Presentatiebeeld van het pand n° 293348

In verband met dit goed

Referentie: 293348


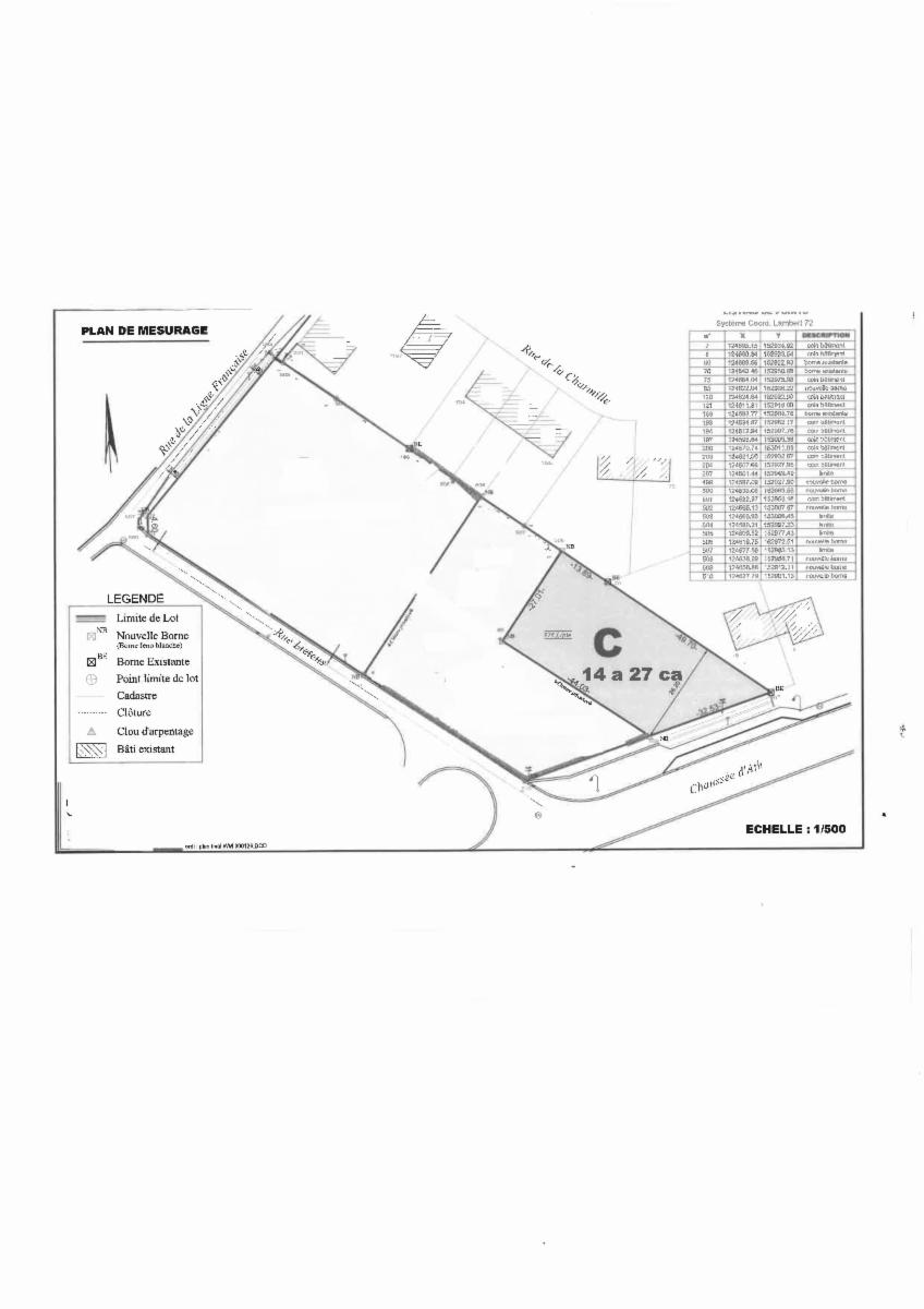
Ville d' ENGHIEN - deuxième division - Marcq un terrain à bâtir à front de la Chaussée d'Ath) largeur de la façade 32,53 mt , pour une contenance de 14 a 27 ca dont le dit bien est repris sous la dénomination de « LOT C ». Les frais liés à l’intervention du géomètre restent à charge de l’acquéreur.

Algemene informatie

  • Vrij vanafBij de akte
  • PandtypeGronden

Gebouw en tuin gegevens

  • Oppervlakte kadaster1427m2

Financiële gegevens

  • Kadastraal inkomen te bepalen

Stedelijke informatie

  • Meest recente stedenbouwkundige bestemmingWoongebied

Naam van de voorkooprechthebbende overheid (bij prioriteit)

  • Ingeschreven op de bewaar- of beschermingslijst erfgoedNeen

Uit de hand te koop

Bieden vanaf

195.000 €

Verkocht door de notaris Jean-Charles DASSELEER, Notaire

Heeft u een vraag over dit pand of wenst u een bezoek in te plannen? Neem contact op met de notaris van de verkoper.

Bezoekgegevens

Avec l'Etude