Afficher les 6 photos
Parcelle de terrain située en zone d'habitat dans un environnement champêtre et calme tout en étant proche du centre et des grands axes routiers.
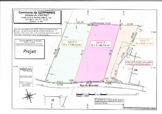
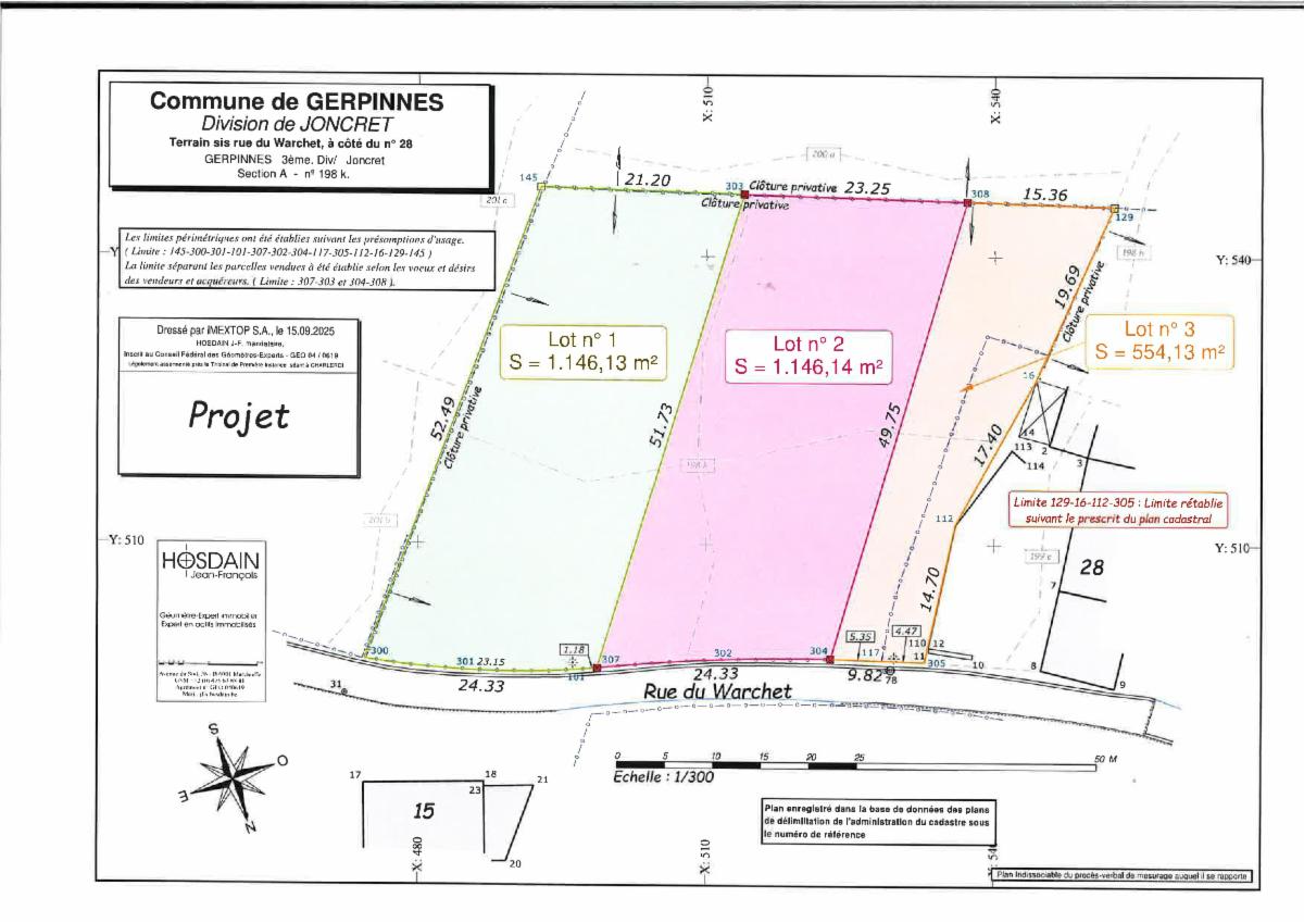
Portant le LOT 2, d'une contenance de 1.146,13 m², précadastration en cours
Situé en zone d'habitat au plan de secteur et en zone de régime d'assainissement collectif : station d'épuration collective : égouttage précaire voir inexistant - Plan d'Assainissement par Sous bassin Hydrographique : prendre contact avec le bureau d'étude communal.
Le projet est à soumettre au service urbanistique de la Commune de Gerpinnes (071/50 90 30) - les clôtures ne font pas partie de la vente
(parcelle située à côté du numéro 28)