Image de présentation du bien n° 293348

A propos de ce bien

Référence: 293348


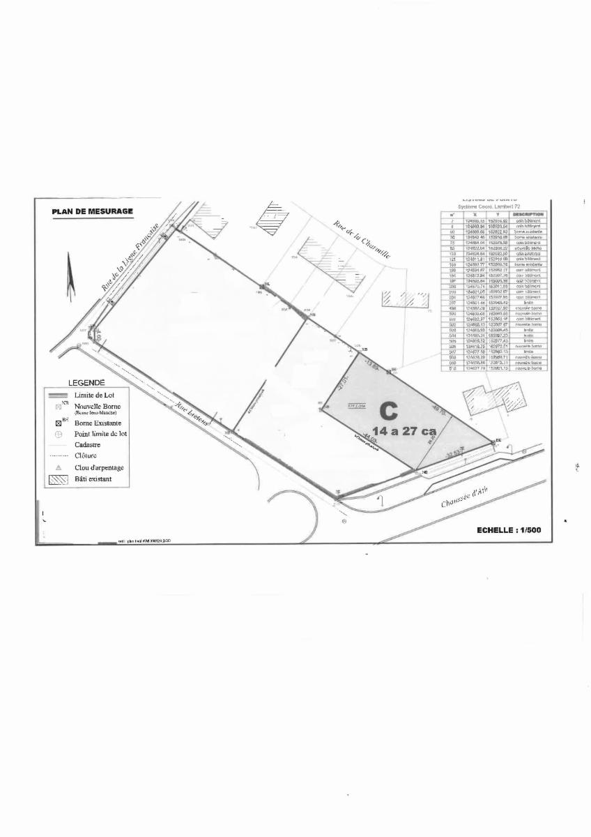
Ville d' ENGHIEN - deuxième division - Marcq un terrain à bâtir à front de la Chaussée d'Ath) largeur de la façade 32,53 mt , pour une contenance de 14 a 27 ca dont le dit bien est repris sous la dénomination de « LOT C ». Les frais liés à l’intervention du géomètre restent à charge de l’acquéreur.

Informations générales

  • Libre à partir duÀ l'acte
  • Type de bienTerrains

Informations sur le jardin et terrain

  • Superficie cadastrale1427m2

Informations financières

  • Revenu cadastral à définir

Informations urbanistiques

  • Destination urbanistique la plus récenteZone d'habitat

Données relatives à la protection du patrimoine

  • Inscription à la liste de sauvegarde ou de classement du patrimoine immobilierNon

Vente de gré à gré

Faire offre à partir de

195 000 €

Vendu par l'étude Jean-Charles DASSELEER, Notaire

Vous avez une question sur ce bien ou souhaitez planifier une visite ? Contactez le notaire du vendeur.

Informations de visite

Avec l'Etude