Image de présentation du bien n° 294703

A propos de ce bien

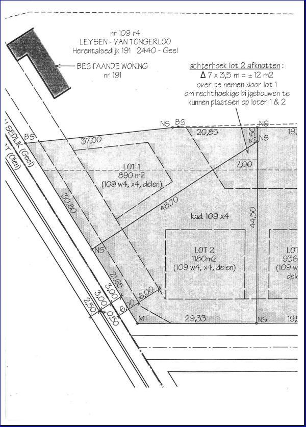
Référence: 294703


P score: D

Informations générales

  • Libre à partir duÀ l'acte
  • Type de bienTerrains
  • Revenu cadastral6 €

Informations sur le jardin et terrain

  • Superficie cadastrale1180m2

Informations urbanistiques

  • Permis d'urbanisation ou permis de lotir
  • La destination urbanistique la plus récente de ce bien avec les dénominations utilisées dans le registre des plansWoongebied met landelijk karakter en agrarisch gebied
  • Inondabilité de la zonePas d’application

Données relatives à la protection du patrimoine

  • Le bien est protégé ou repris dans un inventaire établiNon

Vente de gré à gré

Prix souhaité

235 000 €

Vendu par l'étude Benijts & Colson, notarissen

Vous avez une question sur ce bien ou souhaitez planifier une visite ? Contactez le notaire du vendeur.

Informations de visite

Dit perceel grond is vrij te bezoeken.