Image de présentation du bien n° 289185

A propos de ce bien

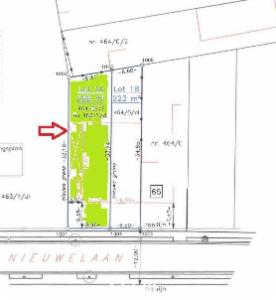
Référence: 289185


Terrain à bâtir idéalement situé pour construction jumelée dans le centre d'Oelegem P score: A

Informations générales

  • Libre à partir duÀ l'acte
  • Type de bienTerrains

Informations sur le jardin et terrain

  • Superficie cadastrale299m2

Informations financières

  • Revenu cadastral à définir

Informations urbanistiques

  • Permis d'urbanisation ou permis de lotir
  • Une citation été émise conformément à l'article 6.1.1. ou 6.1.41 à 6.1.43
  • La destination urbanistique la plus récente de ce bien avec les dénominations utilisées dans le registre des plansWoongebied

Documents et pièces jointes

Vente online

Faire offre à partir de

100 000 €

Informations de vente

Vente terminée
Logo du partenaire Biddit

Date de début: 24/11/2025 14:00

Date de fin: 02/12/2025 14:00

Pas d'enchère: 1 000 €

Voir la fiche sur Biddit.be

Vendu par l'étude Michoel, Bremans & Hens, notarissen

Informations de visite

libre de visiter à vos propres risques