Presentatiebeeld van het pand n° 289776

In verband met dit goed

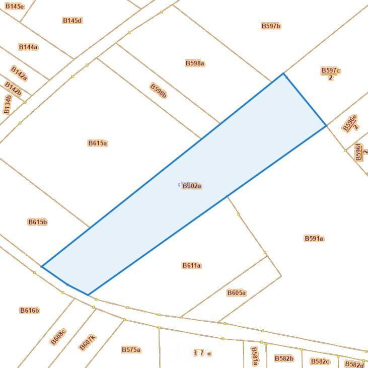
Referentie: 289776


Een boomgaard met een oppervlakte volgens kadaster van vijftig are zesenzeventig centiare (5a 76ca). P score: D

Algemene informatie

  • Vrij vanafBij de akte
  • PandtypeGronden

Gebouw en tuin gegevens

  • Oppervlakte kadaster5076m2

Financiële gegevens

  • Kadastraal inkomen te bepalen

Stedelijke informatie

  • De meest recente stedelijke bestemming van het pand met de benamingen gebruikt in het register met plannenNatuurgebied

Online verkoop

Doe een bod van

15.000 €

Verkoop informatie

Afgesloten verkoop
Logo van partner Biddit

Startdatum: 20/01/2026 10:30

Einddatum: 28/01/2026 10:30

Geen bod: 1.000 €

De fiche bekijken op Biddit.be

Verkocht door de notaris NOTARISKANTOOR HOUGAERTS & PEYLS

Bezoekgegevens

Na contactnamen met het notariskantoor