Presentatiebeeld van het pand n° 293023

In verband met dit goed

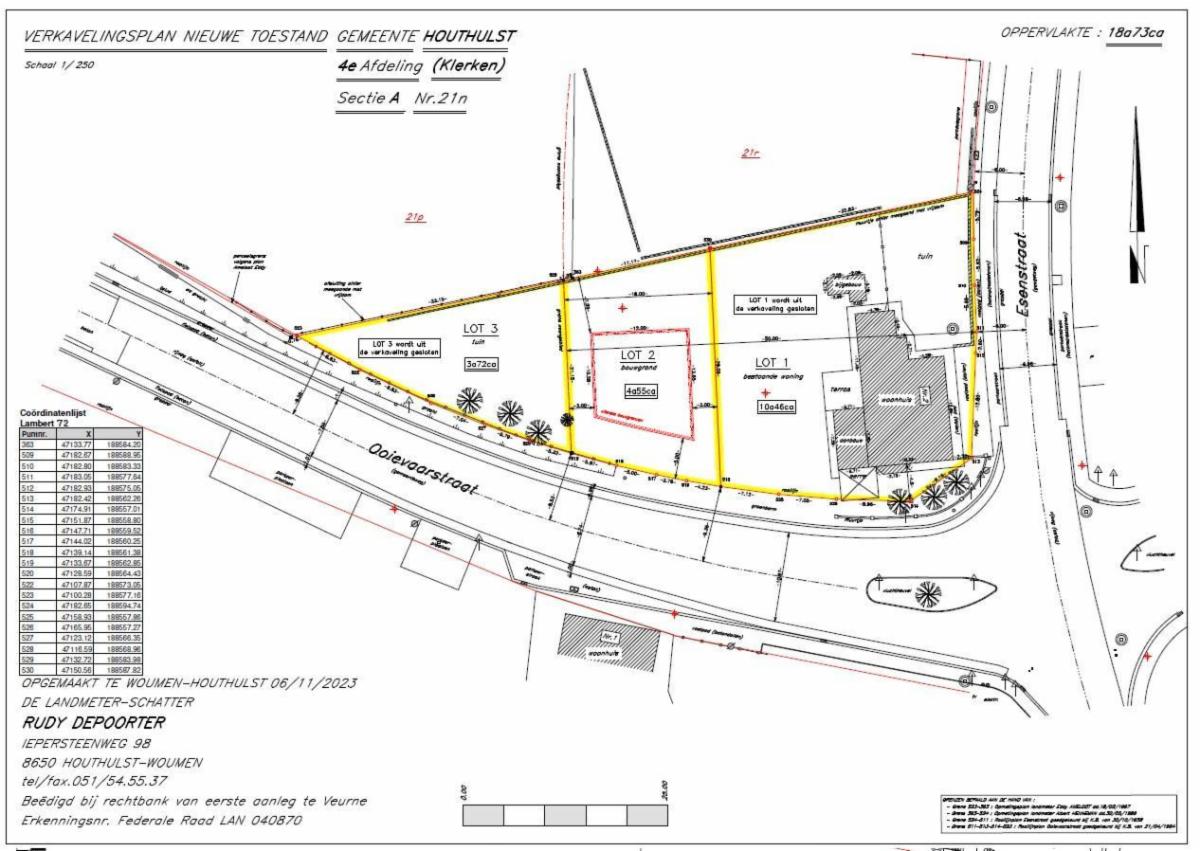
Referentie: 293023


Groot perceel bouwgrond en tuin, samen 827m².
In het groen gelegen aan de rand van het centrum van Klerken.
P score: A

Algemene informatie

  • Vrij vanafOnmiddellijk
  • PandtypeGronden

Gebouw en tuin gegevens

  • Oppervlakte kadaster827m2

Financiële gegevens

  • Kadastraal inkomen te bepalen

Stedelijke informatie

  • Verkavelingsvergunning
  • De meest recente stedelijke bestemming van het pand met de benamingen gebruikt in het register met plannenWoongebied

Openbare verkoop

Instelprijs

115.000 €

Enige zitting

Datum: 19/03/2026

Tijd: 15:30

Adres: OC Heuvelhuis Dorpsstraat 29, 8650 Klerken

Deze openbare verkoop heeft slechts één zitdag

Verkocht door de notaris Notaris Jasmine Roels

Heeft u een vraag over dit pand of wenst u een bezoek in te plannen? Neem contact op met de notaris van de verkoper.