Presentatiebeeld van het pand n° 294703

In verband met dit goed

Referentie: 294703


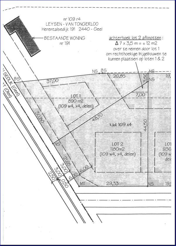
Bouwgrond gelegen te Geel, Herentalsedijk (langs huisnummer 189) met een totale oppervlakte van 1.180 m². Bezoek: vrij te bezichtigen. Kadastraal nummer: 109G5 P0000. P score: D

Algemene informatie

  • Vrij vanafBij de akte
  • PandtypeGronden
  • Kadastraal inkomen6 €

Gebouw en tuin gegevens

  • Oppervlakte kadaster1180m2

Stedelijke informatie

  • Verkavelingsvergunning
  • De meest recente stedelijke bestemming van het pand met de benamingen gebruikt in het register met plannenWoongebied met landelijk karakter en agrarisch gebied
  • overstromingsgebiedNiet gelegen in een overstromingsgevoelig gebied

Naam van de voorkooprechthebbende overheid (bij prioriteit)

  • Het onroerend goed is beschermd of opgenomen in een vastgestelde inventarisNeen

Uit de hand te koop

Gewenste prijs

235.000 €

Verkocht door de notaris Benijts & Colson, notarissen

Heeft u een vraag over dit pand of wenst u een bezoek in te plannen? Neem contact op met de notaris van de verkoper.

Bezoekgegevens

Dit perceel grond is vrij te bezoeken.