  • Tel: (03) 775.71.55
  • Email: kristien.janssens.132720@belnot.be
  • Bezoekgegevens
  • bezichtiging na telefonische afspraak na 18u op nummer 0493/85.08.23

Gronden

Rue de la Tombe Romaine, 1315 Glimes

Doe een bod van
140.000 €

Presentatiebeeld van het pand n° 290795
Uit de hand
  • Referentie: 290795
  • Terrain à bâtir de 11a 87ca dans une rue calme et une commune attrayante. Quartier historique (Eglise, Tombe Romaine) et en développement. Terrains voisins récemment construits.
  • Vrij vanaf: Bij de akte
  • Gaëtan Delvaux - Notaire
  • Contactpersoon: Gaëtan DELVAUX
  • Tel: (010) 81.35.02
  • Email: notaire@notairedelvaux.be

Gronden

Zeven-Bunderstraat, 3730 Sint-Huibrechts-Hern

Doe een bod van
64.000 €

Presentatiebeeld van het pand n° 249413
Uit de hand
  • Referentie: 249413
  • Het perceel gelegen te Hoeselt (St-Huibrechts-Hern), tussen de Zeven-Bunderstraat en de Hernerweg, ter plaatse genaamd 'Het Hemelrijk' (sectie C nummer 88A), is verpacht. De verkoop geschiedt ONDER DE OPSCHORTENDE VOORWAARDE VAN NIET-UITOEFENING VAN HET RECHT VAN VOORKOOP DOOR DE PACHTER. VERKOOP DOOR INSCHRIJVING ONDER GESLOTEN OMSLAG De inschrijving dient te gebeuren onder gesloten omslag, die aan het kantoor Geassocieerde Notarissen Rembert VAN BAEL-Cathérine GIELEN, Graanmarkt 1, 3700 Tongeren-Borgloon, tijdens de kantooruren, uiterlijk op 12 februari 2026, om 09.30 uur, bezorgd dient te worden tegen ontvangstbewijs; het kantoor is geopend op maandag, woensdag en donderdag van 09.00 u tot 12.30 u en van 13.30 u tot 18.00 u; op dinsdag van 09.00 u tot 12.30 u en van 13.30 u tot 18.30 u; op vrijdag van 09.00 u tot 13.00 u. Inschrijvingen dienen onvoorwaardelijk te zijn en uitgebracht te worden zonder opschortende voorwaarden, behoudens opschortende voorwaarde van niet-uitoefening van het voorkooprecht door de pachter. De inschrijvingen dienen te gebeuren tegen een vaste prijs voor het gehele goed. Op 12 februari 2026, om 11 uur, worden de gesloten omslagen met de inschrijvingen opengemaakt op het kantoor Geassocieerde Notarissen Rembert VAN BAEL-Cathérine GIELEN, in aanwezigheid van de vertegenwoordiger van de verkoper. Zodra de hoogste inschrijving bekend is, zal de notaris het recht van voorkoop aan de pachter aanbieden volgens de voorschriften van de pachtwet per aangetekende brief, uiterlijk binnen de acht dagen na de opening van de inschrijvingen. Als de pachter zijn recht van voorkoop niet uitoefent noch overdraagt volgens de voorschriften van de pachtwet, zal de notaris de hoogste inschrijver uitnodigen voor het verlijden van de verkoopakte.
  • Kadastraal inkomen: 91 €
  • Vrij vanaf: Andere
  • Rembert VAN BAEL - Cathérine GIELEN, Geassocieerde Notarissen
  • Contactpersoon: Ingrid MEURMANS
  • Tel: (012) 23.04.13
  • Email: ingrid.meurmans.104232@belnot.be

Gronden

Papenbergstraat, 3730 Sint-Huibrechts-Hern

Doe een bod van
24.000 €

Presentatiebeeld van het pand n° 249387
Uit de hand
  • Referentie: 249387
  • Het perceel gelegen te Hoeselt (St-Huibrechts-Hern) aan de Papenbergstraat, ter plaatse genaamd 'De Papen Berg' (sectie C nummer 26A), is verpacht. De verkoop geschiedt ONDER DE OPSCHORTENDE VOORWAARDE VAN NIET-UITOEFENING VAN HET RECHT VAN VOORKOOP DOOR DE PACHTER. VERKOOP DOOR INSCHRIJVING ONDER GESLOTEN OMSLAG De inschrijving dient te gebeuren onder gesloten omslag, die aan het kantoor Geassocieerde Notarissen Rembert VAN BAEL-Cathérine GIELEN, Graanmarkt 1, 3700 Tongeren-Borgloon, tijdens de kantooruren, uiterlijk op 12 februari 2026, om 09.30 uur, bezorgd dient te worden tegen ontvangstbewijs; het kantoor is geopend op maandag, woensdag en donderdag van 09.00 u tot 12.30 u en van 13.30 u tot 18.00 u; op dinsdag van 09.00 u tot 12.30 u en van 13.30 u tot 18.30 u; op vrijdag van 09.00 u tot 13.00 u. Inschrijvingen dienen onvoorwaardelijk te zijn en uitgebracht te worden zonder opschortende voorwaarden, behoudens opschortende voorwaarde van niet-uitoefening van het voorkooprecht door de pachter. De inschrijvingen dienen te gebeuren tegen een vaste prijs voor het gehele goed. Op 12 februari 2026, om 11 uur, worden de gesloten omslagen met de inschrijvingen opengemaakt op het kantoor Geassocieerde Notarissen Rembert VAN BAEL-Cathérine GIELEN, in aanwezigheid van de vertegenwoordiger van de verkoper. Zodra de hoogste inschrijving bekend is, zal de notaris het recht van voorkoop aan de pachter aanbieden volgens de voorschriften van de pachtwet per aangetekende brief, uiterlijk binnen de acht dagen na de opening van de inschrijvingen. Als de pachter zijn recht van voorkoop niet uitoefent noch overdraagt volgens de voorschriften van de pachtwet, zal de notaris de hoogste inschrijver uitnodigen voor het verlijden van de verkoopakte.
  • Kadastraal inkomen: 34 €
  • Vrij vanaf: Andere
  • Rembert VAN BAEL - Cathérine GIELEN, Geassocieerde Notarissen
  • Contactpersoon: Ingrid MEURMANS
  • Tel: (012) 23.04.13
  • Email: ingrid.meurmans.104232@belnot.be

Gronden

Wanveldstraat, 3730 Werm

Doe een bod van
23.000 €

Presentatiebeeld van het pand n° 249381
Uit de hand
  • Referentie: 249381
  • Het perceel gelegen te Hoeselt (Werm) nabij de Wanveldstraat, ter plaatse genaamd 'Het Tungers Veld' (sectie A nummer 420A), is verpacht. De verkoop geschiedt ONDER DE OPSCHORTENDE VOORWAARDE VAN NIET-UITOEFENING VAN HET RECHT VAN VOORKOOP DOOR DE PACHTER. VERKOOP DOOR INSCHRIJVING ONDER GESLOTEN OMSLAG De inschrijving dient te gebeuren onder gesloten omslag, die aan het kantoor Geassocieerde Notarissen Rembert VAN BAEL-Cathérine GIELEN, Graanmarkt 1, 3700 Tongeren-Borgloon, tijdens de kantooruren, uiterlijk op 12 februari 2026, om 09.30 uur, bezorgd dient te worden tegen ontvangstbewijs; het kantoor is geopend op maandag, woensdag en donderdag van 09.00 u tot 12.30 u en van 13.30 u tot 18.00 u; op dinsdag van 09.00 u tot 12.30 u en van 13.30 u tot 18.30 u; op vrijdag van 09.00 u tot 13.00 u. Inschrijvingen dienen onvoorwaardelijk te zijn en uitgebracht te worden zonder opschortende voorwaarden, behoudens opschortende voorwaarde van niet-uitoefening van het voorkooprecht door de pachter. De inschrijvingen dienen te gebeuren tegen een vaste prijs voor het gehele goed. Op 12 februari 2026, om 11 uur, worden de gesloten omslagen met de inschrijvingen opengemaakt op het kantoor Geassocieerde Notarissen Rembert VAN BAEL-Cathérine GIELEN, in aanwezigheid van de vertegenwoordiger van de verkoper. Zodra de hoogste inschrijving bekend is, zal de notaris het recht van voorkoop aan de pachter aanbieden volgens de voorschriften van de pachtwet per aangetekende brief, uiterlijk binnen de acht dagen na de opening van de inschrijvingen. Als de pachter zijn recht van voorkoop niet uitoefent noch overdraagt volgens de voorschriften van de pachtwet, zal de notaris de hoogste inschrijver uitnodigen voor het verlijden van de verkoopakte.
  • Kadastraal inkomen: 32 €
  • Vrij vanaf: Andere
  • Rembert VAN BAEL - Cathérine GIELEN, Geassocieerde Notarissen
  • Contactpersoon: Ingrid MEURMANS
  • Tel: (012) 23.04.13
  • Email: ingrid.meurmans.104232@belnot.be

Gronden

Tapstraat, 3700 Lauw

Doe een bod van
7.115 €

Presentatiebeeld van het pand n° 249329
Uit de hand
  • Referentie: 249329
  • Het perceel gelegen te Tongeren (Lauw) aan de Tapstraat, ter plaatse genaamd 'Onder de Sleyberg' (sectie A nummer 386A), is verpacht. De verkoop geschiedt ONDER DE OPSCHORTENDE VOORWAARDE VAN NIET-UITOEFENING VAN HET RECHT VAN VOORKOOP DOOR DE PACHTER. VERKOOP DOOR INSCHRIJVING ONDER GESLOTEN OMSLAG De inschrijving dient te gebeuren onder gesloten omslag, die aan het kantoor Geassocieerde Notarissen Rembert VAN BAEL-Cathérine GIELEN, Graanmarkt 1, 3700 Tongeren-Borgloon, tijdens de kantooruren, uiterlijk op 12 februari 2026, om 09.30 uur, bezorgd dient te worden tegen ontvangstbewijs; het kantoor is geopend op maandag, woensdag en donderdag van 09.00 u tot 12.30 u en van 13.30 u tot 18.00 u; op dinsdag van 09.00 u tot 12.30 u en van 13.30 u tot 18.30 u; op vrijdag van 09.00 u tot 13.00 u. Inschrijvingen dienen onvoorwaardelijk te zijn en uitgebracht te worden zonder opschortende voorwaarden, behoudens opschortende voorwaarde van niet-uitoefening van het voorkooprecht door de pachter. De inschrijvingen dienen te gebeuren tegen een vaste prijs voor het gehele goed. Op 12 februari 2026, om 11 uur, worden de gesloten omslagen met de inschrijvingen opengemaakt op het kantoor Geassocieerde Notarissen Rembert VAN BAEL-Cathérine GIELEN, in aanwezigheid van de vertegenwoordiger van de verkoper. Zodra de hoogste inschrijving bekend is, zal de notaris het recht van voorkoop aan de pachter aanbieden volgens de voorschriften van de pachtwet per aangetekende brief, uiterlijk binnen de acht dagen na de opening van de inschrijvingen. Als de pachter zijn recht van voorkoop niet uitoefent noch overdraagt volgens de voorschriften van de pachtwet, zal de notaris de hoogste inschrijver uitnodigen voor het verlijden van de verkoopakte.
  • Kadastraal inkomen: 10 €
  • Vrij vanaf: Andere
  • Rembert VAN BAEL - Cathérine GIELEN, Geassocieerde Notarissen
  • Contactpersoon: Ingrid MEURMANS
  • Tel: (012) 23.04.13
  • Email: ingrid.meurmans.104232@belnot.be

Gronden

Tapstraat, 3700 Lauw

Doe een bod van
9.415 €

Presentatiebeeld van het pand n° 249336
Uit de hand
  • Referentie: 249336
  • Het perceel gelegen te Tongeren (Lauw) aan de Tapstraat, ter plaatse genaamd 'Onder de Sleyberg' (sectie A nummer 388A), is verpacht. De verkoop geschiedt ONDER DE OPSCHORTENDE VOORWAARDE VAN NIET-UITOEFENING VAN HET RECHT VAN VOORKOOP DOOR DE PACHTER. VERKOOP DOOR INSCHRIJVING ONDER GESLOTEN OMSLAG De inschrijving dient te gebeuren onder gesloten omslag, die aan het kantoor Geassocieerde Notarissen Rembert VAN BAEL-Cathérine GIELEN, Graanmarkt 1, 3700 Tongeren-Borgloon, tijdens de kantooruren, uiterlijk op 12 februari 2026, om 09.30 uur, bezorgd dient te worden tegen ontvangstbewijs; het kantoor is geopend op maandag, woensdag en donderdag van 09.00 u tot 12.30 u en van 13.30 u tot 18.00 u; op dinsdag van 09.00 u tot 12.30 u en van 13.30 u tot 18.30 u; op vrijdag van 09.00 u tot 13.00 u. Inschrijvingen dienen onvoorwaardelijk te zijn en uitgebracht te worden zonder opschortende voorwaarden, behoudens opschortende voorwaarde van niet-uitoefening van het voorkooprecht door de pachter. De inschrijvingen dienen te gebeuren tegen een vaste prijs voor het gehele goed. Op 12 februari 2026, om 11 uur, worden de gesloten omslagen met de inschrijvingen opengemaakt op het kantoor Geassocieerde Notarissen Rembert VAN BAEL-Cathérine GIELEN, in aanwezigheid van de vertegenwoordiger van de verkoper. Zodra de hoogste inschrijving bekend is, zal de notaris het recht van voorkoop aan de pachter aanbieden volgens de voorschriften van de pachtwet per aangetekende brief, uiterlijk binnen de acht dagen na de opening van de inschrijvingen. Als de pachter zijn recht van voorkoop niet uitoefent noch overdraagt volgens de voorschriften van de pachtwet, zal de notaris de hoogste inschrijver uitnodigen voor het verlijden van de verkoopakte.
  • Kadastraal inkomen: 13 €
  • Vrij vanaf: Andere
  • Rembert VAN BAEL - Cathérine GIELEN, Geassocieerde Notarissen
  • Contactpersoon: Ingrid MEURMANS
  • Tel: (012) 23.04.13
  • Email: ingrid.meurmans.104232@belnot.be

Gronden

Tapstraat, 3700 Lauw

Doe een bod van
42.090 €

Presentatiebeeld van het pand n° 249340
Uit de hand
  • Referentie: 249340
  • Het perceel gelegen te Tongeren (Lauw) aan de Tapstraat, ter plaatse genaamd 'Onder de Sleyberg' (sectie A nummer 390A), is verpacht. De verkoop geschiedt ONDER DE OPSCHORTENDE VOORWAARDE VAN NIET-UITOEFENING VAN HET RECHT VAN VOORKOOP DOOR DE PACHTER. VERKOOP DOOR INSCHRIJVING ONDER GESLOTEN OMSLAG De inschrijving dient te gebeuren onder gesloten omslag, die aan het kantoor Geassocieerde Notarissen Rembert VAN BAEL-Cathérine GIELEN, Graanmarkt 1, 3700 Tongeren-Borgloon, tijdens de kantooruren, uiterlijk op 12 februari 2026, om 09.30 uur, bezorgd dient te worden tegen ontvangstbewijs; het kantoor is geopend op maandag, woensdag en donderdag van 09.00 u tot 12.30 u en van 13.30 u tot 18.00 u; op dinsdag van 09.00 u tot 12.30 u en van 13.30 u tot 18.30 u; op vrijdag van 09.00 u tot 13.00 u. Inschrijvingen dienen onvoorwaardelijk te zijn en uitgebracht te worden zonder opschortende voorwaarden, behoudens opschortende voorwaarde van niet-uitoefening van het voorkooprecht door de pachter. De inschrijvingen dienen te gebeuren tegen een vaste prijs voor het gehele goed. Op 12 februari 2026, om 11 uur, worden de gesloten omslagen met de inschrijvingen opengemaakt op het kantoor Geassocieerde Notarissen Rembert VAN BAEL-Cathérine GIELEN, in aanwezigheid van de vertegenwoordiger van de verkoper. Zodra de hoogste inschrijving bekend is, zal de notaris het recht van voorkoop aan de pachter aanbieden volgens de voorschriften van de pachtwet per aangetekende brief, uiterlijk binnen de acht dagen na de opening van de inschrijvingen. Als de pachter zijn recht van voorkoop niet uitoefent noch overdraagt volgens de voorschriften van de pachtwet, zal de notaris de hoogste inschrijver uitnodigen voor het verlijden van de verkoopakte.
  • Kadastraal inkomen: 59 €
  • Vrij vanaf: Andere
  • Rembert VAN BAEL - Cathérine GIELEN, Geassocieerde Notarissen
  • Contactpersoon: Ingrid MEURMANS
  • Tel: (012) 23.04.13
  • Email: ingrid.meurmans.104232@belnot.be

Appartementen

23/3 Kleine Bergstraat, 3300 Tienen

Doe een bod van
185.000 €

Presentatiebeeld van het pand n° 290768
Online openbare verkoop
  • Referentie: 290768
  • Notaris Cedric HONOREZ, te Tienen, zal online openbaar verkopen via Biddit: STAD TIENEN, 3e afdeling In een appartementsgebouw gelegen Kleine Bergstraat 23, volgens titel en huidig recent kadaster sectie H nummer 755/H P0000 voor een oppervlakte van zesenzestig centiaren. Het appartement gelegen op de derde verdieping, omvattende: I. In privatieve en uitsluitende eigendom: Hall met vestiaire en WC, een living, een keuken, gang met trap, twee slaapkamers waarvan één met terras, badkamer, en de kolen- en provisiekelders genummerd “3”. II. In mede-eigendom en gedwongen onverdeeldheid: driehonderd en zes duizendsten in de algemene gemeenschappelijke delen waaronder de grond. KI (niet-geïndexeerd): € 535,00. Omvat: - Hal, living, keuken, wc; - 2 slaapkamers, badkamer; - Kelder met bergruimte. EPC - 421 kWh/m² - energiescore label E - certificaatnummer 20250728-0003654199-RES-1. Renovatieplicht. NIET-Asbestveilig. WATERTOETS Het goed heeft de volgende score: • P(erceel)-score A en G(ebouw)-score A. Ruimtelijke Ordening: Woongebied. G score: A P score: A
  • Aantal kamers: 2
  • Aantal badkamers: 1
  • Lopende verkoop
  • Startdatum: 13/01/2026 10:00
  • Einddatum: 21/01/2026 10:00
  • Geen bod: 1000 €
  • Kadastraal inkomen: 535 €
  • Vrij vanaf: Bij de akte
  • HONOREZ NOTARIS
  • Contactpersoon: Jens DEPRE
  • Tel: 016804908
  • Email: jens@honorez.eu
  • Bezoekgegevens
  • Dinsdagen: 16/12/2025 – 23/12/2025 – 30/12/2025 – 06/01/2026 – 20/01/2026 telkens van 17u15-18u15. Zaterdagen: 20/12/2025 – 27/12/2025 – 10/01/2026 – 17/01/2026 telkens van 11u30-12u30.

Huizen

152 Molderdijk, 2400 Mol

Doe een bod van
220.000 €

Presentatiebeeld van het pand n° 290770
Online openbare verkoop
  • Referentie: 290770
  • Gelegen vlakbij het centrum van Mol. Op een perceel van 5a 17ca. Indeling: - gelijkvloers: inkom, toilet, woonkamer, keuken, veranda, inpandige garage, kelder; - 1e verdieping: 3 slaapkamers, badkamer en bergplaats; - niet afgewerkte zolder. Wg, Vg, Gmo, Gvkr, Gvv. Renovatieplicht. BEZOEK: na tel. afspr. met kantoor. G score: A P score: A
  • Aantal kamers: 3
  • Aantal badkamers: 1
  • Lopende verkoop
  • Startdatum: 26/01/2026 13:00
  • Einddatum: 03/02/2026 13:00
  • Geen bod: 1000 €
  • Kadastraal inkomen: 1229 €
  • Vrij vanaf: Bij de akte
  • Notacampina
  • Contactpersoon: Inès Vertonghen
  • Tel: (014) 81.29.52
  • Email: info@notacampina.be
  • Bezoekgegevens
  • na tel. afspr. met kantoor.

Huizen

295 Aarschotsesteenweg, 3300 Tienen

Doe een bod van
170.000 €

Presentatiebeeld van het pand n° 290771
Online openbare verkoop
  • Referentie: 290771
  • Notaris Cedric HONOREZ, te Tienen, zal online openbaar verkopen via Biddit: STAD TIENEN, 3e afdeling Een woonhuis, op en met grond en aanhorigheden, gelegen Aarschotsesteenweg 295, volgens titel sectie B 21/V/3 en volgens recent en huidig kadaster, sectie B, nummer 21V3 P0000, met een oppervlakte van drie aren negenenvijftig centiaren volgens oude titel en volgens oud kadaster voor een oppervlakte van drie aren dertig centiaren en thans volgens recent en huidig kadaster voor een oppervlakte van drie are vierenzestig centiare (3a 64ca). KI (niet-geïndexeerd): vijfhonderdvijfenveertig euro (€ 545,00). Omvat: - Hal, living, keuken, badkamer, wc; - 2 slaapkamers; - Kelder, ruime tuin en garage. EPC - 613 kWh/m² - energiescore label F - certificaatnummer 20250728-00036454232-RES-1. Renovatieplicht. NIET-Asbestveilig. WATERTOETS Het goed heeft de volgende score: P(erceel)-score A en G(ebouw)-score A. Ruimtelijke Ordening: Woongebied. LEEGSTAND. G score: A P score: A
  • Aantal kamers: 2
  • Aantal badkamers: 1
  • Lopende verkoop
  • Startdatum: 13/01/2026 11:00
  • Einddatum: 21/01/2026 11:00
  • Geen bod: 1000 €
  • Kadastraal inkomen: 545 €
  • Vrij vanaf: Bij de akte
  • HONOREZ NOTARIS
  • Contactpersoon: Jens DEPRE
  • Tel: 016804908
  • Email: jens@honorez.eu
  • Bezoekgegevens
  • Dinsdagen: 16/12/2025 – 23/12/2025 – 30/12/2025 – 06/01/2026 – 13/01/2026 – 20/01/2026 telkens van 18u30-19u30. Zaterdagen: 20/12/2025 – 27/12/2025 – 10/01/2026 – 17/01/2026 telkens van 12u45-13u45.

Huizen

1 Quartier Léopold, 7170 La Hestre

Doe een bod van
90.000 €

Presentatiebeeld van het pand n° 290635
Uit de hand
  • Referentie: 290635
  • Maison de rangée à rénover avec passage latéral composée de : - Un rez-de-chaussée comprenant : un couloir d'entrée avec petit placard intégré, une pièce à vivre, une cuisine non équipée, une salle de douche (une douche, un WC, une vasque), une petite "cour"/ arrière cuisine avec passage latéral ; - Un premier étage comprenant : deux chambres, dont une donnant accès à un grenier via escalier fixe ; - Un grenier non isolé. Le bien possède également un petit jardin et une cave. Electricité - NON CONFORME. PEB : F
  • Aantal kamers: 2
  • Kadastraal inkomen: 376 €
  • Vrij vanaf: Bij de akte
  • Sylvain BAVIER, Notaire
  • Contactpersoon: Anne-Laurence DUQUESNE
  • Tel: (064) 70.00.75
  • Email: annonces@notairebavier.net
  • Bezoekgegevens
  • Informations en l'étude du Notaire BAVIER au 064/70.00.75

Huizen

42 Hertog Janstraat, 2500 Lier

Doe een bod van
115.000 €

Presentatiebeeld van het pand n° 290773
Online openbare verkoop
  • Referentie: 290773
  • Gelegen net buiten centrum van Lier. Indeling: - gelijkvloers: inkomhal, living, keuken, traphal, berging, badkamer; - 1e verdiep: 2 slaapkamers; - buiten: terras, bijgebouw, diepe tuin en berging. Wglk, Gvg, Gmo, Gvkr, Gvv. Renovatieplicht van toepassing (label F). BEZOEK: op zaterdag 13/12, 20/12, 27/12, 3/1, 10/1 en 17/1 van 10u-12u. G score: D P score: D
  • Aantal kamers: 2
  • Aantal badkamers: 1
  • Lopende verkoop
  • Startdatum: 12/01/2026 14:00
  • Einddatum: 20/01/2026 14:00
  • Geen bod: 1000 €
  • Kadastraal inkomen: 270 €
  • Vrij vanaf: Bij de akte
  • Notaris SW
  • Contactpersoon: Kantoor Not. Stéphanie Westerlinck
  • Tel: (03) 482.10.40
  • Email: notaris@notariaatberlaar.be
  • Bezoekgegevens
  • op zaterdag 13/12, 20/12, 27/12, 3/1, 10/1 en 17/1 van 10u-12u.

Huizen

33 Montfortstraat, 7712 Herseaux

Doe een bod van
259.000 €

Presentatiebeeld van het pand n° 290775
Uit de hand
  • Referentie: 290775
  • Construction de 2015 se composant comme suit : hall d'entrée spacieux avec wc séparé, séjour avec cuisine ouverte semi-équipée, porte-fenêtre donnant sur le jardin, grand garage 1 voiture avec espace buanderie. A l'étage : 3 grandes chambres et une très grande salle de bain avec douche, lavabo et wc (possibilité d'ajouter une baignoire), grenier aménageable. PEB B. Visites sur rdv uniquement le samedi matin. Pas d'agence.
  • Aantal kamers: 3
  • Oppervlakte van het woongedeelte: 164m2
  • Aantal badkamers: 1
  • Kadastraal inkomen: 745 €
  • Vrij vanaf: Bij de akte
  • Mathilde VAN DEN BERGH, Notaire
  • Contactpersoon: Virginie LYSY
  • Tel: (056) 34.22.60
  • Email: virginie.lysy.107946@belnot.be

Huizen

31 Avenue de l'Automne, 1410 Waterloo

Doe een bod van
400.000 €

Presentatiebeeld van het pand n° 290782
Online openbare verkoop
  • Referentie: 290782
  • Située dans un quartier résidentiel calme et recherché, cette maison 4 façades construite en 1965 développe une surface de plancher chauffé de 269m² (PEB) sur une parcelle de 6 ares 08 centiares. Le rez-de-chaussée comprend un hall d'entrée, un séjour lumineux, une cuisine fonctionnelle, un bureau (pouvant servir de chambre d'appoint) et une toilette séparée. A l'étage, 3 chambres équipées chacune d'un point d'eau, ainsi qu'une salle de bain. Il y a également une 4ème pièce. Le sous-sol complet dispose d'un garage, d'espaces de rangement et d'une chaudière au gaz à condensation (Buderus - 2018). Le grenier est aménageable. Le bien bénéficie d'un jardin orienté sud-sud-est et de nombreux rangements intégrés. Les corniches et gouttières ont été remplacées il y a +/- 5 ans. Travaux à prévoir : mise en conformité électrique, rénovation de la salle de bain, isolation et modernisation de la toiture (ardoises Eternit), rafraîchissement des finitions intérieures.
  • Aantal kamers: 3
  • Aantal badkamers: 1
  • Lopende verkoop
  • Startdatum: 19/01/2026 15:00
  • Einddatum: 27/01/2026 15:00
  • Geen bod: 1000 €
  • Kadastraal inkomen: 2992 €
  • Vrij vanaf: Bij de akte
  • Maxime STAS de RICHELLE, Dominique ROULEZ & Sophie JEMELKA
  • Contactpersoon: Celine TEMIN
  • Tel: (02) 354.76.96
  • Email: celine.temin.182428@belnot.be
  • Bezoekgegevens
  • Visites libres SANS RDV : les mercredis de 14h à 16h et les samedis de 10h à 12h à partir du 10/12/2025 jusqu'au 24/01/2026 SAUF pendant les semaines du 22/12 et du 29/12 - visite supplémentaire le lundi 26/01/2026 de 14h à 16h

Huizen

20 Nijverheidslaan, 9250 Waasmunster

Doe een bod van
325.000 €

Presentatiebeeld van het pand n° 290774
Uit de hand
  • Referentie: 290774
  • Gezellige woning te koop in het centrum van Waasmunster Deze charmante woning is gelegen op een ideale, centrale locatie in Waasmunster, met alle nodige voorzieningen binnen handbereik. De woning beschikt over een kleine kelder, ideaal voor extra opbergruimte, en een garage voor veilig parkeren van je voertuig. Met 3 slaapkamers biedt deze woning voldoende ruimte voor een gezin of voor wie behoefte heeft aan extra werk- of hobbyruimtes. Daarnaast is er een achtergebouw dat vele mogelijkheden biedt. De stallingen zorgen voor voldoende ruimte om fietsen, tuingereedschap of andere spullen op te slaan. Kortom, een woning die zowel praktisch als goed gelegen is. Perfect voor wie op zoek is naar een gezellige thuisbasis in een centraal gelegen, rustige buurt. Interesse? Neem contact met ons op voor meer informatie of een bezichtiging! G score: A P score: A
  • Aantal kamers: 3
  • Kadastraal inkomen: 597 €
  • Vrij vanaf: Bij de akte
  • Liesbeth MULLER Notaris
  • Contactpersoon: Shana VAN SOMEREN
  • Tel: (052) 46.12.79
  • Email: shana.vansomeren.124800@belnot.be

Huizen

28 rue Tailles Géniton, 6032 Mont-sur-Marchienne

Doe een bod van
170.000 €

Presentatiebeeld van het pand n° 290783
Uit de hand
  • Referentie: 290783
  • maison a vendre , dont la composition se détaille comme suit: Rez-de-Chaussée : Hall d’entrée, wc et lavabo, cuisine semi équipée, salle à manger et salon (avec feu ouvert) Etage : Hall de nuit avec placards intégrés, une grande chambre avec placards, et une petite chambre, salle de bains Cave : Accès garage 1 voiture, buanderie, chaudière, accès au jardin Grenier Grenier non isolé, mais aménageable
  • Aantal kamers: 2
  • Oppervlakte van het woongedeelte: 98m2
  • Aantal badkamers: 1
  • Kadastraal inkomen: 713 €
  • Vrij vanaf: Bij de akte
  • MAUFROID Anne
  • Contactpersoon: Jean-Michel HYPERSIEL
  • Tel: (071) 21.30.47
  • Email: jeanmichel.hypersiel.124016@belnot.be
  • Bezoekgegevens
  • Pour les visites , contactez l'étude pour fixer un rdv

Huizen

150 Aatsesteenweg, 7850 Edingen

Doe een bod van
350.000 €

Presentatiebeeld van het pand n° 289408
Uit de hand
  • Referentie: 289408
  • Il s’agit d’une Villa 4 façades bel étage, avec garage en sous sol, construite en 1966, sise Chaussée D'Ath 150, cadastrée section A, numéro(s) 376K P0000, pour une contenance de treize ares nonante centiares (13a 90ca). Revenu Cadastral non indexé: mille quatre cent dix euros (€ 1.410,00). Au rez de chaussée le bien est composé : Un hall d'entrée, un wc, salle à manger avec feu ouvert Une cuisine non équipée, la salle de bain (bain, lavabo, bidet), une chambre, Tout sous caves avec accès au jardin et grand garages (porte en bois). Au premier étage le bien est composé : A l'étage, un hall deux grandes chambres et à l'arrière grenier aménageable). À l’extérieur, le bien dispose : Terrasse balcon, beau jardin clôturé avec aire de manœuvre et porte électrique. Le bien est équipé des commodités suivantes : Des châssis double vitrage ; Toiture en ardoise asbeste non isolée ; Volet en bois à Battant; Chauffage central au mazout, chaudière ACV avec production d'eau chaude. Citerne à mazout de 5000l (à déclarer à la commune). Une citerne d'eau avec pompe électrique (relié au WC et machine). Électricité à refaire. Conforme au plan cadastral. Superbe situation à proximité de l'autoroute A8.
  • Aantal kamers: 3
  • Aantal badkamers: 1
  • Kadastraal inkomen: 1410 €
  • Vrij vanaf: Bij de akte
  • Jean-Charles DASSELEER, Notaire
  • Contactpersoon: Stefano VACCA
  • Tel: (065) 78.43.32
  • Email: stefano.vacca.133066@belnot.be
  • Bezoekgegevens
  • sur RDV avec l'Etude

Huizen

114 Rue de la Montagne, 6240 Farciennes

Doe een bod van
70.000 €

Presentatiebeeld van het pand n° 290790
Online openbare verkoop
  • Referentie: 290790
  • Composition : Rez-de-chaussée : Hall d’entrée, bureau, salon, salle à manger, salle de bains, buanderie. 1er étage : 3 chambres. - Grenier - Cave - Jardin avec grande remise - Châssis double vitrage (en façade) - Raccordement à l’égout - Raccordement au gaz de ville - Pas de chauffage central - Poêle aux pellets -Cadastre et superficie : section A numéro 0191D3P0000 Contenance : 5a 20ca R.C. : 446 €
  • Aantal kamers: 3
  • Aantal badkamers: 1
  • Lopende verkoop
  • Startdatum: 21/01/2026 13:00
  • Einddatum: 29/01/2026 13:00
  • Geen bod: 1000 €
  • Kadastraal inkomen: 446 €
  • Vrij vanaf: Andere
  • Nicolas Rousseaux, Notaire
  • Contactpersoon: Jackie CARLIER
  • Tel: (071) 31.47.18
  • Email: jackie.carlier.127183@belnot.be
  • Bezoekgegevens
  • Informations sur la vente en l'étude et pour les visites contacter le service GIL au 071/38.84.49 (option 1)

Appartementen

70 Mutsaardlaan, 1020 Brussel

Doe een bod van
160.000 €

Presentatiebeeld van het pand n° 290489
Online openbare verkoop
  • Referentie: 290489
  • In een appartementsgebouw « Parc du Forum » Paviljoen I gelegen Mutsaardlaan 70-74 Het appartement nr 23 op 6e verd. Omvattende inkomhal, keuken, living met terras, badkamer, wc, 2 slaapkamers, hal (aangrenzend aan dit appartement), kelder nr 23 op ondergr. verd. N.g.k.i. 1.031€. Vrij bij akte. Woongebied met residentieel karakter. EPC D-. Contr. eleltr. niet conform. Bezoeken : dinsdagen 9-16-23-30/12, 6/1 van 12u30-14u30 en zaterdagen 6-13-20-27/12, 3/1 van 9-11u. Begin biedingen : dinsdag 30.12.25 om 13u - Einde biedingen : woensdag 07.01.26 om 13u - Instelprijs : 160.000€ - Bodverhoging : 1.000€ - Ondertekening akte : vrijdag 09.01.26 om 17u - www.biddit.be - Ref. pand : 290489.
  • Aantal kamers: 2
  • Aantal badkamers: 1
  • Lopende verkoop
  • Startdatum: 30/12/2025 13:00
  • Einddatum: 07/01/2026 13:00
  • Geen bod: 1000 €
  • Kadastraal inkomen: 1031 €
  • Vrij vanaf: Bij de akte
  • Jean-Pierre MARCHANT Notaire - Notaris
  • Contactpersoon: Jean-Pierre MARCHANT
  • Tel: (02) 374.35.74
  • Email: jpmarchant@marchant.be
  • Bezoekgegevens
  • dinsdagen 9-16-23-30/12, 6/1 van 12u30-14u30 en zaterdagen 6-13-20-27/12, 3/1 van 9-11u.

Gronden

8 amberloup, 6680 Amberloup

Doe een bod van
20.000 €

Presentatiebeeld van het pand n° 290791
Uit de hand
  • Referentie: 290791
  • Terrain de 68a 04ca à Tonny "rue des Vieilles Ecoles", en zone d'habitat à caractère rural et zone agricole, cadastré Commune de SAINTE-ODE - 1ère division Amberloup (82001) - section C : numéros 0019BP0000 et 0022AP0000, largeur à rue d'environ 46m, en zone d'assainissement collectif, traversé par un cours d'eau + contenant une wateringue + en zone d'aléa d'inondation faible à élevé. Vente sous régime des droits d'enregistrement. Le prix annoncé est une base de négociation n'engageant pas le vendeur. Les informations sont fournies à titre indicatif et non contractuel.
  • Kadastraal inkomen: 16 €
  • Vrij vanaf: Bij de akte
  • Quentin BOINET - société notariale
  • Contactpersoon: Pascal LIEGEOIS
  • Tel: (061) 21.11.22
  • Email: pascal.liegeois.131656@belnot.be
  • Bezoekgegevens
  • Sur rendez-vous via l'étude (061/21.11.22)

Gronden

Rue de la Pannerie, 6120 Jamioulx

Presentatiebeeld van het pand n° 290794
Openbare verkoop
  • Referentie: 290794
  • a vendre par BIDDIT divers lots de terrain à bâtir , 1) lot 8 : Une parcelle de « terrain à bâtir », cadastrée section B numéro 162H P0000, pour une contenance de onze ares quatre-vingt-cinq centiares (11a 85ca) ; 2) lot 9 : Une parcelle de « terrain à bâtir », cadastrée section B numéro 162K P0000, pour une contenance de seize ares septante-cinq centiares (16a 75ca) 3) lot 13 Une parcelle de « terrain à bâtir », cadastrée section B numéro 162P P0000, pour une contenance de neuf ares quatre-vingt-huit centiares (9a 88ca) 4) lot 14 : Une parcelle de « terrain à bâtir », cadastrée section B numéro 162R P0000, pour une contenance de huit ares soixante-cinq centiares (8a 65ca) 5) lot 15 : Une parcelle de « terrain à bâtir », cadastrée section B numéro 162S P0000, pour une contenance de neuf ares soixante-neuf centiares (9a 69ca) 6) lot 16 : Une parcelle de « terrain à bâtir », cadastrée section B numéro 162T P0000, pour une contenance de huit ares nonante-six centiares (8a 96ca) 7) lot 21 : Une parcelle de « terrain à bâtir », cadastrée section B numéro 162Z P0000, pour une contenance de douze ares onze centiares (12a 11ca) 8) lot 23 Une parcelle de « terrain à bâtir », cadastrée section B numéro 162B2 P0000, pour une contenance de huit ares septante-quatre centiares (8a 74ca) 9) lot 24 :Une parcelle de « terrain à bâtir », cadastrée section B numéro 162C2 P0000, pour une contenance de six ares septante-six centiares (6a 76ca) 10) lot 25 : Une parcelle de « terrain à bâtir », cadastrée section B numéro 162D2 P0000, pour une contenance de huit ares quatre-vingt un centiares (8a 81ca) 11) lot 26: Une parcelle de « terrain à bâtir », cadastrée section B numéro 162E2 P0000, pour une contenance de sept ares quatre-vingt-deux centiares (7a 82ca) 12) lot 27 : Une parcelle de « terrain à bâtir », cadastrée section B numéro 162F2 P0000, pour une contenance de sept ares trente-cinq centiares (7a 35ca) Conditions Toute personne souhaitant se porter acquéreur de l’un des lots ci-après décrit devra respecter les conditions suivantes : - Agir en qualité de personnes physiques ; - Être domicilié dans la commune de Ham-sur-Heure-Nalinnes depuis au moins six mois ou avoir été domicilié dans la commune de Ham-sur-Heure-Nalinnes durant au moins cinq années ; - Nul ne pourra acquérir plus d’un lot ; - Sauf en cas de force majeure appréciée par le Conseil communal, dans les cinq ans de la vente, l’adjudicataire sera tenu d’ériger sur la parcelle objet de la vente une habitation. A défaut de remplir cette obligation, la vente sera annulée de plein droit, après mise en demeure signifié par exploit d’huissier à la diligence de la Commune. En tout état de cause, il est interdit à l’adjudicataire ou à ses ayants-droits de revendre le terrain nu, c’est-à-dire avant l’achèvement des travaux de construction du gros-œuvre. Cette stipulation est une condition essentielle de la vente dont le non-respect entrainera de plein droit sa résolution. - Toute revente du bien même construit dans les cinq ans de la vente sera soumis à autorisation de la Commune.
  • Vrij vanaf: Bij de akte
  • MAUFROID Anne
  • Contactpersoon: Jean-Michel HYPERSIEL
  • Tel: (071) 21.30.47
  • Email: jeanmichel.hypersiel.124016@belnot.be

Huizen

118 Citadelstraat, 7712 Herseaux

Doe een bod van
540.000 €

Presentatiebeeld van het pand n° 290735
Uit de hand
  • Referentie: 290735
  • 0478 20 35 65 A VENDRE – MAISON avec garage, carport, 5 chambres, jardin, atelier, partie professionnelle, terrain, à proximité immédiate de toutes commodités Possibilités multiples d’exploitation, bien idéal pour une profession libérale. Adresse : HERSEAUX, Rue de la Citadelle, 118 - 5 chambres - Maison + Partie professionnelle (bureau) + Atelier + Terrain - Jardin - Garage + carport -Superficie du terrain : 3270 m² - PEB E Maison comprenant : -Sous-sol : cave -Rez-de-chaussée : hall d’entrée, salon (cheminée), salle à manger, cuisine équipée avec vue jardin, wc avec lave-mains, partie professionnelle (comprenant bureau, salle d’attente, porte accoustique, accès vers l’extérieur) -1er étage : hall de nuit, 5 chambres, wc -2ème étage : grand grenier aménageable -Extérieur : jardin, terrasse, parking, atelier, garage, carport Carrelage et plancher bois au rez-de-chaussée + parquet flottant à l’étage Chauffage central au gaz. Châssis aluminium double-vitrage (anti-effraction, thermique, accoustique, déperlant). Système d’alarme. Citerne 20000 litres avec groupe hydrophore. Puits. Screen + stores automatiques. Cheminée busée. Grille automatique. Superficie : 3270 m² – Superficie utile : 320 m² – RC : 2969 Euros Pour les possibilités de construction, s’adresser à l’Urbanisme de la Ville de MOUSCRON. Maison idéalement située, proche de toutes commodités (axes routiers et autoroutiers, transports en commun, nombreux commerces, écoles, église, …). Rédiger une offre pour ce bien : https://actalex.be/modele-doffre/ Prix et renseignements communiqués à titre informatif, sous réserve de confirmation
  • Aantal kamers: 5
  • Oppervlakte van het woongedeelte: 320m2
  • Kadastraal inkomen: 2969 €
  • Vrij vanaf: Te bepalen
  • ACTALEX NOTAIRES ASSOCIES - GEASSOCIEERDE NOTARISSEN
  • Contactpersoon: Dorothée CALLEWAERT
  • Tel: (056) 56.20.40
  • Email: dorothee.callewaert.460040@belnot.be
  • Bezoekgegevens
  • 0478/203565

Garage

184 Rue Horloz, 4420 Saint-Nicolas

Doe een bod van
29.000 €

Presentatiebeeld van het pand n° 290751
Uit de hand
  • Referentie: 290751
  • OPTION - Garage fermé de 54 m² situé en recul de la route (environ 10 mètres). Porte métallique (2,5 X 2,5 m). Accessible via une cour commune. Sol en béton. Profondeur : environ 6,5 mètres. Possibilité de stockage ou garage pour 3 voitures. Visites sur rendez-vous en appelant l'étude au 04/234.73.11 entre 9h et 16h30 et en dehors de ces heures, au 0471/23.38.58.
  • Kadastraal inkomen: 69 €
  • Vrij vanaf: Bij de akte
  • ADVENTILL, société notariale
  • Contactpersoon: Florence LAMBERT
  • Tel: (04) 234.73.11
  • Email: immo@etudenotariale.be
  • Bezoekgegevens
  • Sur rendez-vous au 04/234.73.11

Huizen

29 Rue des Muguets, 4420 Saint-Nicolas

Doe een bod van
299.000 €

Presentatiebeeld van het pand n° 290748
Uit de hand
  • Referentie: 290748
  • OPTION - Jolie maison bel-étage récemment rénovée, située sur les hauteurs de Saint-Nicolas et dans une rue calme en cul-de-sac, proche des commerces et facilités. Au rez-de-chaussée : un hall d'entrée, un garage (avec porte sectionnelle motorisée), une buanderie avec accès au jardin, et une chambre de 13 m². Au premier étage, un hall menant à : un séjour de 24 m², une cuisine équipée de 10 m², une chambre de 13 m² avec dressing, une salle de bains et une salle de douche avec WC. Sous-sol : une cave. Extérieurs : un joli petit jardin et deux terrasses. Equipements : chauffage central au gaz, châssis en PVC double vitrage avec volets électriques, citerne d'eau de pluie (raccordée au WC). PEB : D. Installation électrique conforme. Opportunité à ne pas rater - à découvrir rapidement ! Visites sur rendez-vous en appelant l'étude au 04/234.73.11 entre 9h et 16h30 et en dehors de ces heures, au 0471/23.38.58.
  • Aantal kamers: 2
  • Oppervlakte van het woongedeelte: 159m2
  • Aantal badkamers: 1
  • Kadastraal inkomen: 956 €
  • Vrij vanaf: Bij de akte
  • ADVENTILL, société notariale
  • Contactpersoon: Florence LAMBERT
  • Tel: (04) 234.73.11
  • Email: immo@etudenotariale.be
  • Bezoekgegevens
  • Sur rendez-vous au 04/234.73.11

Huizen

30 rue Gréroire, 6040 Jumet

Doe een bod van
175.000 €

Presentatiebeeld van het pand n° 290688
Uit de hand
  • Referentie: 290688
  • Charmante maison à parachever – Gros potentiel & environnement paisible ! Découvrez cette belle opportunité située dans un cadre calme et verdoyant. Une maison offrant un volume généreux, une belle luminosité et la possibilité d’aménager chaque espace selon vos envies. Composition du bien Rez-de-chaussée : • Entrée menant directement à la pièce de séjour • sur la droite, une annexe dont la hauteur a été surélevée sans autorisation urbanistique, avec accès extérieur. • Grand espace ouvert salon – salle à manger – cuisine, traversant et très lumineux Étage : • Deux beaux espaces modulables à aménager selon vos besoins : chambres, bureau, salle de jeux… (Accès à prévoir) Niveau du jardin : • Plusieurs pièces dont chaufferie, accessibles par le terrain en pente à l’arrière. Extérieurs Un grand jardin offrant : • Une serre • Un pigeonnier • Des bâtiments anciens pouvant servir de garage, atelier ou abris • Un terrain à front de rue potentiellement constructible (zone d'habitat) Caractéristiques techniques • Toiture refaite (couverture + longerons) • Poutrains-claveaux à l’étage • Sols en béton • Châssis anciens • Chaudière au mazout ancienne • Citerne d’eau de pluie avec pompe Travaux encore à réaliser : • Plafonnage • Revêtements de sols • Isolation de toiture • Installation électrique • Chauffage • Sanitaires … et finitions selon vos préférences
  • Aantal kamers: 3
  • Oppervlakte van het woongedeelte: 143m2
  • Aantal badkamers: 1
  • Kadastraal inkomen: 331 €
  • Vrij vanaf: Bij de akte
  • NOTAIRES GROSFILS
  • Contactpersoon: Julien GOOSSENS
  • Tel: (071) 32.50.23
  • Email: julien.goossens.130153@belnot.be
  • Bezoekgegevens
  • En contactant l'étude des Notaires Astrid & Bernard Grosfils, à Lodelinsart au 071/20.15.54

Gronden

Wanveldstraat, 3730 Werm

Doe een bod van
21.000 €

Presentatiebeeld van het pand n° 249384
Uit de hand
  • Referentie: 249384
  • Het perceel gelegen te Hoeselt (Werm) aan de Wanveldstraat, ter plaatse genaamd 'Het Tungers Veld' (sectie A nummer 429A), is verpacht. De verkoop geschiedt ONDER DE OPSCHORTENDE VOORWAARDE VAN NIET-UITOEFENING VAN HET RECHT VAN VOORKOOP DOOR DE PACHTER. VERKOOP DOOR INSCHRIJVING ONDER GESLOTEN OMSLAG De inschrijving dient te gebeuren onder gesloten omslag, die aan het kantoor Geassocieerde Notarissen Rembert VAN BAEL-Cathérine GIELEN, Graanmarkt 1, 3700 Tongeren-Borgloon, tijdens de kantooruren, uiterlijk op 12 februari 2026, om 09.30 uur, bezorgd dient te worden tegen ontvangstbewijs; het kantoor is geopend op maandag, woensdag en donderdag van 09.00 u tot 12.30 u en van 13.30 u tot 18.00 u; op dinsdag van 09.00 u tot 12.30 u en van 13.30 u tot 18.30 u; op vrijdag van 09.00 u tot 13.00 u. Inschrijvingen dienen onvoorwaardelijk te zijn en uitgebracht te worden zonder opschortende voorwaarden, behoudens opschortende voorwaarde van niet-uitoefening van het voorkooprecht door de pachter. De inschrijvingen dienen te gebeuren tegen een vaste prijs voor het gehele goed. Op 12 februari 2026, om 11 uur, worden de gesloten omslagen met de inschrijvingen opengemaakt op het kantoor Geassocieerde Notarissen Rembert VAN BAEL-Cathérine GIELEN, in aanwezigheid van de vertegenwoordiger van de verkoper. Zodra de hoogste inschrijving bekend is, zal de notaris het recht van voorkoop aan de pachter aanbieden volgens de voorschriften van de pachtwet per aangetekende brief, uiterlijk binnen de acht dagen na de opening van de inschrijvingen. Als de pachter zijn recht van voorkoop niet uitoefent noch overdraagt volgens de voorschriften van de pachtwet, zal de notaris de hoogste inschrijver uitnodigen voor het verlijden van de verkoopakte.
  • Kadastraal inkomen: 30 €
  • Vrij vanaf: Andere
  • Rembert VAN BAEL - Cathérine GIELEN, Geassocieerde Notarissen
  • Contactpersoon: Ingrid MEURMANS
  • Tel: (012) 23.04.13
  • Email: ingrid.meurmans.104232@belnot.be

Gronden

19 Geburestraat, 3201 Langdorp

Doe een bod van
280.000 €

Presentatiebeeld van het pand n° 290766
Uit de hand
  • Referentie: 290766
  • Ruim perceel bouwgrond van 8a31ca geschikt voor open bebouwing in een rustige, groene omgeving in Langdorp. Sectie F nr 0111ZP0000. Het perceel biedt een brede straatwal, een gunstige oriëntatie en een vlotte verbinding naar Aarschot, scholen en winkels. Ideale locatie voor wie rustig wil wonen met alle voorzieningen dichtbij. De algemene bouwrichtlijnen zijn van toepassing op het perceel: " Bouwdiepte: max. 15 m op het gelijkvloers en max. 12 m op de eerste verdieping. " Kroonlijsthoogte voor het gedeelte met 2 bouwlagen max. 6 m (gemeten t.o.v. het maaiveld) bij een hellend dak; max. 6,50 m (gemeten t.o.v. het maaiveld) bij een plat dak. " Afstand tot de zijdelingse perceelsgrenzen: min. 3 m. " Maximaal 40m² aan bijgebouwen " Diepte tuin: steeds min. 10 m. P score: A
  • Vrij vanaf: Bij de akte
  • GEERINCKX & CALLEWAERT, geassocieerde notarissen
  • Contactpersoon: Hanne GHYS
  • Tel: (016) 56.63.61
  • Email: hanne.ghys@notarisgeerinckx.be

Gronden

Wijngaerds Bosstraat, 3730 Hoeselt

Doe een bod van
17.000 €

Presentatiebeeld van het pand n° 249476
Uit de hand
  • Referentie: 249476
  • Het perceel gelegen te Hoeselt aan de Wijngaerds Bosstraat, ter plaatse genaamd 'Het Bosch Veldje' (sectie M nummer 716A), is verpacht. De verkoop geschiedt ONDER DE OPSCHORTENDE VOORWAARDE VAN NIET-UITOEFENING VAN HET RECHT VAN VOORKOOP DOOR DE PACHTER. VERKOOP DOOR INSCHRIJVING ONDER GESLOTEN OMSLAG De inschrijving dient te gebeuren onder gesloten omslag, die aan het kantoor Geassocieerde Notarissen Rembert VAN BAEL-Cathérine GIELEN, Graanmarkt 1, 3700 Tongeren-Borgloon, tijdens de kantooruren, uiterlijk op 12 februari 2026, om 09.30 uur, bezorgd dient te worden tegen ontvangstbewijs; het kantoor is geopend op maandag, woensdag en donderdag van 09.00 u tot 12.30 u en van 13.30 u tot 18.00 u; op dinsdag van 09.00 u tot 12.30 u en van 13.30 u tot 18.30 u; op vrijdag van 09.00 u tot 13.00 u. Inschrijvingen dienen onvoorwaardelijk te zijn en uitgebracht te worden zonder opschortende voorwaarden, behoudens opschortende voorwaarde van niet-uitoefening van het voorkooprecht door de pachter. De inschrijvingen dienen te gebeuren tegen een vaste prijs voor het gehele goed. Op 12 februari 2026, om 11 uur, worden de gesloten omslagen met de inschrijvingen opengemaakt op het kantoor Geassocieerde Notarissen Rembert VAN BAEL-Cathérine GIELEN, in aanwezigheid van de vertegenwoordiger van de verkoper. Zodra de hoogste inschrijving bekend is, zal de notaris het recht van voorkoop aan de pachter aanbieden volgens de voorschriften van de pachtwet per aangetekende brief, uiterlijk binnen de acht dagen na de opening van de inschrijvingen. Als de pachter zijn recht van voorkoop niet uitoefent noch overdraagt volgens de voorschriften van de pachtwet, zal de notaris de hoogste inschrijver uitnodigen voor het verlijden van de verkoopakte.
  • Kadastraal inkomen: 22 €
  • Vrij vanaf: Andere
  • Rembert VAN BAEL - Cathérine GIELEN, Geassocieerde Notarissen
  • Contactpersoon: Ingrid MEURMANS
  • Tel: (012) 23.04.13
  • Email: ingrid.meurmans.104232@belnot.be

Gronden

Tapstraat, 3700 Lauw

Doe een bod van
6.210 €

Presentatiebeeld van het pand n° 249295
Uit de hand
  • Referentie: 249295
  • Het perceel gelegen te Tongeren (Lauw) aan de Tapstraat, ter plaatse genaamd 'Onder de Sleyberg' (sectie A nummer 385A), is verpacht. De verkoop geschiedt ONDER DE OPSCHORTENDE VOORWAARDE VAN NIET-UITOEFENING VAN HET RECHT VAN VOORKOOP DOOR DE PACHTER. VERKOOP DOOR INSCHRIJVING ONDER GESLOTEN OMSLAG De inschrijving dient te gebeuren onder gesloten omslag, die aan het kantoor Geassocieerde Notarissen Rembert VAN BAEL-Cathérine GIELEN, Graanmarkt 1, 3700 Tongeren-Borgloon, tijdens de kantooruren, uiterlijk op 12 februari 2026, om 09.30 uur, bezorgd dient te worden tegen ontvangstbewijs; het kantoor is geopend op maandag, woensdag en donderdag van 09.00 u tot 12.30 u en van 13.30 u tot 18.00 u; op dinsdag van 09.00 u tot 12.30 u en van 13.30 u tot 18.30 u; op vrijdag van 09.00 u tot 13.00 u. Inschrijvingen dienen onvoorwaardelijk te zijn en uitgebracht te worden zonder opschortende voorwaarden, behoudens opschortende voorwaarde van niet-uitoefening van het voorkooprecht door de pachter. De inschrijvingen dienen te gebeuren tegen een vaste prijs voor het gehele goed. Op 12 februari 2026, om 11 uur, worden de gesloten omslagen met de inschrijvingen opengemaakt op het kantoor Geassocieerde Notarissen Rembert VAN BAEL-Cathérine GIELEN, in aanwezigheid van de vertegenwoordiger van de verkoper. Zodra de hoogste inschrijving bekend is, zal de notaris het recht van voorkoop aan de pachter aanbieden volgens de voorschriften van de pachtwet per aangetekende brief, uiterlijk binnen de acht dagen na de opening van de inschrijvingen. Als de pachter zijn recht van voorkoop niet uitoefent noch overdraagt volgens de voorschriften van de pachtwet, zal de notaris de hoogste inschrijver uitnodigen voor het verlijden van de verkoopakte.
  • Kadastraal inkomen: 8 €
  • Vrij vanaf: Andere
  • Rembert VAN BAEL - Cathérine GIELEN, Geassocieerde Notarissen
  • Contactpersoon: Ingrid MEURMANS
  • Tel: (012) 23.04.13
  • Email: ingrid.meurmans.104232@belnot.be

Gronden

Tapstraat, 3700 Lauw

Doe een bod van
24.955 €

Presentatiebeeld van het pand n° 249335
Uit de hand
  • Referentie: 249335
  • Het perceel gelegen te Tongeren (Lauw) nabij de Tapstraat, ter plaatse genaamd 'Onder de Sleyberg' (sectie A nummer 387A), is verpacht. De verkoop geschiedt ONDER DE OPSCHORTENDE VOORWAARDE VAN NIET-UITOEFENING VAN HET RECHT VAN VOORKOOP DOOR DE PACHTER. VERKOOP DOOR INSCHRIJVING ONDER GESLOTEN OMSLAG De inschrijving dient te gebeuren onder gesloten omslag, die aan het kantoor Geassocieerde Notarissen Rembert VAN BAEL-Cathérine GIELEN, Graanmarkt 1, 3700 Tongeren-Borgloon, tijdens de kantooruren, uiterlijk op 12 februari 2026, om 09.30 uur, bezorgd dient te worden tegen ontvangstbewijs; het kantoor is geopend op maandag, woensdag en donderdag van 09.00 u tot 12.30 u en van 13.30 u tot 18.00 u; op dinsdag van 09.00 u tot 12.30 u en van 13.30 u tot 18.30 u; op vrijdag van 09.00 u tot 13.00 u. Inschrijvingen dienen onvoorwaardelijk te zijn en uitgebracht te worden zonder opschortende voorwaarden, behoudens opschortende voorwaarde van niet-uitoefening van het voorkooprecht door de pachter. De inschrijvingen dienen te gebeuren tegen een vaste prijs voor het gehele goed. Op 12 februari 2026, om 11 uur, worden de gesloten omslagen met de inschrijvingen opengemaakt op het kantoor Geassocieerde Notarissen Rembert VAN BAEL-Cathérine GIELEN, in aanwezigheid van de vertegenwoordiger van de verkoper. Zodra de hoogste inschrijving bekend is, zal de notaris het recht van voorkoop aan de pachter aanbieden volgens de voorschriften van de pachtwet per aangetekende brief, uiterlijk binnen de acht dagen na de opening van de inschrijvingen. Als de pachter zijn recht van voorkoop niet uitoefent noch overdraagt volgens de voorschriften van de pachtwet, zal de notaris de hoogste inschrijver uitnodigen voor het verlijden van de verkoopakte.
  • Kadastraal inkomen: 35 €
  • Vrij vanaf: Andere
  • Rembert VAN BAEL - Cathérine GIELEN, Geassocieerde Notarissen
  • Contactpersoon: Ingrid MEURMANS
  • Tel: (012) 23.04.13
  • Email: ingrid.meurmans.104232@belnot.be

Gronden

Binnenweg, 2570 Duffel

Doe een bod van
160.000 €

Presentatiebeeld van het pand n° 290767
Online openbare verkoop
  • Referentie: 290767
  • Bestemd voor halfopen bebouwing. Met een oppervlakte van 560m². Lot 4 op het verkavelingsplan. Wg, Gvg, Gmo, Gvkr, Vv. BEZOEK: vrij te bezichtigen vanaf de openbare weg. P score: D
  • Lopende verkoop
  • Startdatum: 19/01/2026 12:00
  • Einddatum: 27/01/2026 12:00
  • Geen bod: 1000 €
  • Vrij vanaf: Bij de akte
  • Coussement & Liekens notarissen
  • Contactpersoon: Jeroen DE JONGE
  • Tel: (015) 31.12.11
  • Email: jeroen@clnotarissen.be
  • Bezoekgegevens
  • vrij te bezichtigen vanaf de openbare weg

Huizen

14 Rue Baudouin 1er, 6180 Courcelles

Doe een bod van
220.000 €

Presentatiebeeld van het pand n° 290752
Uit de hand
  • Referentie: 290752
  • Belle maison 3 façades pouvant convenir pour profession libérale comprenant: Rez: hall, bureau, séjour, salle à manger, cuisine, petit garage, jardin. Etage: 2 chambres, bureau, salle de bain Grenier aménagé comprenant 1 chambre Caves
  • Aantal kamers: 3
  • Kadastraal inkomen: 594 €
  • Vrij vanaf: Bij de akte
  • LEBRUN Olivier
  • Contactpersoon: Laurence SCORNAUX
  • Tel: (071) 45.56.47
  • Email: laurence.scornaux.111690@belnot.be
  • Bezoekgegevens
  • RDV à prendre avec l'étude du Notaire Olivier LEBRUN (071/45.56.47)

Gronden

Basseye, 8956 Kemmel

Doe een bod van
571.957 €

Presentatiebeeld van het pand n° 290779
Uit de hand
  • Referentie: 290779
  • Negen percelen landbouwgrond (verpacht) met een totale oppervlakte van 6ha 72a 89ca (143A, 141B, 246A, 258G, 258F, 240, 242, 245A, 244). P score: D
  • Vrij vanaf: Andere
  • GEASSOCIEERDE NOTARISSEN DEERLIJK
  • Contactpersoon: Kantoor Notarissen Deerlijk
  • Tel: (056) 73.87.11
  • Email: info@notarissen-deerlijk.be

Huizen

12 Rue de Philippeville, 5360 Hamois

Doe een bod van
150.000 €

Presentatiebeeld van het pand n° 290778
Online openbare verkoop
  • Referentie: 290778
  • Hamois : Située dans un quartier calme, une maison 3 façades avec grand jardin arboré qui se compose de : - au rez-de-chaussée : un hall d’entrée, un salon, une salle à manger, une cuisine, un W.C., un bureau, une chambre, une buanderie, un garage ; - au 1er étage : trois chambres (dont deux en enfilade), une salle de douche ; - au 2ème étage : un grenier non aménageable ; - au sous-sol : une petite cave ; - en extérieur : un grand jardin arboré. Châssis : simple vitrage en bois. Chauffage : central au mazout.
  • Aantal kamers: 4
  • Lopende verkoop
  • Startdatum: 05/01/2026 10:00
  • Einddatum: 13/01/2026 10:00
  • Geen bod: 1000 €
  • Kadastraal inkomen: 842 €
  • Vrij vanaf: Bij de akte
  • Philippe de WASSEIGE, Notaire
  • Contactpersoon: Philippe de WASSEIGE
  • Tel: (084) 24.53.34
  • Email: philippe.dewasseige@belnot.be

Huizen

26 Rue de l'American-Legion, 6600 Bastogne

Doe een bod van
165.000 €

Presentatiebeeld van het pand n° 290777
Online openbare verkoop
  • Referentie: 290777
  • L'Étude du Notaire LOCHET vous invite à venir découvrir cette belle propriété implantée sur une parcelle d'une superficie totale de 546m², au centre de Bastogne dans un quartier résidentiel convoité. La maison se compose au rez-de-chaussée d'un hall d'entrée desservant l'accès aux pièces de vie, à un débarras, à l'escalier menant à l'étage, à un wc ainsi qu'à une annexe actuellement servant de buanderie et de chaufferie. Les pièces de vie se composent d'une salle à manger avec grande baie vitrée, d'un salon avec poêle à bois ainsi qu'une cuisine équipée. Un accès au jardin et à la terrasse se trouve dans la cuisine. Au premier étage se trouvent 4 chambres, une salle de douche avec évier et une salle d'eau avec wc. Joignant la maison se trouve une annexe pouvant servir de garage. Pour terminer, la maison est entourée d'un jardin arboré à l'abris des regards. Aspects techniques : PEB C, chaudière à mazout, double vitrage (châssis PVC et bois), électricité à revoir. Situation : localisée au centre de Bastogne dans le quartier résidentiel de l'American Légion, la maison se trouve à 500 mètres du centre-ville de Bastogne et de toutes ses commodités. Elle est idéalement située avec un accès aisé aux axes routiers vers le Grand-Duché du Luxembourg, ainsi que les villes de Libramont, d'Arlon ou encore de Liège. Pour plus de renseignements ou pour organiser une visite, contacter l'Étude du Notaire Georges LOCHET au 063/60.02.70 ou via marie.vanweijnen.460020@belnot.be
  • Aantal kamers: 4
  • Oppervlakte van het woongedeelte: 206m2
  • Lopende verkoop
  • Startdatum: 08/01/2026 10:00
  • Einddatum: 16/01/2026 10:00
  • Geen bod: 1000 €
  • Kadastraal inkomen: 922 €
  • Vrij vanaf: Bij de akte
  • Georges LOCHET - Société Notariale
  • Contactpersoon: Marie VAN WEIJNEN
  • Tel: (063) 60.02.70
  • Email: marie.vanweijnen.460020@belnot.be
  • Bezoekgegevens
  • Visites sur rendez-vous pris au préalable en l'Etude.

Gronden

Rue de Guerlange, 6780 Messancy

Doe een bod van
10.000 €

Presentatiebeeld van het pand n° 287135
Uit de hand
  • Referentie: 287135
  • L'étude présente à la vente 12 terrains à bâtir, dans un lotissement entièrement équipé (double raison d'égouttage). - 8 lots pour des maisons 3 façades; - 4 lots pour des maisons 4 façades; Contenance allant de 4 a67ca à 14a56 ca Prix: à partir de 10.000 €/l'are; Les terrains, exposés Sud, se situent à la sortie du village de Longeau, dans un environnement naturel. Les terrains sont vendus libres de constructeur. Possibilité d'acquérir avec le lot 1, une pâture d'une contenance de 1ha73a (libre de bail).
  • Vrij vanaf: Bij de akte
  • Céline-Marie BECHET & Florence SCHMIT - notaires associés
  • Contactpersoon: Celine-Marie BECHET
  • Tel: (063) 45.51.14
  • Email: celinemarie.bechet@belnot.be

Gronden

Herderenweg, 3740 Bilzen

Doe een bod van
58.000 €

Presentatiebeeld van het pand n° 290786
Uit de hand
  • Referentie: 290786
  • Perceel landbouwgrond van 01ha 05a 24ca te koop via de procedure van verkoop onsder gesloten omslag. Verpacht (voorkooprecht). Geen Vergunning, agrarisch gebied, P-score: A. De kandidaat-kopers dienen een schriftelijk bod onder gesloten omslag te overhandigen aan het kantoor van notaris Joel Vangronsveld te 3740 Bilzen-Hoeselt, Eigenbilzenstraat 71, die zijn ambt uitoefent in de besloten vennootschap "DELTA Notarissen", met antennes te Sint-Truiden, Hasselt, Bilzen-Hoeselt en Lanaken en met ondernemingsnummer BTW BE0778.247.430. De periode waarin dit bod kan gedaan worden loopt van maandag 05 januari 2026 vanaf 09:00 tot vrijdag 30 januari 2026 tot 12:00. De minimum inzetprijs werd vastgesteld op € 58.000,00. P score: A
  • Kadastraal inkomen: 66 €
  • Vrij vanaf: Andere
  • DELTA Notarissen
  • Contactpersoon: Marthe MUNTERS
  • Tel: 011/15.33.09
  • Email: marthe.munters@deltanotarissen.be

Appartementen

4 Giervalkenlaan, 1170 Watermaal-Bosvoorde

Doe een bod van
160.000 €

Presentatiebeeld van het pand n° 287952
Online openbare verkoop
  • Referentie: 287952
  • In een appartementsgebouw gelegen Giervalkenlaan 4 in de rechtervleugel, « Paviljoen XIV » Het appartement n° 28 op 7e verd. Omvattende inkomhal, keuken, living, doorloop, badkamer, wc, 2 slaapkamers, terras, kelder nr 28 op ondergr.verd. N.g.k.i. 1.130€. Vrij van gebruik. Woongebied. EPC E+/220. Contr. elektr. niet conform. Bezoeken vanaf 7/1/26 ENKEL op AFSPRAAK door kontakt op te nemen per mail info@notavisit.be of per telefoon met NOTAVISIT op 0485/00.52.42. Begin biedingen : woensdag 04.02.26 om 12u - Einde biedingen : donderdag 12.02.26 om 12u - Instelprijs : 160.000€ - Bodverhoging : 1.000€ - Ondertekening akte : donderdag 19.02.26 om 10u - www.biddit.be - Ref. pand : 287952.
  • Aantal kamers: 2
  • Aantal badkamers: 1
  • Lopende verkoop
  • Startdatum: 04/02/2026 12:00
  • Einddatum: 12/02/2026 12:00
  • Geen bod: 1000 €
  • Kadastraal inkomen: 1130 €
  • Vrij vanaf: Bij de akte
  • Nathalie d´Hennezel société notariale
  • Contactpersoon: Charlotte DAENEN
  • Tel: (02) 679.00.64
  • Email: charlotte.daenen.127548@belnot.be
  • Bezoekgegevens
  • vanaf 7/1/26 ENKEL op AFSPRAAK door kontakt op te nemen per mail info@notavisit.be of per telefoon met NOTAVISIT op 0485/00.52.42.

Huizen

75 Rue du Cimetière, 4610 Beyne-Heusay

Doe een bod van
185.000 €

Presentatiebeeld van het pand n° 290545
Uit de hand
  • Referentie: 290545
  • Maison avec jardin située à Beyne-Heusay, proche du centre du village, à proximité des commerces et axes routiers. Endroit tranquille. La maison se compose comme suit (mesures approximatives et non contractuelles): Au rez : Hall d’entrée (3,39m²), salon (10,03m²), salle à manger (14,18m²), cuisine semi-équipée (11,78m²), salle de bain (8,02m²). Au 1er étage : chambre gauche (13,84m²) et chambre droite (13,00m²) Au 2ème étage : grenier (30,83m²) Au sous-sol : Cave Extérieur : terrasse et jardin. Panneaux photovoltaïques, châssis bois double vitrage Revenu cadastral non indexé : 437 euros Superficie du terrain d'assiette selon cadastre : 110 mètres carrés
  • Aantal kamers: 2
  • Oppervlakte van het woongedeelte: 130m2
  • Kadastraal inkomen: 437 €
  • Vrij vanaf: Onmiddellijk
  • Anne Françoise HONHON et Christine DÔME, notaires associés
  • Contactpersoon: Ophélie FAUTRE
  • Tel: (04) 223.25.27
  • Email: ophelie.fautre.223755@belnot.be
  • Bezoekgegevens
  • Contacter l'étude au 04/229.23.59 ou à l'adresse ophelie.fautre.223755@belnot.be

Appartementen

4 Sint-Katarinalaan, 3500 Hasselt

Doe een bod van
390.000 €

Presentatiebeeld van het pand n° 290784
Online openbare verkoop
  • Referentie: 290784
  • Licht, ruimte en panoramisch uitzicht over Hasselt – uniek penthouse appartement van 200 m² mét garage! Een ruime inkomhal die een aangenaam, open gevoel creëert bij het binnenkomen. Binnenin valt meteen de uitzonderlijk ruime leefruimte op: een grote living waar zonder moeite een royale zithoek, eethoek én bijkomende invulling zoals een bureau-, speel- of leeshoek geïntegreerd kunnen worden. Aansluitend bevindt zich de ruime, volledig ingerichte keuken, eveneens groot genoeg om nog een extra eet/zithoek te creëren. Praktisch comfort is verzekerd dankzij de grote berging naast de keuken. Het appartement beschikt over drie ruime slaapkamers, waarvan één kamer indien gewenst perfect kan worden opgesplitst in twee afzonderlijke ruimtes, bijvoorbeeld voor een dressing of extra kamer. De badkamer is uitgerust met een ligbad, geïntegreerde douche en dubbele lavabo. Er is bovendien een apart toilet aan de nachthal én nog een tweede, extra ruim toilet aan de andere zijde, samen met een extra bergkast in de inkomhal. Dankzij de aanwezigheid van een lift bereik je het appartement moeiteloos, en geniet je meteen van het exclusieve gevoel van alleen op de bovenste (8ste) verdieping te wonen. Bovendien beschikt het appartement ook nog over een eigen garagebox en een private berging in de ondergrondse verdieping van het gebouw. Dit uitzonderlijke appartement biedt een zeldzame combinatie van privacy, comfort en adembenemende vergezichten. Dankzij het open zicht zowel aan de voor- als achterzijde geniet je hier de hele dag door van licht en rust. De volledige gevels voor- én achteraan zijn uitgerust met ruime terrassen over de gehele lengte, ideaal om te ontspannen of te genieten van de zon. Zo wordt ruimtelijkheid, licht, privacy en een uniek uitzicht gecombineerd in deze uitzonderlijke vondst op de vastgoedmarkt. G score: D P score: D
  • Aantal kamers: 3
  • Oppervlakte van het woongedeelte: 200m2
  • Aantal badkamers: 1
  • Lopende verkoop
  • Startdatum: 06/01/2026 10:00
  • Einddatum: 14/01/2026 10:00
  • Geen bod: 1000 €
  • Kadastraal inkomen: 1442 €
  • Vrij vanaf: Bij de akte
  • MIJN NOTARISSEN
  • Contactpersoon: Inge DE LAAT
  • Tel: (011) 42.57.01
  • Email: inge@mijnnotarissen.be
  • Bezoekgegevens
  • Bezoek is mogelijk op volgende tijdstippen (geen afspraak vereist): woensdag 10/12 van 18u-21u; zaterdag 20/12 van 10u-13u; zondag 28/12 van 13u-16u; zondag 4/01 van 10-12u. Andere bezoekmogelijkheden na telefonisch contact met het notariskantoor.

Huizen

26 Rue Henri Pochez, 7370 Dour

Doe een bod van
65.001 €

Presentatiebeeld van het pand n° 290772
Online openbare verkoop
  • Referentie: 290772
  • COMMUNE DE DOUR - Première division - DOUR. Une maison d'habitation avec toutes ses dépendances et jardin sise rue Henri Pochez, numéro 26, cadastrée section B, numéros 0767HP0000 et 0769P0000, pour huit ares vingt-huit centiares (08a 28ca). Revenu cadastral non indexé : 586,00 €. Composition : Rez-de-chaussée : un hall d’entrée, salon, salle à manger, cuisine semi-équipée (meubles), débarras, salle de bains (lavabo, baignoire, WC, boiler), cave, jardin. Grand garage (3 voitures) et passage latéral. Etage : hall de nuit, 3 chambres, grenier. Poêle pellets/charbon - Nouvelle toiture (isolée). Zone d’habitat au plan de secteur Mons-Borinage. PEB n° 20251011005097, consommation spécifique : 407 kWh/m².an, consommation théorique totale : 91.505 kWh/an, classe énergétique : E.
  • Aantal kamers: 3
  • Aantal badkamers: 1
  • Lopende verkoop
  • Startdatum: 07/01/2026 10:00
  • Einddatum: 15/01/2026 10:00
  • Geen bod: 1000 €
  • Kadastraal inkomen: 586 €
  • Vrij vanaf: Te bepalen
  • Jean-Louis LHÔTE & Roseline MAC CALLUM, notaires associés
  • Contactpersoon: Roseline MAC CALLUM
  • Tel: (065) 65.20.62
  • Email: etude@notaire-lhote.be
  • Bezoekgegevens
  • Merci de prendre rendez-vous auprès de l'étude des Notaires LHOTE et MAC CALLUM à Dour au 065/652062

Huizen

8 Pierre Cocheteux Square, 7700 Luingne

Doe een bod van
305.000 €

Presentatiebeeld van het pand n° 290788
Uit de hand
  • Referentie: 290788
  • 0478/363798 – cyndie.descheemaeker@hotmail.com A VENDRE – MAISON mitoyenne de 2009, avec garage, parking, jardin, 3 chambres, dans un clos prisé calme, proche de toutes commodités (état impeccable) Adresse : LUINGNE, Square Pierre Cocheteux, 8 - 3 chambres (2 au 1er étage, 1 grande au 2ème étage) - Jardin + terrasse - Garage + parking en fond de jardin - PEB B - Droits d’enregistrement 3% (pour un 1er achat – suivant les conditions) Maison comprenant : -Rez-de-chaussée : hall d’entrée avec escalier apparent, WC séparé, séjour avec salon (vue jardin – baie vitrée coulissante), salle à manger, cuisine équipée ouverte avec bar (plaque de cuisson vitrocéramique, hotte télescopique, lave-vaisselle, double évier en inox, frigo/congélateur encastré, plan de travail en composite). -1er étage (hourdis béton) : hall de nuit, WC séparé, 2 chambres, salle de bains (douche, lavabo, arrivées et sortie d’eau pour le placement d’une baignoire), buanderie. -2ème étage (hourdis béton) : grande chambre (Vélux avec persienne motorisée solaire), grenier isolé. -Extérieur : jardin (avant/arrière), terrasse en pierre bleue, parking, garage avec porte sectionnelle électrique. Carrelage partout au rez-de-chaussée + parquet flottant aux étages. Chauffage central au gaz (chaudière à condensation). Châssis bois double-vitrage. Persiennes motorisées au rez-de-chaussée à l’arrière. Screen solaires motorisés . VMC. Citerne d’eau de pluie de 10.000L avec groupe hydrophore relié aux toilettes, robinet extérieur et machine à laver. Compteur électrique bi-horaire. Superficie : 254 m² – superficie utile : 127 m² – RC : 745 Euros Maison idéalement située, proche de toutes commodités (axes routiers et autoroutiers, transports en commun, nombreux commerces, écoles, église, …). Rédiger une offre pour ce bien : https://actalex.be/modele-doffre/ Prix et renseignements communiqués à titre informatif, sous réserve de confirmation
  • Aantal kamers: 3
  • Oppervlakte van het woongedeelte: 127m2
  • Aantal badkamers: 1
  • Kadastraal inkomen: 745 €
  • Vrij vanaf: Te bepalen
  • ACTALEX NOTAIRES ASSOCIES - GEASSOCIEERDE NOTARISSEN
  • Contactpersoon: Dorothée CALLEWAERT
  • Tel: (056) 56.20.40
  • Email: dorothee.callewaert.460040@belnot.be
  • Bezoekgegevens
  • 0478/363798 - cyndie.descheemaeker@hotmail.com

Appartementen

2 quai van Hoegaerden, 4000 Liège

Doe een bod van
135.000 €

Presentatiebeeld van het pand n° 289709
Uit de hand
  • Referentie: 289709
  • hall- WC - débarras - living bien agencé avec coin cuisine à installer - une salle de bains - une chambre avec placards sur mesure - une grande cave archive avec étagères - une cave - pour visiter appeler Mme FABRY 0494 46 16 33
  • Aantal kamers: 1
  • Oppervlakte van het woongedeelte: 65m2
  • Aantal badkamers: 1
  • Kadastraal inkomen: 994 €
  • Vrij vanaf: Bij de akte
  • Ariane DENIS & Auriane GODIN - NOTAIRES ASSOCIEES
  • Contactpersoon: Huguette SIMON
  • Tel: (04) 223.69.44
  • Email: huguette.simon.214485@belnot.be
  • Bezoekgegevens
  • prendrez RV avec Mme FABRY 0494 46 16 33

Appartementen

2 Rue des Tanneurs, 7060 Soignies

Doe een bod van
150.000 €

Presentatiebeeld van het pand n° 290641
Online openbare verkoop
  • Referentie: 290641
  • Bel appartement avec balcon situé au 1er étage (à gauche - porte n°3) avec cave (n°3) au sous-sol et emplacement parking (n°10), comprenant : *hall d'entrée, wc, séjour avec cuisine ouverte, hall de nuit, 2 chambres, salle de bain (bain et évier) *équipement : système d'alarme (Vérisure), chauffage électrique à accumulation, châssis double vitrage en pvc, adoucisseur d'eau **pour tous renseignements complémentaires, n'hésitez pas à contacter l'Etude : 067/33.11.17 ou consulter notre site : www.bricout.be (annonces immobilières)
  • Aantal kamers: 2
  • Oppervlakte van het woongedeelte: 96m2
  • Lopende verkoop
  • Startdatum: 14/01/2026 15:00
  • Einddatum: 22/01/2026 15:00
  • Geen bod: 2000 €
  • Kadastraal inkomen: 1141 €
  • Vrij vanaf: Bij de akte
  • Xavier Bricout, Notaire
  • Contactpersoon: Monique KNAEPEN
  • Tel: (067) 33.11.17
  • Email: monique.knaepen.131557@belnot.be
  • Bezoekgegevens
  • clef en l'Etude

Huizen

21 Chemin de Chièvres, 7860 Lessines

Doe een bod van
182.500 €

Presentatiebeeld van het pand n° 290792
Uit de hand
  • Referentie: 290792
  • Lessines – Maison 3 façades avec 3 garages et 3 chambres Située dans un quartier calme de Lessines, cette maison 3 façades offre un excellent potentiel ainsi que de nombreux atouts recherchés : un jardin, une petite cave saine et surtout trois garages, un vrai plus dans la région ! Le rez-de-chaussée se compose d’un hall d'entrée, d’un WC séparé, d’une cuisine ouverte équipée (évier, hotte, frigo, four, taques électriques, petit chauffe-eau), d’une buanderie (chaudière gaz de ville), et d’un accès direct à l’un des garages. À l’étage, vous trouverez deux chambres et une salle de bain avec baignoire, double lavabo et WC. Le deuxième étage propose une grande chambre ainsi qu’un grenier. La maison bénéficie de volets en façade avant, de châssis double vitrage, du raccordement à l’égout et d’une citerne d’eau de pluie. Caractéristiques techniques : PEB : D Électricité : non conforme Superficie cadastrale : 2a 20ca
  • Aantal kamers: 3
  • Aantal badkamers: 1
  • Kadastraal inkomen: 505 €
  • Vrij vanaf: Bij de akte
  • DEVREUX, Laurent
  • Contactpersoon: Caroline RASSON
  • Tel: (068) 33.24.00
  • Email: caroline.rasson.106781@belnot.be

Huizen

83 Rue des Bruyères, 7034 Obourg

Doe een bod van
71.000 €

Presentatiebeeld van het pand n° 290669
Uit de hand
  • Referentie: 290669
  • Maison avec terrasse, annexe et jardin sur un terrain de 3 a 05 ca. Il se compose de deux étages et d'une cave. Au rez-de-chaussée : un grand living dessert cuisine, salle de douche et une chambre (aménagée en lieu et place du garage). Au premier étage : deux chambres. A l'arrière de la maison: une terrasse et une annexe. Un passage latéral permet d'accéder à l'arrière de la maison. L'ensemble est à rénover entièrement.
  • Aantal kamers: 3
  • Kadastraal inkomen: 312 €
  • Vrij vanaf: Bij de akte
  • Tiphène FREDERIC, Notaire
  • Contactpersoon: Tiphene FRÉDÉRIC
  • Tel: (065) 11.10.10
  • Email: tiphene.frederic@belnot.be
  • Bezoekgegevens
  • S'adresser en l'étude

Huizen

12 Rue des Eglantiers, 4920 Sougné-Remouchamps

Doe een bod van
250.000 €

Presentatiebeeld van het pand n° 290499
Uit de hand
  • Referentie: 290499
  • Belle maison à Sougné-Remouchamps, composée d'un salon/salle à manger, d'une cuisine équipée, d'une arrière cuisine / buanderie, d'une chambre, d'un bureau, d'une salle de bains, d'un WC. Chauffage central au mazout, Cassette à bois. Panneaux photovoltaiques. Deux caves. Grand terrain. Belle vue. Pas de raccordement à l'eau de ville. Visites sur rendez-vous préalables avec l'étude au 04/384.48.41
  • Aantal kamers: 1
  • Kadastraal inkomen: 622 €
  • Vrij vanaf: Bij de akte
  • Etude SCAVEE, MAGHE ET LENELLE
  • Contactpersoon: Jérémy COLARD
  • Tel: (04) 369.15.19
  • Email: jeremy.colard.357711@belnot.be
  • Bezoekgegevens
  • Visites sur rendez-vous préalables avec l'étude au 04/384.48.41

Huizen

98 Groenstraat, 3730 Hoeselt

Doe een bod van
140.000 €

Presentatiebeeld van het pand n° 290725
Online openbare verkoop
  • Referentie: 290725
  • Woning (HOB) met bijgebouwen (o.a. cafetaria), en tuin, groot 7a 9ca, omvattende: De woning zelf: - gelijkvloers: inkomhall met trap naar boven, living en woonkamer met kachel, ruime keukenplaats; - eerste verdieping: overloop, badkamer met douchecel, wc en lavabo, 3 slaapkamers; - tweede verdieping: slaapkamer en 2 zolderruimten; - kelder; - garage; - koer; - tuin. Overal dubbele beglazing. CV op stookolie. Bijgebouwen: - bergruimte; - toilet; - houten chalet; - cafetaria. KI: 493. EPC: 1103 kWh/m². Renovatieplicht. Wglk-Ag, Gvg, Gvv, Gmo, Gvkr. P-&G-score: A. G score: A P score: A
  • Aantal kamers: 4
  • Aantal badkamers: 1
  • Lopende verkoop
  • Startdatum: 02/02/2026 11:00
  • Einddatum: 10/02/2026 11:00
  • Geen bod: 1000 €
  • Kadastraal inkomen: 493 €
  • Vrij vanaf: Bij de akte
  • VREVEN, Simon
  • Contactpersoon: Inge JEURIS
  • Tel: (089) 41.12.11
  • Email: simon.vreven@belnot.be
  • Bezoekgegevens
  • Na afspraak met het kantoor van notaris Simon Vreven te Bilzen-Hoeselt, waar de sleutels zich bevinden

Gronden

Blaasveldstraat, 2830 Tisselt

Doe een bod van
83.000 €

Presentatiebeeld van het pand n° 290721
Online openbare verkoop
  • Referentie: 290721
  • Perceel landbouwgrond met een oppervlakte van 2ha 06a 90ca. Dit perceel is vrij van pacht. Bestemming is agrarisch gebied, dus het verlaagd tarief van 10% registratiebelasting kan toegepast worden. Niet verpacht. Voorkooprecht De Vlaamse Waterweg. Gelegen in overstromingsgevoelig gebied (perceelscore D). Uitweg naar de Blaasveldstraat. Gvg, Gmo, Gvv. PV van toewijs op woensdag 21 januari 2026 om 16u. BEZOEK: vrij te bezichtigen. P score: D
  • Lopende verkoop
  • Startdatum: 05/01/2026 11:00
  • Einddatum: 13/01/2026 11:00
  • Geen bod: 1000 €
  • Kadastraal inkomen: 66 €
  • Vrij vanaf: Bij de akte
  • Van de Poel & Pinoy
  • Contactpersoon: Anne MICHIELS
  • Tel: (015) 22.83.36
  • Email: anne@notarisvandepoel.be
  • Bezoekgegevens
  • vrij te bezichtigen.

Gronden

Blaasveldstraat, 2830 Tisselt

Doe een bod van
90.000 €

Presentatiebeeld van het pand n° 290722
Online openbare verkoop
  • Referentie: 290722
  • Perceel met een oppervlakte van 2ha 24a 45ca. Dit perceel is vrij van pacht. Bestemming is agrarisch gebied, dus het verlaagd tarief van 10% registratiebelasting kan toegepast worden. Niet verpacht. Voorkooprecht De Vlaamse Waterweg. Gelegen in overstromingsgevoelig gebied (perceelscore D). Uitweg naar de Blaasveldstraat. Ag, Gvg, Gmo, Gvv. PV van toewijs op woensdag 21 januari 2026 om 16u30. BEZOEK: vrij te bezichtigen. P score: D
  • Lopende verkoop
  • Startdatum: 05/01/2026 12:00
  • Einddatum: 13/01/2026 12:00
  • Geen bod: 1000 €
  • Kadastraal inkomen: 97 €
  • Vrij vanaf: Bij de akte
  • Van de Poel & Pinoy
  • Contactpersoon: Anne MICHIELS
  • Tel: (015) 22.83.36
  • Email: anne@notarisvandepoel.be
  • Bezoekgegevens
  • vrij te bezichtigen.

Gronden

Blaasveldstraat, 2830 Tisselt

Doe een bod van
19.000 €

Presentatiebeeld van het pand n° 290726
Online openbare verkoop
  • Referentie: 290726
  • Perceel met een oppervlakte van 48a 65ca. Dit perceel is vrij van pacht. Bestemming is deels woonuitbedingsgebied, dus is het verlaagd tarief van 10% registratiebelasting NIET mogelijk. Niet verpacht. Voorkooprecht De Vlaamse Waterweg. Gelegen in overstromingsgevoelig gebied (perceelscore D). Uitweg naar de Blaasveldstraat. Gvg, Gmo, Gvv. PV van toewijs op woensdag 21 januari 2026 om 17u30 BEZOEK: vrij te bezichtigen. P score: D
  • Lopende verkoop
  • Startdatum: 05/01/2026 14:00
  • Einddatum: 13/01/2026 14:00
  • Geen bod: 1000 €
  • Kadastraal inkomen: 21 €
  • Vrij vanaf: Bij de akte
  • Van de Poel & Pinoy
  • Contactpersoon: Anne MICHIELS
  • Tel: (015) 22.83.36
  • Email: anne@notarisvandepoel.be
  • Bezoekgegevens
  • vrij te bezichtigen.

Huizen

19 Roannay, 4987 La Gleize

Doe een bod van
349.000 €

Presentatiebeeld van het pand n° 290729
Online openbare verkoop
  • Referentie: 290729
  • Prachtig gelegen te renoveren pand met watermolen te La Gleize - Authentieke watermolen met omliggende weilanden (12.626m²) - Met bijgebouw - Gelegen in oase van rust – unieke ligging - Te renoveren - Veel potentieel - Vrij van pacht en huur CV op gas - geen publieke waterleiding – voorzien van bronwater (molen met waterrecht volgens verklaring van de verkoper). Ligging: - Zeer landelijk gelegen - 6-tal km van centrum van Stoumont (provincie Luik)
  • Aantal kamers: 6
  • Oppervlakte van het woongedeelte: 662m2
  • Aantal badkamers: 2
  • Lopende verkoop
  • Startdatum: 13/01/2026 13:00
  • Einddatum: 21/01/2026 13:00
  • Geen bod: 1000 €
  • Kadastraal inkomen: 1029 €
  • Vrij vanaf: Onmiddellijk
  • Notaris Jan Kindermans
  • Contactpersoon: Kantoor Not. Jan Kindermans
  • Tel: (03) 443.94.90
  • Email: notaris@notariskindermans.be
  • Bezoekgegevens
  • Zaterdag 13 december 2025, op zaterdag 20 december 2025, op zaterdag 27 december 2025, op zaterdag 3 januari 2026, op zaterdag 10 januari 2026, telkens tussen 11u en 15u

Appartementen

5 Brugsesteenweg, 8800 Roeselare

Doe een bod van
105.000 €

Presentatiebeeld van het pand n° 290733
Online openbare verkoop
  • Referentie: 290733
  • Centraal gelegen appartement in stad Roeselare, volledig gerenoveerd en instapklaar. Het beschikt over een open keuken met leefruimte, 2 slaapkamers, een badkamer, een apart toilet, een berging en technische ruimte. Het balkon biedt extra buitenruimte. Ideale ligging nabij winkels, restaurants en openbaar vervoer. De basisakte, de syndicale inlichtingen en het postinterventiedossier liggen ter inzage op het notariskantoor. G score: B P score: B
  • Aantal kamers: 2
  • Aantal badkamers: 1
  • Lopende verkoop
  • Startdatum: 19/01/2026 11:00
  • Einddatum: 27/01/2026 11:00
  • Geen bod: 1000 €
  • Kadastraal inkomen: 922 €
  • Vrij vanaf: Bij de akte
  • NOTARIAAT SOETE & PYCK
  • Contactpersoon: Kantoor Not. Soete & Pyck
  • Tel: (051) 24.01.36
  • Email: info@notariaatsp.be
  • Bezoekgegevens
  • Het goed kan door de kandidaat-kopers bezocht worden na telefonisch contact met notariaat Soete & Pyck te Roeselare

Huizen

168 Grand'Route, 4347 Voroux-Goreux

Doe een bod van
50.000 €

Presentatiebeeld van het pand n° 290647
Online openbare verkoop
  • Referentie: 290647
  • Commune de Fexhe le Haut Clocher, 3ème division (Voroux Goreux), Grand Route n°168. Une maison à (rénover) avec garage et jardin, idéale pour entrepreneur ou investisseur. Volume principal : 5x8m + volume arrière à démolir, cave, un garage accolé en maçonnerie (largeur environ 2,4 x 4,5), comprenant : rez : une pièce en façade (4 x 3,5) escalier central type meunier – une pièce arrière de même dimension – Dans un volume arrière de construction plus fragile – réserve et point d’eau, Étage : 2 chambres mansardés, pas de combles. Le bien semble relié à l’égout. A rénover complètement : électricité – sanitaires – isolation – vérification toiture – installation chauffage et plomberie plafonnage – sols – démolition et reconstruction des volumes arrière. RC 267 euros. Jardin arrière – passage latéral à pied depuis le jardin vers la Grand route. Superficie: 655m2 - largeur à rue de la parcelle : 9mètres. Mise à prix : 50.000. Informations et visites en l'Etude du notaire CRISMER: 04/250.10.56.
  • Aantal kamers: 2
  • Lopende verkoop
  • Startdatum: 13/01/2026 14:00
  • Einddatum: 21/01/2026 14:00
  • Geen bod: 1000 €
  • Kadastraal inkomen: 267 €
  • Vrij vanaf: Onmiddellijk
  • CRISMER & de SAUVAGE, Notaires Associés
  • Contactpersoon: Ilona BARCARO
  • Tel: (04) 250.10.56
  • Email: ilona.barcaro.130807@belnot.be

Huizen

47 Heirbrugstraat, 9160 Lokeren

Doe een bod van
200.000 €

Presentatiebeeld van het pand n° 290738
Online openbare verkoop
  • Referentie: 290738
  • BEZICHTIGING OP VASTE BEZOEKDAGEN: zaterdagen 10 januari, 17 januari en 24 januari 2026 telkens van 13u tot 14u, ZONDER voorafgaandelijke inschrijving en/of aanmelding. INDELING: Gelijkvloers: inkom, bergruimte onder trap, woonkamer, keuken met eetkamer, achterinkom/berging, badkamer (lavabo, zitbad, wc), berging (langs buiten toegankelijk), overbouwde doorrit met poort en verharde koer; 1e Verdiep: nachthal, 4 slaapkamers; 2e Verdiep: zolderruimte via uitschuiftrap - achteraan oud magazijn met grote tuinzone. G score: D P score: D
  • Aantal kamers: 4
  • Oppervlakte van het woongedeelte: 147m2
  • Aantal badkamers: 1
  • Lopende verkoop
  • Startdatum: 19/01/2026 10:00
  • Einddatum: 27/01/2026 10:00
  • Geen bod: 1000 €
  • Kadastraal inkomen: 658 €
  • Vrij vanaf: Bij de akte
  • Notaris Bart Hutsebaut
  • Contactpersoon: Kantoor Not. HUTSEBAUT Bart
  • Tel: (09) 348.23.67
  • Email: bart.hutsebaut@belnot.be
  • Bezoekgegevens
  • OP VASTE BEZOEKDAGEN: zaterdagen 10 januari, 17 januari en 24 januari 2026 telkens van 13u-14u, ZONDER voorafgaandelijke inschrijving en/of aanmelding

Gronden

Hameau de Neuville, 4970 Francorchamps

Doe een bod van
155.000 €

Presentatiebeeld van het pand n° 290702
Uit de hand
  • Referentie: 290702
  • L'Etude des Notaires GUYOT & CREMER a le plaisir de vous proposer à la vente un superbe ensemble immobilier situé à Neuville (Francorchamps). Idéalement implantés au cœur du Hameau de Neuville, ces terrains bénéficient d'une situation privilégiée dans une zone en pleine expansion. Le cadre est à la fois paisible et accessible, avec des parcelles légèrement inclinées qui offrent un véritable potentiel de développement. Ces terrains sont parfaits pour y bâtir votre future maison tout en y associant une prairie, idéale pour une exploitation agricole ou tout autre projet ! DESCRIPTION: 1)Terrain à bâtir de 1500 m² entièrement situé en zone d'habitat à caractère rural, portant la référence cadastrale suivante : Section E 388D. RC = 16 € 2)Terrain à usage de prairie de 6339 m² situé également en zone d'habitat à caractère rural, portant la référence cadastrale suivante : Section E 388E. RC = 19 € Cette parcelle est bordée d'un ruisseau non navigable et non classé, ajoutant un charme naturel à la propriété. L'ensemble est proposé* au prix attractif de 155.000 €. Le prix est une proposition qui ne lie pas le vendeur. Pour toute information complémentaire ou pris de rendez-vous, contactez l'Etude GUYOT & CREMER au 087/77 10 72 !
  • Kadastraal inkomen: 35 €
  • Vrij vanaf: Bij de akte
  • GUYOT & CREMER, notaires associés
  • Contactpersoon: Aline SCHMITZ
  • Tel: (087) 77.10.72
  • Email: aline.schmitz.460044@belnot.be

Huizen

54 Sinaaidorp, 9112 Sint-Niklaas

Doe een bod van
295.000 €

Presentatiebeeld van het pand n° 290724
Online openbare verkoop
  • Referentie: 290724
  • BEZICHTIGING OP VASTE BEZOEKDAGEN : zaterdagen 10 januari 2026, 17 januari 2026 en 24 januari 2026 telkens van 14u30 tot 15u30, ZONDER voorafgaandelijke inschrijving en/of aanmelding. OPEN BEBOUWING. INDELING: Gelijkvloers: inkom, vestiaire, wc, bureau, living, sas, slaapkamer, ingerichte keuken, berging, badkamer (douche, lavabo, wc) + veranda + grote tuin + bijgebouwen. Grondoppervlakte 1.600 m². RECHT VAN VOORKOOP WATERWEGEN EN ZEEKANAAL. G score: A P score: A
  • Aantal kamers: 1
  • Oppervlakte van het woongedeelte: 116m2
  • Aantal badkamers: 1
  • Lopende verkoop
  • Startdatum: 19/01/2026 11:00
  • Einddatum: 27/01/2026 11:00
  • Geen bod: 1000 €
  • Kadastraal inkomen: 622 €
  • Vrij vanaf: Bij de akte
  • Notaris Bart Hutsebaut
  • Contactpersoon: Kantoor Not. HUTSEBAUT Bart
  • Tel: (09) 348.23.67
  • Email: bart.hutsebaut@belnot.be
  • Bezoekgegevens
  • BEZICHTIGING OP VASTE BEZOEKDAGEN : zaterdagen 10 januari 2026, 17 januari 2026 en 24 januari 2026 telkens van 14u30-15u30, ZONDER voorafgaandelijke inschrijving en/of aanmelding.

Huizen

20 Rue de Liège, 4130 Esneux

Doe een bod van
265.000 €

Presentatiebeeld van het pand n° 290742
Uit de hand
  • Referentie: 290742
  • REPORTAGE PHOTOS EN COURS Esneux, 1ère division, Esneux, une maison d’habitation 2 chambres avec garages et jardin. Rue de Liège 20 à Esneux Section C n° 0172YP0000 743€ - 527 m² Année de construction : 1930 Installation électrique conforme PEB G COMPOSITION : • Bel étage : hall d’entrée carrelé, cuisine équipée à remettre au goût du jour, salle de bains avec wc, douche, lavabo et coin buanderie donnant accès au jardin, salle à manger, vaste living de +-40 m², véranda carrelée avec accès indépendant, salle de repassage carrelée avec accès indépendant vers le jardin arrière et 1ère chambre. • Etage mansardé sur plancher: salle de bains avec baignoire, douche et wc, 2e chambre mansarde pour du rangement. • Sous-sol : cave avec chaudière. • Extérieur : petit jardin avant, terrasse avant sur le garage, jardin arrière, abri de jardin à l’arrière et deux garages à rue communicantes entre eux à l’intérieur avec deux portes basculantes différentes. EQUIPEMENTS DU BIEN: -citerne à mazout dans un des deux garages -chauffage centrale au mazout/Viessman/en bon état, -thermostat d’ambiance, -vannes thermostatiques, -eau chaude par la chaudière, -toitures en pente/tuiles, -volets, -châssis PVC/double vitrage.
  • Aantal kamers: 2
  • Kadastraal inkomen: 743 €
  • Vrij vanaf: Bij de akte
  • BOVY-LONNOY, Notaires
  • Contactpersoon: Thi Hoang NGUYEN
  • Tel: (04) 369.15.00
  • Email: thihoang.nguyen.358158@belnot.be
  • Bezoekgegevens
  • Sur rendez-vous avec l'étude

Huizen

46 Avenue de la Libération, 6791 Athus

Doe een bod van
215.000 €

Presentatiebeeld van het pand n° 290221
Uit de hand
  • Referentie: 290221
  • A VENDRE : ATHUS, maison 2 chambres proche du GDL et des grands axes. Elle se compose, Au rez-de-chaussée : un salon, une cuisine et un wc séparé. Au premier étage : une chambre et une mezzanine lumineuse. Au deuxième étage : une deuxième grande chambre avec potentiel. Au sous-sol : une buanderie et une salle de bain avec WC. Le bien dispose également d'une terrasse et d'un jardin, exposés sud-ouest, ainsi qu'une place de parking extérieure. Les + : - RC = 480 € - rénovation partielle - Gaz de ville - Jardin - Terrasse - Situation proche du GDL PEB : 20191022015377 Catégorie F - 508 kWh/m².an - 77 175 kWh/an Pour renseignements et visites, merci de contacter l'étude du Notaire Anne-France HAMES au 063/38.54.23.
  • Aantal kamers: 2
  • Oppervlakte van het woongedeelte: 152m2
  • Aantal badkamers: 1
  • Kadastraal inkomen: 480 €
  • Vrij vanaf: Bij de akte
  • Anne-France HAMES, société notariale
  • Contactpersoon: Audric KOOB
  • Tel: (063) 38.54.23
  • Email: audric.koob.127530@belnot.be

Huizen

86 Rue Ernest Martel, 7190 Ecaussinnes

Doe een bod van
270.000 €

Presentatiebeeld van het pand n° 290731
Uit de hand
  • Referentie: 290731
  • VISITES : 0489/29.77.11 - Maison 3 façades avec garage et jardin – Construction 1957. Cette agréable maison, bien entretenue et dotée d’un garage ainsi que d’un jardin, est construite sur 4 niveaux et offre de beaux volumes. Quelques travaux de modernisation sont à prévoir. Niveau -1 (Sous-sol) Hall de cave, deux caves, garage une voiture avec porte automatisée et espace buanderie. Niveau 0 (légèrement en contrehaut de la rue et du jardin) Hall d’entrée, séjour lumineux de 27,11 m², Cuisine semi équipée de 19,87 m², sas, vestiaire, WC séparé. Niveau +1 (Étage – espace de nuit) Hall de nuit avec placard intégré, bureau / dressing, salle de bains, deux chambres de 11,80 m² et 14,86 m², WC séparé. Niveau +2 (Combles) Grenier accessible via escalier escamotable, aménageable. Châssis PVC double vitrage avec volets, Châssis aluminium double vitrage à l’arrière, Châssis bois double vitrage à l’étage, Chauffage central au gaz de ville. Citerne à mazout d'une contenance inconnue en sous-sol de +/- 70 ans, vendu en l'état, à charge des acquéreurs. A proximité de la gare, des écoles, magasins. Belle vue à l'étage. Maison à remettre au goût du jour. VENTE SOUMISE A AUTORISATION DU JUGE DE PAIX. Faire offre à partir de 270.000 €. Renseignements en l’étude des Notaires François NOE & Gaëtan LEMAIRE : 067/41.15.80. Visites : 0489/29.77.11.
  • Aantal kamers: 2
  • Kadastraal inkomen: 669 €
  • Vrij vanaf: Bij de akte
  • François NOE & Gaëtan LEMAIRE, Notaires associés
  • Contactpersoon: Natacha VANDENHENDE
  • Tel: (067) 41.15.80
  • Email: natacha.vandenhende.168476@belnot.be
  • Bezoekgegevens
  • 0489/29.77.11

Huizen

4 Rue des Champs du Bois, 1421 Ophain-Bois-Seigneur-Isaac

Doe een bod van
355.000 €

Presentatiebeeld van het pand n° 290737
Uit de hand
  • Referentie: 290737
  • VISITES : 0489/29.77.11 - Bungalow des années 1970 – 3 chambres – Garage – Situé dans un quartier calme, verdoyant et champêtre, il offre un beau potentiel et se compose comme suit : Séjour lumineux de 40 m², Cuisine de 7,7 m², Réserve, 3 chambres : 8,8 m² – 8,2 m² – 12 m², Salle de bains avec WC, Salle de douche avec WC, Garage de 13 m². Châssis PVC double vitrage (2013), Chauffage central au gaz - Chaudière Vaillant (2015) - Bien à rénover entièrement. VENTE SOUMISE A AUTORISATION DU JUGE DE PAIX. Faire offre à partir de 355.000 €. Renseignements en l’étude des Notaires François NOE & Gaëtan LEMAIRE : 067/41.15.80 - Visites : 0489/29.77.11.
  • Aantal kamers: 3
  • Kadastraal inkomen: 1670 €
  • Vrij vanaf: Bij de akte
  • François NOE & Gaëtan LEMAIRE, Notaires associés
  • Contactpersoon: Natacha VANDENHENDE
  • Tel: (067) 41.15.80
  • Email: natacha.vandenhende.168476@belnot.be
  • Bezoekgegevens
  • 0489/29.77.11

Huizen

18 Rue de Ghlin, 7012 Jemappes

Doe een bod van
160.000 €

Presentatiebeeld van het pand n° 290739
Uit de hand
  • Referentie: 290739
  • Dans une rue calme, proche des grands axes et de Mons, maison de rangée fraichement rénovée avec 2 chambres. Le rez-de-chaussée se compose d'un grand living, d'une cuisine, d'une salle de bain, et d'une chaufferie. A l'arrière du bâtiment se trouvent une terrasse en gravier et un jardin clôturé. Au premier étage, l'escalier donne sur une grande pièce avec accès à une chambre, une salle d'eau avec WC, et l'escalier vers le deuxième étage Au deuxième étage, une pièce mansardée occupe toute la surface, illuminée par deux vélux.
  • Aantal kamers: 2
  • Oppervlakte van het woongedeelte: 115m2
  • Aantal badkamers: 1
  • Kadastraal inkomen: 272 €
  • Vrij vanaf: Bij de akte
  • Tiphène FREDERIC, Notaire
  • Contactpersoon: Tiphene FRÉDÉRIC
  • Tel: (065) 11.10.10
  • Email: tiphene.frederic@belnot.be
  • Bezoekgegevens
  • S'adresser en l'étude

Huizen

129 Rue de l'Eglise, 4032 Liège

Doe een bod van
90.000 €

Presentatiebeeld van het pand n° 290540
Uit de hand
  • Referentie: 290540
  • Maison située à Chenée. Elle est composée : - Au rez-de-chaussée : d'un hall d'entrée, d'une salle de bains, d'une cuisine et d'un salon - Au premier étage : d'un hall et de trois chambres à coucher
  • Aantal kamers: 3
  • Oppervlakte van het woongedeelte: 105m2
  • Aantal badkamers: 1
  • Kadastraal inkomen: 336 €
  • Vrij vanaf: Bij de akte
  • Pierre GOVERS & Emilie GILLET - Notaires associés
  • Contactpersoon: Coline ANTOINE
  • Tel: (04) 367.54.33
  • Email: coline.antoine.182659@belnot.be
  • Bezoekgegevens
  • Les visites auront lieu uniquement sur rendez-vous par téléphone au numéro suivant: 04/361.85.33 (à l'exception des mercredi et vendredi après-midi, l'étude étant sur répondeur) ou par e-mail à l'adresse coline.antoine.182659@belnot.be

Huizen

29 Rue Rogier, 4800 Verviers

Doe een bod van
130.000 €

Presentatiebeeld van het pand n° 290514
Uit de hand
  • Referentie: 290514
  • Bâtiment avec habitation et entrepôt à Verviers, Rue Rogier 29 et 31
  • Aantal kamers: 2
  • Kadastraal inkomen: 1800 €
  • Vrij vanaf: Onmiddellijk
  • RIJCKAERT & MALHERBE, Notaires Associés
  • Contactpersoon: Tom JERUSALEM
  • Tel: (087) 59.53.70
  • Email: tom.jerusalem.351490@belnot.be
  • Bezoekgegevens
  • Prendre rendez-vous avec l'étude

Huizen

8 Rue des Hirondelles, 5570 Winenne

Doe een bod van
220.000 €

Presentatiebeeld van het pand n° 290755
Uit de hand
  • Referentie: 290755
  • Maison 3 façades, avec grand garage, jardin et dépendance d'une contenance de 6 ares 51 centiares. Composition: Rez: hall, salon avec poêle pellets, salle à manger, cuisine équipée avec lave-vaisselle, taques induction, hotte, four, évier (sans frigo) et poêle pellets, wc. 1er étage: hall, 3 chambres, salle de bains, wc. Grand grenier aménagé en chambre (Possibilité de faire 2 chambres au lieu d'une). Ce bien est équipé de châssis double et triple vitrage PVC, d'un chauffage central mazout, de deux poêle à pellets, d'une VMC et d'une installation électrique conforme. Prix souhaité : 220.000 EUR sauf offre supérieure. Renseignements et visites en l'étude du notaire LAURENT à Beauraing
  • Aantal kamers: 4
  • Kadastraal inkomen: 428 €
  • Vrij vanaf: Bij de akte
  • Philippe LAURENT, société notariale
  • Contactpersoon: Chloé GRIDLET
  • Tel: (082) 71.14.24
  • Email: chloe.gridlet.133918@belnot.be
  • Bezoekgegevens
  • Sur RDV en l'Etude.

Gronden

Papendreef, 9968 Assenede

Doe een bod van
85.000 €

Presentatiebeeld van het pand n° 280879
Openbare verkoop
  • Referentie: 280879
  • GEMEENTE ASSENEDE – DERDE AFDELING Een perceel bouwland, met grond en verdere aanhorigheden, ter plaatse genaamd “Zoet Lugt”, gelegen aan en nabij de Papendreef, gekend volgens titel en huidig kadaster Sectie C, nummers 142 P0000 en 147 P0000 met een oppervlakte van respectievelijk 64a 80ca en 74a 40ca. P score: D
  • Kadastraal inkomen: 54 €
  • Vrij vanaf: Andere
  • NOTARISSEN Els DE BLOCK en Tim VANDERSTEEN
  • Contactpersoon: Femke VAN WIELE
  • Tel: (03) 711.08.27
  • Email: femke.vanwiele.460034@belnot.be

Gronden

Bekputstraat, 9968 Bassevelde

Doe een bod van
50.000 €

Presentatiebeeld van het pand n° 280884
Openbare verkoop
  • Referentie: 280884
  • GEMEENTE ASSENEDE – DERDE AFDELING Een perceel bouwland met schuilhok, met grond en verdere aanhorigheden, ter plaatse genaamd “Vent”, gelegen aan en nabij de Bekputstraat, gekend volgens titel en huidig kadaster Sectie C, nummer 1134 P0000 en 1134/02 P0000 met een oppervlakte van respectievelijk 57a en 27a 30ca. P score: A
  • Kadastraal inkomen: 28 €
  • Vrij vanaf: Andere
  • NOTARISSEN Els DE BLOCK en Tim VANDERSTEEN
  • Contactpersoon: Femke VAN WIELE
  • Tel: (03) 711.08.27
  • Email: femke.vanwiele.460034@belnot.be

Appartementen

21 Fruithoflaan, 2600 Berchem

Doe een bod van
219.000 €

Presentatiebeeld van het pand n° 290718
Online openbare verkoop
  • Referentie: 290718
  • Gelegen op de 4e verdieping links. Met 2 slaapkamers. Terras. Kelder. Lift. Gemene kost per kwartaal: 765 € voor werkkapitaal + 153 € voor reservekapitaal. Asbestveilig. Geen renovatieplicht. Elektrische keuring niet conform. Sleutels bij betaling kosten en prijs. Kosten te betalen bij toewijs op 30/01/2026. Prijs te betalen uiterlijk 13/03/2026. Wg, Vg, Gmo, Gvkr, Vv. BEZOEK: zonder afspr. op zaterdag van 10u-12u vanaf zaterdag 27/12 tem zaterdag 24/1/2026. G score: A P score: B
  • Aantal kamers: 2
  • Oppervlakte van het woongedeelte: 112m2
  • Aantal badkamers: 1
  • Lopende verkoop
  • Startdatum: 19/01/2026 14:00
  • Einddatum: 27/01/2026 14:00
  • Geen bod: 1000 €
  • Kadastraal inkomen: 1115 €
  • Vrij vanaf: Andere
  • LIBRIS Notarissen
  • Contactpersoon: Kantoor LIBRIS Notarissen
  • Tel: (03) 281.03.61
  • Email: info@librisnotarissen.be
  • Bezoekgegevens
  • zonder afspr. op zaterdag van 10u-12u vanaf zaterdag 27/12 tem zaterdag 24/1/2026.

Garage

1/5 Fruithoflaan, 2600 Berchem

Doe een bod van
21.000 €

Presentatiebeeld van het pand n° 290719
Online openbare verkoop
  • Referentie: 290719
  • Genummerd 15 in achteraan gelegen garagecomplex. Inrit Fruithoflaan. Uitrit Sint-Theresiastraat. Gemene kost: 6 €/maand. Asbestveilig. Sleutels bij betaling kosten en prijs. Kosten te betalen bij toewijs op 30/01/2026. Prijs te betalen uiterlijk 13/03/2026. Wg, Vg, Gmo, Gvkr, Gvv. BEZOEK: zonder afspr. op zaterdag van 10u-12u vanaf zaterdag 27/12 tem zaterdag 24/1/2026. Indien u vragen heeft, langs app. Fruithoflaan 21 (4e verd. links) gaan (LOT 1 van deze biddit). G score: A P score: A
  • Lopende verkoop
  • Startdatum: 19/01/2026 14:00
  • Einddatum: 27/01/2026 14:00
  • Geen bod: 100 €
  • Vrij vanaf: Andere
  • LIBRIS Notarissen
  • Contactpersoon: Kantoor LIBRIS Notarissen
  • Tel: (03) 281.03.61
  • Email: info@librisnotarissen.be
  • Bezoekgegevens
  • zonder afspr. op zaterdag van 10u-12u vanaf zaterdag 27/12 tem zaterdag 24/1/2026. Indien u vragen heeft, langs app. Fruithoflaan 21 (4e verd. links) gaan (LOT 1 van deze biddit).

Garage

58+ Fruithoflaan, 2600 Berchem

Doe een bod van
23.000 €

Presentatiebeeld van het pand n° 290720
Online openbare verkoop
  • Referentie: 290720
  • Genummerd nr. 2. Geen maandelijkse kost. Geen mede-eigendom. Asbestveilig. Recht van doorgang naast vooraan gelegen appartementsgebouw. Sleutels bij betaling kosten en prijs. Kosten te betalen bij toewijs op 30/01/2026. Prijs te betalen uiterlijk 13/03/2026. Wg, Vg, Gmo, Gvkr, Gvv. BEZOEK: zonder afspr. op zaterdag van 10u-12u vanaf zaterdag 27/12 tem zaterdag 24/1/2026. Indien u vragen heeft, langs app. Fruithoflaan 21 (4e verd. links) gaan (LOT 1 van deze biddit). G score: A P score: A
  • Lopende verkoop
  • Startdatum: 19/01/2026 14:00
  • Einddatum: 27/01/2026 14:00
  • Geen bod: 100 €
  • Vrij vanaf: Andere
  • LIBRIS Notarissen
  • Contactpersoon: Kantoor LIBRIS Notarissen
  • Tel: (03) 281.03.61
  • Email: info@librisnotarissen.be
  • Bezoekgegevens
  • zonder afspr. op zaterdag van 10u-12u vanaf zaterdag 27/12 tem zaterdag 24/1/2026. Indien u vragen heeft, langs app. Fruithoflaan 21 (4e verd. links) gaan (LOT 1 van deze biddit).

Huizen

215 Brugseweg, 8920 Langemark

Doe een bod van
215.000 €

Presentatiebeeld van het pand n° 290476
Uit de hand
  • Referentie: 290476
  • Gelijkvloers: gang, living, badkamer (dubbele lavabo en ligbad), toilet, keuken (niet geïnstalleerd), achterbouw (verwaarloosd); Op de 1e verdieping zijn er 3 ruime slaapkamers en de zolder is 1 grote ruimte. Er is dubbel glas (volledig vernieuwd in PVC). Achter de woning is er een tuin. Het dak is geïsoleerd. Geen regenput. CV op aardgas. G score: A P score: A
  • Aantal kamers: 3
  • Aantal badkamers: 1
  • Kadastraal inkomen: 414 €
  • Vrij vanaf: Bij de akte
  • Notaris Ellen Vanslambrouck
  • Contactpersoon: Ann STRUYE
  • Tel: (057) 48.91.41
  • Email: ann.struye.112656@belnot.be

Huizen

18 Dorpsstraat, 8952 Wulvergem

Doe een bod van
145.000 €

Presentatiebeeld van het pand n° 290275
Uit de hand
  • Referentie: 290275
  • Gelegen in het hart van Wulvergem, tegenover de kerk, omvat deze rijwoning: een inkomhal, een leefruimte (zit- en eetkamer), een basis ingerichte keuken, een badkamer met zitbad en toilet, een slaapkamer/bureau en een garage voor twee wagens. Een tussenverdieping geeft toegang tot een bijkomende slaapkamer; op de eerste verdieping bevinden zich een nachthal, twee slaapkamers en een bergzolder. Kelder aanwezig. Buiten: terras, ruime zuidgerichte tuin en tuinhuis. Oude, maar gezonde en goed onderhouden woning die renovatiewerken vereist. G score: A P score: A
  • Aantal kamers: 4
  • Aantal badkamers: 1
  • Kadastraal inkomen: 250 €
  • Vrij vanaf: Bij de akte
  • Thevelin & Feys, geassocieerde notarissen
  • Contactpersoon: Sarah CLAERHOUT
  • Tel: (057) 44.51.51
  • Email: sarah.claerhout.131391@belnot.be

Gronden

Blaasveldstraat, 2830 Tisselt

Doe een bod van
24.000 €

Presentatiebeeld van het pand n° 290723
Online openbare verkoop
  • Referentie: 290723
  • Perceel met een oppervlakte van 60a 40ca. Dit perceel is vrij van pacht. Bestemming is agrarisch gebied, dus het verlaagd tarief van 10% registratiebelasting kan toegepast worden. Niet verpacht. Voorkooprecht De Vlaamse Waterweg. Gelegen in overstromingsgevoelig gebied (perceelscore D). Uitweg naar de Blaasveldstraat. Ag, Gvg, Gmo, Gvv. PV van toewijs op woensdag 21 januari 2026 om 17u. BEZOEK: vrij te bezichtigen. P score: D
  • Lopende verkoop
  • Startdatum: 05/01/2026 13:00
  • Einddatum: 13/01/2026 13:00
  • Geen bod: 1000 €
  • Kadastraal inkomen: 26 €
  • Vrij vanaf: Bij de akte
  • Van de Poel & Pinoy
  • Contactpersoon: Anne MICHIELS
  • Tel: (015) 22.83.36
  • Email: anne@notarisvandepoel.be
  • Bezoekgegevens
  • vrij te bezichtigen.

Gronden

Broedersblok, 3300 Hakendover

Doe een bod van
300.000 €

Presentatiebeeld van het pand n° 290607
Uit de hand
  • Referentie: 290607
  • Perceel grond gelegen in de bouwzone, gelegen op de hoek van de Van Audenhovenstraat en Broedersblok te 3300 Tienen (deelgemeente Hakendover). Het perceel heeft volgens de kadastrale gegevens een totale oppervlakte van circa 23a 27ca (2.327 m²) (TIENEN 11e afdeling, sectie C, perceelnummer 128D2). Er is een recent plan van opmeting beschikbaar, opgesteld op 4 november 2024 door een beëdigd landmeter-expert, evenals een verkavelingsvoorstel met mogelijke opsplitsing in meerdere bouwloten. Het perceel is onbebouwd. Volgens het verkavelingsvoorstel zijn er potentiële mogelijkheden tot realisatie van drie tot vier kavels voor open bebouwing, met indicatieve lotoppervlaktes variërend van ongeveer 5a 49ca tot 6a 76ca. Het voorstel betreft een niet-goedgekeurde verdeling; elke effectieve verkaveling blijft onderworpen aan vergunning en stedenbouwkundige goedkeuring. Het terrein heeft een gunstige en rustige ligging in een landelijke woonomgeving, met goede ontsluiting richting Tienen, Wulmersum, Kumtich en de E40. Omgevingsvoorzieningen zoals dorp, school en lokale dienstverlening bevinden zich in de nabije omgeving. Het perceel is aantrekkelijk voor projectontwikkelaars, investeerders of particulieren die op zoek zijn naar een ontwikkelingsproject of ruime bouwlocatie. Kadastrale samenvatting: perceel 128D2, totale oppervlakte 2327 m², aard: bouwland, administratieve gemeente Tienen, toestand volgens opzoeking 19/09/2024. Plannen, opmeting, kadastrale uittreksels en het verkavelingsvoorstel zijn beschikbaar op aanvraag. Een terreinbezoek kan worden ingepland. Prijs (instelprijs/vanaf prijs) en verdere voorwaarden op aanvraag. P score: A
  • Kadastraal inkomen: 17 €
  • Vrij vanaf: Bij de akte
  • HONOREZ NOTARIS
  • Contactpersoon: Jens DEPRE
  • Tel: (016) 81.11.53
  • Email: jens.depre.351228@belnot.be

Gronden

Rue Royale, 7141 Carnières

Doe een bod van
24.000 €

Presentatiebeeld van het pand n° 290728
Uit de hand
  • Referentie: 290728
  • Parcelle de terrain reprise au cadastre sous nature de jardin, laquelle est située en zone d'habitat. Contenance: 2a 90ca
  • Kadastraal inkomen: 2 €
  • Vrij vanaf: Bij de akte
  • BABUSIAUX & PIRLOT NOTAIRES ASSOCIES
  • Contactpersoon: Laura WOJCIECHOWSKI
  • Tel: (064) 31.14.20
  • Email: laura.wojciechowski.183400@belnot.be

Huizen

179 Bornovillestraat, 7700 Luingne

Doe een bod van
219.000 €

Presentatiebeeld van het pand n° 290734
Uit de hand
  • Referentie: 290734
  • Maison avec jardin & garage 2 voitures + parking supplémentaire, comprenant: - une cave carrelée, saine; - au rez-de-chaussée : hall d'entrée, spacieuse pièce de séjour, cuisine semi-équipée avec espace repas, salle de bain (baignoire, wc, meuble lavabo), jolie terrasse couverte, remise, jardin exposé sud-est, garage 2 voitures avec porte motorisée, place de parking privée devant le garage; - le 1er étage est composée d'un hall de nuit desservant 2 chambres (parquet partout) - le 2nd contient une 3e chambre avec vélux (parquet) et un grenier. Spacieuse maison située dans un secteur prisé, équipée de châssis en double vitrage, chauffée par un feu au gaz parcelle de terrain de 232 m² VISITES sur rendez-vous par téléphone avec le vendeur au 0479/977.016. Réf. ML-2025-1112
  • Aantal kamers: 3
  • Aantal badkamers: 1
  • Kadastraal inkomen: 639 €
  • Vrij vanaf: Bij de akte
  • Mathilde VAN DEN BERGH, Notaire
  • Contactpersoon: Michaël LOIN
  • Tel: (056) 34.22.60
  • Email: michael.loin.217610@belnot.be
  • Bezoekgegevens
  • Sur rendez-vous par téléphone avec le vendeur au 0479/977.016.

Huizen

42 Rue Julien Lahaut, 7140 Morlanwelz

Doe een bod van
280.000 €

Presentatiebeeld van het pand n° 290736
Uit de hand
  • Referentie: 290736
  • Découvrez cette charmante habitation idéale pour accueillir une famille ou toute personne recherchant un cadre agréable et pratique au quotidien. Vous profiterez d’un living , d’une cuisine , ainsi que d’une toilette séparée. Le bien dispose également de deux chambres, d’une salle de bain, et d’une pièce polyvalente pouvant servir de buanderie et de réserve, parfaite pour optimiser votre organisation. Un garage vient compléter ce bien, offrant un confort supplémentaire pour le stationnement ou le stockage. Côté technique, vous serez séduits par la pompe à chaleur assurant le chauffage et la production d’eau chaude, un atout économique et écologique. PEB : E-359 Prix : faire offre à partir de 280.000 € Visites uniquement sur rendez-vous préalable au 064/22.13.52 Ne manquez pas cette opportunité rare ! Ce bien n’attend plus que vous.
  • Aantal kamers: 2
  • Kadastraal inkomen: 889 €
  • Vrij vanaf: Bij de akte
  • Thierry BRICOUT, Notaire
  • Contactpersoon: Sandy LUFRANO
  • Tel: (064) 22.13.52
  • Email: sandy.lufrano.130922@belnot.be
  • Bezoekgegevens
  • Visites uniquement sur rendez-vous préalable au 064/22.13.52.

Gronden

, 4280 Thisnes

Doe een bod van
224.964 €

Presentatiebeeld van het pand n° 290681
Uit de hand
  • Referentie: 290681
  • Terres agricoles à Vendre à Hannut (Thisnes et grand Hallet) Nous proposons à la vente, 5ha62a41ca de terres agricoles en divers morceaux. Occupés en vertu d’un bail à ferme verbal en 3° période d’occupation. Prix souhaité : € 40.000 €/ha pour l'ensemble. En cas d'intérêt pour certaines parcelles, faire ofre Publicité non contractuelle.
  • Kadastraal inkomen: 384 €
  • Vrij vanaf: Andere
  • Etudes Notariales associées
  • Contactpersoon: Pierre VALKIERS
  • Tel: (085) 25.00.55
  • Email: info@lesnotaires.be
  • Bezoekgegevens
  • Veuillez contacter l'étude au 085/25.00.55

Gronden

Rue des Gottes, 4217 Héron

Doe een bod van
110.325 €

Presentatiebeeld van het pand n° 290650
Uit de hand
  • Referentie: 290650
  • Belle terre agricole, bien plane, accès aisé le long d'un chemin carrossable. Nous proposons à la vente, une terre agricole en lieu dit " Les Gottes ", rue Les Gottes. Cadastrée section A numéros 34AP0000 et 44AP0000 d'une contenance de 2ha12a16ca - RC 139. Occupés en vertu d’un bail à ferme verbal en 3° période d’occupation. Rens Prix souhaité € 52.000/ha. Publicité non contractuelle.
  • Kadastraal inkomen: 139 €
  • Vrij vanaf: Andere
  • Etudes Notariales associées
  • Contactpersoon: Pierre VALKIERS
  • Tel: (085) 25.00.55
  • Email: info@lesnotaires.be
  • Bezoekgegevens
  • Veuillez contacter l'étude au 085/25.00.55

Huizen

226 Houwaartstraat, 3270 Scherpenheuvel-Zichem

Doe een bod van
315.000 €

Presentatiebeeld van het pand n° 290740
Uit de hand
  • Referentie: 290740
  • Recent gerenoveerde halfopen bebouwing te Scherpenheuvel-Zichem, Houwaartstraat 226, centraal gelegen in het centrum van Schoonderbuken, nabij winkels, scholen, speelplein kinderen, bushalte op wandelafstand, en oprit autostrade, groot volgens kadaster 1a 82ca, omvattende: Gelijkvloers: leefruimte, volledig uitgeruste keuken (combi-oven, frigo, vaatwasser, inductievuur), badkamer met ligbad, douche en WC, ruime garage met automatische poort, terras met tuintje (zuidgericht) en zijdelingse ingang; Eerste verdieping: slaapkamer met venster naar tuin, kleine slaapkamer met venster naar tuin, grote slaapkamer aan de straatkant Voorzien van C.V. op gas Volgens gewestplan woongebied – bouwjaar voor inwerkingtreding ge-westplan – geen sted. vergunning – geen verkavelingsvergunning. RUP Wonen dd. 22/05/2025: bestemming wonen buiten de kern Het goed maakt niet het voorwerp uit van een maatregel als vermeld in titel VI, hoofdstuk III en IV VCRO (zijnde een rechterlijke of bestuur-lijke maatregel) dan wel of een procedure voor het opleggen van een der-gelijke maatregel hangende is *Geen voorkooprecht *Onverhuurd – Onmiddellijk beschikbaar *gelegen in een rooilijnplan dd. 11/01/1954 *gelegen in zoneringszone ‘centraal gebied’ en ‘collectief geoptima-liseerd buitengebied’ Vrij en onbelast – gewone voorwaarden EPC-Label C 209kWh EPC certificaatnummer 20220316-0002411704-RES-2 P-score: C (kleine kans op overstromingen) G-score: C (kleine kans op overstromingen) G score: C P score: C
  • Aantal kamers: 3
  • Kadastraal inkomen: 327 €
  • Vrij vanaf: Bij de akte
  • Boogaerts Koen & Boogaerts Bert
  • Contactpersoon: Griet Notariskantoor
  • Tel: (016) 50.24.20
  • Email: info@notarisboogaerts.net
  • Bezoekgegevens
  • Bezoek mogelijk na telefonische afspraak met eigenaar op nummer 0492/50 68 15

Huizen

33 Rue du Château d'Eau, 6596 Seloignes

Doe een bod van
280.000 €

Presentatiebeeld van het pand n° 290743
Uit de hand
  • Referentie: 290743
  • Villa récente située dans un quartier résidentiel, sise rue du Château d'eau 33, cadastrée section A numéro 0074VP0000, pour une contenance de 11a 59ca- revenu cadastral :1027€ comprenant au rez : hall avec wc, salon-sam, cuisine non équipée avec grande baie vitrée vue sur jardin, buanderie, garage - Etage : 4 chambres - sdb avec douche et bain + wc - Grenier aménageable (plancher) - Chauffage central mazout avec cuve à mazout de 1.200l - Citerne eau de pluie de +/- 7000l - Mini station d'épuration reliée aux égouts -Construction terminée en 2016 - PEB : B et électricité conforme valable jusqu'en 2041.
  • Aantal kamers: 4
  • Aantal badkamers: 1
  • Kadastraal inkomen: 1027 €
  • Vrij vanaf: Bij de akte
  • Vincent MAILLARD notaire et associés
  • Contactpersoon: Bernadette PONCELET
  • Tel: (060) 21.11.16
  • Email: bernadette.poncelet.129569@belnot.be
  • Bezoekgegevens
  • Sur RDV avec l'Etude

Appartementen

57 Rue Mazy, 5100 Jambes

Doe een bod van
50.000 €

Presentatiebeeld van het pand n° 290749
Online openbare verkoop
  • Referentie: 290749
  • À deux pas de l'Enjambée, ce studio au rez-de-chaussée est une excellente opportunité pour un investisseur ou pour toute personne cherchant un pied-à-terre pratique et bien situé. Il offre un bel espace de vie avec accès à un balcon, une kitchenette et une salle d’eau. À rénover, il présente un potentiel évident pour créer un espace moderne, confortable et parfaitement optimisé. Atouts : • Emplacement top, commerces et transports immédiats • Balcon agréable • Rez-de-chaussée pratique • Idéal investissement / premier achat • Beau potentiel après rénovation Un studio à redessiner selon vos envies, dans un secteur très recherché. ?? Infos & visites : Thibault – 0486/97.87.00
  • Aantal kamers: 1
  • Oppervlakte van het woongedeelte: 22m2
  • Aantal badkamers: 1
  • Lopende verkoop
  • Startdatum: 07/01/2026 12:00
  • Einddatum: 15/01/2026 12:00
  • Geen bod: 1000 €
  • Kadastraal inkomen: 535 €
  • Vrij vanaf: Bij de akte
  • Frédéric MAGNUS, Notaire
  • Contactpersoon: Thibault Mathieu
  • Tel: 0486/978.700
  • Email: frederic.magnus@belnot.be
  • Bezoekgegevens
  • Sur RDV avec Thibault au 0486/97.87.00

Huizen

20 Rue de la Seuwe, 6061 Montignies-sur-Sambre

Doe een bod van
160.000 €

Presentatiebeeld van het pand n° 290454
Uit de hand
  • Referentie: 290454
  • Maison 2 façades avec cour et garage d'une superficie de 1 a et 45 ca, située à Montignies-sur-sambre, rue de la Seuwe, 20 et comprenant : - Au sous-sol : 3 grandes caves carrelées. - Au rez-de-chaussée : un hall d’entrée (+/- 9,2 m²), un séjour/salle à manger/living (+/-32 m²), une cuisine (+/- 8 m²) avec un coin à dîner (+/- 14,4 m²), une salle de douche (+/- 4,2 m²). - Au 1er étage : un hall de nuit (+/- 6,7 m²), 3 chambres (+/- 14,7 m², 22 m² et 9,9 m²) et une salle de bain (+/-3,9 m²). - Au 2ème étage : un hall de nuit (+/- 5,8 m²), 2 chambres (+/- 8,2 m² et 10,1 m²) et un petit grenier (+/- 7,1 m²). - Garage indépendant à l’arrière avec électricité (accessible par la porte de la cour) - Châssis en bois simple vitrage + volets (dont 2 électriques à l’arrière) - Cour à l’arrière sans jardin - Chauffage au gaz. Alarme - RC : 753€ - PEB : G. Faire offre à partir 160.000€. Les visites s'effectuent du lundi au vendredi de 16h30 à 19h. Uniquement sur RDV au 071/41.45.34
  • Aantal kamers: 5
  • Aantal badkamers: 1
  • Kadastraal inkomen: 753 €
  • Vrij vanaf: Bij de akte
  • Gilles FRANCE Notaire
  • Contactpersoon: Charlotte METZ
  • Tel: (071) 41.45.34
  • Email: charlotte.metz.127191@belnot.be
  • Bezoekgegevens
  • Les visites s'effectuent du lundi au vendredi de 16h30 à 19h. Uniquement sur RDV au 071/41.45.34

Gronden

3 Avenue des Pins, 4121 Neuville-en-Condroz

Doe een bod van
299.000 €

Presentatiebeeld van het pand n° 278912
Uit de hand
  • Referentie: 278912
  • Ce magnifique et rare terrain à bâtir est idéalement situé dans le prisé Bois du Rognac à Neupré. Cette parcelle est située au calme dans l'Avenue des Pins (en face du numéro 6) mais néanmoins proche des commodités de la Route du Condroz. Son orientation est optimale. De plus, le terrain n'a pas de vis-à-vis arrière. Sa superficie totale est de 1760 m².
  • Kadastraal inkomen: 13 €
  • Vrij vanaf: Bij de akte
  • BERNARD DEGIVE - SOCIETE NOTARIALE
  • Contactpersoon: Valerie LALLEMAND
  • Tel: (04) 371.40.11
  • Email: valerie.lallemand.109629@belnot.be

Huizen

15 Rue Léopold, 4840 Welkenraedt

Doe een bod van
145.000 €

Presentatiebeeld van het pand n° 290753
Uit de hand
  • Referentie: 290753
  • COMPOSITION : Sous-sol : Caves Rez : Hall d’entrée, salon et salle à manger en enfilade, cuisine, accès à la cour et au jardin ; 1er étage : Palier, deux grandes chambres à coucher, salle de bain avec lavabo, baignoire et wc ; 2ème étage : Palier, deux chambres mansardées, une pièce d’eau avec lavabo ; 3ème étage : Grand grenier ; Commodités : Cour et jardin à l’arrière ; RC : 448 € ; Superficie: 198m² ; Occupation : Libre à l’acte.
  • Aantal kamers: 4
  • Aantal badkamers: 1
  • Kadastraal inkomen: 448 €
  • Vrij vanaf: Bij de akte
  • Notaire François ANGENOT
  • Contactpersoon: Virginie HALLEUX
  • Tel: (087) 88.06.77
  • Email: virginie.halleux.354556@belnot.be
  • Bezoekgegevens
  • Visites sur rendez-vous avec l'Etude

Huizen

13 Avenue des Peupliers, 7500 Tournai

Doe een bod van
125.000 €

Presentatiebeeld van het pand n° 290395
Uit de hand
  • Referentie: 290395
  • Offre actuelle en l'étude: 130.000 € Jolie villa avec jardin sur 8 ares 50 centiares comprenant: -au rez-de-chaussée: Salon, salle-à-manger, salle-de-bain (baignoire, évier), bureau, cuisine, arrière cuisine, wc, buanderie -au 1er étage: 2 chambres; -cave Garage carrelé Chauffage non fonctionnel Citerne d'eau de pluie Bien idéalement situé et avec un beau potentiel
  • Aantal kamers: 2
  • Oppervlakte van het woongedeelte: 118m2
  • Aantal badkamers: 1
  • Kadastraal inkomen: 560 €
  • Vrij vanaf: Bij de akte
  • SRL Charlotte DECOCK, Notaire
  • Contactpersoon: Yves DUQUENNE
  • Tel: (069) 22.35.35
  • Email: yves.duquenne.354610@belnot.be
  • Bezoekgegevens
  • Sur rendez-vous à prendre en l'étude au 069/22.35.35

Huizen

27 Rue Fourneau, 4570 Marchin

Doe een bod van
235.000 €

Presentatiebeeld van het pand n° 290649
Uit de hand
  • Referentie: 290649
  • *****VENDU*****Nous proposons à la vente, Charmante Maison – Rue Fourneau, N°27 à MARCHIN. Venez découvrir cette magnifique maison d'habitation située au 27 Rue Fourneau, dans un quartier prisé, à proximité de toutes facilités. Idéale pour une famille, elle offre une superficie de 20a 49ca, selon le cadastre. Ce bien rare, avec son cadre verdoyant, vous offrira un cadre de vie paisible tout en étant proche de toutes les infrastructures nécessaires à la vie quotidienne. Contactez-nous pour plus d'informations ou pour organiser une visite. Publicite non contractuelle.
  • Aantal kamers: 3
  • Oppervlakte van het woongedeelte: 211m2
  • Aantal badkamers: 2
  • Kadastraal inkomen: 642 €
  • Vrij vanaf: Bij de akte
  • Etudes Notariales associées
  • Contactpersoon: Anne-Louise BURTON
  • Tel: (085) 25.00.55
  • Email: info@lesnotaires.be
  • Bezoekgegevens
  • Veuillez contacter l'étude au 085/25.00.55

Huizen

11 Rue des Grands Prés, 4032 Chênée

Doe een bod van
95.000 €

Presentatiebeeld van het pand n° 290547
Uit de hand
  • Referentie: 290547
  • Maison de commerce au cadastre, située à Chênée Elle se compose : - Au rez-de-chaussée : d'un hall d'entrée, d'une cuisine, d'une salle à manger et d'un salon ; - Au premier étage : d'un hall, de deux chambres à coucher et d'une salle de bains ; - D'un grenier Maison inondée en 2021 et n'a pas été habitée depuis. Aucune rénovation n'a été effectuée. La toiture a été refaite et isolé en 2012 ainsi que les châssis à l'arrière de la maison. Double vitrage au niveau des fenêtres La chaudière a été remplacée en 2016
  • Aantal kamers: 2
  • Oppervlakte van het woongedeelte: 132m2
  • Kadastraal inkomen: 473 €
  • Vrij vanaf: Bij de akte
  • Pierre GOVERS & Emilie GILLET - Notaires associés
  • Contactpersoon: Coline ANTOINE
  • Tel: (04) 367.54.33
  • Email: coline.antoine.182659@belnot.be
  • Bezoekgegevens
  • Les visites auront lieu uniquement sur rendez-vous par téléphone au numéro suivant: 04/361.85.33 (à l'exception des mercredis et vendredis après-midi, l'étude étant sur répondeur) ou par e-mail à l'adresse coline.antoine.182659@belnot.be

Huizen

, 2390 Westmalle

Doe een bod van
315.000 €

Presentatiebeeld van het pand n° 290764
Uit de hand
  • Referentie: 290764
  • Goed onderhouden gezinswoning gelegen op en met grond van 591m². Zijnde een halfopen bebouwing met tuin en garage, nabij centrum Westmalle. Omvattende: Gelijkvloers : inkomhal met trap naar +1, vervolgens afzonderlijk toilet, douchekamer met lavabo, woonkamer, keuken, berging. Bijgebouwen in de tuin: garage en tuinberging. Eerste verdieping: 3 slaapkamers als ook badkamer (ligbad en lavabo) Zolder met geisoleerd en afgewerkt dak. Kelder 9 m² G score: A P score: A
  • Aantal kamers: 3
  • Aantal badkamers: 1
  • Kadastraal inkomen: 649 €
  • Vrij vanaf: Bij de akte
  • Notariaat Noma
  • Contactpersoon: Jolien HOREMANS
  • Tel: (03) 312.20.28
  • Email: verkoop@notariaatnoma.be

Appartementen

Square Gramme, 4020 Liège

Doe een bod van
285.000 €

Presentatiebeeld van het pand n° 290223
Uit de hand
  • Referentie: 290223
  • Appartement de caractère dans un bel immeuble d’angle avec aussi bien vue sur l'Ourthe que sur la Meuse. L'appartement, d'une superficie totale approximative, balcons compris, de 145,50 m², est situé au premier étage et comprend 2 chambres et 2 caves. Bon état d’entretien, finitions et décoration soignées, anciennes avec modernité. Revêtement de sol : parquet ; carreaux de ciment ; carrelage. Châssis PVC double vitrage. Chauffage central au gaz. Compteur électrique et décompteur eau et gaz. Petite terrasse à l’arrière au calme, balcon à l’avant avec vue sur l’Ourthe et la Meuse. Moyens de communication : Bus ; quais ; commerces ; écoles ; gare à proximité. Visites sur RDV au 0495/7842.31 (Mme SACCO)
  • Aantal kamers: 2
  • Aantal badkamers: 1
  • Kadastraal inkomen: 1187 €
  • Vrij vanaf: Bij de akte
  • François MATHONET, société notariale
  • Contactpersoon: Valentina MORREALE
  • Tel: (04) 221.15.49
  • Email: valentina.morreale.460037@belnot.be
  • Bezoekgegevens
  • Sur RDV au 0495/7842.31 (Mme SACCO)

Huizen

8 Brouwerijweg, 8906 Elverdinge

Doe een bod van
355.000 €

Presentatiebeeld van het pand n° 290684
Uit de hand
  • Referentie: 290684
  • Indeling: inkom, wc, open leefruimte met keuken, 3 slaapkamers, badkamer met bad & douche. Extra: garage met bergruimte, ruime lichtrijke tuin. Oppervlakte: 1021 m². KI: € 604. Gelegen: Woongebied. EPC: 289 kWh/m² (cert.: 20251114-0003724296-RES-1). G-score: A - P-score: B. Gvg, Gmo, Gvkr, Gvv. Niet gelegen in Watergevoelig openruimtegebied. De opgegeven prijs is een richtprijs. Bieden kan via Biddit.be "verkopen uit de hand" of per mail. G score: A P score: B
  • Aantal kamers: 3
  • Aantal badkamers: 1
  • Kadastraal inkomen: 604 €
  • Vrij vanaf: Bij de akte
  • Ghesquière, Breyne, De Brabandere & Degryse, notariskantoor
  • Contactpersoon: Kantoor NK Ter Waarde
  • Tel: (057) 20.77.98
  • Email: info@nkterwaarde.be

Appartementen

101 Quai de Rome, 4000 Liège

Doe een bod van
229.000 €

Presentatiebeeld van het pand n° 261630
Uit de hand
  • Referentie: 261630
  • Dans un immeuble à appartements dénommé "Résidence MOSA", situé Quai de Rome 101 à Liège, sur la rive gauche de la Meuse, un appartement au troisième étage, comprenant: Un hall d'entrée, deux chambres et un bureau (une chambre en façade avant avec balcon et une chambre et un bureau en façade arrière), un living (séjour constitué de parquet en chevron), une cuisine, deux grands placards de rangement, une salle de bain et un wc séparé. Un balcon à l'arrière avec accès par la cuisine. Une cave et un emplacement de parking privatifs (porte sectionnelle récente entrée parking). Entrée avec codeur. L'acte de base de la Résidence, le règlement d'ordre intérieur et les renseignements du syndic peuvent être consultés (demande à adresser à l'étude). Visite uniquement sur rendez-vous au 04/337.15.44 (Etude AEQUALIS NOTAIRES ASSOCIES)
  • Aantal kamers: 2
  • Aantal badkamers: 1
  • Kadastraal inkomen: 932 €
  • Vrij vanaf: Bij de akte
  • AEQUALIS NOTAIRES ASSOCIES
  • Contactpersoon: Veronique YERNAUX
  • Tel: (04) 337.15.44
  • Email: veronique.yernaux.460025@belnot.be
  • Bezoekgegevens
  • Prendre contact avec l'étude AEQUALIS NOTAIRES ASSOCIES au 04/337.15.44

Huizen

47 Rodenbachstraat, 8908 Vlamertinge

Doe een bod van
190.000 €

Presentatiebeeld van het pand n° 290685
Online openbare verkoop
  • Referentie: 290685
  • Deze charmante woning, gelegen in Vlamertinge, biedt alles wat je zoekt: een uitstekende staat van onderhoud, ruime kamers, en moderne voorzieningen plus een ruime garage met oprit. Deze woning is ideaal voor zowel starters als gezinnen die op zoek zijn naar een comfortabele en instapklare woning. Dankzij de open indeling en lichte ruimtes voelt het huis direct als thuis! G score: A P score: B
  • Aantal kamers: 3
  • Aantal badkamers: 1
  • Lopende verkoop
  • Startdatum: 12/01/2026 13:00
  • Einddatum: 20/01/2026 13:00
  • Geen bod: 1000 €
  • Kadastraal inkomen: 779 €
  • Vrij vanaf: Bij de akte
  • MICHAËL MERTENS - ASTRID DEDEURWAERDERE, GEASSOCIEERDE NOTARISSEN
  • Contactpersoon: Kantoor Not. Mertens & Dedeurwaerdere
  • Tel: (057) 20.25.32
  • Email: info@mdnotarissen.be
  • Bezoekgegevens
  • Het goed zal door de kandidaat-kopers kunnen bezocht worden na afspraak met het notariskantoor

Huizen

37 Avenue de la Gare, 1401 Baulers

Doe een bod van
350.000 €

Presentatiebeeld van het pand n° 290675
Uit de hand
  • Referentie: 290675
  • VISITES SUSPENDUES - OFFRE ACCEPTEE
  • Aantal kamers: 4
  • Oppervlakte van het woongedeelte: 165m2
  • Vrij vanaf: Bij de akte
  • Adeline Vanpée et Diane de Roubaix - Notaires associés
  • Contactpersoon: Kelly WATERLOT
  • Tel: (067) 21.20.92
  • Email: kelly.waterlot.353597@belnot.be

Huizen

9 Rue des Acacias, 5590 Achêne

Doe een bod van
280.000 €

Presentatiebeeld van het pand n° 290645
Uit de hand
  • Referentie: 290645
  • Belle maison de plain-pied située à Achêne, comprenant hall, cuisine, salon - salle à manger, salle de bain avec wc, 3 chambres, grenier, garage et jardin. Châssis double vitrage - Chauffage central mazout – PEB : G R.C. : 622 € – Contenance : 6 ares 59 ca Renseignements et visites en l'étude.
  • Aantal kamers: 3
  • Aantal badkamers: 1
  • Kadastraal inkomen: 622 €
  • Vrij vanaf: Bij de akte
  • Amélie PERLEAU, Société notariale
  • Contactpersoon: Jessica JEANMART
  • Tel: (083) 21.29.21
  • Email: jessica.jeanmart.127605@belnot.be
  • Bezoekgegevens
  • Renseignements et visites en l'étude